小时候都玩过的“扎手球”,你还认识吗?它的作用可不少!
我国本身就有着广阔的土地,在自然的洗礼和净化中也生长着很多的植物,山林中总有着数不清的植物资源。不管是在石头缝里还是山谷之中总能看到繁盛的植物生长,当然在那些高山之上也会绽放着生命的奇迹。过去农民都会从山上采摘着一些植物,如果身体上有什么损伤就可以用上这些药草治疗,还能用它进行充饥食用,这样就可以解决温饱上的难题。


如今的生活条件好了,那些被遗弃的植物再次散发着新的价值,城里人也会来到山林之中,将那些可以食用的野菜采摘回家,这样就可以吃上那些天然绿色的蔬菜,还能保障着药用上的价值。不过有一些植物的毒性比较大,大家需要慎重采摘。

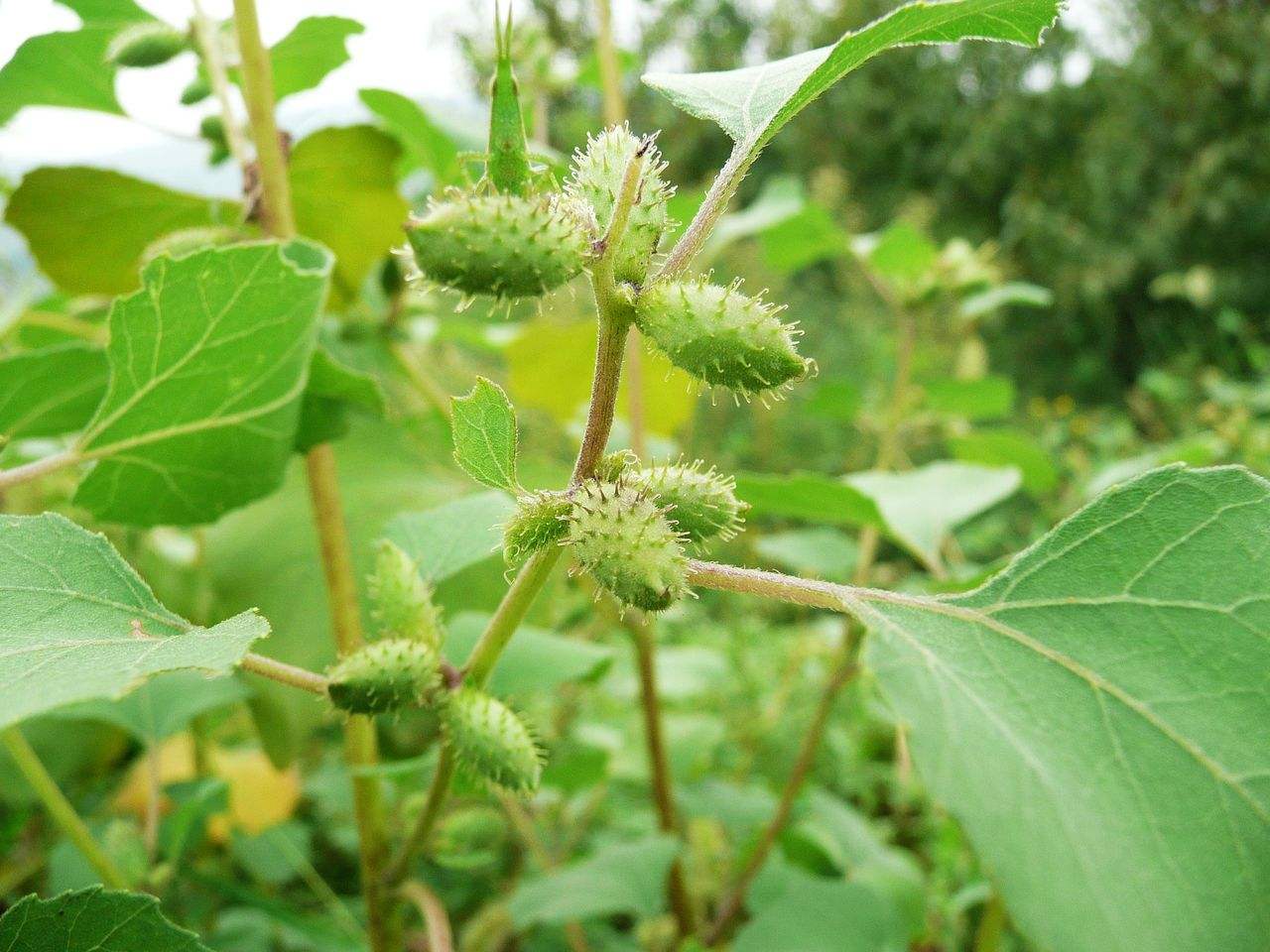
我们要说的这种植物,它在乡村中十分的常见,青绿色的枝叶看起来十分普通,不知道的还以为是一种蔬菜,其实它是有毒性的,特别是种子的毒性成分更高一些,上面长满了尖刺,让人看了后就会躲避,生怕会被它刺到了。这种植物就是苍耳子,在庭院前后、路两边、林间灌丛中、农田旁总能够看到它的生长。

作为一种1年生的植物,它可以长到90cm左右,拥有着直立生长的茎秆,全身拥有着青绿色的枝叶,叶片四周有着不规则的齿痕。它的果实上覆盖了尖尖的刺,看起来十分的青嫩细长,在成熟之后很容易就会将手刺破,因此大家面对它也都会非常的小心。

不过孩子们在野外玩耍的时候,看到这种奇特的植物,总会将它的种子采摘下来,然后将其放在小伙伴的衣服里,这样就会黏在上面很难拿下来。还有一些人则是放在女孩子的头发上,这样一来扯下来更难,稍微不注意就会传来阵阵疼痛,没办法只能用剪刀将头发剪去。

在田野里放羊的时候,走过这些杂草丛中,这些羊身上总会粘上很多的种子,孩子们的裤脚上也会带上很多。其实这些种子被带到新的地方后,就会重新扎根在土壤中,继续长出繁盛的枝叶。正是它强大的生命力,农民怎么除都很难将其清理。但为了避免它带给庄稼的影响,大家都会将它采割回家,然后当成柴火进行焚烧。

苍耳子的毒性很高,但其实中医大夫们对它们却十分的喜爱,毕竟它的药用价值可是非常高的,本身就可以祛除湿气,同时也有着祛风散热的作用。而在鼻炎的治疗上有着很高的效果,比起其他植物更甚一些。当然它也可以用来缓解着疼痛感,特别是风寒性的头疼。对于女性的子宫溢血也可以很好的治疗。

不过大家可不能随意的食用,毕竟它对于内脏有一定的损伤。当然在中医治疗的时候,都会采用煮酒、炼油的方式,以此减少它的毒素。当然我们也可以将其放在热水中浸泡,然后泡上热水脚,这样也可以保障着健康。大家见过苍耳子吗?知道它的价值吗?