
8月14日,仅一家开发商出现在竞拍现场,最终润石置业以总价13500万拿下禅城澜石华远东路西侧这宗逾5千㎡的迷你商住地,折合楼面价9054元/㎡。

润石置业控股信息
地处禅城澜石板块
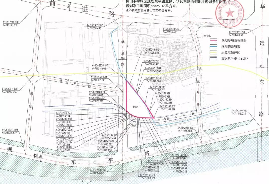
从地图上看,该地块位于东平路北侧、华远东路西侧,地处禅城城南的澜石板块,毗邻澜石港和东平河。


距广佛线澜石地铁站约1公里(直线测距),距东平河只有300米。
地块周边以厂房为主,1公里范围内还有佛山市第四人民医院、澜石颐老院、澜石中学、澜石文化广场、广东职业技术学院等,楼盘方面也有翠堤明珠和绿语芳居的二手楼盘,均有一定的人居氛围。
商业面积不超5964㎡
根据出让文件显示,该地块总占地面积5325.16㎡,总计容建面14910㎡,地块限高110米,土地用途为住宅兼容商服用地,其中商服用途建筑不得超过5964㎡,即总计容的4成。
按照规划,地块还须配建物业管理用房、居民健身设施、社区公共服务用房等公共配套设施。地块须于1年内动工,3年内竣工。

近地铁+一线江景
地块潜力较大
地块位于东平路北侧、华远东路西侧,经过百度地图测量,距澜石地铁站约1公里,向南300米是东平河。
未来项目建成后,“地铁+一线江景”或是主打卖点。

澜石地铁站
配套方面,澜石中学、佛山第三和第四人民医院等都在1公里范围内,生活较为便利。
考虑到地块对岸就是佛山新城,开车约3公里,也能同步享受各项配套。

佛山新城 来源:乐从发布
目前地块周边以低矮厂房为主,居住环境有待改善。
按照规划,其南部的澜石港将在今年年底关停,计划3年内将改造成观光客运码头。
如此一来,对地块周边区域也是一大利好。

澜石港
本宗地块核心优势明显,总价偏低,因此此次成为房企争夺焦点。
周边楼盘
回顾石湾近一年的卖地情况,除了定向出让的混合用地外,其余均超过1.25万/平。
房价方面,目前石湾片区很少见到“1字头”项目。大部分价格以21000-25000元/平为主。
豪宅云集的奇槎板块,更有楼盘洋房卖到2.7万/平。

往期热点推荐




想要进佛山购房交流群的可以加我微信(gzfs1fang),拉你入群

长按识别二维码直接进群