6月10日,广州市番禺信息技术投资发展有限公司发布番禺区万博商务区市政道路、地下环路及综合管沟工程(万惠二路西延段、汇智三路西延段、万博一路南段工程) 招标公告。
最高投标限价:4778.649563万元
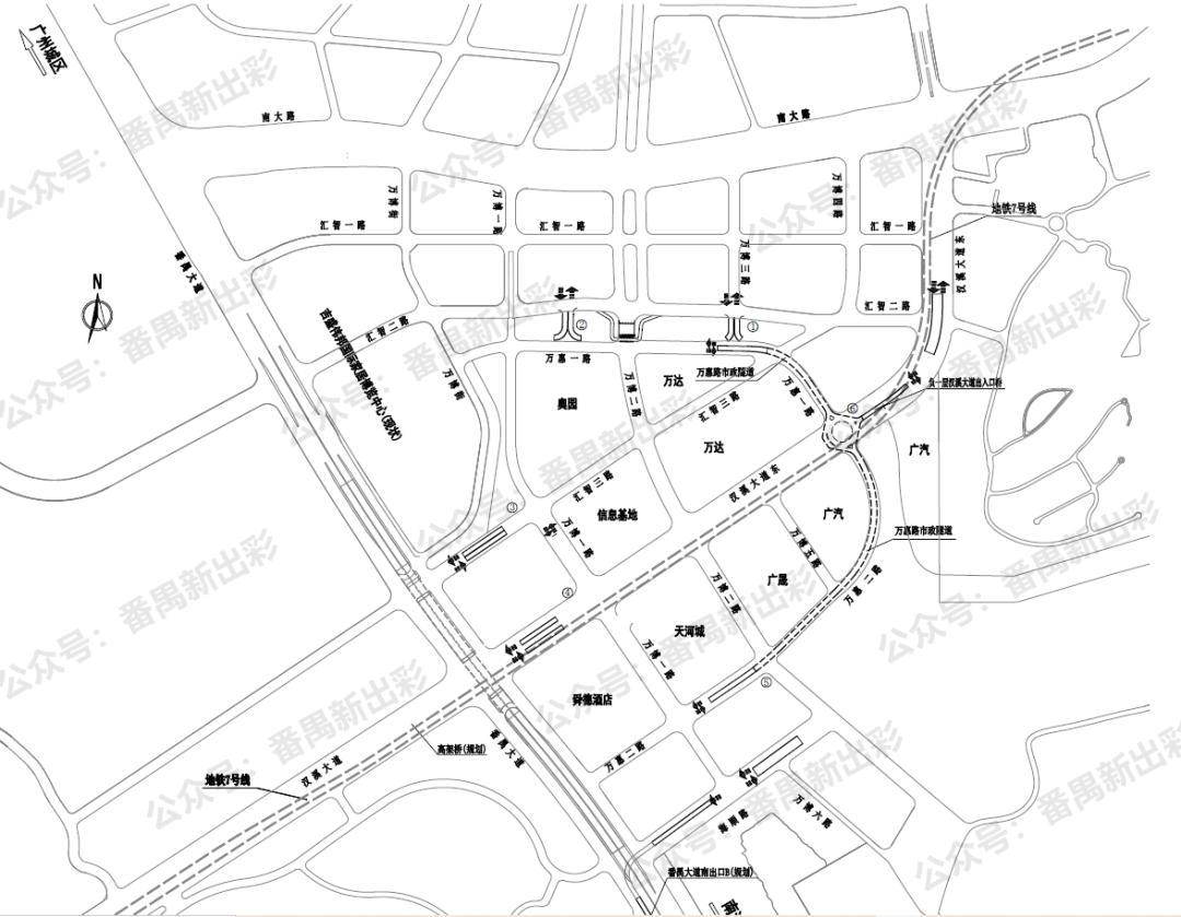
工程地点: 广州市番禺区南村镇里仁洞村万博商务区内
交通概述:
万博中央商务区核心区地下空间的建设将改善万博中央商务区的交通功能,加强与外围城市交通的衔接和联系,实现与公交、轨道交通的便捷换乘功能,创造多层次的地下立体交通体系;连接、整合区域内各类综合设施和周边建筑的地下空间,统一规划区域内供电、给排水、供冷、垃圾收集、消防设施、人防设施、停车库等各项设施,使区域内各项公共设施达到统筹、统一、有机结合,形成一个资源共享的地下公共空间体系。

周边路网示意图
工程规模:
1、万惠二路西延段:
道路工程:万惠二路西延段全长约181米人行道(4.0m)+机动车道(8.0m) +机动车道(8.0m)+人行道(4.0m)。
2、汇智三路西延段:
地下隧道:里程范围S2K0+000~S2K0+172.315,全长约0.172km,采用钢筋混凝土结构。隧道敞口段:0.5米(隧道侧墙)+0.8米(检修道)+7.5米(0.5+2x3.25+0.5)(车行道)+0.5米(隧道侧墙)=9.3米。隧道闭口段:0.8米(检修道)+7.5米(0.5+2x3.25+0.5)(车行道)=8.3米, 小半径圆曲线处车行道7.5米拓宽至8.4米 。
匝道桥: 桥梁起点位于汇智三路隧道上两侧,墩身、台身均采用钢筋混凝土结构。里程范围Q1 K0+000~Q1 K0+162.800,全长约0.162km, 桥面两车道5m宽 。
3、万博一路南段:
道路工程: 全长约168米 。道路宽度为20米,采用沥青混凝土路面。路幅布置为:人行道(1.5m)+非机动车道(1.5m)+树池(1.0m)+车行道(12.0m)+树池(1.0m)+非机动车道(1.5m)+人行道(1.5m)=20m。

总平面示意图一

总平面示意图二
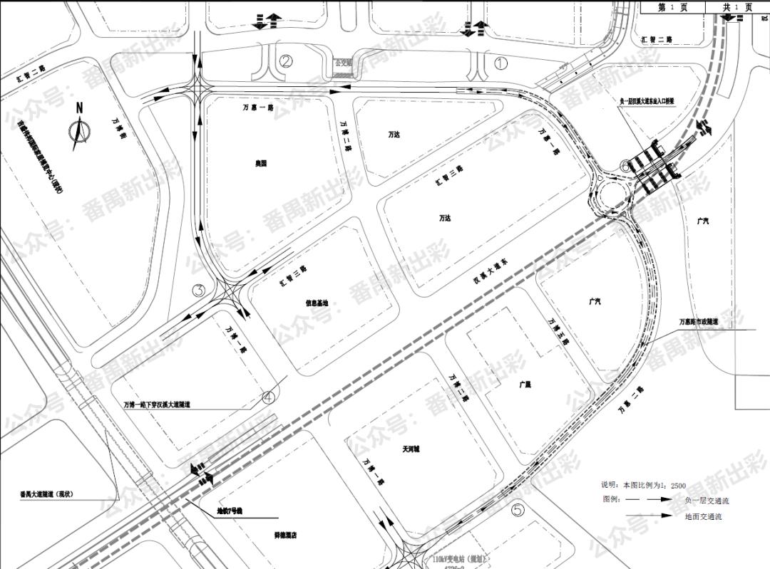
内部交通组织:
万博商务中心负一层设置两条市政隧道,万惠路市政隧道设计为双向两车道,在汉溪大道交叉口东面设置一组出入口隧道,出入口隧道双向两车道,在交叉口西面紧邻地下空间设置半径20米的环岛和出租车停靠站,车辆逆时针循环连接各个出入口隧道;
万博一路市政隧道下穿汉溪大道,隧道设计为双向两车道。两条市政隧道确保了地面万博一路和万惠一路、万惠二路形成环路,加强万博中央商务区南北两侧的交通联系和转换。
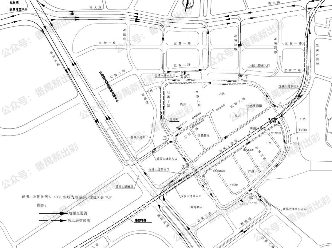
万博商务中心负三层设计环路系统,环路系统主要由1条主环、2条循环通道和6组出入口际道构成。主环内车辆单向逆时针循环,设计车速30公里小时,单向三车道,车辆由主环路循环与6组出入口以及各地块停车场出入口连接,实现车流的停车需求及对外连接需求。环路系统主要供小汽车通行,是解决万博中央商务区车辆快速进出,减轻地面路网的压力,保证主环路的方便快捷和减少主环路的绕行距离。

负一层隧道平面图

负三层隧道平面图
内外交通衔接设计:
万博商务中心负一层市政隧道连接了地面万博一路和万惠一路、万惠二路形成环路,加强万博中央商务区南北两侧的交通联系和转换。环路沿线南侧可通过地面道路与汉溪大道衔接,北侧可通过隧道内环岛循环与汉溪大道、万惠一路、万惠二路衔接,实现内外交通的衔接。
万博商务中心负三层环路系统逆时针循环,单向三车道,沿线通过6组对外出入口,与汉溪大道东、万博三路、万博一路、番禺大道北、汉溪大道西、番禺大首南交叉口采用右进右出,实现内外交通衔接。

主环路、出入口及负三层循环通道平面图

车位引导示意图

车位引导系统示意图