黄陂南路是上海市黄浦区的一条街道,南北走向,北起延安东路接黄陂北路,南至徐家汇路。长1853米。黄陂南路最初名为峨嵋山路,由上海法租界公董局修筑于1901年。1906年,公董局将其改名为贝勒路(Rue Amiral Bayle),得名于法国海军军官名。1943年汪精卫政府接收租界,以武汉市黄陂区将其改名为南黄陂路。1946年改名黄陂南路。

黄陂南路575号
不可移动*物文**编号:310103805190000188 黄陂南路575号住宅 民国淮海中路街道
地址:黄陂南路575号

黄陂南路575号
黄陂南路575号住宅建于1930年。新式里弄。砖木结构,三层。黄色水泥砂浆外墙,白色涂料内墙。矩形木质门窗,现仍可见部分彩色玻璃。室内不同花色地砖铺地,有木楼梯一座。经过修缮,目前是黄埔区*党**建服务中心。

黄陂南路591-601号
黄陂南路591-601号曾是私立南洋无线电报传习所,由无线电专家刘平叔创办于1929年,为沪上创设最早之无线电学术机构,培养无线电专门人才。

黄陂南路596弄梅兰坊
优秀历史建筑编号:LW-J-011-IV;不可移动*物文**编号:310103945190000069 梅兰坊 民国 淮海中路街道
原名称/原(曾)使用单位:梅兰坊;现名称/现使用单位:梅兰坊
地址:黄陂南路596弄1-58号
层数:4层(原为3层,后加建1层);结构类型:砖木结构;建造年代:1924年;保护类别:四类

黄陂南路596弄梅兰坊
梅兰坊,新式石库门里弄建筑,以业主吴梅溪、吴似兰名字中各一字命名。

黄陂南路596弄梅兰坊
梅兰坊,乍一听以为是“梅兰芳”。这不,著名报人、小说家包天笑就曾在《申报》上刊登过一篇《乡下人又到上海》的文章,说的是一个乡下人到上海法租界梅兰坊去找他的外甥“阿木林”,一路上闹出很多笑话的故事。其中,就有这个“乡下人”在电车上买票,说是要到“梅兰坊”,结果售票员以为是要去看“梅兰芳”的戏,把“乡下人”直接送到了大舞台......

1931年《申报》上连载包天笑的文章
在三、四十年代,梅兰坊居住过多位律师、医师、公司经理等。如:梅兰坊二号曾是宝隆足球会,四号吴华泰律师,十三号张克成医师(又作“生活医院”),十五号陈海森律师,十八号尚慕姜(祖传中医,曾任伪杭州警察局长及“黃道会”副会长等职),二十一号曾是大中国周报社址(周还博士主编),廿二号潘仁希律师,二十五号宋云涛律师,廿八号女科宋光祯医师,三十一号王德魁律师,三十三号邹绳祖律师,四十三号福州路寰球画片公司经理杨正镛,四十四号钱康寿医师。
当年为成立西南建设协会上海社友会而奔忙的曾义博士,也曾居住在梅兰坊。
曾义,字文玉,四川人。早岁赴法国留学,入里昂中法大学,获理科博士学位。回国后,历任国立暨南大学及国立劳动大学化学教授。1979年9月,任国立中央研究院化学研究所专任研究员。

黄陂南路700号上海织袜二厂旧址
不可移动*物文**编号:310103805190000351 上海织袜二厂旧址 民国 淮海中路街道
地址:黄陂南路700号

黄陂南路700号上海织袜二厂旧址
上海织袜二厂生产的“金松牌”锦纶*袜丝**曾多次获奖。现在这里是卓维700创意园。

黄陂南路847弄9号漫画会旧址
不可移动*物文**编号:310103945190000125 漫画会旧址 民国 打浦桥街道
地址:黄陂南路847弄9号

丁悚一家在天祥里31号天井中所摄
原贝勒路天祥里建于1925年。1926年,随着漫画家丁悚搬到贝勒路天祥里31号(今黄陂南路847弄9号),“漫画会”的招牌也就挂在了丁家门口,也标志着中国漫画家第一次有组织地联合起来。
丁悚(1891~1969),字慕琴,浙江嘉善人。丁悚是丁聪(1916-2009)之父,也是上海美专首任教务长、上海二、三十年代的著名画家、上海漫画界和月份牌画界的中心人物和组织者。丁悚幼年去上海老北门昌泰当铺当学徒,业余上美术专门学校进修。后入上海美术学校教写生画,继而受聘于上海英美*草烟**公司广告部,从事香烟招贴画的绘制。《文虎》半月刊特约撰作人。善制画谜。

1926-05-18《申报》
1926年5月18日《申报》记载(见上图),民国小说名家毕倚虹也住在贝勒路天祥里,与画家丁慕琴(丁悚)只一弄之隔。毕倚虹1926年5月16日去世,仅隔一天(5月17日),丁悚年仅5岁的女儿一芬因伤寒去世,一芬聪明异常,丁悚万分悲痛,辍画三天以志哀悼。

毕倚虹
毕倚虹(1892-1926),江苏仪征人。名振达,字倚虹,别署清波、天狼等。民元后,他在上海一面担任律师,一面从事写作,其诗、词、散文皆能,尤以小说闻名于世,代表作是《人间地狱》和《黑暗上海》。他还是中国画报的创始人,1925年在上海创办《上海画报》,邵洵美和盛佩玉的结婚照就在上面登过。

1948年版《上海市行号路图录》上“天祥里”和“恒庆里”(红色框内)
从上面的行号图可以看到,原贝勒路847、863、873、885、891弄是恒庆里。为了了解恒庆里今昔变化,特将1948年和2019年“天祥里”和“恒庆里”的航拍图贴在下面。

1948年航拍图上的“天祥里”(蓝色框内)和“恒庆里”(红色框内)

2019年航拍图上的“天祥里”(蓝色框内)和“恒庆里”(红色框内)
对比上面的航拍图可以看到,原恒庆里靠近徐家汇路的三排已经被拆除,对应1948年版行号图上是原贝勒路873、885、891弄。另外,847、863弄也只剩靠东面的一半。

1934-04-25《申报》
据《申报》记载(见上图),旧上海女影星王慧娟于1925年6月17日嫁与居住在贝勒路恒庆里1号的同乡赵润清,可是婚后并不幸福,还招丈夫殴打,曾两度企图自杀,王慧娟被逼无奈,起诉离婚。

王慧娟
王慧娟,生于1910年,1931年从影,在复旦公司演出影片《巾帼须眉》。后在天一公司拍片,在《小女伶》、《飞絮》、《一个女明星》、《舞宫*梦春**》等片中扮演重要角色。1934年进入明星公司,拍摄《女儿经》、《大家庭》等片。1939年在艺华拍摄影片《燕子盗》后息影。根据上面的航拍图,原贝勒路恒庆里1号应该已经被拆除。

1927-01-05《申报》
据《申报》记载(见上图),贝勒路(847弄)恒庆里7号曾是著名音乐家仲子通1919年创办的音乐研究会。仲子通是先贤仲子74世孙(谱名仲光焘,字和奎,号子通),曾任南洋大学曁上海艺术大学音乐教授,与田汉等人交往密切,解放后定居台湾。根据上面的航拍图,原建筑应该已被拆除。

1927-07-18《申报》
据《申报》记载(见上图),贝勒路恒庆里20号曾是韩国志士安重根母亲赵氏的寓所,赵氏因胃癌,于1927年7月15日在寓所去世。根据上面的航拍图,原贝勒路恒庆里20号应该已经被拆除。
据1930年9月6日《申报》报道(见下图),清末民初教育家袁希涛1930年8月29日在贝勒路恒庆里61号寓所去世。有些文章说今黄陂南路847弄39号为袁希涛旧居,但是根据《申报》记载的地址是贝勒路恒庆里61号,恒庆里61号位于贝勒路885弄,应该已经被拆除。

1930-09-06《申报》
袁希涛(1866-1930),字观澜,又名鹤龄,江苏宝山(今属上海市)城厢人。清光绪举人,清末民初教育家,曾任同济大学第五任校长,江苏省教育会会长。积极参与筹办复旦公学(现复旦大学)于吴淞,担任复旦公学第一任教务长。

袁希涛
另外,贝勒路(863弄)恒庆里33号曾是实业巨子杨执中寓所,夫人允惠英女士是儿科医师,曾在家设儿科诊所。
曾任伪南市地方法院院长的屠振鹄曾住在贝勒路(863弄)恒庆里24号,1939年2月16日,屠振鹄由贝勒路恒庆里寓所步行出外,刚行至天祥里过街楼下面,即被人开枪击毙。(见下列《申报》报道)

1939-03-02《申报》
据《申报》记载,在1932年淞沪抗战期间,第二十三伤兵医院曾设在贝勒路恒庆里。贝勒路(885弄)恒庆里50号曾经是人力车夫互助会南区分会。
黄陂南路上消失的名宅及遗址
贝润生住宅

贝润生住宅
优秀历史建筑编号:III-64;不可移动*物文**编号:310102945190000105 储能中学 民国 南京东路街道
原名称/原(曾)使用单位:瑞康洋行买办住宅;现名称/现使用单位:上海市储能中学一分部
地址:黄陂南路25号乙

1948年版《上海市行号路图录》上贝润生住宅的位置(红色圈内)
位于原贝勒路25弄(宝安里)5号的贝润生住宅,由贝润生于1911年购得,后按苏州“狮子林”风格进行了整修,为中西合璧的三层楼房。1999年该建筑被列为上海市第三批优秀历史建筑。

贝润生住宅
贝润生(1870年~1947年),名仁元,字润生,江苏元和(今苏州市内)人。 建筑师贝聿铭的叔祖。16岁到沪,在瑞康颜料行学徒。28岁任瑞康颜料行经理,37岁时,纳粟为道员。清宣统元年(1909年),当选上海商务总会议董。42岁时,又以助赈得双月道员。宣统三年任上海商务总会协理,民国元年(1912年)6月任上海总商会协理,民国4年任全国商联会副会长。民国5年,当选上海总商会会董后辞职。屡任洋货公会总董,及平江公所总董,苏州旅沪同乡会会长等。民国16年辞去瑞康职务,独任谦和靛青行总经理。并投资滋康瑞记钱庄、瑞昶盛记钱庄、宝丰安记钱庄,任崇信纺织公司董事。

拆除中的贝润生住宅
尽管被列为优秀历史建筑,贝家后人也极尽努力,但是,该建筑最终还是在建延中绿地时被拆除。沪上又一座名宅从此消失。

1948年航拍图中的“贝公馆”和“杜公馆”
当年,在与“贝公馆”一街之隔的华格臬路(今宁海西路)180-182号,是杜月笙的“杜公馆”,同样在建延中绿地时被拆除了。好在加拿大华侨黄修志先生出高价将全部构件买走,并聘请专业人员,将房屋原样重建在嘉定区的西云楼商业街内,使“杜公馆”得以重见天日。

位于嘉定区西云楼商业街内的“杜公馆”
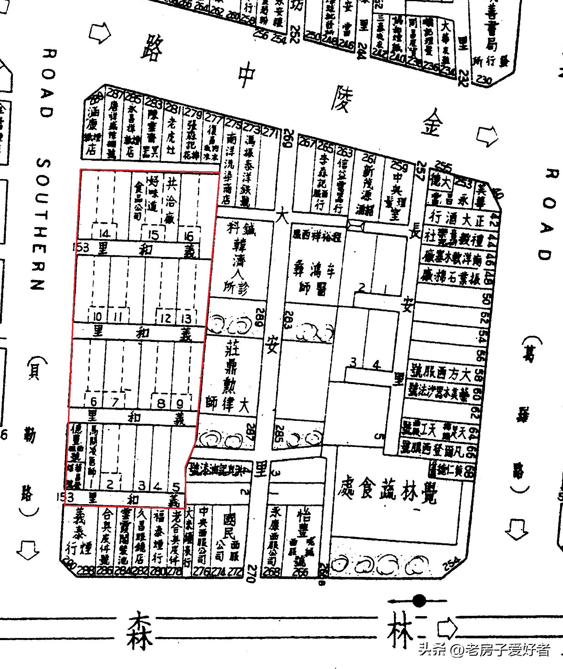
义和里
义和里位于贝勒路(今黄陂南路)153弄,原有建筑已全部拆除。

1948年版《上海市行号路图录》上的“义和里”(红色框内)
据1919年7月18日《申报》报道(见下图),上海学生联合会迁至贝勒路义和里14号。上海学生联合会是民主革命时期,中国*产党共**在上海建立的学生进步团体。1919年5月,上海学生联合会在上海成立,复旦大学学生代表何葆仁当选为会长。成立宣言申明*联学**的目的是:联合全国青年学生之能力,唤起国民之爱国心,用切实方法,挽救危亡。

1919-07-18《申报》
这里也是刘人熙先生寓所。据1919年3月25日《申报》报道,前湖南督军兼省长刘人熙先生于3月6日在贝勒路义和里14号寓所去世。

刘人熙
刘人熙(1844-1919),字艮生,号蔚庐。湖南浏阳人。清末民初政治人物,学者。
刘人熙为光绪三年(1877年)进士。曾任广西道员,后设立湖南中路师范学堂,又任政法学堂总办。辛亥革命、长沙光复后任湖南都督府民政司长,曾电促广西布政使王芝祥策动陆荣廷宣告广西独立。后返湘任湖南教育总会会长,创办船山学社。民国四年(1915年),反对大总统袁世凯复辟帝制。民国五年(1916年)6月,参与湖南各界驱逐号称”屠夫”的湖南军务督理汤芗铭的运动,7月被推举为湖南督军兼省长。后组织策进永久和平会,任会长,致书南北政府,要求停战。民国八年(1919年)在上海逝世。
据1923年6月15日《申报》报道,女革命家方君瑛,6月12日夜在贝勒路义和里寓所吞服大量*啡吗**自杀,经抢救无效于6月14日逝世。

方君瑛
方君瑛(1884-1923),福建省侯官县人,中国近代民主革命志士。
早年与弟弟方声洞等人留学日本,参加中国同盟会。1909年夏,在日本东京与汪精卫、黄复生、喻培伦等人组织中国同盟会*杀暗**部,设*杀暗**机关于横滨,聘俄国虚无*党**人为教授,准备回国*杀暗**满清政府的达官权贵。他们曾计划在汉口*杀暗**两江总督端方,在广东*杀暗**广东水师提督李准,在北京*杀暗**摄政王载沣,但都因故未果。辛亥革命成功后,汪精卫、陈璧君、方君瑛、曾醒等人结伴到法国留学,一同住在巴黎附近的蒙达尔城。1922年,汪精卫还邀请方君瑛赴广州主持为纪念朱执信而创办的执信学校。但当年许多一起参加革命的同志当了官后开始变节腐化。1923年6月12日,方君瑛对革命的前途感到悲观失望、意志消沉,在上海自杀身亡。她在遗书中写道:“为国事累卵,民苦倒悬,而同志泄沓弗振,社会尤腐败之极,自恨不能力济,只有死耳。”
另据《申报》记载:
二十年代民国参议院议员李希莲曾居住在义和里4号,这里也曾为关外旅沪国会议员俱乐部筹备处;
唐继尧代表李烈钧(1882-1946)眷属曾住义和里;
义和里16号曾是中国围棋会上海分会所在地,棋手在这里经常练习,并聘请围棋国手过旭初、过惕生、顾水如、刘棣怀等轮流指导。
博文女校

1919-11-02《申报》
1919年11月2日《申报》(见上图),刊登了“博文女校五周年纪念”一文,提到博文女校由钟佩萸黄绍兰创办。由此可以确定创办时间为1914年。

1915-09-18《申报》
1915年9月18日《申报》(见上图)记载,博文女校校舍已经迁至贝勒路礼和里。礼和里位于贝勒路(今黄陂南路)146弄。隔壁148号即是李白贝勒路电台遗址(见下文)。

1948年版《上海市行号路图录》上“礼和里”(红色圈内)
该校得到了黄兴夫人徐宗汉和章太炎夫人汤国梨等热心教育人士的鼎力支持,黄绍兰亲任校长,聘请黄兴夫人徐宗汉为董事长。博文女校于1920年停办。次年,黄绍兰得到著名实业家张謇之兄张詧的资助,博文女校得以复校,并搬至白尔路389号(今太仓路127号)延庆里。

1948年航拍图上一大会址、博文女校及其前期位置(礼和里)
李白贝勒路电台遗址
李白贝勒路电台遗址位于贝勒路(今黄陂南路)148号3楼。电台于1937年12月设立,报务员李白,化名李霞,以房东单志伊亲戚名义住3楼。电台使*党**中央的声音及时传达到上海,上海抗战情况等也能及时向*党**中央汇报。其通报时间为0-4点,这一时段空中干扰和侦探相对较少。1939年2月,该电台转移至蒲石路(今长乐路)蒲石村12号。
黄兴住宅
黄兴在上海的住宅大家比较熟悉的是武康路393号,其实,黄兴在上海的住宅不止一处。

1921-11-01《申报》
据1921年11月1日《申报》(见上图)记载,在黄兴逝世五周年时,曾在贝勒路黄兴住宅举行祭典活动:“黄克强谢世五周年纪念——昨日为民国先勋黃公克强谢世五周年纪念日,贝勒路黃公馆门首搭有花柏牌楼一座。孙文、谭延闿、彭介石、国民*党**总部等赠有花圈花篮多件,喻育之、毛一丰、张静庐、张志鹏、北城商界等赠有大镜架三座,致祭者有柏烈武、居觉生、张溥泉、谭延闿、翁吉云、汪剑农、孙镜亚、张静庐等十余人。黃一欧未到,由黃一美曁黃夫人宗汉及家属答谢来宾。”
另据李书城的夫人薛文淑回忆:当时黄兴的遗孀徐宗汉住在贝勒路的一处房子,请了一位湖南老先生当家庭教师,我便同她的子女一美、一球等一起从老先生补习功课,准备投考学校......
但是,这些回忆文章或报道都没有提及黄兴住宅的具体门牌号,所以不知道住宅确切位置。