上海一直有 贵在西郊,富在东郊 的说法。
碧云、东郊一向是浦东中环内的高端独栋、联排墅区聚集地,不过 近 几年供应很少 , 纯别墅项目 几乎绝迹。
2022年浦东一次性入市2个纯别墅产品,浦开江南里、宝地·东郊四季,目前入市房源已经售罄。
浦开江南里,容积率只有0.7,规划有中式合院产品;
宝地·东郊四季,容积率仅有0.67,规划有联排和叠加别墅。
2 个容积率0.7以内的纯别墅项目同步入市,这在上海非常难得。

要知道,2021-2023年一批次土拍,上海一共有169块宅地出让,这些宅地的容积率在1.2及以内的,寥寥无几。
其中, 11块宅地容积率为1.2,而低于1.2容积率的只有5块,占比约10%。容积率1以下的土地更是早已停止出让。
而这些容积率1.2及以下的宅地中,只有长宁西郊地块位于中外环间,其余全部位于外环外。

不得不说,除了存量房,今明两年想在中环内买别墅的几率,无限接近于0。
所以, 近五年来上海中环内的真别墅产品,都是可遇不可求的存在。
而今年浦东中环内一下子有三个纯别墅项目等待入市,包括 浦开江南里二期、汤臣金桥花园、浦开E1b-05、E1d-01地块 ,实在难得。

为大家带来了这3个纯别墅项目最新实探!

汤臣金桥花园
汤臣金桥花园北侧临锦绣东路, 再往北就是碧云别墅区 ,西侧是云山路,隔云山路是云间绿大地,再向西就是内环。
项目南侧是张家浜, 东郊宾馆、合生东郊别墅、东郊壹号、华洲君庭、在建的浦开江南里 都在这里。
西南方向则是 汤臣上海浦东高尔夫球场和汤臣高尔夫别墅。
位置大致如下:





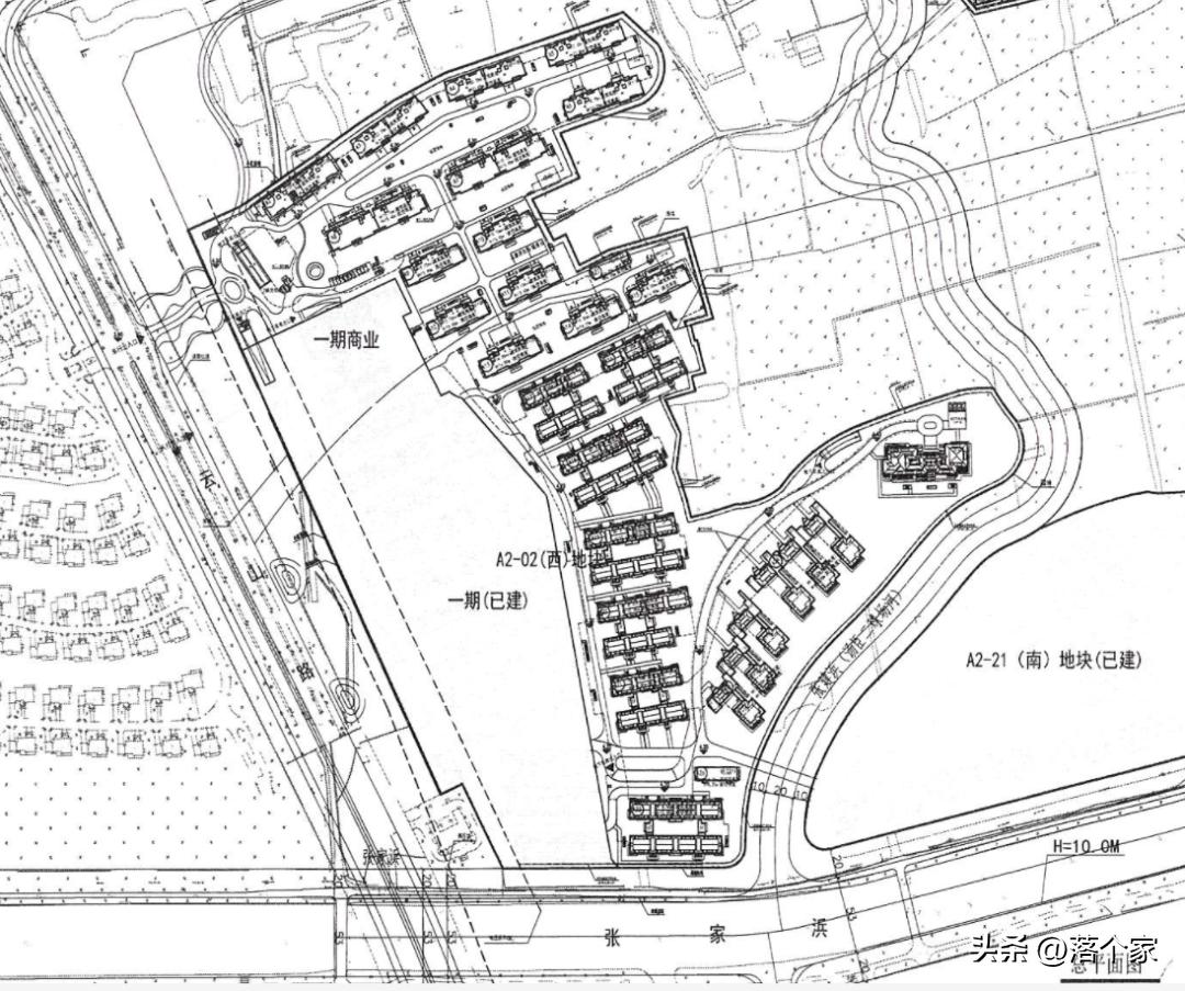
汤臣金桥花园一期主体已经建好了,绿化也陆续上线,目前已接近现房。
项目规划有共43幢低密度住宅,均为地上2层带阁楼和地下室,另外还配一个会所及配套设施。

面积仅供参考:

另外汤臣金桥花园在南侧也有一块地,已经造好:

这块地的别墅面积如下:


除此之外,汤臣金桥花园还有待建部分。
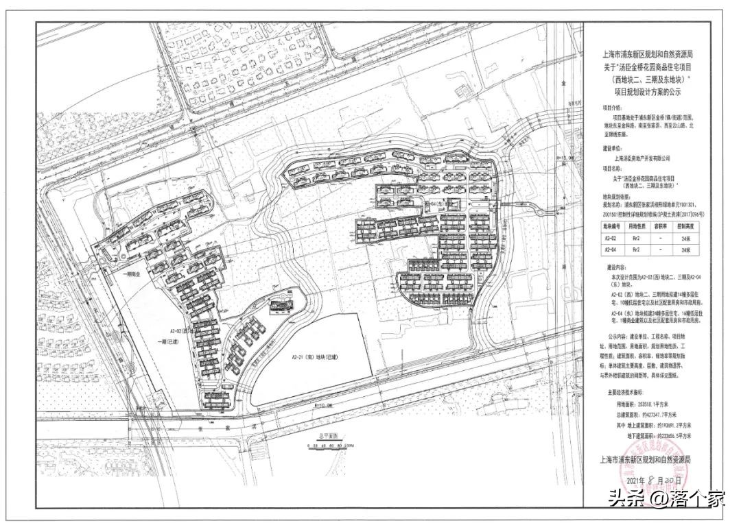
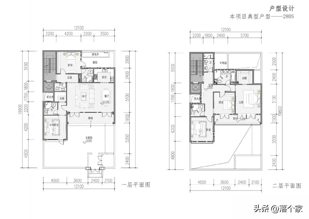
汤臣金桥花园商品住宅项目(西地块二、三期及东地块) 规划设计方案已公示, 分两个地块,即A2-02(西)地块二、三期和A2-04(东)地块。
来看一下规划:

A2-02(西)地块二、三期紧邻项目的一期,已有动工的迹象。
该地块限高24米,拟建14幢多层住宅、10幢低层住宅以及社区配套用房和市政用房。
根据规划图,北侧应该是6-8层的洋房,南侧应该是联排或者叠加。

A2-04(东)地块, 限高24米,拟建24幢多层住宅、16幢低层住宅、1幢商业建筑以及社区配套用房和市政用房。
根据规划图,北侧是6-8层洋房,南侧是联排或者叠加,以及部分合院。


浦开E1b-05、E1d-01地块
据房团群友爆料,浦 开E1b -05、E1d-01地块预计推出 建面约170㎡叠墅, 约195㎡联排, 约210㎡联排, 约280㎡独院。
项目位于 宝地东郊四季的南侧,后者13.1万的价格具备参考性。


群友爆料的全 套户型图如下: (过程稿,仅供参考以开发商正式发布为准)
建面约280㎡独院






建面约210㎡联排






建面约195㎡联排






建面约170㎡叠加

下叠端户
上叠端户
地下空间

项目的定位是 酒店化带有东方文化的城市别墅。
设计上最大的3个亮点我认为是:
1、整个社区的颜值主线透露着国际化的时尚,又兼具东方韵味。
高清效果图如下:







2、项目规划九园十五坊的空间礼序,仪式感拉满!

里弄之间和建筑之间的效果图如下:








3、酒店化居住体验,地上地下双会所!

售楼处和会所高清效果图如下:









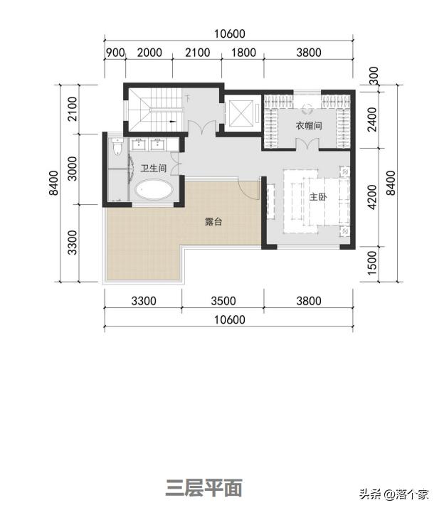
浦开江南里
浦开江南里紧邻内环,西面是汤臣高尔夫,东面是东郊宾馆。
再聚焦,整个项目被一座待建的体育公园三面环绕,该体育公园占地面积达14.4万平,其中80%为绿地,20%为体育运动设施。
显然, 项目的生态氛围是一流的,而且在内环旁占有如此丰富的绿地资源,收藏价值不言而喻!

项目产品并非市面上常见的新中式,而是 中式古典别墅!
这样的产品在上海非常少见,上一个还是浦江镇的桃花源 , 产品辨识度很高。



项目本身是容积率只有 0.7的纯墅区 ,整体限高10米,中式园林的仪式感和规制,项目诠释的非常好。





户型方面,项目最小的别墅建面约190平,最大的别墅建面约达到1200平,共248套房源。
需要注意的是,项目550平的只有2套,1200平的只有1套, 主力面积段集中在190-350平,主力总价段集中在3000-4000万。
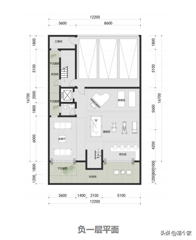
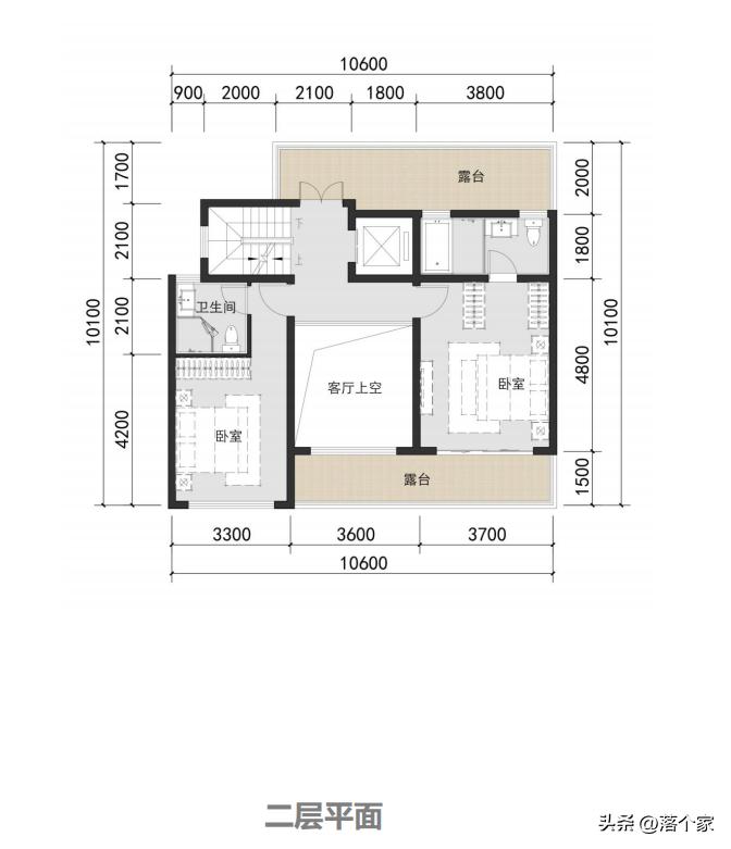
网传的户型分布如下,仅供参考:

网友爆料的户型图如下: (仅供参考,以开发商正式公示为准)












张家浜规划
最后附上张家浜楔形绿地的解读:
01
什么是楔形绿地?
张家浜楔形绿地站位又有何不同?

名词解释:楔形绿地
城市绿地相关的种类很多,有中央公园、楔形绿地、绿带、生态廊道、防护绿地等等。从概念上来看,楔形绿地是指从城市外围嵌入城市内部的绿地,因反映在城市总平面图上 呈楔形 而得名。
那上海有哪些楔形绿地?
早在上海1999版总体规划中,上海确定了八块楔形绿地,张家浜楔形绿地就是其中之一。

当然这已成为过去式,最近上海调整了楔形绿地的数量,现在一共是 10块 :

补充的两个分别是吴淞江楔形绿地 (位于苏州河与外环绿带交界处) 和吴淞楔形绿地 (位于黄浦江与外环绿带交界处)。
为什么要补这两个?
其实反映了上海市最新的总体规划对绿道结构的设想,也就是下图 外环绿带与外环内十字绿道构成的“田”字形结构:

构成十字绿道是南北向的黄浦江,浦西为苏州河,浦东则是张家浜。而补充的楔形绿地分别位于西、北两个交点,可见这一十字绿道的重要性。
张家浜楔形绿地则位于“田”字结构的东交点 ,注定将成为浦东最重要的楔形绿地之一。
另外, 它还是金色中环带的重要组成部分 。
浦东新区十四五规划是这么解释金色中环发展带的:
金色中环发展带:浦东新区“十四五”时期生产力布局的重要发展带之一,沿中环线推动重点板块联动发展。沿线串联前滩中央活动区、张江城市副中心、金桥城市副中心,张江集电港、御桥区域、 新杨思区域、三林环外区域和沪东区域等潜力地区, 同时还包括多个特色产业园区和3片楔形绿地。
事实上,浦东的发展离不开两个重要的“环”。一是 “黄金中环带”,二是沿外环有一条“外环绿带”。

建设目的和标准不一样 ,这也决定了楔形绿地是城市中最高标准的绿地之一。
所以,早在2015年,张家浜楔形绿地的概念设计就由国际超一流的设计团队SASAKI完成,足以体现对这一区域的重视。

02
张家浜到底属于哪个板块?
位于两强间,发展既要看金桥又要看张江
严格来说,张家浜并不是一个独立的“板块”。目前,通常说的张家浜板块仅在2017年作为一个整体进行了控制性详细规划的修编。
这一范围包括了 金桥、张江和唐镇 等板块的一部分,位于这些板块的交界处。
那么,张家浜究竟属于哪个板块呢?张江or金桥or唐镇?
首先,我们需要找到一个相对可靠的板块划分方式。
这一点,上海市主城区 “单元规划” 具有很高的参考价值,因为“单元规划”中,单元内所有建设指标都是在单元内进行总量控制和平衡的,是上海城市规划管理的重要途径。

04
除了楔形绿地,张家浜还有哪些发展要素?
对张家浜地区来说,轨道交通一直是短板,参考轨道交通三期建设规划和上海市十四五规划, 轨道交通的建设对张家浜地区将会有很大提升 。

首先是 14号线 ,14号线连接了真如、静安寺、陆家嘴等关键地区,填补了张家浜轨道交通的短板。尤其是 浦东足球场站 和 金粤路站 ,直接服务于张家浜北部居住组团,这一片区的通勤便捷性将有很大的提升。
其次是 21号线 ,连通了金桥副中心和张江副中心两大重点区域,纵向穿越张家浜地区,对张家浜地区的住宅是一个很重要的利好。

浦东足球场及其附近的商业用地构成了张家浜重要的商业和公共活动区。

浦东足球场由久事集团作为建设主体,德国HPP建筑事务所与华建集团上海院合作设计,依照FlFA国际足联*级A**赛事标准要求设计、施工。英雄联盟职业比赛和2023年亚足联中国亚洲杯会徽发布暨首座专业足球场揭幕仪式都在上海浦东足球场举行,可见其地位。
此外,其周边共配套了 三块商业商办类用地,共计20公顷左右,有可能带来约30-70万方的新增办公建筑 ,对未来这一片区的产业综合发展也有一定的好处。
最后,金桥副中心土地腾笼换鸟、产业质量大幅改善是其进一步发展的核心动能。 规划新增了大量的商办类建筑和高质量产业用地 (图中紫色波点的地块),逐步替代原有的工业用地,推动金桥产业进一步升级。
根据最新公示的金桥副中心核心区控制性详细规划局部调整,我们可以看到 有大量的更新商业量 ,根据笔者的简单计算:
商业的实际占地面积达到了12.56公顷,对比前滩的商业占地面积是16.54公顷,可以说也是配置很高了的!相应的商务办公功能也同时会具有相应的能级,最高的建筑高度要求高达330米(比北外滩规划中的第二高建筑300米还高一些)。
从这两个数字我们就能遇见金桥副中心未来的商业商务能级的段位了。

总 结
张家浜的核心优势是高质量楔形绿地带来的高品质城市空间,有望成为下一个更大、配套更新的碧云。
其次,张家浜板块还有三大看点:
一是在产业用地占主导、产业能级很高的张江、金桥板块中间,组团完整、配套完善的居住用地十分稀缺。
二是轨道交通建设和浦东足球场等高等级公共要素导入将为张家浜地区整体能级带来提升。
三是在产业功能升级趋势强劲、热岛效应严重的高密度城市地区,楔形绿地对生态改善的价值将得到最大程度的发挥,兼顾了高水平的产业和宜居的环境。