近日
有网友询问市民公园何时完工
官方回复称:
☟☟☟
市民公园为2017年城建重点工程,项目采用PPP模式建设,社会资本方为深圳铁汉生态有限公司,目前*迁拆**已完成80%,正在推进地形整理和苗木栽植。
市民公园简介
市民公园西起旭阳路,东至临沂路,全长7公里,在兖石铁路北侧、迎宾路南侧,占地1800余亩。市民公园分A、B、C、D四个区,目前主要推进D区建设。该区占地面积约350亩,位于公园的最东端,西起兰州路、东到临沂路,南接铁路,北靠迎宾路。该区规划建设运动场地、儿童游乐园、水系休闲区以及咖啡厅等临水建筑物。其中有1个7人制足球场、3个篮球场、3个网球场、2个门球场、3处乒乓球场地等设施,水系与沙墩河相连。就目前进度看,D区不久或将开园。
除市民公园之外
日照还有以下公园也在建设中:
体育公园
日照体育公园项目位于菏泽路以西、沙墩河以东、市图书馆北侧,包含全民健身综合馆、室外球场、全民健身广场、健身步道、配套商业和地下车库等设施,占地约12万平方米,建筑面积约10万平方米,概算投资8.6亿元。项目建成后,将成为我市最大的健身中心。

目前,该项目已完成土方开挖和基坑支护、基础筏板施工,基本完成车库主体结构施工。其中南区正在进行地上部分体育场馆主体结构施工;北区计划今年6月底前完成部分室外体育设施建设,将有4个笼式足球场、8个全场篮球场、2个半场篮球场、2个门球场交付使用,对市民开放。
高新区公园
高新区城市生态公园项目位于兖州路以西,富阳路以东,高新六路以南,聊城路以北,规划占地面积约7.9 万平方米,绿地和慢行道路系统贯穿整个场地,整个公园将被细分为3个景观功能各异的分区,设有5个出入口、2个停车场及2个公共卫生间,生态区景观湖面积约3000平方米,营造不同的场地特色,既是滨水绿地,亦是休闲运动拓展区,为附近居民提供一个轻松优美的健身娱乐环境。

罗山公园
用地位置:项目位于安岚大道以西、秦关庄社区以南
总用地面积:286552㎡
净用地面积:276522㎡
代征道路、绿地面积:10030㎡

亲子公园
用地位置:项目位于岚山路以南、金牛路以西
用地面积:331841㎡

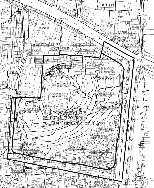
砚台山
砚台山公园位置:项目位于圣岚路以南、凤阳路以西
总用地面积:88499㎡
净用地面积:71200㎡
代征道路、绿地面积:17299㎡

石臼公园
石臼中心公园计划在海滨二路西侧、天津路南侧建设,目前项目即将开建。
五莲路
五莲路社区公园位于莒州路北、威海路西,在胶南路五莲路至莒州路段两侧,总用地面积约6.5万平方米。配套建设一处卫生中心,预留养老院一处;配套建设室外门球场、篮球场、羽毛球场、排球场等健身体育设施,极大的方便了周边居民健身需要;

当然,日照的美丽还要有公园绿地的衬托
文登路绿地公园
文登路绿地位于文登路与黄海二路东北角,占地面积约3400平方米。工程于2018年5月21日开工建设,在绿地建设过程中,坚持以绿为主,以植物造景为主的设计理念,对原有地形进行了处理,铺设园路,增加廊架、座椅等休闲设施,满足周边居民饭后散步、小坐或儿童的游戏等需求,共铺设园路、塑胶路面500余平方米,安装健身器材4套。
望海路绿地
望海路绿地位于望海路与华阳路交会处西北角,占地面积1700余平方米,该公园的建成有效改善了周边的生态环境,也为市民提供良好的休闲游憩场所。

(网络配图)
威海路绿地
威海路绿地位于济南路以北,威海路以西,占地面积约1700平方米,工程于2018年4月26日开工建设。

文曲园绿地
文曲园绿地位于营子河北岸,日照路西,占地面积约 2800平方米,工程于2018年6月19日开工建设。

教育局绿地
教育局绿地位于日照路西,山东路南侧,占地面积约 3100平方米,工程于2018年6月19日开工建设。
劳动局绿地
劳动局绿地位于兴海路北、东关南路以东,占地面积约4800平方米,工程于2018年6月19日开工建设。

(网络配图)
东港区2018年计划建设39处公园绿地,
面积20.18公顷,概算投资1亿元。
具体名单如下:

日照的环境将会越来越好
你期待她的变化吗?


