亦庄河西区X92R1和X92R2又两个住宅地块被挂出,上拍日期定在了6月21日。加上目前板块里已有的四个限竞房项目——已经开盘的和悦华锦与金隅金麟府、去年10月拍出的两个地块,整个板块内已经有6个限竞房项目比邻而居,未来将供应6000套房。

6000套房,将这个板块最大的优势——人大附所带来的学区优势极大稀释,更何况周边还有海梓府、亦庄金茂府等大体量在售项目,以及南海家园等二手小区。
事实上,板块内除了去年最先开盘的和悦华锦借助人大附优势,一举夺得去年限竞房销售亚军之外,紧随其后,今年1月开盘的金隅金麟府业绩就“一落千丈”,目前为止网签仅61套。
方寸之间如此大的供应,学区优势又被稀释殆尽,亦庄河西板块今年或将陷入价格战。
1
亦庄河西区如今已形成限竞房同质竞争的红海态势。算上新挂牌的这两宗地块,整个区域目前共有6个限竞房项目/地块,大致可分为三波。
第一波是已经开盘的和悦华锦与金隅金麟府,目前都在顺销;第二波是去年10月拍出的金隅地块和金茂+中铁建+路劲联合体地块,目前金隅地块公示了项目规划,金茂等地块案名确定了,定为西派公馆;第三波就是今年6月份要上拍的这两个地块,按照目前开发商的推盘节奏,这两宗地块也会在明年入市。

已经开盘的和悦华锦与金隅金麟府。
和悦华锦
它是去年限竞房销售榜的亚军,同时也是目前6个项目/地块中,体量最大的一个,共有18栋楼、1831套房。截止到今年4月底,项目共完成网签611套。
和悦华锦是一个纯洋房社区,建筑层高为6-8层,整体的居住环境较“高低配”小区更纯粹一些。目前在售户型为89平米-135平米三到四居,总价最低可到420万。项目一期交房时间为2020年12月31日。
金隅金麟府
19年1月开盘,是区域内第二个开盘的项目。项目由10栋6-11层洋房组成,共562套房。此外 小区还规划有1个幼儿园。
项目户型为57平米-141平米一到四居。一居已售罄,在售户型为74-141平米两到四居。目前项目推出了部分特价房源,包括83平米两居和89平米三居两种,单价降到了4.9万左右,优惠了3000元左右,总价406万起。
其中,83平米两居位于1号楼,为东西向设计,采光稍显不足,还是刀把户型,比较不错的是全明格局;89平米三居,这也是项目的主推户型,户型中规中矩,是市场比较普遍的三居设计。南北通透,但卫生间仅有1个,还是暗卫。


地块已拍出暂未开盘的西派公馆和金隅地块。
西派公馆
该项目地块在18年10月拍出,由中铁建、金茂、路劲联合打造。项目采取7层—18层高低配设计,预计推出10栋住宅楼共1137套房源,主力户型为80㎡东西向两居、89㎡三居、150㎡四居,户型图目前还未公布。

项目除了住宅产品,还将配建小型商服和250平米的室外运动场,以及托老所、老年活动中心等基础设施,配套还算不错。
项目目前暂未有其他新动作。此前网传说该项目会是金茂操盘,但帮主上周五在某商业网站看到了该项目的详情页,项目介绍中写的是“中铁建亦庄项目”,开盘时间写的是预计8月份。不过就在刚刚过去的周日,帮主再点击该详情页时,却显示“该网页不存在”。
金隅地块
它与西派公馆地块同日拍出,目前还未确定案名,但规划出来了。规划8栋住宅楼,总共990套房。户型有四种,分别是136.89㎡、87.64㎡、81.38㎡、86.58㎡,据说得房率均在80%以上。
此外,该地块还将会配建200平米的室外活动场地,还有配套商业和再生资源回收点。

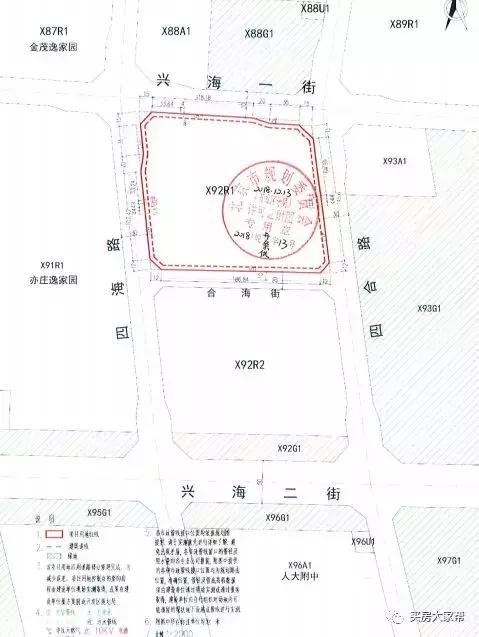
新挂牌的X92R1、X92R2两宗地块。
在限价上,二者相同,两地块的商品住房销售均价不超过 54160元/平米,且最高销售单价不超56868元/平米。而且两宗地块的位置相差也不远。它们南北相邻,中间仅隔着一条合海街。称得上是“兄弟地块”。

1、地块属性简单,两个地块都是无任何配建的纯住宅用地。


2、产品上都已小户型为主。两宗地块均需执行70/90政策,所以主力产品还是90平米及其以下的小户型。并且每宗地块控高均都是45米,预计规划15层左右的高层产品。
3、供应规模上,基本都在800多套。X92R1地块的建筑控制规模为80251.82平米,以90平米面积计算,大概供应890套左右;X92R2地块建控稍小,为78549平米,以90平米计算,大约提供870套房源。
4、楼面价均为2.8万。X92R1地块起拍价为22.5亿元,楼面价为28037元/平米;X92R2地块起拍价为22亿元,楼面价在28008元/平米。
2
说完项目我们再看下区域的市场情况。
首先,库存大,去化效应降低。
板块内的6个限竞房,总供应房源超过了6000套,除却和悦华锦与金隅金麟府网签的672套,还有超5000套房在售和待售。
就去化而言,整体并不理想。虽说和悦华锦成为了18年限竞房销售榜的第二名,是一个去化不错的明星盘,但它目前的网签率也只有34%。同区位的金隅金麟府,去化更不理想,网签61套,网签率不到11%。接下来还有4个项目近4000套房等待入市,它们的去化不出意外也是一个难题。
其次,价格涨了,品质降低了。
新推出的这两宗地块,限定均价为54160元/平米,比此前拍出的四宗地块均价(52695元/平米)涨了1465元/平米。
不仅价格涨了,项目的容积率也在变大。最早的和悦华锦与金隅·金麟府,两项目的容积率为1.8,此次新挂出的两宗地块容积率升到了2.2。高容积率,最直接的影响就是拉低了居住舒适度。
与区域内普通二手房房价相比,限竞房在价格上并无优势。比如金隅地块北侧次新的南海家园,均价在3.7万左右;泰河园一里一区,09年建成,二手房价4.2万左右。周边次新的亦庄金茂悦南区价格较高,在6万左右,但该项目是一个高端盘。
另外,人大附的教育优势被稀释。
就目前配套来说,亦庄河西区最大的优势就是人大附的落户。比如最早开盘的和悦华锦,除了自身产品外,与人大附一街之隔的区位优势,可以说是吸引客户的最重要因素。
但现在,人大附的优势正被慢慢稀释。随着限竞房房源不断增多,生源也将随之增加,但学校可接收的学生数量是一定的,这也意味着即使为了学校来买房,将来也会有不少孩子是没办法进入人大附的。更何况,依照北京中小学“多校划片”的趋势,未来这6个限竞房能不能被划到人大附的学区范围里,都还是一个未知数。