顺达地产又有新盘了,不过是在澄海区,而有关注汕头楼市的你应该对这块地不会陌生……
近日,汕头市顺达金泽房地产有限公司向澄海区城乡规划局申请《建设用地规划许可证》,拟建设澄海区东港路西侧住宅楼项目,实用地面积8110.6平方米(折合12.166亩)。

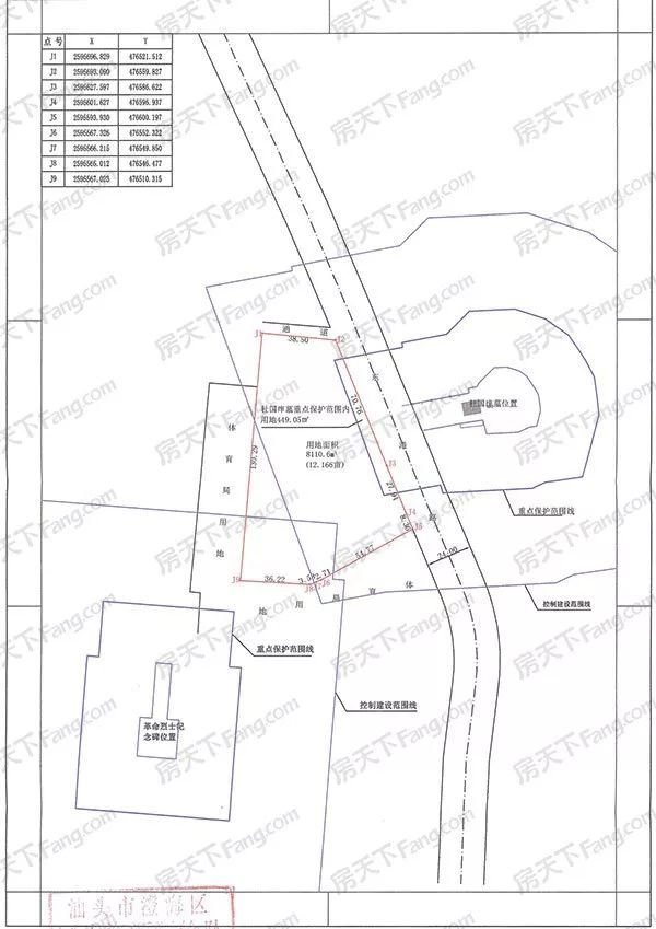
用地红线图(土拍公示版本)
没错,这个顺达新盘就是曾流拍两次的东港路地块。该用地经过两次流拍后,加价成功出让,由顺达地产以4453万元竞得,折合楼面价1716元/㎡。

土地成交现场公示
根据此前公示,顺达东港路项目规划容积率>1.0、≤3.2,计容总建筑面积不大于25953.9平方米,不小于8110.6平方米,建筑密度≤35%(含商务≤50%),绿地率≥25%,建筑限高45米。因受烈士纪念碑与杜国庠墓限制,项目建设要求较为复杂,部分用地只能进行*物文**保护工程,其形式、高度、体量、色调等必须与*物文**保护单位的历史风貌相协调。

用地实景图
从地图、街景等网上资料来看,从居住心理上来看。顺达东港路项目用地邻近的烈士纪念碑、杜国庠墓等较为特殊的用地设施,而且门前道路狭小交通看起来不太方便,让我们的感觉并不太好。

玉佛寺、杜国庠墓等

东港路狭小,高峰期易堵
房天下实地走访后发现,如果项目自身规划恰当、定价合理,仍会成为区域内较为热门的新房。

项目区位图
因为,顺达东港路项目周边的生活设施是较为成熟的。东港路沿路以厂房、平房为主,零零散散的分布着饮食店、小超市、理发店、药店、旅馆等生活配套。项目西侧是篮球场,南侧还有游泳场,设置有泳池、足球场等设施。

周边配套
由东港路往四周片区走去,(尤其是西侧、北侧),都是非常成熟的居住区,幼儿园、中小学、生活市场、银行邮政等生活配套基本都在1公里范围内可以找到。

周边配套
除此以外,顺达东港路项目最大优势在于西侧还有一个大型公园——澄海人民公园。应该说,在澄海城区范围内,如此大型的公园绿地只此一处。根据相关控规,未来项目北侧也计划建设为公园绿地。

澄海人民公园
至于大多数人最为不喜的殡仪馆,相关规划草案显示将近期保留,远期择址搬迁。搬迁后用地将作为杜国庠墓的一部分,再建设一个杜国庠纪念公园。同时,周边也将结合三旧改造进行整片开发,大面积布置容积率在3.5-4.0、建筑限高在20-40米的住宅用地,配套商业、幼儿园、小学等设施。
片区规划
另外,现在拥挤的东港路也有规划拓宽至24米。东港路是澄海旧城区一条比较重要的城市道路,链接莱美路与旧城区,增加车行道的宽度,将大大改善道路的通行功能。

最后,问题来了!这个新盘定价多少您愿意下手呢?

往期回顾
冷淡期的汕头土地市场 本地房企在“角斗”中进入新局
捷美生活|这个不在香港的社区 却玩起了智能八达通
记录2018|汕头楼市白皮书政策篇 公积金C位不可忽视
这家房企为何长期问鼎汕头销冠?品牌实力和产品缺一不可
今日楼市大老热认筹、开盘、开展厅和维权一块儿来了看都看完了,还不点这里试试