
在北海的西北,原本有一座北海中学,2005年改成了北京四中初中部。
这里其实是1990年2月23日——也就是30年前——北京市政府公布的第四批市级文保单位——盛新中学与佑贞女中旧址,如今已是全国重点文保单位。

这所学校位于教场胡同,原本是明清时期操练*队军**的教场,明朝几代皇帝曾在这里嬉笑玩闹,观宦官内操;清乾隆帝曾在这里立了一座“下马必亡碑”,饱含着帝王的忧患意识。
如今,宅在家里的你,不妨静下心来,跟我一起“云游”这所学校,看看这处全国重点文保单位有哪些过人之处?
内教场西侧 美轮美奂的元代兴圣宫
据了解,盛新中学与佑贞女中旧址所在地,最早的记载见于明代,称内教场。其实在元代时,虽无教场,但毕竟地处内城,而且离城中心(琼华岛太液池)不远,西边不远就有一处宏伟华丽的宫殿群——兴圣宫。

元代兴圣宫复原图
元初定都大都,“右拥太行,左挹沧海,枕居庸,奠朔方,城方六十里,十一门”。没有想到的是,和明清时期的故宫不同,元代皇城内的宫殿竟然是分散的!
太液池东岸建大内,大明殿为前朝,延*宫春**为后宫,北部为御苑;西岸分布着两处宫殿,北边是兴圣宫,南边是隆福宫。于是,三宫鼎峙,形成了以太液池为中心的宫苑区。
三宫四周又围以萧墙,也称红门拦马墙。明清时期,墙内便是整个皇城。

元大德十一年(1307)元成宗去世,宗室内乱。成宗的侄子海山在其母协助下登上帝位,即元武宗。武宗即位后,感念母恩,于至大元年(1308)兴建兴圣宫。
据元人陶宗仪的《辍耕录》记载,兴圣宫四周围以砖垣,共设六座红门。中轴线上有两组院落,前院以兴圣殿为中心,后院以延华阁为中心。
其中前院布局与大内的大明殿大致相同,轴线上依次布置兴圣门、兴圣殿、柱廊与寝殿。入兴圣门正对的就是兴圣宫的主殿兴圣殿,两重白玉石砌陛基,朱红栏杆,白瓷瓦覆顶,碧琉璃饰脊,色彩明艳,极尽奢华。

▲ 元代宫殿建筑以白瓦为主绿琉璃饰脊,没有找到相关建筑的资料,但找到了一个金元时期三彩松下观瀑图枕,颜色搭配大概是这样。图源网络。
元人袁桷曾这样描述兴圣殿:“旭日苍龙,耸帝京之积翠;层霄彩凤,流阿阁之霏烟。”
后院主殿为延华阁,依旧是白瓦覆顶,碧琉璃瓦饰脊,“规制高爽”。此外还有浴室、盝顶井亭、盝顶房、畏吾儿殿、窨花半屋、木香亭等建筑,亭台楼阁,小桥飞瀑,奇花异树,极为雅致。

元大都宫苑图考 元兴圣宫图,1930年商务印书馆发行,高密、宋麟徴绘图,阚铎编著,图源网络。
武宗在位时,兴圣宫一直皇太后的居所,1323年太后去世后,便成为了太子以及后妃的居所。
可惜的是,七百年后的我们无从得知,这样一处美轮美奂的元代宫殿为何片瓦无存,只能从文字中想象当时的盛景了。
明代内教场 皇帝观宦官内操之地
到了明代,皇城西部再没有兴建宫殿,而是成为了库房,如今的西什库便是证据。
而在西什库以东,如今的盛新中学与佑贞女中旧址,则被辟为内教场。

▲ 明嘉靖三十二年北京城地图上的内教场和虎城。
之所以名字中带一个“内”字,一是因为操练之地就在皇城内,二则操练演阵的士兵除了边军还有一部分是内廷宦官,这也是明代独有的,称“内操”。
宦官何以能够在皇城之内习武?何以能在皇城之内进行大规模地军事训练?何以能够守卫皇城及京城各门?
一是因为明朝的皇帝们不信朝臣,更信重宦官,于是宦官势力逐渐发展壮大;二是因为明武宗好武逞勇,特别欣赏孔武有力之人,在皇城内大搞操练,内教场就是在这时建起来的。

明武宗朱厚照,图源网络。
另外,明武帝不仅好武成性,还喜欢看猛兽搏斗,于是便在内教场附近建起了虎城和豹房。
他命各地进献虎豹供他玩乐,甚至在边关战事危急之时,命军士丢下边防去进深山捉虎豹。此外,武宗还亲自到虎舍之中与虎嬉戏,但这只丛林王者却并不领他这位人间王者的情,他也险些因此丧命。后来虎城所在逐渐形成了虎城胡同,就在爱民街以东,后又圈入划归部队大院,现已无存。

1914年北京地图中的教场以及虎城。

最新北平大地图(解放版)中的教场以及虎城。
与虎城相比,豹房则显得名不符实,豹子一只也没有,却满宫室都是美人。后来,还从河间各府选取技艺精湛的乐工伶人入宫承应。于是,整座豹房歌舞升平、美人充栋,番僧道士出入其中,武宗在这里醉生梦死。最后,年仅31岁的他也因*情纵**享乐而死在了豹房。
武宗去世后,边军入操随之夭折,但宦官内操却并没有销声匿迹,甚至直接延续到了明朝的灭亡。
开设内操的本意是“拱护朕躬,肃清紫禁”,加强皇权。结果皇权没有加强,却加强了宦官的权利,反倒对皇权构成了极大的威胁。

天启年间,魏忠贤(剧照)就曾开设内操,声势浩大,最多时达上万人,图源网络。
此外,操练所耗银两甚巨,万历年每年“增内操银九万两”,天启时内操人数为万历时的数倍,所耗银两更巨。反观那些真正在边关打仗的士兵们,则是经常好几个月发不下来饷银,饥寒交迫,于是边关哗变不断,许多还与农民军结合,揭竿起义。这样看来,抢了*队军**饷银的内操,对明末政局江河日下不无影响。
内操*队军**虽名为“天子亲军”,实际上却并没有什么战斗力。毕竟,宦官“安居美食,筋力柔靡”,本来就不是能战之人。
另一方面,皇帝们操练宦官,也多是出于嬉耍。比如武宗观内操是“以态驰骋,供嬉敷。”神宗则是因为观内操军“甲队之齐、羽旄之美”而“乐此不倦”。熹宗是让宦官、宫女左右列队,各执龙凤旗帜,混杂操练,形同儿戏。
而这样训练出来的内操军“没遇健卒劲骑,立见披靡。”当李自成的*队军**勇猛攻城之时,那些被崇祯帝委以厚望的内操军,所做的竟是抛下兵器、开门投降。

明朝的末代皇帝崇祯帝,在绝望之中,也只能登上了昔日内操的教场——万岁山(景山),自缢身亡。而曾经被他倚为信服的内操兵,也一并退出了历史的舞台。

可惜的是,如今景山“明思宗殉国处”的歪脖树是1981年补种的,而原来的那棵早已荡然无存,图源网络。
清代侍卫教场 立有下马必亡碑
清代,内教场改称教军场,简称教场,是操练*队军**之地。

乾隆十五年,京城全图上的北海西北隅的教场称西苑教场,图源网络。

光绪元年(1875)北京全图上的西苑教场,图源网络。
乾隆十七年,教场内立起一座“下马必亡碑”,同样内容的石碑(形制不同),如今还能在故宫箭亭、紫光阁和国图分馆找到。

北京四中初中部校园内的下马必亡碑,图源@天下人物。
满清八旗定鼎中原,历代皇帝重视骑射,并将“国语骑射”定为“满洲之根本,旗人之要务”。
乾隆帝自幼受康熙帝栽培,多次与康熙行围射猎,弓马骑射技艺不凡。据《啸亭杂录》记载,乾隆到每年秋天,天气肃爽之时,便在畅春园习射,“发二十矢,中者十九,侍从诸臣无不悦服”。在行围打猎中,“亲射野猪麋鹿,矢无虚发”。

熊见了他都要瑟瑟发抖,图为《乾隆皇帝殪熊图(局部)》,图源网络。
乾隆帝即位时,距满清入关已近百年,天下承平日久,满人们难免骄逸自安,逐渐将弓马之技废弛了。乾隆十四年(1749)五月,在一次文职人员引见中,乾隆帝发现他们“弓力软弱,发箭多不能及靶”,十分恼怒,认为这是“平日不事操练所致”。
另外,有旗人女子仿效汉女装束,还有满洲官员“薰染汉习,每思以文墨见长,并有与汉人较论同年行辈往来者,夫弃满洲之旧业,而攻习汉文,以求附于文人学士。”更有甚者,将满洲姓氏弃置,改钮钴禄姓为郎姓。
乾隆帝深感八旗子弟风气不正,更感到满族的骑射、国语、服制等有失传的可能。乾隆十七年(1752),在重温了《太宗实录》后,乾隆帝下旨(节选):
“衣服语言,悉遵旧制;时时练习骑射,以备武功。
虽垂训如此,后世之君,渐至懈废,忘其骑射。至于哀宗,社稷倾危,国遂灭亡。
乃知凡为君者,耽于酒色,未有不亡者也。
先时儒臣巴克什达海、库尔缠、屡劝朕改满洲衣冠,效汉人服饰制度。朕不从,辄以为朕不纳谏。
朕试设为比喻,如我等于此聚集,宽衣大袖,左佩矢,右挟弓,忽遇硕翁科罗巴图鲁劳萨挺身突入,我等能御之乎?
若废骑射,宽衣大袖,待他人割肉而后食,与尚左手之人何以异耶?
朕发此言,实为子孙万世之计也,在朕身岂有更变之理。
恐日后子孙忘旧制、废骑射、以效汉俗,故常切此虑耳我国士卒。”
简而言之,就是告诫满族旗人不可以骄逸自安,废弛弓马,生疏母语,这些都是满族乃至大清立足中原的根本,一旦荒废,可能会导致*国亡**。
此外,乾隆帝还命人将此谕令刻成《训守冠服国语骑射碑》,分别在紫禁城箭亭、御园引见楼(圆明园)及侍卫教场(北海)、八旗教场(紫光阁),“以昭肤诏述推广之意”,使诸王贝勒和八旗官兵“咸知满洲旧制,敬谨遵循,学习骑射,娴熟国语,敦崇淳朴,屏去浮华,毋或稍有怠惰”。
因此谕旨的深刻含义,刻有此谕旨的石碑便有了两个别称:分别是“下马必亡碑”和“居安思危碑”。

▲ 左为侍卫教场(今北京四中初中部)立碑,右为御园引见楼(即圆明园山高水长训守冠服国语骑射碑,位于今国家图书馆分馆)立碑,图源网络。


上为紫禁城箭亭(今故宫箭亭)卧碑,下为八旗教场(紫光阁)卧碑。
这里的“侍卫教场”,指的就是当时北海的西苑教场、如今北京四中初中部校园所在地。上世纪30年代,石碑曾移至北海公园,2005年后重新回到了校园内。
民国弃武从文 改为两所教会学校
近代,随着国门洞开,西方传教士进入北京,为传教而开始办学,他们从启蒙教育入手,兴办初等教育。
1900年,八国联军侵占北京,迫使清政府签订了《辛丑条约》,西方传教士也加紧了对中国的文化入侵和渗透,教会学校逐渐增多,一二十年代北京先后办起了十几所中学,教会中学有基督教办的育英中学、贝满女中、汇文中学、慕贞女中、崇实中学、崇慈女中、崇德中学、笃志女中、萃文中学、萃贞女中以及才正、同仁两所职业学校,天主教办的毓英中学、培华女中、上义师范、盛新中学、若瑟女子师范、佑贞女子师范等校。

佑贞女中中国学生升学考试日,摄于1928年8月,图源网络。
其中的佑贞女子师范是由法国天主教仁爱遣使会于1917年创办,位于今天北京城内西城区教场胡同2、4号内。1923年,又在学校东侧建了另一栋教学楼,即盛新男中。

1948年北京地图上的佑贞女中与盛新中学,西侧可见虎城胡同。
就这样,这处做了300年教场的演武之地,“弃武从文”,变为了西方传教士所建的教会学校。

佑贞女中在建的中心楼(礼堂),明显是西方建筑,摄于1928年8月27日,图源网络。
新中国 五校一址
1949年2月北平解放,当时佑贞女中的一些进步学生组织起来保护学校,向修女做斗争,迫使修女离开了学校。
1952年2月,盛新男中与佑贞女中合并,改名为和平中学。
1952年9月,学校由北京市人民政府正式接管,定名为北京四十中学。
1963年,该校分设为“北京市北海中学”和“北京市第四十中学”。
2004年,北京四中恢复了已停办16年的初中教育,与北海中学合并,在原北海中学的校址(即盛新中学与佑贞女中旧址)处成立北京四中初中部。从此,盛新中学与佑贞女中旧址成为北京四中初中部的校址。

如今的北京四中初中部,越过围墙,可见民国时期的建筑遗存,图源网络。
1990年2月23日,北京市政府公布盛新中学与佑贞女中旧址为第四批市级文保单位;2013年5月,国务院公布其为第七批全国重点*物文**保护单位。

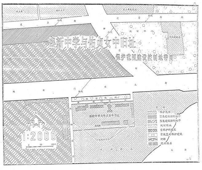
佑贞女中与盛新中学旧址的平面图,图源网络。
学校现存教学楼两栋,这两座建筑坐南朝北,样式相同。立面三段划分,红瓦坡屋顶,红砖清水墙嵌以石料装饰,比例严谨,工艺精致。礼堂位于两座教学楼中间,砖木结构,欧洲折衷主义建筑风格。



校园内的教学楼以及礼堂,图源网络。
此外,盛新男中教学楼与礼堂间有一栋方形建筑为医务室;医务室南立有一座下马必亡碑;男中教学楼南面还有一栋办公平房。

整个旧址的现存建筑比例严谨,是二十世纪二三十年代北京城内典型的教会学校建筑。

学校一般是不开放的,您要有时间,只能在教场胡同里看到作为教学楼的建筑遗存,图源网络。
谁能想到,小小一所中学,700年前附近曾有元代皇太后所住的宫殿,极尽富丽堂皇之能事,如今却片瓦无存;
谁能想到,小小一所中学,明朝数位皇帝在这里嬉笑玩闹,观宦官内操,大明朝也在昏天黑地中走向末路;
谁能想到,小小一所中学,竟竖立着一座乾隆帝谕旨所刻的“下马必亡碑”,饱含着满清开国以来数朝皇帝的教导,也饱含着乾隆帝居安思危的忧患意识;
这座小小的中学,还见证了近代教会学校的发展,并且留下了大量遗迹。
近几十年来,虽然学校数度易名,曾经的和平中学、第四十中学、北海中学已然消失,但学校还在,历史还在发展,一切怎么能说得准呢?
致谢和声明
本文图片部分源自网络,侵删。
参考文章
[1] 姜东成. 元大都城市形态与建筑群基址规模研究[D]. 清华大学, 2007.
[2] 秦贤宝. 明代的内操[J]. 紫禁城(05):11-13+46.
[3] 许冰彬[1]. 试析明代宦官内操的兴衰及特点[J]. 故宫博物院院刊, 2012(1):29-40.
[4] 若菁. 乾隆帝饬谕皇子娴习骑射[J]. 故宫博物院院刊(4):67.
(更多内容,欢迎关注微信公众号“北京传统文化联盟”了解)