随着平顶山市各行各业全面复工,许多建设项目都加快了推进速度!3月27日、28日,平顶山市区有3个修建性详细规划公示,引发了市民关注。
Part 1
商住项目:26层高层
3月27日,新华区焦店镇余沟村城中村改造项目B地块修建性清晰详细规划公示。
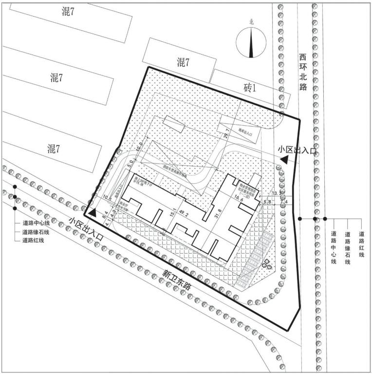
可以看出这是一座地上26层、地下一层的商住楼,可容纳216户居民。而且,其住宅、商业、物业管理及社区用房均已建好。仅有地下部分还未建成。
■ 新华区焦店镇余沟村城中村改造项目B地块修建性清晰详细规划公示

建设地点:平顶山市新华区西环北路和新卫东路交叉口西北角
建设单位:平顶山市鸿福房地产开发有限公司
主要经济指标:



Part 2
金利大厦:26层商业楼
3月28日,神马大道北侧(大众 4S 店-原平安驾校)E 地块(金利大厦)修建性详细规划公示。
可以看出这是一幢26层商业楼,有商业用房,有公寓用房,规划了230个地上停车位。

建设地点:平顶山市神马大道与新华路交叉口西北角
建设单位:平顶山金利源置业有限公司



Part 3
诚朴路小学:24班,容纳1080名学生
对于很多人来说,买房最关心旁边有没有学校,毕竟送孩子上学可是件头等大事。3月17日,湛河区投资4000万建诚朴小学的消息发布后,引发了许多网友关注。
不少人十分关心这座学校会会建成什么样?3月28日,湛河区诚朴路小学的修建详细规划也公示了。
可以看到,这所小学综合教学校地上面积为12330.36平方米,一幢5层框架结构教学校,有一个420平方米的风雨操场,另规划有篮球场、五人制足球场、排球场。

建设地点:平顶山市南环路东延段路北,诚朴路西侧200米
建设单位:平顶山市湛河区教育体育局
建设内容:诚朴路小学
主要经济指标:




来源:平顶山日报公示