|图:炸鸡的咸鱼
|文:炸鸡的咸鱼


Metro Bay的航拍系列
从空中俯瞰地铁工地的进展
一直深受读者的认可
非常感谢大家对Metro Bay的支持!
我们在七月和八月
对广州地铁所有在建新线进行了航拍记录
欢迎大家点击以下封面图或标题回顾:

欢迎阅读: 航拍盛宴!广州地铁新线年中进展,空中俯瞰全回顾!
而本期推文
我们的航拍系列将走出“舒适区”首度关注公路建设领域
将无人机镜头对准
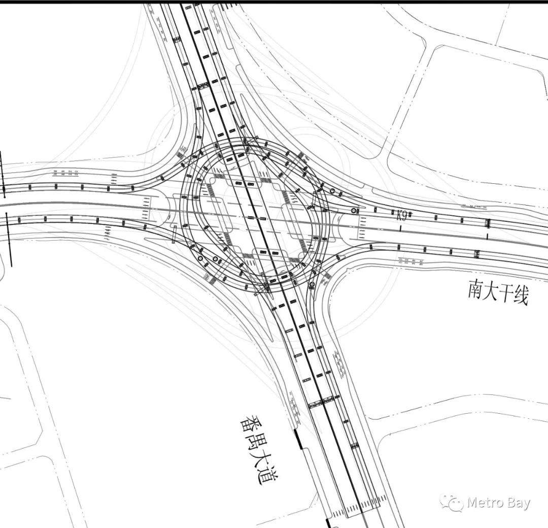
南大干线(市新路~番禺大道段)
从空中观察这条番禺大动脉的进展~

省妇幼医院至市新路段
南大干线(省妇幼医院至市新路段)工程位于番禺区南村镇,路线全长4.38km,起、止点桩号为K0-141~K4+240,是整个南大干线中的一部分。路线西起于省妇幼医院,东至规划市新路,道路等级为城市快速路,设计时速为80km/h,辅道定义为城市次干道,设计时速为40km/h。规划道路宽度80m,根据道路等级及交通需求, 主车道划分为双向八车道,辅道为双向四车道。其中含隧道2座、全互通立交1座、跨涌大桥1座、人行天桥2座。


项目起点位置
本期南大干线的航拍
我们从市新路段开始
这是南大干线未完工部分的起点

南大干线市新路下沉
未来该下沉隧道节点为南大下跨市新路
上部交通为十字互通


互通以西部分
目前该段已完成互通隧道土建
混凝土路基待施工
现在应进行路基处理

南沙港快速以东
跨过水道桥后一段
目前已完成土方开挖
并已施作边坡加固
待后续预留管线通道完工
便可进行路面施工



南沙港快速互通
南沙港快速互通目前正在进行桩基础施工
匝道桩基础疑似已完工
待墩身施工
南大主线下正在施工气压沉箱基础

兴南大道互通


兴南大道下沉互通正在施工地下隧道部分
未来将下跨兴南路
节点为T型节点

番禺大道至 省妇幼医院段
南大干线(番禺大道至省妇幼医院段)项目位于番禺区北部番禺新城核心区,路线共长约2.0km,规划红线宽80m。西接番禺大道南大干线互通式立交,东至省妇幼医院,接南大干线(省妇幼医院至市新路段)。 本段南大干线全部为沿旧路走向拓宽改造,为城市快速路,设计速度80km/h,辅道采用40km/h。

项目沿途与万博一路、万博二路、万博三路、万博四路、汉溪大道(员岗西路)、观景路(广州雅居乐主入口)、观景北路(广州雅居乐次入口)等主、次干道相交,是番禺区规划的“东进西联、南畅北通、六纵六横”的高、快速路网格局中重要的六横快速路之一,也是外环快速路的重要组成部分。

省妇幼医院起点
从省妇幼医院起点开始
我们继续自东向西
俯瞰观察该标段的建设情况


该段主要以扩建现有南大路为主
目前正在对原有道路两侧进行路基施工


该点位为南大下穿观景路隧道
目前可见施工进度较慢
目前仍在迁改既有管渠
西侧疑似施作围护结构
若南大干线开通存在制约点
则有可能是该节点




汉溪大道互通

未来汉溪大道将在此与南大干线主线形成T型互通
该互通目前仅施作了汉溪大道南侧部分
下穿南大主线部分仍在进行围护结构施工
进度较为缓慢
预测将在年内进行开挖



南大干线主线上跨万博二路部分
已施作桥梁墩身及部分引桥
施工进度相对其他前两个节点较快
乐观预计该节点能在年前初步完成土建




南大干线番禺大道节点工程为本段施工重点
目前进度相对乐观
南大主线下穿工程已完成首期交通转换
下穿隧道部分局部封顶
标准段也已基本封底
预计年底前能完成封顶
该节点对交通影响极大
通车后将有效缓解番禺北片区交通拥堵情况

至此
南大干线(市新路~番禺大道段)的航拍记录已结束
更多航拍陆续有来
敬请期待!
