《肌诊室》做到现在,我发现大家对好皮肤的渴望空前高涨。越来越多人开始考虑医美项目进行皮肤管理,也越来越多护肤品宣称效果达到“医美级”,那究竟怎么选?!不如这样咯,直接把真实案例摆在你面前,大家自己选咯

上一期的医美特辑了,果然大家都对医美治疗vs护肤品之间的1-1 battle很感兴趣。于是本期《肌诊室·特别版》再度返场,这一次我们来看看,当医美遇见“对”的护肤品,皮肤会发生怎样神奇的改变?

小茂“肌”诊室·特别版
面对最多人头痛的毛孔粗大、皮肤粗糙、肤色暗沉,你会选择使用护肤品,还是直接上脸做医美?本期前来“应战”的是:
热门医美项目「C+B素颜光治疗」vs 明星微精华「雅诗兰黛樱花微精华」进行1-1 battle!

为了更直观地展示效果,我们挑选了三位年龄相仿、肤质相近,都已经出现了明确的毛孔、初老、肌底受损现象的姐妹花粉丝,其中一位体验C+B素颜光治疗(医美组),一位日常使用雅诗兰黛樱花微精华(产品组),以及第三位同步进行医美治疗及后续产品体验(医美+产品组),两个月以后再来观察究竟肌肤变化如何。
我们承诺:所有数据与照片真实有效、医美治疗正规合理,以客观中立的态度对此次《肌诊室》内容负责。
粉丝们都知道,樱花微精华我推荐过很多次了,从夏天用到秋天,因为就真的好用,一天一天,你能看到毛孔在渐渐变小,肌肤逐渐透出光,皮肤状态一点点稳固提升。

不止是我,雅诗兰黛这瓶樱花微精华也是粉丝群里无数人的心头好。之前我有做过一个50人团的体验,让粉丝连续21天早晚使用樱花微精华并记录肌肤变化。照片收上来一致好评,篇幅关系这里放5个粉丝的21天肌肤对比,无一不是三周时间肌肤变得透亮有光泽,肌肤瑕疵看上去也少了许多。

<< 滑动查看下一张图片 >>
也正是上一次50人团的体验给了我信心,让我有信心做得更“深”一点,这才直接找了三个素人粉丝,就医美效果和雅诗兰黛樱花微精华进行为期2个月的battle。
话说,我一直知道医美+产品效果最好,但没想到,会比我想象中还要好读下去,你就懂了!

医美组

@王睿颖: 29岁、珠宝设计师
干性肤质,肤色泛黄暗沉且肤色不均,两颊毛孔粗大呈现水滴状下垂;皮肤比较敏感,总是看上去特别累。
之前尝试过其它激光治疗,期待这次能够让脸变嫩一圈,肤色变好,看上去更年轻。

产品组

@郑然: 28岁、模特
混合偏干,皮肤屏障受损,容易敏感;有毛孔、干燥、粗糙、细纹等肌肤困扰。
工作原因需要长时间带妆,渐渐地毛孔堵塞撑大、黑头粉刺丛生,皮肤质地变得特别不好,期待这一款产品可以改善毛孔问题,特别是闭口问题。

医美+产品组

@宋之珺: 29岁、传媒市场总监
混合偏干,肌肤紧绷干哑,毛孔粗大;同时肌底受损导致敏感泛红,出现细纹干纹等皮肤瑕疵。
有定期做医美的习惯,皮肤比较薄容易红,这次期待能温和但有效地提升整体面部状态,让皮肤透出光,且变得更加光洁细腻。
*三位体验者年龄段、肤质相似,尽可能降低自身条件差距对实验结果的影响。
医美C+B

体验项目:Clear+Brilliant素颜光
有“小飞梭”之称,一种能量温和的非剥脱点阵模式,可用于治疗皮肤早期老化。
C+B这两年非常流行,因为疼痛度低、操作时间短、术后修复快、控油及美白效果好等优点,很适合亚洲人易色沉人群。同时可以通过调节不同的激光波长来实现不同的美容目的,譬如一般来讲1440nm激光波长可用于嫩肤;1927nm激光波长有助于促使组织再生及色素代谢...
研究表明,在经过Clear+Brilliant素颜光治疗之后,可在不破皮的无痛条件下使精华导入,可使精华透皮吸收率提高17倍。因此很适合拿来治疗肌肤早期的老化问题,解决临床常见的毛孔粗大、肤色暗沉等。
但要提醒大家,作为激光嫩肤类的医美治疗,Clear+Brilliant素颜光对术后的皮肤护理有一定要求,一来需要及时给皮肤降温,然后就是一定要特别注重保湿和防晒。由于治疗后的一段时间,皮肤屏障功能是完全受损的,好处是肌肤吸收速度会特别快,坏处就是皮肤尤为脆弱,需要尽快修复肌肤屏障。
产品樱花微精华

体验产品:雅诗兰黛樱花微精华
作为一瓶今年小茂帮内部流量最高的明星精华水,雅诗兰黛全新樱花微精华,亲测一瓶可以细毛孔、消闭口、控油保湿,打造「一瓶美颜精修肌」的微精华。本来,她家的微精华一直很出名,而这一瓶樱花微精华特别为年轻肌肤定制,在配方和肤感上面都做了升级,不仅拥有更高颜值,更是护肤力MAX级别!

核心配方是三重酵母精粹,它的好处是可以帮助调理肌肤,达到最佳平衡状态,还有长久保湿的不错成绩。我特别喜欢这瓶微精华的一点是,里面用到了“微分子“渗透科技,精准渗透的“微分子”让精华成分导入更快更深,功效更全能,能作用于肌肤不同层面,实现底层消炎、中层保湿、表层去闭口,深入修护肌底,从而带来肤质的全面提升。
医美+产品组合

体验期间:两次C+B素颜光治疗+日常配合使用樱花微精华本次深度体验团最幸运的一位,也是最冒险的一位。由于频繁接受医美治疗及各种猛药类护肤品,宋之珺的皮肤非常薄且红,皮肤屏障功能脆弱。当时选她进行医美+产品组的体验是基于两个考量:
她已经习惯了医美的好,这次希望能医美配合护肤同步进行,让她重视医美后恢复期、日常护肤的重要性;另一方面也是想测试一下樱花微精华在修护皮肤屏障、整体调理肤质方面的能力,毕竟这是一张第一次来洗完脸“红”到医生甚至建议可以考虑打封闭针(抑制脸部血液过量循环)的脸

,哪怕在上方的动图里,我们都能看出宋之珺全脸泛红的症状非常明显。
场地及专业技术支持

这里,要感谢上海景康门诊提供场地支持,更要特别谢谢我的老朋友医美博士张桂蓉在《肌诊室》项目中全程给予的专业建议,以及亲自操刀为粉丝进行Clear+Brilliant素颜光治疗。
-
实验过程:2019/7/27 - 2019/9/22,前后历时两个月;
-
医美组及医美+产品组于7/27日、8月24日分别各接受C+B素颜光治疗一次,其中医美组的后续护肤为成分简单的保湿霜+物理防晒;医美+产品组除此之外配合使用雅诗兰黛樱花微精华于保湿霜之前;
-
产品组于7/27-9/22期间,每日早晚使用雅诗兰黛樱花微精华,并配合在局部容易出油及闭口区域进行重点湿敷(用化妆棉)。
-
治疗前后(7/27 & 9/22),三位素人粉丝都进行了专业的面诊及VISIA皮肤测试,记录八个维度下肌肤状态的变化。

<< 滑动查看下一张图片 >>
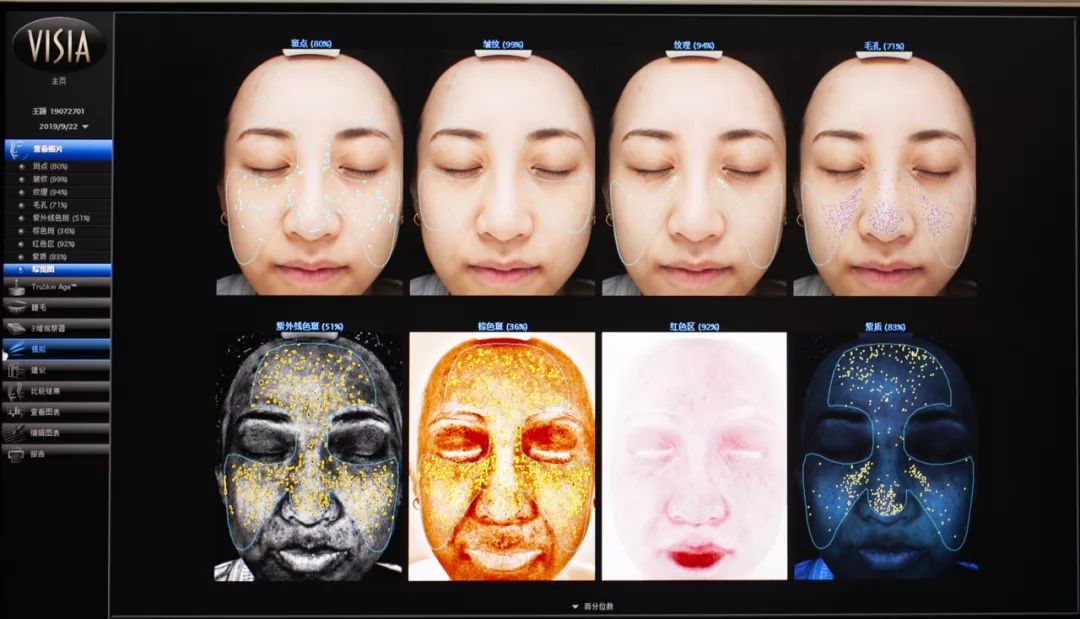
医美组

在王睿颖的脸上,我们能很好地看到C+B素颜光对整体提亮肤色、改善肤色不均方面的改善。皮肤透明度显著提升,以此带来视觉上变白了不止一号的改变。同时,一些嘴角、鼻翼、眼下的色素沉积和泛黄现象都有改善,肌肤年轻感增强。

第一次肌肤测试(7月27日、治疗前)

第二次肌肤测试(8月24日、治疗后一个月)

第三次肌肤测试(9月22日、治疗后两个月)

*其中%数值越高,代表指数越优秀。
结合数据来看,各方面都有提升特别是斑点和皱纹方面的指标大幅提升。这里说明激光治疗对于面部色素沉积、色斑方面的改善是非常明显的。另外,也反映出C+B素颜光能很好地改善面部初步老化问题,对一些浅表层的纹路问题也会有效果。
另外一些纹理、毛孔指标虽然看上去改变不大,这是由于本身王睿颖的基数就很高,而且从数据来看基本上都有稳步提升,能看出C+B确实能比较全方面地提升皮肤状态,有一个比较好的嫩肤效果。

另外值得一提的是,王睿颖在接受治疗后,出现了局部粉刺的现象,而且据她反映说鼻头的黑头和闭口也开始变多。这是由于C+B素颜光会刺激面部的油脂分泌,之后可能会引起加速出油的状况,可能会有爆痘的风险。但一般都是“一过性”反应,即在医美治疗后的短期内皮肤状态会出现下滑或应激问题,但普遍之后肌肤会自我调节修护,状态变好。
不过反映在王睿颖的个体脸上,局部爆痘和鼻头处粉刺加重的情况持续了很长一段时间。因此我们也要理解激光治疗包括任何一种医美治疗都会存在潜在的风险,不能粗暴地归结为C+B素颜光就是不好的,毕竟对她整体肤色的提亮和改善是非常可观的,这点上她非常满意。因为从整体上来看,她整个人看上去气色好许多,也感觉更加年轻。

包括在后续的治疗过程中,王睿颖不止一次向我表达了对粉刺闭口困扰的担忧,整个青春期没有发过痘,结果现在有了。这里首先我要衷心感谢三位测试者的理解和配合,为了最大限度地还原测试效果,坚持在两个月当中没有更换护肤品。当然在测试结束后,我们也就王睿颖的面部情况同医生一起做了会诊,之后张医生会根据她的情况来调整治疗方案。
借此也想强调一下,肤质是流动的,特别是在接受了医美治疗之后,皮肤状况在短期内会变得尤为不稳定和反应激烈。因此必须要选择有资质和经验丰富的医生来进行合规的治疗操作,并及时调整方案,以及特别重要一点,医美后必须配合相应的护理来加速度过恢复期,以及进一步提升治疗本身的效果。
产品组

终于到了万众期待的护肤品汇报环节,就真的效果比想象中更好!对比前后脸,首先是肤色方面的改善,皮肤泛黄大大减轻,皮肤透明度提升,看上去变白了许多,肤色也更加均匀;另外整体质地变好,面部可见的瑕疵及不平整现象得到改善,毛孔缩小了、皮肤变细腻了。
这里我要特别表扬郑然在测试期间真的非常认真地在使用产品,近乎用一种“吃”的速度在消耗樱花微精华(没有不好的意思)。基本上一个月时间她就能用完一瓶,除了常规早晚于精华前使用,类似一个打底精华帮助打开肌肤吸收通道、促进后续产品的吸收;她还会拿化妆棉重点湿敷T区和两颊这些毛孔粗大、长闭口、容易出油的部位;特别在每次外拍前还会特地用5分钟深度水疗法全脸拍3层樱花微精华,不仅可以立刻提升肌肤状态,令后续妆容更加精致,同时还能很好地保护皮肤。

第一次肌肤测试(7月27日、治疗前)

第二次肌肤测试(8月24日、治疗后一个月)

第三次肌肤测试(9月25日、治疗后两个月)

*其中%数值越高,代表指数越优秀。
郑然第一次来复测的时候,看到数据我们所有人都绝望了,心里想的就是“不可能、不至于、不应该”啊。因为肉眼看上去,郑然的皮肤是变好的或者说至少没变差,结果报告出来几乎所有指标都在*退倒**,于是张医生第一句话就是,来说说吧,你最近干了点啥...
果然,工作需要连续外拍,防晒不到位+连续暴晒+整天浓妆。这里我再次提醒大家,一定一定要注意防晒,暴晒后的光损伤是持续的,紫外线会激活肌肤底层的黑色素,所以才会肉眼上还可以但逃不过灵敏的专业皮肤测试仪。如果一直不注意,一段时间后很可能会出现明显的反黑,甚至在夏天结束后秋天里长出色斑。另外,如果长期有带妆习惯的,更是要注意日常护肤,卸妆要彻底以防止色素沉着。
另外,第二次毛孔的指标也在下降,这里有季节因素的影响。我们的皮肤很容易受外界环境的影响,夏天气温升高,皮脂腺容易分泌过量油脂,加之夏天肌肤更易失水,毛孔更容易变差。

但好在,第三次来复测的时候,肌肤状态回来了。首先斑点数据提升了,代表皮肤表面肉眼可见的肌肤瑕疵变少了,确实第二次看到她的时候,一个很打眼的变化就是整张脸看着干净了,因为毛孔排列变得平整规则,视觉看上去毛孔就会缩小很多。
毛孔和纹理指标也有提升,这里纹理代表的是肌肤的平整度,一般都会随毛孔状态而改变。对比第一组医美数据,护肤组的起效时间没有那么快,是以一种更温和更持续的节奏在进行缓释,因此往往会随着时间累积看到一个量变到质变的过程。明显两个月之后,无论是肉眼观察还是皮肤测试报告,郑然的皮肤状态都变好不止一点。特别是鼻子上的皮肤变得干净了许多,鼻头鼻翼处的一些顽固黑头白头都变少了,毛孔也跟着收细、皮肤变得平滑,而且出油也少了许多。最近拍摄从化妆师到摄影师都反映郑然的皮肤变好了,修片都容易了~
这其实也和雅诗兰黛樱花微精华本身的作用机制相符,能作用于肌肤不同层面,实现底层消炎、中层保湿、表层去闭口,深入修护肌底,从而带来肤质的全面提升。
医美+产品组

但最令我们感动也是本场最期待的,是最后一位医美+产品组的表现。事实上众望所归,两个月时间宋之珺的皮肤状态有了可观的改善,不仅是肤色上更透亮均匀,肤质上更平滑细腻,更关键的是整体肌肤变得更强韧,整张脸的泛红敏感现象大为好转,即使碰上换季+花粉期,竟然都没有过敏,一张脸不红不痒不干,这已经是好几年都没有过的稳定状态了。

第一次肌肤测试(7月27日、治疗前)

第二次肌肤测试(8月24日、治疗后一个月)

第三次肌肤测试(9月22日、治疗后两个月)

*其中%数值越高,代表指数越优秀。
毛孔数据有了质的提升(60%),另外红色区也是一个值得关注的地方,因为宋之珺本身的皮肤非常敏感,在“冒险”做了激光治疗后配合樱花微精华,两个月之后皮肤泛红敏感的状态大大好转,皮肤屏障开始恢复。同时,紫外线色斑数据也变好很多,这和测试者本身的配合也分不开,全套硬防晒(墨镜、口罩、帽子)以及室内坚持涂抹物理防晒。
我始终强调,医美和日常护肤不存在二选一的关系,事实上任何一位靠谱的医生都会告诉你即便是医美治疗后都要配合护肤来帮助平稳度过恢复期,并且让治疗效果更好。而护肤品的魅力就在于此,这瓶樱花微精华能够直达肌底进行修护,在肌肤的每个层面都发挥作用,从毛孔开始帮助调理肌肤的整体状态,修护肌肤屏障功能,令皮肤重回稳定。
事实上,一个健康而稳定的肌底,在我看来比任何一场激光治疗要重要得多,因为肌底健康才是好皮肤的“肌”础,而一个平衡的肌肤生态系统,会令医美治疗包括其它功能性护肤都事半功倍。

国际惯例让宋之珺也分享了使用感受。其实这里还有一个小插曲,在进行完第一次C+B素颜光治疗后的前一周,她给我包括给医生这边留了很多言。因为皮肤看上去更红了,而且摸上去粗糙如沙砾,问我们是不是她的脸毁了。
这其实就是我在上面说的,医美后的“一过性”反应,接受完激光治疗后,短期内皮肤吸收大量能量出现应激反应是正常的。事实上大多数医美治疗手段就是本着“先破坏后修复”这一原则,利用治疗后的创口期来进行密集修复并刺激肌肤本身的修护新生功能。因此医美后必须搭配护肤品来帮助缩短恢复期并促进治疗效果。光清水洗脸真的不够,而且你忍心错过“激光后,可使精华透皮吸收率提高17倍”这一千载难逢的好机会吗?
对于宋之珺的恐慌,我们给出的建议便是第一步给肌肤降温,利用矿泉喷雾快速镇定肌肤状态;三天后开始早晚使用樱花微精华并配合全脸的湿敷以及深度水疗法,密集修护皮肤,从毛孔层面开始整个肤质的调理。

趁着医美后皮肤的“窗口期”,利用新配方新功效的三重酵母精华露:首先作为品牌灵魂成分,「双重酵母精粹」凝聚雅诗兰黛20年精研发酵科技,一滴特润,能深入修护肌底,稳定肌肤状态;另一方面,樱花微精华里特别添加的「日本晚樱酵母」 能够有效 调节肌肤水油平衡,实现油皮油光不见,干皮长效水亮,同时有效收毛孔、去闭口,让肌肤细腻健康、由内透光, 打造剔透如樱,经得起细看的樱花美肌。

整体来说,这瓶樱花微精华不仅可以早晚于洁面后、化妆水之前使用,犹如一瓶肌底精华一般帮助唤醒皮肤、显著提升后续产品的吸收力;也可以用来配合化妆棉湿敷,每次5分钟,对软化角质、控油保湿、改善闭口、镇定消炎的效果都特别好。
各类肤质都适用。就像我之前在粉丝repo里分享的那样,这是一瓶对各类肤质都“起效”的高机能精华水——不仅能让干皮透光、油皮不油、改善毛孔闭口问题以外,对待混合肌能有效平衡水油,令T区不泛油,两颊不拔干;此外,樱花微精华能深入修护肌肤屏障,改善肌肤炎症,由内强韧肌底,告别脆弱泛红;以及彩妆爱好者们,也可以于日常上妆前先用樱花微精华为皮肤打个好底子,不仅令妆容更服帖,而且能令你卸妆后的皮肤状态也变好,帮助强韧肌肤。

总结
最后我想说,无论是选择C+B素颜光治疗或者日常使用雅诗兰黛樱花微精华,都有各自的长处和短板,没有绝对的胜负之分。最后还是要综合考虑,并结合自身的条件及承受力来选择。这一篇《肌诊室》的意义,也是为了帮助你更好地做选择,方便你参考比较。但无疑,如果能合理选择适合自己的医美治疗手段,并后期配合得当的日常护肤来进行日复一日的修护调理,无疑是最明智也是效果最好的最佳选择。
|
肌诊室 特别版 |
医美组 C+B素颜光 |
产品组 雅诗兰黛樱花微精华 |
|
原理 |
利用不同激光波长来实现美容目的 |
三重酵母精华露+ “微分子”渗透科技 |
|
作用 层面 |
真皮到表皮层,所有层面 |
层层释放,直达肌底 |
|
功效 |
提亮嫩肤、细腻毛孔 |
细腻细毛孔、满水满剔透 |
|
适合 肤质 |
极度敏感皮不建议 有*褐斑黄**者需要咨询医生 |
各类肤质 |
|
使用 感受 |
无明显痛感、恢复期短 |
无不良反应 |
|
价格 |
3,000-5,000元/次 |
860元/200毫升 |
文末福利
现在把雅诗兰黛樱花微精华加入购物车,10月21日0点预定即可享价值632元的修护明星5件礼!超级!超值!超”享“要!

¥mNoFYnRGqD2¥
部分图片来自网络

你关心的!
你感兴趣的!
让护肤变得更有趣!
让生活变得更时髦!
你!值!得!拥!有!
商业合作发邮件:54743863@qq.com
获邀入会“小茂帮”
享受丰厚粉丝福利!

微信号:MAO-skincare
护肤更有趣 更好玩
