如今已经进入立夏,气温也在逐渐升高,冬眠的蛇类也纷纷开始苏醒,爬出洞穴。由于一个冬天没有进食,为了补充能量,蛇类的活动也越来越频繁。
大多数蛇类的食物是老鼠等小型动物,而人类的住所是老鼠聚集最多的地方,另外农村很多家庭都养有家禽,在春夏之交的时候,这些家禽还比较幼小,也是蛇类较为喜欢的食物。所以,为了获得足够的食物来源,一些蛇类就喜欢前往人类的住所。

事实上,跑到人类的的住所,除了有充足的食物外,还有一个好处,那就是前往人类的居所避暑,是的蛇不仅怕冷,而且也非常怕热。去年夏天,新闻中就报道过蛇中暑的新闻。
蛇类属于变温动物,不同于大多数哺乳动物,要维持一个相对恒定的体温,它们的体温是随着天气变化而变化。这样有一个好处,那就是这些变温动物只需要很少的能量来维持体温和身体机能,但是也有个不好的地方,那就是变温动物没有汗腺,在温度较高的时候,无法通过出汗来降低体温。

如果维持一个高温的话,蛇类就会被高温热死,而在夏天的是,室外温度达到40多摄氏度,被阳光直射的地面,其温度达到50-60多摄氏度,当蛇类在上面爬行的时候,简直就如同烤蛇一样,所以在这段高温天气里。
一个食物充裕,并且还可以纳凉的场所,就是蛇类最为理想的地方。这也是为何蛇类喜欢前往人类居住地的原因。
也许是人类祖先刻录在基因里对蛇类的畏惧,所以在看到家里进蛇后,就会不得安宁感到非常害怕,怎么办呢?

事实上大多数喜欢进家里的蛇,被称为家蛇,它们有:王锦蛇,黑眉锦蛇和白条锦蛇等,这些蛇都喜欢吃老鼠,而老鼠又因为食物而聚集在人类的居所,所以,这些蛇类沿着老鼠的轨迹,就进入到人类居所盘踞起来。
这些蛇类虽然看起来让人害怕,但其毒性很小,大多对人类的伤害有限,所以看到这些蛇类的时候,不要害怕,它们进入到家里的目的也只是消灭害鼠。

如果实在是因为家里进蛇,感到心神不宁的话,那么就要打电话给专业人士,让他们来帮忙,把蛇请离家里。对蛇类不熟悉的,最好不要自己动手,特别是居住地靠近山区的,虽然大多数进入到家里的蛇类毒性比较小,但是不排除一些毒蛇进入到家中来,如果处理不好的话,被咬中毒也可能会危及到生命。
很多人听到蛇字就会心跳加速,更不用说看到蛇,而且还要自己动手驱赶蛇类了,那么有没有有效的方法,阻挡蛇类进入到家里呢?

蛇类虽然眼神不好,但是其在辨别气味和热能感应方面是非常强大的,它们利用开叉的舌尖,收集空气中的漂浮粒子,用以辨别猎物的方向。
所以,在理论上,只要找到令蛇类感到讨厌的味道,那么就达到“御敌于门外”的效果。那么有哪些令蛇类感到讨厌,或者感到害怕的事物呢?

1、蛇灭门
听这个名字是不是非常霸气,只要蛇类敢进来,来多少就灭多少,让其灭门。蛇灭门有个大家熟悉的名字,叫做决明子,也叫做野扁豆,是一种在农村常见的植物。
虽然这个名字好像与蛇类有深仇大恨,但事实上,其并不能杀死蛇类,只是驱赶蛇类进入到其种植范围内。
原因是其开花和枝叶茂盛的时候,会释放一种浓郁的气味,这种气味对于人类来说没有任何不适。但是蛇类却非常讨厌这种气味,所以当其伸出舌头,采集到空气中这种气味分子的时候,就会感到恐慌逃离。

2、七叶一枝花
这种在农村常见的植物,好像就是蛇类的克星,不仅可以治疗蛇类的咬伤,而且还可以驱赶蛇类,所以有花无蛇,有蛇无花之说,两者简直势不两立。
其与蛇灭门一样,整株植物会散发一种特别的气味,当蛇类闻到这种气味的时候,会异常不舒服,赶紧远离,所以在庭院中种植七叶一枝花,不仅有很大的观赏性,而且还有驱蛇的效果。

3、万寿菊
万寿菊属于一年生草本植物,其原产地在南美,由于其开花的时候,花瓣分裂开来如同一个大花球非常漂亮。被引进我国后,也已经被大范围的种植。
千万不要以为万寿菊属于外来品种,就对本土蛇类威慑力小了。事实上其威慑力更大,在其开花的时候,其花朵会释放一种挥发油,这种物质散发到空气中,当蛇类闻到这种气味的时候,会感到非常不适应,快速逃离。
同时万寿菊在开花的时候,其散发出来的气味对蚊子和苍蝇都有很好的驱赶效果,所以这种植物不仅有很强的观赏性,并且还有很强的驱赶蛇和虫子等效果,是居家种植的良品,值得来两株。

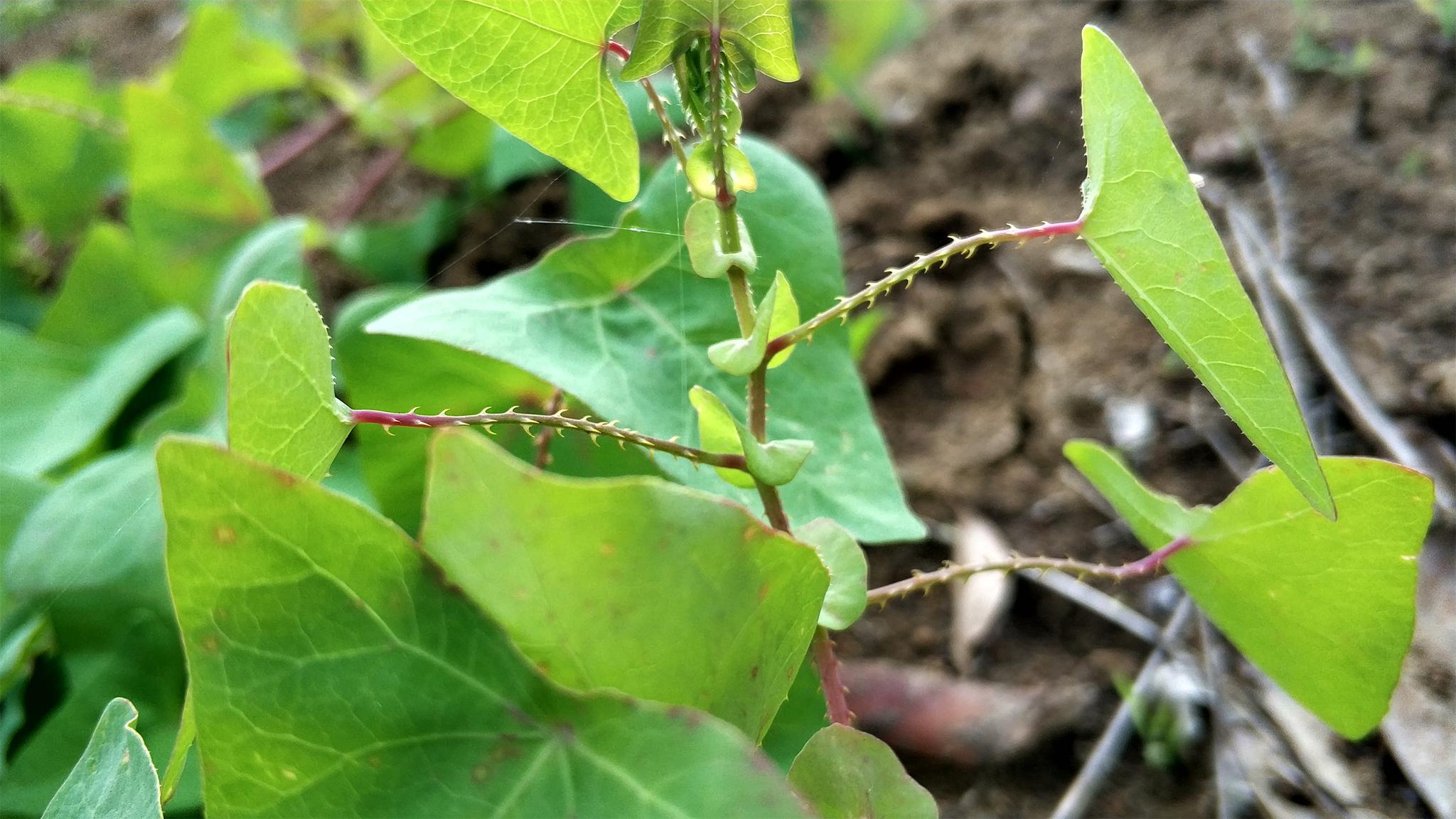
4、蛇*退倒**
蛇*退倒**也被称为杠板归,如果说前面所说的三个是利用化学物质驱赶蛇类的话,那么蛇*退倒**就是利用物理手段来达到驱赶蛇类的目的了。
蛇*退倒**在民间还有一个名字被称为犁头刺,如果在农村生活的朋友,大多数是见过犁头的,那一层密密的倒刺,看起来令人生畏,而蛇*退倒**被称为犁头刺,可见这种刺的厉害之处。
所以在户外劳作的时候,多多少少都被蛇*退倒**的刺给扎过,人怕被刺扎,蛇也怕被刺扎。由于蛇*退倒**是茎攀援,所以会散开一大片,蛇类在地面爬行的时候,那如同网状的倒刺就会扎进蛇鳞中,让其进退不得,只有倒爬回去。所以才会得此名。

5、烟杆油
如果前面4样都是以驱赶为主,那么最后这样东西不仅可以驱赶,而且还可以杀死蛇类,哪怕蛇只要沾上一点,那么就马上毙命,在以前农村有这么一句话“吞了烟杆油,离死不远了”
烟杆油是常年使用过程中,遗留在烟杆上的物质,其主要是由尼古丁、焦油和生物碱(*碱烟**)组成,具有很大的刺鼻性气味,这种气味不要说动物了,就是人闻了也会感到非常不适。
所以其起到很好的驱赶作用,并且越是陈年的烟杆油,价值越高,其不仅在被虫子和蛇咬后,起到一定的治疗效果。如果从烟杆中挖取一点烟杆油出来,喂给蛇吃下去,这个浓缩各种物质的烟杆油,就让蛇中毒,过不了一会儿就毙命,可以说是对付蛇类有效的利器了。

结语:
蛇类虽然看着让人害怕,但是除去少数极具攻击性的蛇类外,大多数蛇类胆子都比较小,比人类更加害怕,所尽量不要伤害它们。如果碰到稀有品种,伤害到它们的话,那么很大的可能有免费饭吃了。
另外还可以养殖猫和大鹅,利用它们的警觉性,在蛇进入到居住区域后,把蛇类惊走。
另外,你还知道有哪些可以驱蛇的方法呢?不妨在评论区留言,大家一同探讨!