龙猫肠梗阻多久会死 (龙猫48天了拉稀怎么办)

《你就需要这么“爱”——我和独眼龙猫这几年》

上篇告知各位龙猫家长,在喂食龙猫时需要特别注意喂食的速度、频率和喂食的食物。

龙猫肠梗阻多久会死,龙猫没吃饱会怎么样 ​第一百零三篇:肠梗篇

龙猫这样的小动物肠胃特别脆弱,因盲肠比较发达,易发生胀气、肠梗阻等情况。

由于肠梗阻是严重便秘的后续延伸,所以平时龙猫家长们能够细心照顾宠物龙猫,多注意龙猫粑粑的大小形状、软硬、干湿等状态、程度,一旦发现异状,立刻控制,一般不会轻易得肠梗阻。

但龙猫发生肠梗阻还是比较可怕的,死亡率较高,也比较难治。

龙猫肠梗阻病所谓急性突发的肠梗阻较少,先期症状一般表现多为便秘。即大便干硬变小,或外有粘液和血液,数日内停止排便;龙猫肠道胀气时会导致肚子明显变大;触摸腹部能感觉到硬块;龙猫表现为腹痛、没有精神,弓背无法站立,腹部著地而卧,前肢伸向前方重的仰面朝天躺著,四肢蜷缩,同时龙猫会迅速脱水,眼球深陷,对食物刺激反应很小。

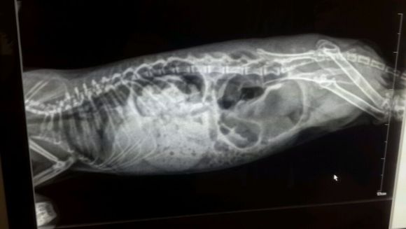
此时首先需要去专业可以给龙猫治病的宠物医院拍片,判断肠梗阻程度,再根据程度进行处理。

如果梗阻轻微的话,喂一些助消化的东西,如乳酶生,乳酸菌,益生菌等。

要是病情稍重的话,除了上面措施,用针管给龙猫灌服植物油、麻油、橄榄油均可。5毫升左右,用以润滑肠道。可使用开塞露灌入肛门2毫升左右,并辅以腹部按摩,促进肠道蠕动以利排便,并给他揉揉肚子。

要是病情已经非常严重了,建议由可以给龙猫治病的宠物医院的专业兽医进行手术。但要是知道龙猫手术是很有风险的。

龙猫肠梗阻多久会死,龙猫没吃饱会怎么样

(想知道龙猫有什么疾病会传染给人类吗?且看下一篇—— “传染篇”)

Tips:

不要给龙猫吃黄豆,黄豆吃进龙猫肚子,在肠内吸收大量水分,会使龙猫感到腹胀,严重时可能导致肠梗阻,危险生命。

< 本文由“江上游龙”原创,未经许可不得转载。>