最蚌埠(ID:zbbz0552)从近日召开的2017年教育工作会议上获悉,我市一批教育项目也将于今年上半年陆续完工,预计将在9月随着新学年一同与师生见面。
1职教园区

东起昌平路、西至延安路、南至双墩路、北至中环线,规划用地3000亩的职教园项目,总投资10.6亿元,也是我市历史上投资额最大的教育项目。
一期项目2015年10月开工,首批进驻的学校包括蚌埠职教中心、蚌埠工艺美校、蚌埠商贸学校、蚌埠建设学校、安徽省航运技校等5所公办学校,建筑面积32.68万平方米
目前一期项目38栋单体已全部封顶,进入外立面装修,预计今年9月正式投入使用。

随着城市建成区的不断增加,基础教育也随之增加布点。据悉,今年9月,还将有4所新学校投入使用。
2城南九年制学校
城南九年一贯制学校位于蚌埠市延安路以东、航华路以西、Z-24路以南,占地102亩,总建筑面积4.4万平方米,规模为84个班级,小学为48个班、中学为36个班。包括小学部、初中部、行政办公图书馆、宿舍、食堂及风雨操场,计划总投资1.2亿元。
3陶山学校
陶山九年一贯制学校位于朝阳路以西、兴技路以北、陶山家园以东,占地70亩,总建筑面积为3.3万平方米,包括小学教学楼、初中教学楼、行政楼、食堂及风雨操场。规模为66个班级,小学为36个班、中学为30个班,计划总投资为8000万元。2015年12月25日开工建设。该学校是蚌埠26中教育集团总校。
4水游城配套学校
蚌埠第一实验学校教育集团水游城分校项目位于蚌埠市蚌山区,红旗四路以南、工农路以西区域,总占地面积23333m2,总建筑面积17360m2。项目由蚌埠市蚌山区教育局投资,投资金额达4000万元。2015年8月1日动工。
蚌埠第一实验学校已经建成使用的有三个校区,分别为中山校区(一实小老校区)、汇金校区(北校区)和胜利校区(二中老校区)。第一实验学校教育集团包括第一实验学校(中山校区、汇金校区、胜利校区)、淮上分校(托管)、水游城分校(在建)、城南分校(在建)。
5滨湖新区新城实验学校分校

新城实验学校滨湖新区分校位于海亮天御项目西侧,占地75亩,建筑面积3万平方米,办学规模72个班,属九年一贯制学校,由蚌埠海亮投资有限公司代建后移交政府。配建室内外篮球场、运动场等,建成后可容纳3600名学生。
在蚌埠新城实验学校分校尚未建成前,该小区就近小学暂入龙湖二小,初中暂入龙湖中学。
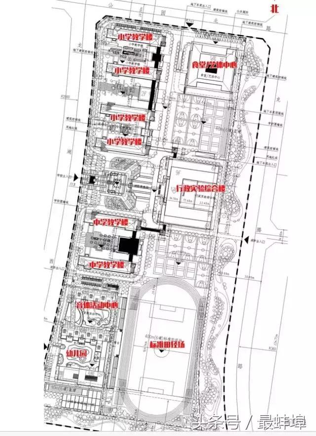
此外,滨湖新区还有一所新校,那就是蚌埠六中滨湖分校,它位于龙湖西路东侧、龙腾路西侧、公园北路南侧、公园南路北侧。
蚌埠六中滨湖分校总占地面积17800㎡,总建筑面积80000㎡。包含幼儿园、小学和初中。小学48班、初中42班,共计90班。建成后将可容纳2160名小学生、2100名中学生就读。

蚌埠哥注意到。项目大多是新建小区配套建设的,也是优质教育资源的延伸,新建学校大多依托一实小、六中等我市优质教育资源,不仅硬件好,而且起点高。
此外,一实小初中部改造、淮上实验小学综合楼、曹老集二小、周集小学和信湾小学改扩建工程,以及异地重建的行知实验学校初中部改扩建工程也将于数月内完工,于今年9月投入使用。