我们总会想让毛孩短暂的生命里,
尽可能体会到这个世界的美好。
但总会有意外突然出现,甚至你从未想象过。 比如说:心脏病。
——我家猫咪有心脏病。
——我家猫咪突然不断喘气,张口呼吸。
这三个字,让闻者伤心听者流泪,就连宠物医生都要身体颤抖一下。

图|网络
是的,心脏病这个话题,对于人类来说一点不陌生,但对于猫咪来说,却比想象中更重要,在它们短暂的生命历程中,无疑是如同泰山压顶。
很多时候猫咪确实有心脏病, 但有心脏病不等于生活质量很差,更不等于判了死刑 !
今天宠小爱将为家长们介绍这则是由 宠爱国际的专家「贾朋帅」医生接诊的一则「心脏衰竭」 病例,一起来了解下:

〖 宠 爱 国 际 病 历 本 〗

- 宠物名:小于
- 性别:女孩
- 年龄:13岁
- 品种:美国短毛折耳猫
- 体重:4.23kg
主诉病史
猫咪最近一周瘦的比较快,
一直呼吸急促,
今天早上彻底不吃粮食。
体重一直下降,驱虫疫苗正常,
半年前有出现过一次心脏病发作。
但之后一直没有吃过任何,
心脏病相关的药物。
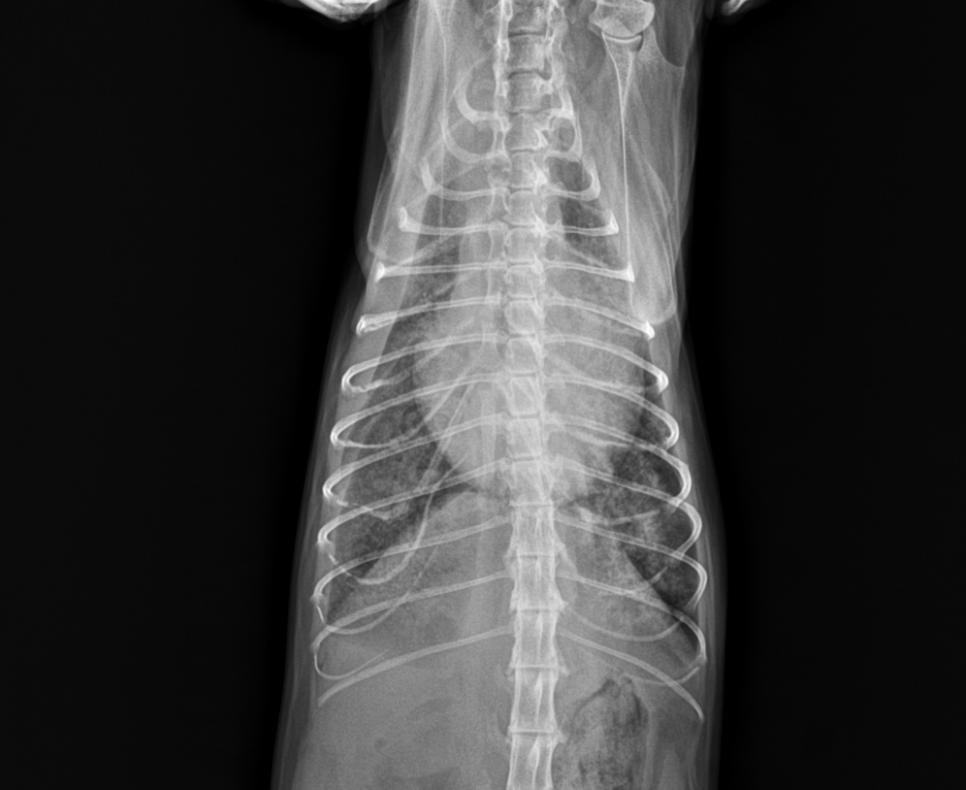
↑为典型腹部呼吸
医院检查
临床检查:精神状态尚可,鼻头湿润,粘膜偏紫,四肢冰凉,四肢脚垫颜色深紫色,耳道皮肤检查无异常,体表淋巴结未见异常,心音异常,肺音正常,眼观腹式呼吸。腹部触诊空虚,BCS3/9,CRT>2S,肛周清洁。
实验室检查:
血常规无异常
生化十七项肝肾和胰腺指标正常

血液离子无异常
血压心率正常

DR显示肺水肿
心脏彩超显示心包积液
全心衰竭


初步诊断
肺动脉高压肺水肿,体循环受阻,为
「心脏衰竭」
讨论
心脏衰竭:是指由于 心脏的收缩功能和(或)舒张功能发生障碍 ,不能将静脉回心血量充分排出心脏,导致静脉系统血液淤积,动脉系统血液灌注不足,从而引起心脏循环障碍。
心脏衰竭并不是一个独立的疾病,而是心脏疾病发展的终末阶段。
治疗方案
①吸氧缓解机体缺氧症状
②利尿消除肺部积水给予扩张呼吸道药物
③给予正性心力药物
④保护心脏药物
⑤保证血液离子平衡
经过一周的治疗,小于的肺部积水逐渐消失,呼吸频率比之前缓解了很多,开始吃东西。
继续按上述方案治疗一周后,肺部积水几乎完全消失,呼吸恢复正常,四肢脚垫颜色由黑紫色恢复到粉色,食欲恢复正常,排尿排便正常。
↑治疗期间
治疗两周后,呼吸异常基本消失,恢复日常生活。
↑回到家恢复正常生活的小于
病例讨论
折耳猫患有先天基因缺陷,
心脏病的发病率很高,
基本属于基因缺陷导致。
此病例由于心脏衰竭导致一系列并发症,都会直接影响生命。面对这种病例往往是 急诊 ,心脏病发病期的存活率不超过30%,肺水肿引起的呼吸系统衰竭进而会引发全身脏器衰竭。
所以临床上首先要解决首要问题就是:
改善呼吸气体循环。

图|网络
先保命再治病。单纯使用药物利尿缓解肺水肿对于心脏衰竭的动物效果是甚微的,因为原发病因是心力不足,不能够提供足够的循环血液,静脉回流受阻静脉压升高, 不纠正心脏本身心力不足问题是达不到治疗缓解效果的。
解决了心力衰竭问题后,静脉回流,通常肺部积水自然会通过血液循环重吸收回血管,肺水肿自然会消退。 肺水肿消退后,动物潜在病痛消失自然开始进食,从而改善全身状态。
另外心脏病的诱发因素很多,排除基因缺陷,牙结石牙龈炎、药物中毒、食物中毒、运动量太少、肥胖都会诱发心脏病。临床上要具体分辨心脏病类型,针对用药。

图|网络
宠爱国际心肾科
该科室是医院重点医疗技术中心,在小动物临床诊疗中较早开展心脏专科疾病的研究。在诊治各种心脏疾病及疑难重症的基础上,以心力衰竭、心律失常、缺血性心脏病、高血压、动脉粥样硬化、心肌炎、心肌病、心脏瓣膜病与房室间隔缺损、周围血管病、心包炎、肺动脉高压、血管重建等心脏疾病的综合防治为特色,能够开展项目齐全的心脏介入诊疗项目。科室设有心功能室、超声心动室、心电图室、心导管室及心血管基础研究室,拥有强大的医疗、教学、科研及护理队伍,是少数几个能开展心脏手术、大血管手术和介入治疗的医院之一。肾穿刺活检技术,肝肾脏病理诊断技术等一些无法实施的肾活检在这里能够完成。
预防方案及康复后保健措施
医生,如何预防猫咪心脏病呢?
1、 心脏病主要以预防为主 , 要每年定期给动物做体检, 心脏彩超,血压的检测,有问题早发现,早治疗。
2、关注动物口腔健康,定期洁牙,平时做好牙结石牙菌斑的预防, 减少牙龈炎诱发心脏病的因素。
3、新养的猫咪要做心脏方面的基因检测, 排查基因缺陷的问题。
4、饮食上要注意不要太过于油腻或者过于咸,不要吃人吃的饭菜。 要科学猫粮饲养,配合吃一些保护脏器的保健药。
5、适量增加动物的运动量,提高心肺活力。
6、避免过度肥胖,增加心脏负担。
康复期都需要注意些什么呢?
1、首先 给与 利尿和正性心力药物治疗的同时要检测监测肺部积水的问题, 防止肺水肿引起的死亡。
2、恢复期按时服药很重要, 少吃一次药就可能导致心脏病发作期复发 。
3、恢复期要避免剧烈运动,此时肺部功能没有完全恢复, 剧烈运动可能导致休克和脏器衰竭。
4、 定期复查心超和肺部DR等相关指标。 是否需要调整用药。同时观察呼吸状态,是否出现异常腹式呼吸。
好的,谢谢医生。
主治医师
