7月30日上午,安阳市龙安区安阳建业花园里西侧,一块50.39亩住宅用地网上拍卖,溢价成交,每亩地价304.17万元,楼面地价为1825元/㎡,被龙安区国资企业竞得。

16号地块成交结果

16号地块成交信息

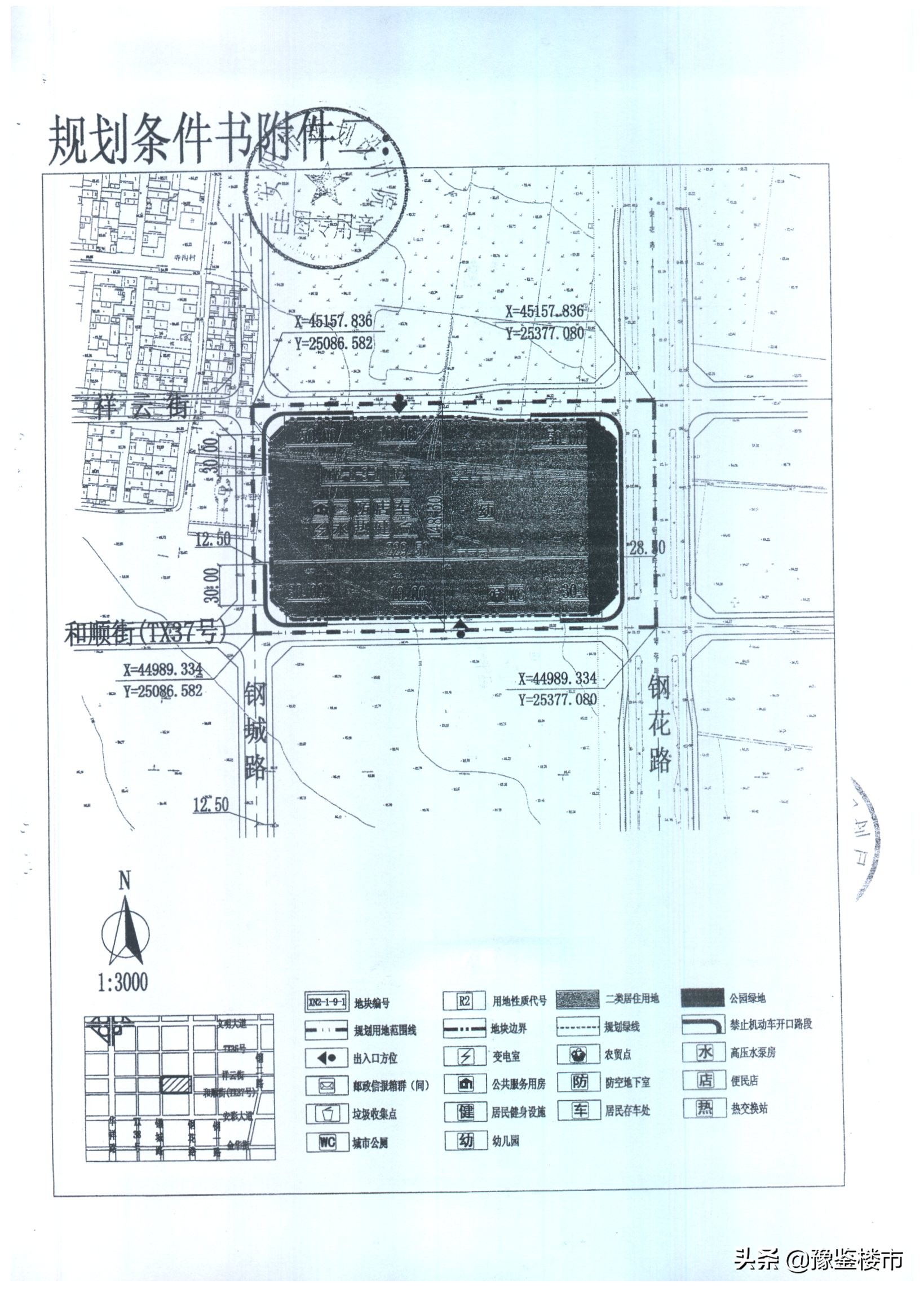
16号地块规划图

16号地块定界图

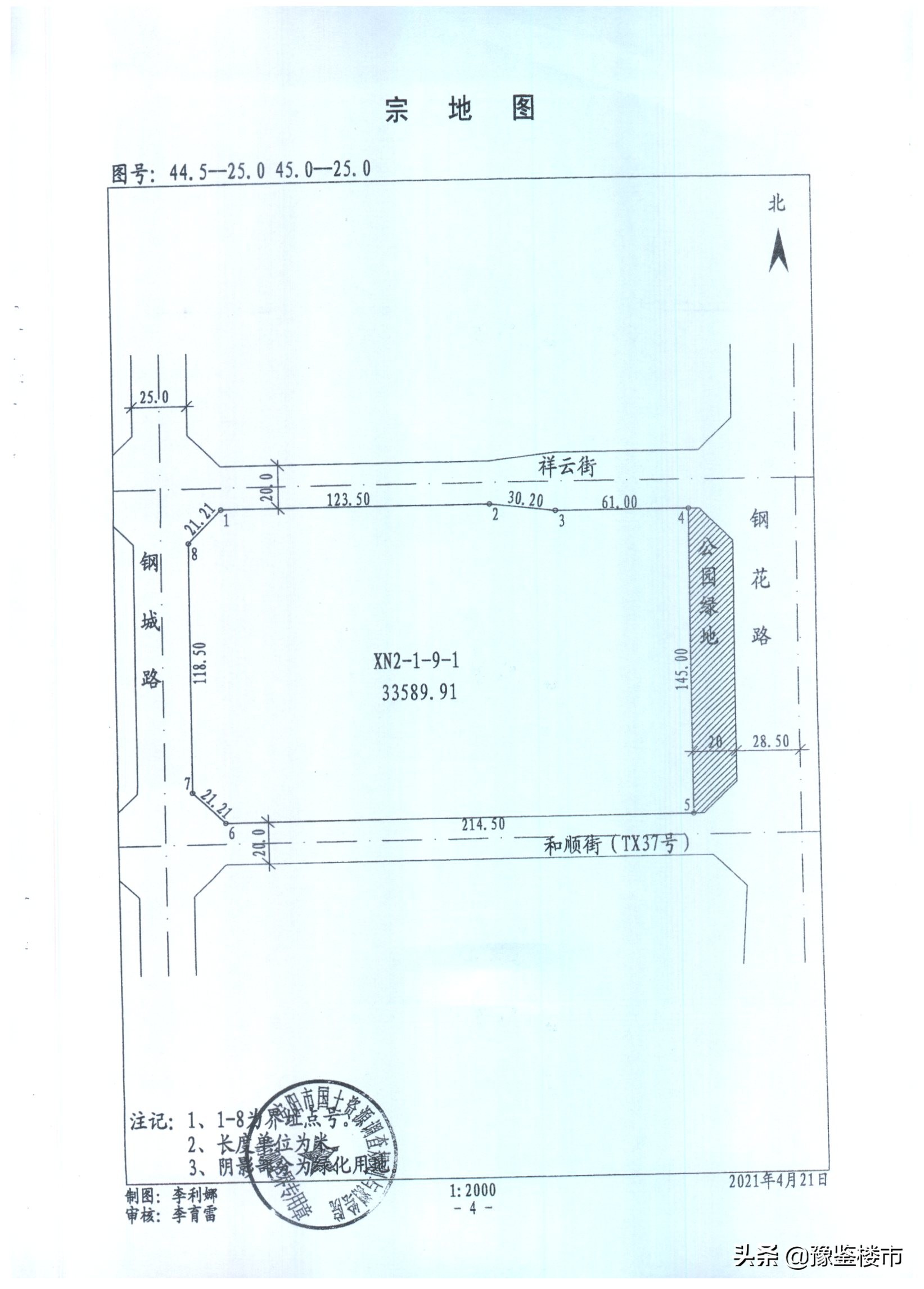
16号地块宗地图
ays-2021-16号地块:位于龙安区祥云街与钢花路交叉口西南,东至钢花路,南至和顺街,西至钢城路,北至祥云街,出让面积为33589.91平方米(50.39亩),土地用途为住宅用地,规划容积率大于1.0小于2.5,规划建筑密度不大于25.0%,绿化率不低于40.0%,建筑限高小于80米,土地使用权出让年限为70年。拍卖起始价为15227万元。
根据规划,16号地块需要配建公共租赁住房,配建比例为修建性详规确定的住宅建筑面积扣除*迁拆**安置住房面积余额的5%,成套住宅建筑面积不超过60㎡。需要配建600平方米建筑面积的农贸点。要配建装配式建筑,按照修建性详规确定的住宅建筑面积的20%确定,分期开发时需要在首期配建,确保该项目与其他单体工程相比,优先开工、竣工,优先配套,优先投入使用,建成后全部按商品房正常出售。
16号地块以15327万元成交,每亩地价为304.17万元,楼面地价为1825元/㎡,被河南省龙城创业发展有限公司竞得。该公司为龙安区国有全资子公司。
从地图上来看,16号地块周边有安阳建业花园里、丛台金悦湾、金秋华府、开祥.公园壹号、龙安公园、纬地万和府、万达天和等。