新京报讯(记者 王纪辛)今天下午,昌平阳坊路面温度达到37℃。新京报乡村频道记者在昌平区阳坊镇西马坊村云河兴旺果园看到,园内苹果树上已经挂果。但是,由于近日持续高温,嫩叶叶片的背面都长了蚜虫。果农尚保英告诉记者,这种持续的高温天,最容易爆发果树虫害。

苹果树上已经挂果。新京报记者 王纪辛 摄
小满过后,天气逐渐进入“烧烤”模式,农谚道:高温干旱虫害泛滥,阴雨连绵病爆发。此时的苹果处于幼果期,树上的青果个头相当于正常核桃的大小。“天热就爱长蜜虫,虫子还会招来蚂蚁来吃它,控制不住,苹果就掉了。”
尚保英所说的“蜜虫”学名叫绣线菊蚜,在持续高温天气里会大量繁殖。

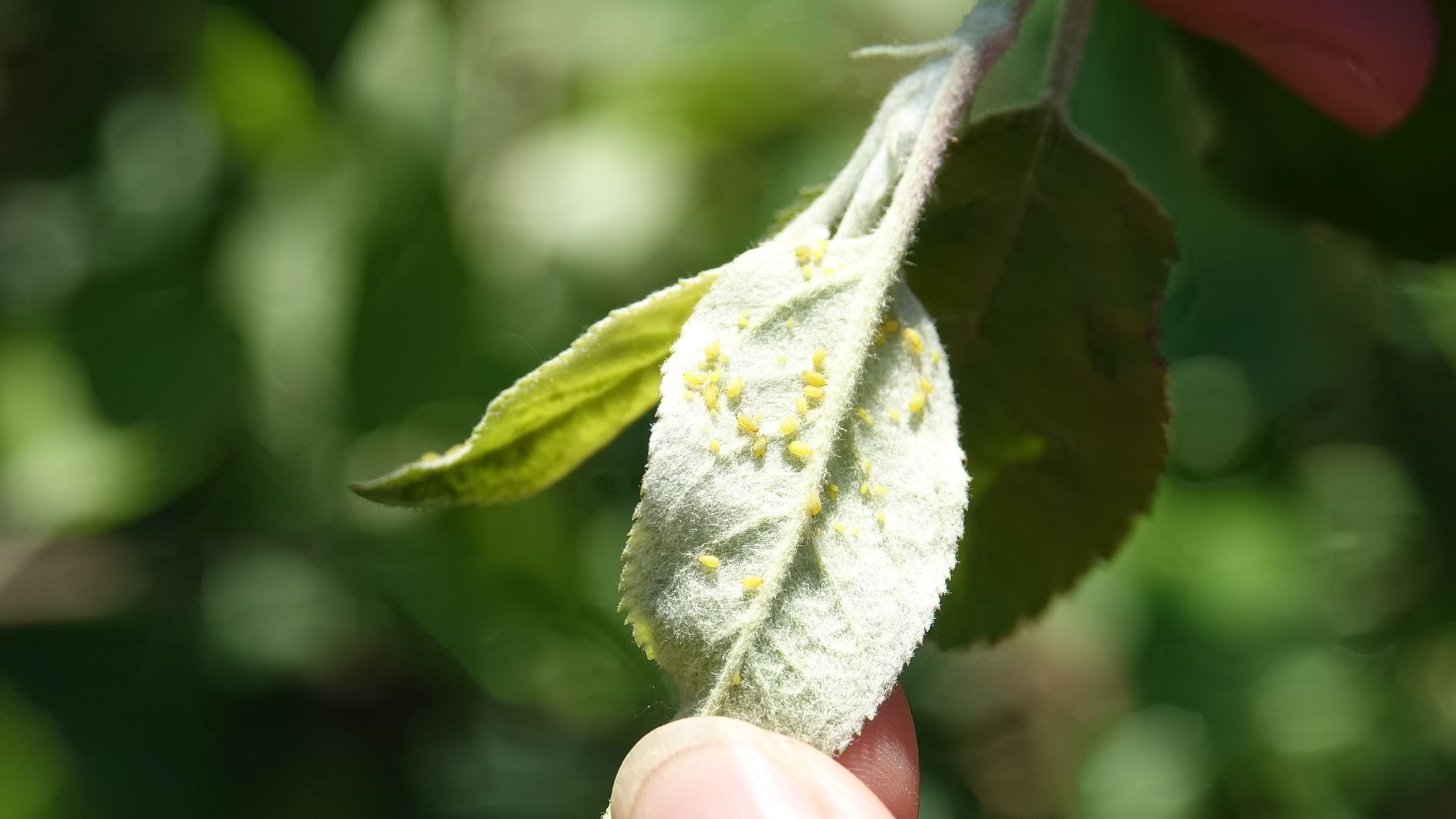
叶片的背面都长了蚜虫。新京报记者 王纪辛 摄
记者翻转枝头查看,在每根枝条顶端嫩叶背面都有淡黄色蚜虫,少的十几只,多的密密麻麻数不过来。据了解,这种虫通常生长在嫩梢、嫩叶背面及幼果表面,吸食汁液,树叶或幼果呈现褪绿斑点,造成树叶横向卷曲或蜷缩,枝条干枯。
“这个阶段也正是蔬果修枝的时候,再过两天就该给苹果套袋了,套袋之前需要喷药杀虫。”为了应对高温,果农会在园内适度浇水,调节温湿状态。缓解高温热害给果树造成的危害。

果农在检查苹果树。新京报记者 王纪辛 摄
另外,高温给樱桃树带来不可逆的影响是,加速果实成熟,导致果个较小。北京林业果树科学研究院研究员张开春在接受记者采访时说:“此时高温导致樱桃成熟过快,本来还能再长几天,由于高温发育过快的话,会影响品质,最大的影响是果子的个头。另外,气温超过30℃,会降低果树光合作用和减少营养积累,植物会感到不舒服。另外,高温可能还会引起病虫害的发生。”
对于眼下的高温天气对农作物的影响,专家表示,目前还没有特别有效的应对措施。
新京报记者 王纪辛
编辑 张树婧 校对 吴兴发

更多精彩内容请关注“新京报乡村”微信公众号