我家的狗狗是泰迪,最近不知怎么搞的, 一看到有人来,就马上冲过去要人家抱,接着它就开始滴尿。平时它都会自己去上厕所,也不会随便乱尿尿,但是最近是看到人马上就尿尿了,是什么原因啊?
作为狗子的爸妈,这样的事情你有没有遇到过?

有些爸妈带着家中新成员来到动物医院看诊时,常常会在看诊台上跑来跑去,当兽医师或者饲主一有动作,使它停止活动时,就会不自主的滴尿。或者在家中跑跳,主人突然抱起它来时,也会尿的饲主满身。

临床上比较常见这种狗狗猫猫不自主的排尿,造成很多毛小孩爸妈尴尬又不知道原因。
那狗狗会出现异常排尿的原因是什么呢?
排尿的基础生理
动物排尿是一种复杂的生理机制,相关的神经有交感神经、副交感神经与体神经,分别负责各种生理机制。

排尿可以分为蓄尿期与排尿期。
其实身体每时每刻都在制造尿液,但是动物不可能随时随地都在排尿,所以上帝创造了一个器官,叫做膀胱,来储存尿液。而人类也发明了一种东西称为厕所,让我们可以控制在适当的时候到适当的地点排尿。
而在不适当的地点或者不受控制的排尿行为,我们称为尿*禁失**。
不只有人类,动物也会有此疾病的产生。

宠物比人还要来得复杂许多, 因为 它不会说话,而且不知道我们所发明的厕所是何种意义, 所以通常要经由训练来使他们知道何时可以排尿,并且在哪个适当的位置排尿。

当宠物在不适当的时间或者是位置排尿时,要分清到底是因为它生理上有了异常,导致尿*禁失**的发生,还是因为不懂我们传达给他的指令,所以造成了它不在适当的地点与时间排尿。

你的想法和怒气,狗狗可完全不care,要给它良好的训练和指导喔!
如何科学训练狗狗排便,有兴趣的爸妈可关注爪印的公号查阅。
尿*禁失**
尿*禁失**分为 神经性与非神经性 的尿*禁失**,神经性的尿*禁失**包含了脊髓受伤、肿瘤压迫到控制排尿的神经或椎间盘疾病压迫到脊髓神经,可能伴随着后肢瘫痪、后肢肌肉僵直等其他的临床症状。

非神经性的尿*禁失**,通常是因为膀胱或尿道出现了异常,常见的原因有尿道阻塞、尿道无力、膀胱过度收缩与输尿管异位等。
尿道阻塞:
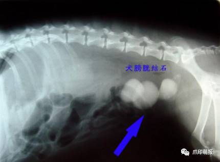
引起尿道阻塞的原因有感染、发炎、结石、肿瘤等原因,如果是部份阻塞,当膀胱内尿液的压力大于阻力时,尿液及会不自主的流出,引起尿*禁失**。
尿道无力:
尿道无力,原因在于尿道括约肌的神经受器,对于神经传导的敏感度降低,造成括约肌松弛,引起尿液外漏,造成尿*禁失**。

膀胱过度收缩:
膀胱是储存尿液的位置,在膀胱发炎或结石的时候,因为膀胱壁的过度刺激,引起膀胱平滑肌的收缩,造成不定期的排尿,也可能是因为膀胱内壁有肿瘤的生长,引起尿液储存量下降,而引起排尿频率上升。
输尿管异位:
输尿管异位也是常见引发尿*禁失**的原因,尿液是由肾脏制造,经由输尿管引导至膀胱储存,但是如果输尿管的开口位置不是在膀胱而是在尿道,就会引起肾脏制造的尿液无法储存在膀胱,而直接排出体外。

幼犬漏尿的心理原因
除了上述的疾病外,心理的因素也会影响动物排尿的行为,常见的为服从性排尿与兴奋性排尿。

服从性排尿,是当小狗认为他受到威胁时,为了表示服从而排尿,其他还包括了眼神逃避、耳朵后缩、避免眼神的接触与身体畏缩的行为。

兴奋性排尿,也是小狗常见因心理因素而引发的不自主排尿,主要是因为兴奋引起逼尿肌的收缩,而引起尿液的排出。
小狗子就是,开心了,滴滴滴! 害怕了,滴滴滴!
诊断与治疗
饲主需要仔细观察小狗排尿时的行为与时间,提供给兽医师完整的讯息,兽医师也会藉由理学检查、神经学检查、腹腔触诊、血液学检查、x光检查、膀胱造影术、尿液分析等方法,详细的评估出漏尿的原因。
当确认是生理引起的漏尿疾病时,针对引起的原因进行治疗,有些藉由外科或内科的治疗,得到完整的治愈,但有些引起的原因是无法根治,只能用药物控制。

如果是心理引起的漏尿行为,则需要毛小孩主人平时仔细观察是因为哪些动作或声音,引起异常排尿的刺激。
当得知是哪些原因后,就需要极力避免这些刺激,让狗子成为一个正常健康的乖宝宝。
资料来源 / 作者:
台北嘉興动物医院
1. Mary A.L. Mark J. A., Micturition Disorders and Urinary Incontinence. Textbook of Veterinary Internal Medicine, 7th Edition.
2. Wayne H. Canine housesoiling.
养宠物的最大意义
是成为彼此的家人
爪印原创,转载须注明出处
图片来自网络,版权归原作者