前言:
一方面,从7月份恒大城案名确定,8月6日展示中心开放,8月27日启动电商优惠活动,蓄客,到预计10月中下旬开盘,这节奏这速度真的很“恒大”!
另一方面,恒大城从一开始的一万二左右,到营销口径的均价一万三四,再到如今期待不超过一万五的心理价位,价格越说越高,仍在不断加码……
这个高新区的热盘恒大城,到底怎么样?今天就来说一说。
1 关于开发商
开发商玖智房地产,股东分别是郑州恒诚房地产、郑州世凯房地产和恒大郑州有限公司,而郑州恒诚和郑州世凯是新合鑫旗下子公司。2016年6月16日,恒大与新合鑫签署战略合作协议,玖智是恒大和新合鑫的联合体。

恒大就不再多说,相信每个购房者都有所了解,拥有国家一级开发资质,在多年的开发建设中,有一套成熟的标准化的“恒大”体系。而新合鑫扎根高新区多年,高新区政府的公关能力要胜于恒大。
恒大城由全国性土豪恒大与高新区“地主”新合鑫合作开发,恒大操盘,也是恒大在高新区继翡翠华庭之后的又一项目。
说到旁边的翡翠华庭,想当初,恒大与新合鑫因为该地块的竞争异常激烈,从而拍出高新区地王,一度被恒大作为营销噱头使用至清盘。而刚刚一年不到的时间,恒大与新合鑫即联手开发合村并城。难道之前的竞争是为了抬高地价,进而为后续的合作做铺垫?
目前恒大在市区的项目比较少,恒大绿洲和恒大翡翠华庭都已售完,还有恒大悦龙台、恒大雅苑和恒大城这三个新盘。而经开区的恒大绿洲在交房时曾出现业主维权,高新区的恒大翡翠华庭暂时没有出现问题,不过还没到交房时间,希望交房能够令业主满意。
2 关于区位
1、周边环境
恒大城所在的高新区位于郑州西北部,北临连霍高速,南临西流湖,东边与环城快速路相接,西与绕城高速公路相连。西四环穿区而过,距郑州市中心约12公里,位置相对独立。
先看一张图,恒大城所在的高新区大致位置▼

高新区是最早让郑州人感觉是工业聚集区的非宜居之地,不过随着多年的发展,如今算是一个比较成熟的区域,不过恒大城所处片区仍然比较荒凉。工厂和产业园多聚集在科学大道以南,不过按照规划,工厂后期会外迁。
目前入驻高新区的一线房企有万科、恒大、金科、保利等,以及本土知名开发商建业,永威、正弘等,近期高新区还发生一些热点事件,比如K2搅局钱隆城等。如今的高新区不再仅仅是价格洼地,品牌和实力的较量正愈演愈烈。
接着把图拉大,看第二张图▼
为了更直观,看第三张图,周边环境实拍图▼
第四张图,从沙盘上看一期首推地块周边▼

恒大城位于高新区连霍高速以南,西三环以西,目前周边给人的感觉确实比较荒凉,附近有不少简易房商店,职工宿舍,工地,以及还没有打通的道路,风景甚是不美丽。
整体来说,项目北侧是连霍高速,南边有沉砂池和莲花公园。一期首开地块对面是枫杨外国语,西侧有一条引黄干渠,将黄河水引过来注入沉砂池,两边会规划各50米的绿化带。
一期首开地块附近有三个不利因素需要注意:
1、东南方向规划是一个市政的公共停车场,噪音尾气会比较多;
2、东侧是一片安置房,可参看沙盘上一期首推地块东侧的灰白色楼栋区域;
3、北侧有一个其他公用设施用地,性质是垃圾收集点或者机动车停车场或者变电室。不过置业顾问的说法是引黄干渠水质检测站用地,这一点还有待考证。
2、交通情况
恒大城周边交通情况▼
周边几条道路现状实拍图▼

现在去恒大城大致有两条路可以走。一是走科学大道瑞达路,到莲花街,再沿牡丹街或银杏路到月季街,或者是从西四环走莲花街。恒大城目前的销售中心曾经是翡翠华庭的售楼部,不过里面已经全部换成恒大城的物料。
公共交通是目前的一大硬伤,周边没有主干道,好几条路都还没打通,附近连一个公交车都没有,打车只能叫滴滴。
地铁方面,规划的地铁线都完美地避开了这个区域。其中地铁1号线延长线河工大站点与项目一期直线距离约2.5公里,据说地铁开通后会有社区巴士接送,但不知社区巴士是否靠谱?
社区小巴士已经建成的站点▼

恒大城周边道路比如西三环北延和月季街东延,预计今年下半年会修通,贯通后可以直接走月季街到西三环。另外,西三环北延至连霍高速的下穿隧道也预计下半年贯通。垂柳路预计明年年底通至科学大道,池北路后期也会打通,三全路的西延工程也已经在规划中(规划将与月季街打通),郁香路现在还是一条土路,不太好走。规划的城市主干道新龙路以后将会从上街经过高新、惠济、金水、郑东新区、中牟通至开封。待这些道路打通后,交通情况应该会有所改善。
西三环北延工程示意图▼

3、关于配套
▼教育方面
很多购房者选择高新区,一个重要原因是高新区的楼盘基本都配有不错的学校。恒大城刚刚签约郑州大学实验小学,作为一个溢价卖点。官方资料显示,郑大实验小学由郑州高新区管委会于2011年9月创办,实力应该还不错。据置业顾问介绍,有购房合同就能上,不限名额,恒大城业主优先。但注意,最终还是要以签订的合同为准。
另外,项目还规划有多所幼儿园、小学、中学,但都是待建,正在谈,学校名字也不确定,教育资源看着不少,其实看的见摸得着的实在有限。
枫杨外国语与恒大城首开地块仅一路之隔,但由于是私立学校,不参与划片,所以跟恒大城没啥关系。
枫杨外国语学校实拍图▼

▼商业方面
商业比较鸡肋,目前周边基本无商业可言。首开地块倒是规划有临街的独立商业,而且交房后附近的翡翠华庭应该早已入住,相信商业基本能满足生活需求,但缺少大型购物商超。据置业顾问介绍,项目自身规划有14万方的商业综合体,在二期附近,至于什么时候开建,目前还是未知数。
因此,目前据恒大城最近的集中商业应该是科学大道的丹尼斯了,步行需要走4.2公里,开车15分钟左右。另外,牡丹路上荣邦城已交房的底商也有一些开业的商超,步行的话需要十几分钟。
牡丹路荣邦城底商实拍图▼

▼医疗方面
据介绍,翡翠华庭对面规划有一个三甲医院。目前附近还没看到小诊所,希望交房后医疗能跟得上。
3 关于规划
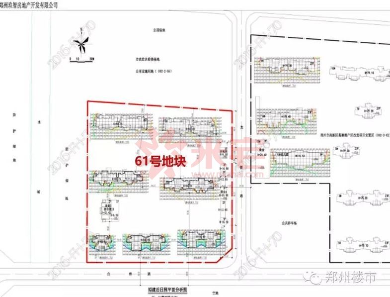
1、地块情况
恒大城是恒大与新合鑫合作开发的高新区关庄葛寨城改项目,首推的61号地块于2016年6月8日摘得,约59.7亩,容积率3.5,成交价22957万元,折合楼面价1648元/㎡(不包含城中村*迁拆**成本)。

2、产品情况
恒大采用一贯的先造景后卖房、精装修的快节奏策略,销售中心暂时沿用之前恒大翡翠华庭的案场。恒大景色造的让人眼花缭乱,尤其是雾森系统开的足足的,仙气满满,连会所前的景观都烟雾缭绕,让人不得不服,但不知道交房后还能不能继续这样开。
售楼部外景实拍图▼

已建成的会所前烟雾缭绕▼

步入案场后,巨大的沙盘上没有明确标明安置房的位置,也没有见到类似于不利因素公示的牌子或者标示。
售楼部内部沙盘实拍图▼

恒大城总占地1200多亩,总建面约135万方,共分三大期。其中一期首开地块占地60亩,总建面约19.4万方,容积率3.5,绿化率38%,规划7栋20-26层的精装高层。住宅风格依然偏欧式,配套依然是商业街和五星级会所,园林景观依然是万年不变的中心湖景。
一期首推地块鸟瞰图▼

与翡翠华庭相比,恒大城确实更偏改善一些,楼栋更少,楼间距更大是不争的事实。60亩仅规划7栋楼,不到30层,密度小,楼间距还是非常不错的,都是50多米,而且没有底商,居住更舒适。
虽然园内绿化是恒大的拿手好戏,但大片的水景涉及到后期较高的维护成本,这就要看金碧物业的表现了。大部分水景在小区交付一年后基本都不不堪入目,希望恒大做水景不仅仅只为了在销售和交房时让大家热闹一下。
已建成的会所实拍图▼

首开地块上的会所目前已经建成,据说里面配有四季恒温泳池,兵乓球室,台球室,健身房等。
4 关于户型
1、户型配比
恒大城一期首推地块户型配比▼

一期首推7栋楼,约1250套房子。最小的户型80㎡,小三房96㎡左右,相比高新区70多㎡两房,80多㎡三房,面积有所扩大。100㎡以上的户型占比增大,超过一半,相比翡翠华庭更偏改善。
其中100㎡以下的户型主要集中在1#、2#、3#楼,邻月季街,因楼栋问题,朝南户型采光好但临路,比较嘈杂不够安静,朝北的采光有问题但相对安静且直面中心湖景。
2、户型图
首先,售楼部的纸质户型图以楼层平面图的形式显示,各户型位置一目了然,而且均标明尺寸,全赠送与半赠送面积也标的很清楚,点个ZAN。
举个例子,如7-2#楼层平面图▼

项目整体户型中规中矩,就不再多说。这里简单说一下位于1#和2#楼上的边户96㎡小三房,目前售楼部样板间开放的也有这个户型,但这个户型不推荐。
1-2#和2-2#楼层平面图▼

作为一个两梯四的边户,却没有做到真正的南北通透,阳台和客厅朝北(据说是为了便于观赏中央水景),可以说常年见不到阳光,次卧和书房也朝北,只有主卧朝阳。入户门打开正对餐厅,完全没有私密性。为了长久居住,强烈建议首选朝阳的户型。
5 关于装修
1、装修标准
恒大城精装交房,壁纸、地暖、指纹密码锁、新风系统、可视对讲都是有的,附上装修品牌供大家参考。据说交房时就是这些品牌,不过最终交付还需以开发商为准。
恒大城精装修品牌▼

步阳入户门和三星指纹密码锁▼

2、精装样板间
恒大在郑州的几个盘交付后,关于装修问题一直褒贬不一。这是86㎡两房的样板间,据说层高2.95米,铺上地暖吊完顶之后的净高不到2.8米,再加上赠送的水晶灯吊在半空,进屋明显感觉压抑。另外,电视背景墙是赠送的。

主卧带飘窗,交房时防护栏是装好的,且是隐形护栏,但次卧没有飘窗。

厨房交付情况,除了能带走的,剩下的都是交付标准,包括橱柜、抽油烟机、燃气灶等,消毒柜也是赠送的。

卫生间交付情况,除了能带走的,大到玻璃门,小到挂在墙上的卫生纸盒。

3、样板装修的几个细节
因为是精装修的房子,后期打壁柜不太方便,购买独立衣柜储物肯定不够多,所以后期的收纳储物会是个比较大的问题,下面看几个细节。
卫生间的镜子设计成一个壁柜的形式,柜面作为镜面,打开后里面可以放些洗漱用品。

主卧的门打开后,后面有一个凹槽,节省了一些空间。

另外,厨房的可伸缩水龙头洗菜会比较方便,可随意冲洗台面。还配置了直饮水系统。

据说恒大城的装修标准从1500元/㎡提到了1700元/㎡,这个先不做考证,不过总的来说,恒大城确实是“刚需装修”的升级。至于装的是否难看,是否落伍,这个仁者见仁。
写在最后:
整体来看,恒大城依然带有鲜明的“恒大”特色,不过产品本身还是加了些改善需求的诚意的。在大家纷纷捂盘,降低推盘频率的当下,恒大依然保持着快节奏,预计10月中下旬开盘。
但是价格方面就难遂人意了。目前恒大城释放的价格堪称高新区最贵,作为千亩大盘的首期真的会以这么高的价格出售吗?不过恒大与快节奏匹配的就是诱人的“优惠”,很多人也在等待开盘时的优惠力度,但大家要明白羊毛还是出在羊身上。不禁想到金科城和鑫苑国际新城的开盘价格,真是良心!虽然是毛坯房,但地段都更优越。
结合恒大落地郑州的几次表现,建议期待恒大城的购房者要综合考虑。毕竟目前周边各项生活配套还不成熟,而规划中的配套又是需要时间验证的。故该项目对满足偏爱高新区的普通改需比较适合,可以重点关注,但置业仍需理智。
最后还是期待郑州乃至全国的房价能理性发展,对各方都好。
(完)
更多犀利、客观、深度的郑州楼市分析、团购活动、人文教育等,请关注微信平台《郑州楼市》,微信ID:zzloushi,这是一个媒体。
欲了解郑州或海南某楼盘的详细信息、购房分析、动态、点评、探盘实拍等,请关注微信平台《米宅》,微信ID:mizhaicom,网址:www.mizhai.com,这是一个购房工具。
以全球视野的高度了解财富真相、把握投资机会,请关注《米筐投资》,微信ID:mikuangtouzi。