
北青社区报 (微信号:tongzhoushequbao)记者了解到,为加强划拨用地管理,根据国家和北京市的相关规定,经审核,北京双城通达房地产开发有限公司此前申请的 北京城市副中心0302街区FZX-0302-6002地块A334托幼用地项目 符合《北京市实施国土资源部<划拨用地目录>细则》,现拟按划拨方式办理供地手续并进行公示。

作为和 FZX-0302-6004 经常绑定在一起讨论的 0302-6002 同样位于通州黄金地块,共同形成沿翠屏路打造“新居住+新酒店+新教育+城市会客厅”的缤纷小街。
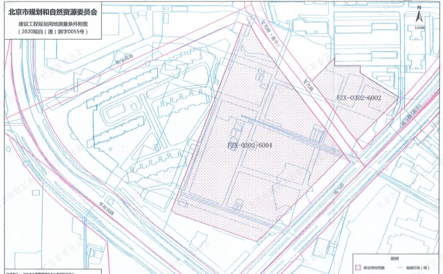
FZX-0302-6004、6002地块
据悉,北京城市副中心0302街区 FZX-0302-6004、6002 地块F1 住宅混合公建用地、A334 托幼用地国有建设用地项目位于北京市通州区梨园镇, 东至九棵树西路、南至翠屏西路、西至西小马小区、北至翠屏路。 从区位来说,该地块处于通州传统成熟板块梨园,无论是居住体验、交通、商业配套还是医疗等,都非常完善。

地块位置图
本次拟按划拨供地的建设项目名称为北京城市副中心0302街区FZX-0302-6002地块A334托幼用地项目;申请用地面积为6754.42平方米。公示时限2021年11月2日至2021年11月11日,申报单位为北京双城通达房地产开发有限公司,设计单位为北京市住宅建筑设计研究院有限公司。

据介绍,其中F1住宅混合公建用地,需分开单独安排住宅与公建布局,住宅建筑规模约63369平方米,公建建筑规模约27158平方米,容积率2.4,建筑高度36米,局部45米,地块的居住用途将全部建设商品住房,且不配建保障性住房。居住户数641户,居住人口1571人。

同时,居住用途建筑规模中 套内建筑面积 90 平方米以下住房面积所占比重须达到开发建设总面积的 70%以上。

除了住宅, 6002 地块还将配建15班幼儿园, A334托幼用地建筑高度16米,容积率0.8。

该地块地下空间介绍文件显示 ,FZX-03020-6004地块地下空间应与地铁站统筹一体化设计,宜将商业、公共服务设施、停车设施置于地下空间,并保障与地铁站间畅通,便捷的交通联系。

根据此前透露的M104线走向,拟在九棵树西路与云景南大街交叉口附近设站(京洲站),规划与S6线换乘, 而此区域正是挂牌地块区域,也就是说,未来M104、S6线都可能在这里设站!
方案设计亮点
按照城市副中心发展定位建成具有核心竞争力、彰显人文魅力、富有城市活力的国际一流的和谐宜居现代化城区。沿翠屏路打造“ 新居住+新酒店+新教育+城市会客厅 ”的缤纷小街。
城市会客厅为周边居民提供公益讲堂、健身、艺术展廊等服务,丰富大家的生活。


幼儿园创新营造儿童成长场景,打造高品质“近零能耗”示范幼儿园。 住宅践行高标准宜居技术,厨余垃圾近零排放,打造绿色低碳示范社区,实现碳中和。
同时,中标企业承诺全面实施三星级绿色建筑,装配率93%,实施超低能耗建筑面积达到总面积的比例为100%,实施健康建筑面积达到总面积的比例为100%。
专家表示,此次中选的方案,建筑设计精细、方案质量高、亮点突出,符合高质量的政策导向,既具有较强的可实施性,也具有一定的创新性。方案体现了此次高标准评选的成果,也具有示范性,能够带动其他住宅项目设计水平的提高。
市规自委介绍,此次高标准方案已全部取得建设工程规划许可证,为开工建设奠定了基础,相关部门的审批时间较以往压缩了一半以上。
部分内容综合自北京日报
