笔者前几天下乡走访果园,发现了现在果园里的诸多问题,上篇文章写的果园里苹果树病毒病问题。

这一篇文章写写苹果树上果农们俗称的“羊胡子”锈病,这个病也是当下比较流行的病害,笔者走了几块果园都有这种情况,有轻有重。
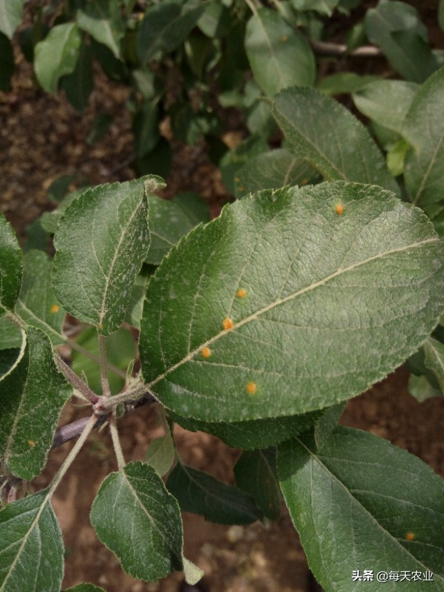
下图是笔者今年拍摄的情况:

苹果树锈病侵染叶片正面,作者拍摄于2019年5月

发病初期叶片,作者拍摄于2019年4月份
老套路先了解苹果树锈病,它又称赤星病、“羊胡子”,这病害主要危害苹果的叶柄、幼叶、果实和新梢。它的主要寄主是在桧柏、片松、FG梧桐等绿化树品种的体表寄宿越冬,第二年春天当气温达到17度以上开始随雨水和春风传播到果树上,20度左右高湿情况下发病最为严重。

锈病侵染幼果图片,笔者拍摄于2019年5月
说到这里,好多人会问:没出现过和已经出现的应该怎么办?预防、治疗。

苹果锈病发病后期叶面背部(羊胡子),作者拍摄于2018年8月
这种已经是成熟的病菌孢子了,具有非常强的生存性、寄宿性和传染性,而且“羊胡子”会分泌粉状菌丝物质,随风飘到苹果表面后,严重影响苹果质量。

锈病侵染后期正面图片,作者拍摄于2018年8月
方法1.建园时尽量不要选在里绿化树带较近的地块,尽量切断侵染循环。
方法2.秋天和春天尽可能得清理干净果园内的枯枝落叶,最大程度减少侵染寄宿可能性。
方法3.药剂防治,预防和发病初期:春季苹果开花前可用43%戊唑醇4000倍液喷施,如果防治效果不理想可换40%腈菌唑3000-4000倍液防治。
可间隔10到15天,连续防治2到3次,应该能达到很好的治疗效果。

喷药后一周病斑效果图,作者拍摄于2019年5月。