金毛犬性格温顺大方,而且聪明好饲养,备受人们的关注和喜爱。今天给大家总结了养金毛犬的几条建议,下面的如果主人做好了,其实狗狗会更加健康哦,你都做好了吗?

一、别带它去泥坑玩
我们都知道,金毛犬对于泥巴真的是情有独钟的,当它们看见泥巴,会不顾一切地去滚上几圈,看见泥巴就犹如看见亲爹一样,然后会脏兮兮跑回来,然后又要你收拾洗澡等,这就气了无数的铲屎官了,这一点你确定真的能够接受吗?

二、每年带去体检
其实带狗狗体检真的是很有必要的,如果饲养了金毛犬,主人可以每年带它们去体检。带金毛犬体检,可以及时发现相关的疾病等,一旦发现可以及时治疗,这样对主人对狗狗都是比较好的。

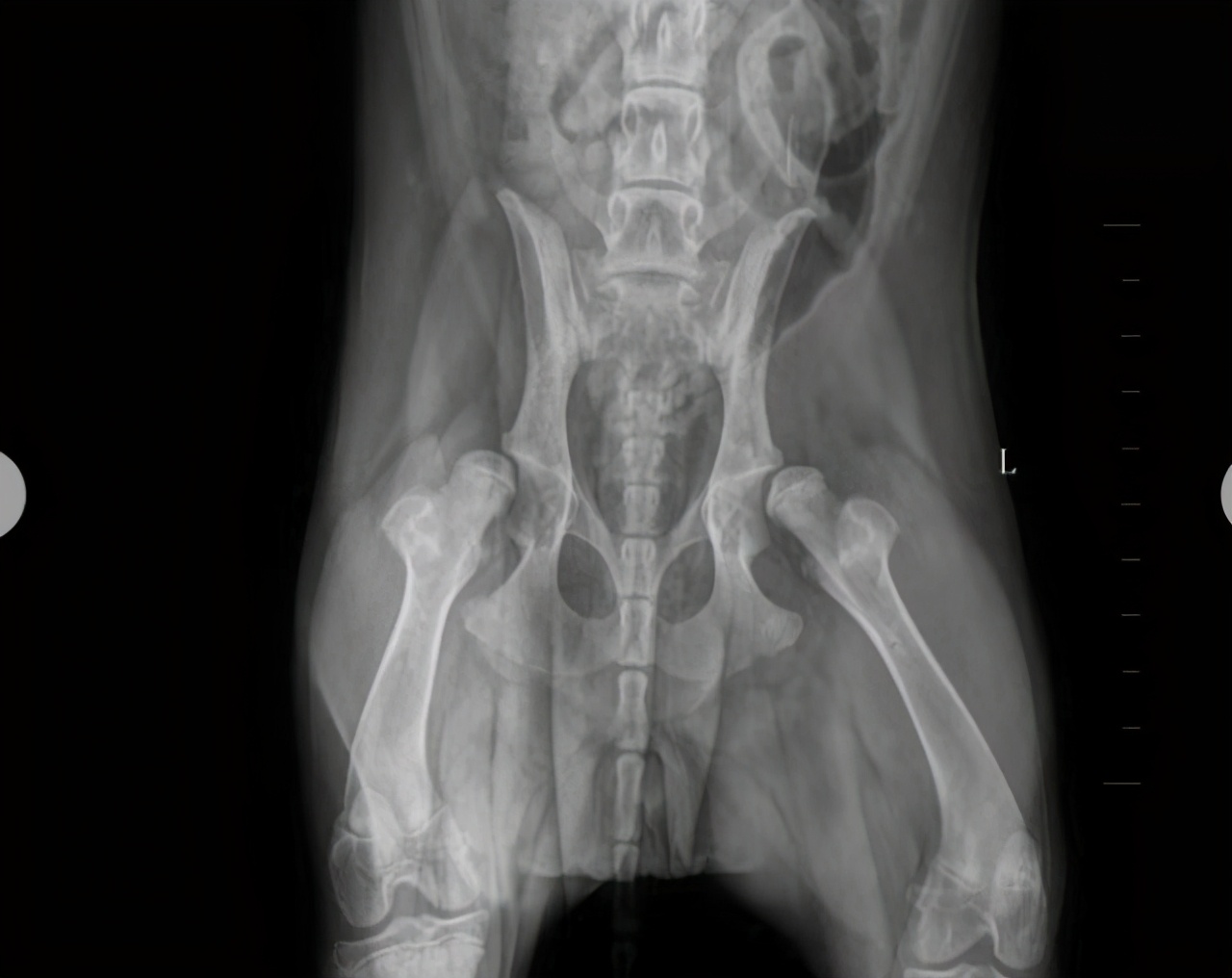
三、别让它经常爬楼梯
金毛犬属于中大型犬,它们容易出现髋关节发育不良的情况。所以铲屎官要注意好,不要让金毛犬经常爬楼梯哦,还有,尽量不要让它从高处跳下,不然容易伤害它们的关节。
主人也要重视金毛犬从小的补钙工作,有助于增强它们的骨骼哦。

四、要喂食也要运动
金毛犬除了吃以外,还需要经常运动,不然就容易有肥胖问题,骨骼也无法舒展开来。特别是部分宠主因为没有时间,就把金毛关在笼子里,脚下也没板子,时间久了,狗狗的脚垫开叉成了趴蹄,不仅影响美观,也容易出现关节问题。
每天早晚建议外出遛弯,适当运动,加强身体素质锻炼。外出活动可以进行些小训练,表现好就奖励些鸡肉干零食,可以提高狗狗训练的积极性。

五、给它们做绝育
给狗狗绝育,一直以来都是备受争议的。但其实大部分宠物医生认同狗狗绝育。这样可以避免狗狗过度繁殖,减少了流浪狗的数量。还能预防与生殖系统相关的危及生命疾病,包括一些癌症。
给金毛绝育,总体来讲能够减少很多疾病的发生,可适当延长它们的寿命哦。

六、狗粮要选对
一般都是建议给狗狗喂食狗粮为主,但是给金毛犬选择狗粮的时候,也要选择健康,合适的,狗粮一定要选对哦。
狗粮里面分商品粮和天然粮,商品粮因为食材都是用一些低廉的废料,所以价格便宜,一般在5-15元之间。天然粮选材优质,价格会比商品粮高一倍,一般在20元以上。狗遇到了你是一种缘分,它生命只有匆匆十多年,想它能陪伴你更久,最好选择一些天然粮,狗狗吃了更健康!

结语:对于养金毛犬,你还有什么好的建议吗?
