学校建在家门口
无疑让家长省不少心
北店嘉园附近有这么一处地儿
两年前就规划建设小学
近日有家长咨询回天家长圈
想了解最新进展
小编进行了实地探访
第一手资料来了
小编了解到,为解决回龙观天通苑地区适龄儿童入学的迫切要求,昌平区教委拟在昌平区龙泽园街道建设一所24班完全小学,计划招生960人。
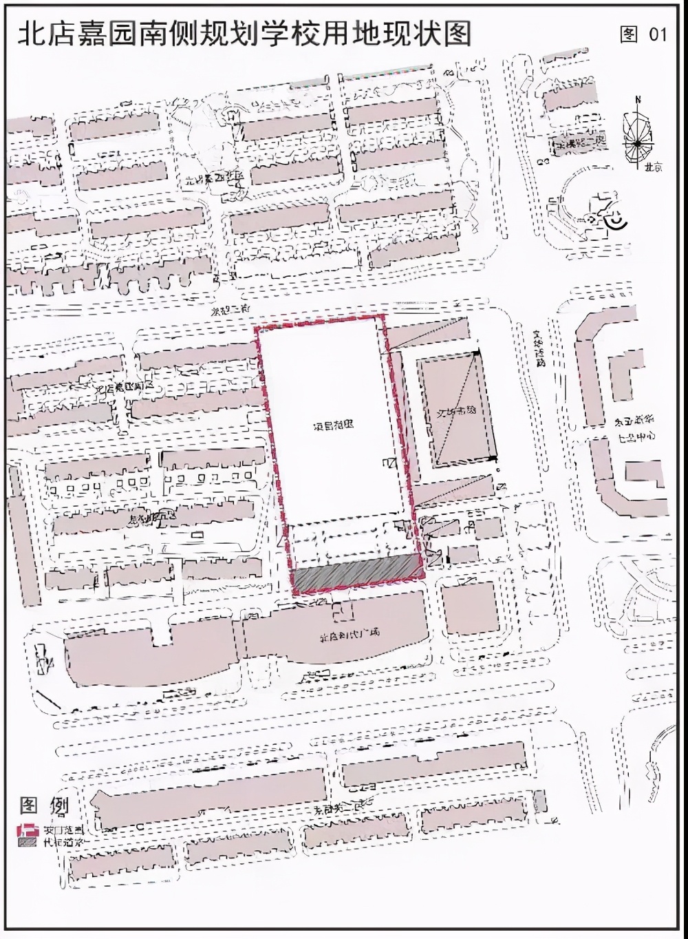
早在2019年中期,北京规划和自然资源委员会昌平分局就核发了北店嘉园南侧学校的选址意见书。选址北至周良路,南临北店时代广场,东临现状文华市场,西临北店嘉园南区。


4月22日上午,回天家长圈小编进行了现场走访↓↓↓

这块空地四周被一人高的围墙圈了起来,里面没有任何施工的动静。

越过围墙往里看,此前还是杂草荒芜的地面,已全部被绿色防沙网覆盖。

在南侧中间位置,有一处敞口,里面有个像是被挖掘机挖过的深坑。
“这块地儿空置很久了,在今年年后好像来了一辆挖掘机,之后就再没有工程车过来了。”附近一家店铺的老板说。
“目前周边小区孩子有到华北电力大学附属小学上学的,也有进入昌平第二实验小学上学的。”一位附近小区的居民说。对于什么时候将开工建设,多位附近居民都表示“不太清楚”。
“如果这个学校建起来,那对家长们来说就太好了,毕竟在家门口,方便接送。”北店嘉园北区的一名业主说。
那么,这片确定要建学校的空地,为何迟迟没有动工呢?小编发现,在“北京昌平”问政平台,今年1月,就有人提问:“北店嘉园南侧学校2020年5月已经定标,至今未进场施工,什么时候才能建完招生?”
昌平区教委回复称,北店嘉园南侧规划学校已纳入回天行动计划2019年正式项目,于2020年10月取得开工许可证,目前学校红线内由于未完成腾退工作,不具备施工条件。就此问题已向相关部门及镇街反应,正在协调解决中。
4月22日,小编也拨打昌平教委电话咨询,不过没有接通。
据相关资料介绍,学校规划项目总用地面积约2.2公顷(最终用地面积以用地钉桩为准),其中建设用地面积约2公顷(最终用地面积以用地钉桩为准),规划地上总建筑面积约1.6公顷(最终建筑规模以规划许可为准),绿地率≥20%,建筑高度≤21米。
该拟建学校将设置语言活动室、手工艺教室、心理活动室和科技活动室,还有大报告厅和现代艺术展演厅。A区附楼屋顶空间计划建一个屋顶花园。
另外,出于学生安全着想,校园内实现人车分流,除消防车道外,车辆仅限于东侧校内道路通行,就近设地下车库出入口。
据了解,北店嘉园南侧规划小学周边有北店嘉园、龙禧苑、龙腾苑、云趣园等多个小区,总人口约2.1万人。小学建成后,周边小区的孩子们上学将更方便。
我们也期待这所学校早点建起来
对于学校的最新进展
回天家长圈将持续关注