如果您喜欢本篇文章,劳驾点击右上方的“关注”以增加您的阅读体验,同时感谢您的支持与鼓励!
一般来说,夏天海水的温度相较于陆地上的温度,温度都是要更低一些的,而到了冬天,海水又能够保存温度,使得海洋的温度要更高一些。一般来说,在北半球温带气候当中的海水温度,在夏天基本上在二十度以上,二十七度以下左右的一个位置。
但是在今年的美国南海岸的佛罗里达州,海水的温度竟然已经达到了惊人的三十二摄氏度!温度最高的位置甚至已经接近了三十四摄氏度,我们仅仅只是看海洋的温度,就已经可想而知今年的佛罗里达州的地面温度究竟有多么的热了!
而这种极端的气候,更是极有可能将会向我们人类带来相当多的灾难,并且解决气候问题对于我们人类各国来说,已经是一个刻不容缓的问题了。

如今全世界的气候问题,已经越来越成为一个当今人类所必须共同面对的一个重要问题了。气候异常已经出现在了我们生活的方方面面当中,每一年的夏天,几乎都没能够打破历史上最高气温的记录,每年的冬天也都是号称“最冷的冬天”。
即便就是在我国,暴雪以及暴雨这样的极端天气,出现的也已经越来越频繁了。在并不久远的过去,就有着郑州大暴雨,使得河南的黄河口险些决堤,河南省大片城市与土地以及道路被淹没。
到了今年,又有了京津冀华北平原的大暴雨,使得在京津冀华北平原当中,尤其是北京市门头沟区以及河北保定市涿州的泛洪区当中,更是出现了数十年未见的大洪水。
在华北大暴雨以及洪水过后,紧接着就是黑龙江省的暴雨以及洪水,这种密度的气候问题可以说是相当的罕见的。
除此之外,最近两年的时间当中,我国发生山火的次数也在逐渐的变多,气候问题已经开始越来越走入到了人们的生活当中。

如果我们将目光放到国外,今年太平洋海面上的热带风暴以及台风的次数也正在变得越来越多,包括菲律宾以及印度尼西亚还有我国的台湾地区,等较容易受到台风天气影响的地区以及国家,大多数都已经承受了数轮台风的袭击。
欧洲地区在夏天的气温,也已经开始逐年的突破有历史记载以来的天气高温记录,几乎每一年都是“最热的一个夏天”。对于如今的欧洲各国的人民来说,仅仅只是在路面上喷洒海水,已经不足以让街道上的行人降温。
如今的欧洲人甚至已经开始更改他们的生活习惯,在家中装上空调来避免自己在家中中暑。这一点在欧洲地区的内陆地区,以及靠近地中海沿岸的地中海气候的国家当中表现得尤为明显。
可以说极端气候的问题,如今已经在改变欧洲人民的固有生活习惯了。但是即便如此,在今年甚至就连海岛气候,并且常年较为湿润凉爽的英国都已经能够感受到今年是一个炎夏了。

而在我们所最为关注,也是最重要的一个民生问题,也就是粮食生产的领域当中。今年的极端气候同样带来了相当大的问题,今年的干旱以及暴雨造成的洪涝问题,不仅只是在我国出现,同样在我国的一些周边地区表现得也相当的明显。
我国的极端暴雨的问题,所出现的京津冀平原,虽然是我国的一个重要的人口聚集地,并且同样也是我国的一个次等重要的产粮区之一。
但是京津冀平原尚且不是我国的主要产粮区,以及最为重要的产粮区。因此我国在粮食问题上面所受到的影响尚且还算是比较轻微,另外我国的大米主要生产地,东北地区以及东南沿海地区所承受的极端天气问题尚且较为轻微。

但是包括印度以及东南亚国家在内的全世界主要水稻生产国家,都受到了极端天气的影响。
其中印度受到的影响最为严重,印度是目前全世界第二大的大米生产国,但是今年印度国内的主要水稻种植地区都受到了极为严重的洪涝灾害的影响以及干旱的影响,印度国内的大米大幅度减产 。
同时泰国,缅甸以及菲律宾等国家的水稻种植地区都在一定程度上受到了今年的炎热天气的影响。根据菲律宾政府的估计,今年的炎热天气对菲律宾水稻生产所造成的持续影响,可能将会持续到明年的夏天才会结束。

目光调转回美国,目前美国也正在承受着极为严重的极端天气影响。并且其中的一个主要体现形式,就是今年的美国墨西哥湾沿岸的南海岸地区的天气,几乎已经炎热到了一个令人无法接受的地步。
而美国的南海岸之所以会出现这样的一种异常的现象,事实上正是因为今年的亚洲太平洋地区所出现的厄尔尼诺现象。使得太平洋地区的暖流以及热带气流,随着季风从东南亚的赤道地区来到了美国的南部地区。
并且对美国墨西哥湾的南海岸地区造成了极高的温度上升的现象。除此之外,因为近年来持续的全球气候变暖,以及大西洋洋流紊乱的情况,都是造成美国南海岸地区海洋温度异常的重要原因。
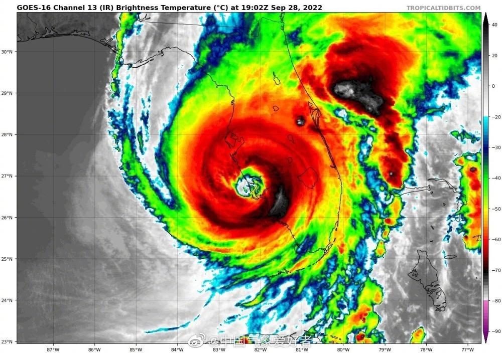
而如今美国南海岸地区的海洋温度地图当中,最为炎热的地区甚至已经热到发白,说明温度已经非常之高了。

而美国南海岸的海洋温度如此之高,对于美国来说有没有什么影响呢? 当然会有,并且影响非常巨大,热带飓风的形成,最为重要的两个因素就是炎热的海洋温度以及较高的空气湿度。
并且一般来说,这两种数值越高的话,那么海洋飓风所形成的力度也就越强。美国南海岸的佛罗里达州,或者说是,整个墨西哥湾,作为大西洋暖流以及太平洋暖流的一个交汇点,本身就是一个热带飓风高发区易发区。
如今又出现了这种海洋温度的极端现象,使得美国的佛罗里达州在今年的夏天更加容易遭受热带飓风的袭击 。

同时对于墨西哥湾当中的众多海洋生物来说,尤其是对于珊瑚群来说,海洋温度升高无疑将会是一场灾难。
海洋珊瑚群对于海洋温度有着较高的要求,一旦海洋温度长时间保持高温的话,那么海洋珊瑚群将会大面积死亡,同时生活在海洋珊瑚群当中的众多海洋生物也会一起死亡,最终造成整个墨西哥湾海洋生态系统的崩溃。
与此同时,海洋当中一些比较耐高温的生物,例如水母或者有毒水藻在失去了天敌的情况下将会大规模的繁殖,最终必然将会造成更进一步的生态灾难 。
如今的极端天气甚至已经出现在了北极地区,我们人类对于类似的情况必须要有所警惕了,否则将会为时已晚!