
重磅消息
宝鸡市中心医院港务区分院建设项目规划方案公示!

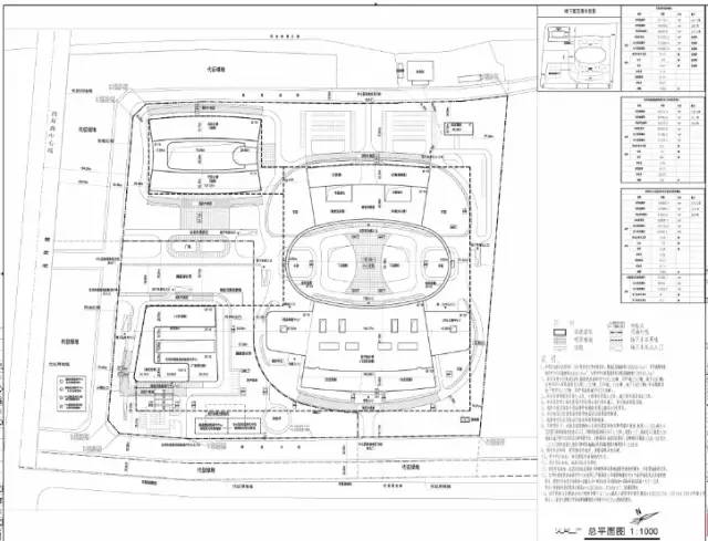
宝鸡市中心医院港务区分院
建设用地约 280 亩
计划设置床位 1000 张
实现日门诊接诊量 6000 人次

医院在哪?
什么时候建?
基础配套设施是否完善?
想知道就往下看

项目位于陈仓区凤凰大桥(西环路)以东、西宝高速以南、渭河以北。
4月28日,宝鸡市中心医院港务区分院项目正式开工建设。
将建成融现代化、人文化、智慧化、园林化于一体的生态节能型公立三级综合医院。

项目突出生态环保、降耗节能、集约高效、以人为本等设计理念,完善门急诊、住院、医技检查等医疗基本功能,突出创伤中心、心胸中心、妇儿中心、健康中心、后勤保障中心等标准化、模块化功能中心设置,实现“大专科、小综合”先进医学诊治模式。

拟建总建筑面积约31万平方米,包含急诊部(医疗急救中心、应急救治直升机停机坪)、门诊部、住院部、医技部、康复治疗及预防保健用房、教学科研用房、后勤保障用房、行政用房、单身公寓、员工活动中心、多功能学术中心、院史馆、病员室外活动场地、园林绿地、地下车库、人防工事及室外管网、污水处理等医疗及辅助配套设施。

近几年宝鸡民生工程项目不断增多
公立学校、医院都在有序安排
你还希望有哪些方面的提升和改变?
留言说说!
文章来源:美丽宝鸡
编辑:火山shiner 审核:刘阳
转载需告知并请注明出处,侵权必究!
如有侵权或转载版权问题
请及时联系微信后台
以便我们第一时间内删除相关内容
更多详情
宝鸡渭河的水好大......
紧急通知!宝鸡特大暴雨来了!还有这些景区紧急闭园......
倒计时!张载文化园一期9月底前建成!让我们共同感受关学大儒张载的“故事”!
宝鸡终于也有超火的高空玻璃水滑啦!就在玉池公社!8月10日见~
