新闸路是上海市中心区的一条东西向街道,地跨黄浦区和静安区。东起*藏西**中路,西至镇宁路。长4355米。
1862年,太平军进攻上海,上海公共租界工部局向西越界修筑了数条运兵道路,其中直接沟通租界的有两条:新闸路和静安寺路(今南京西路)。新闸路最初是一条土路,1868年,新闸路划归公共租界工部局管理后,从*藏西**路到卡德路(今石门二路)段铺砌了碎石路面。此后由于拥有苏州河水运的便利,沿路逐渐形成密集的住宅、商店、工厂混合分布区。1899年,上海公共租界大幅度拓展,该路也被划入界内。1908年,该路继续向西延伸,直到胶州路,同时在*藏西**路至卡德路段铺设了上海最早的电车轨道之一。

新闸路565弄61号
新闸路565弄61号建筑(*物文**保护点)
地址:新闸路565弄61号

行号图上的求德女子中学、求德女子中小学校(红色圈内)
新闸路565弄培德里61号,曾经是名声卓著的私立求德女子中学(原名培德小学)所在地。1939年,在培德里底六一号至一三三号教室共二*八大十**间,包括中学、小学、幼稚园,招收学生一千二百余名。目前这里是新闸路幼儿园。

东斯文里
不可移动*物文**编号:310106945190000241 东斯文里 民国 石门二路街道
地址:新闸路568弄、620弄、大田路464弄、492弄、546弄

东斯文里
斯文里在新闸路北的大通路(今大田路)两侧,以路为界分东、西斯文里。这是上海规模最大的旧式里弄之一。
西斯文里始建于1914年,东斯文里建于1918年。20世纪末,这片上海最大的石库门群落已着手*迁拆**。如今,“西斯文里”已于2011年被夷为平地。“东斯文里”孤独存在,占有新闸路568弄、620弄,大田路464弄、492弄、546弄,南苏州路1463-1475号几片“领地”。

陈独秀
1932年10月16日,轰动一时的“陈独秀案”,有一同案犯梁有光在斯文里一零四四号遭拘捕。梁有光,男,时年三十三岁,广西贵县人,住上海大通路(今大田路)斯文里,首饰匠。据梁有光供述:我从来没有加入*党共**,十月十六日在大通路孙竟宽(记音)家被捕。我住在他家里,因为他是我的兄弟梁有明的朋友。我以前在家里做金银首饰生意,十月一日才到上海,十四日到孙家。十六日上午十一时探捕敲门,全屋不知原故,异常惊慌。孙即跳窗而出,我不知道原委,以为发生意外,想爬至邻室躲避,失手坠下,并未逃走。*动反**书籍,我不知道,我并非房主人,东西我不能负责,我刚来,房东亦可作证。至说我是托洛斯基派各省调查员,全无证据。除孙竟宽外,罗思凡、谢少珊我都不认识。最终,梁有光被判无罪释放。

荣德生
发生在1946年4月25日,轰动上海滩的荣德生绑票案,其要犯朱产生当年就住在新闸路东斯文里一三一号。朱产生案发后逃往福州,后被擒获。1946年7月25日《申报》的报道:
朱产生昨解抵沪,指认肉票分得五千元美金。看守财神之罗渭泉亦在浦东就逮。荣德生绑案,经军警各机关努力通缉,先后捕获匪首及从犯逾二十名。另有斯案要犯朱产生(化名徐梦麟),远遁福州,嗣经市警局侦悉后,亟电福州水警总队,派警驰往。在国际饭店将该犯捕获,由市警局派干员搭轮前往迎提,已于昨午零点三十分许抵沪,归案办理。
据该犯在福州水警队供称,四十七岁,无锡人,无业,住新闸路东斯文里一三一号,曾于民国十六年间,为盗案被处徒刑十五年。对于绑架荣德生案,曾担任內线。
因为我的先生(即所谓老头子)荣炳根,他是荣德生之亲戚。远在七年前,荣之厂內有事,一切均由我先生处理,彼时我随先生常去,因此我认识荣德生甚熟。
至于绑架经过,缘有袁仲杼者,同我相识多年。在三月底,路上与袁相遇,彼约我至其家中谈天。抵其寓所后,遂谈及彼上次被捕时用去法币两百万元,现下手中很拮据,很想对荣德生动动脑筋,但不认识他本人,你对他很熟,请你帮帮忙。我当时问他怎样帮忙,彼说,只要我领去认识荣德生的面孔就行,别的都不用我管,让他们去办。
我当时允诺,约他四月初三上午八时在大三元茶室碰头,届时前往。与袁会晤后遂同至中正南路、江西路口等候,至十时许,果见荣德生乘坐二一一六二号黑色汽车经过,我遂对袁说,坐在汽车左边的就是他,袁注视后说,我认识了,乃各返家。临别袁嘱我三日后至彼家会晤。
至期,我至袁寓,与彼相见,并有袁之友人张明远(真姓骆,绰号老头子)亦在坐,袁问我你今天再领我去看荣德生的面孔,我遂与袁同至中正东路、江西路口,约十时许,荣德生汽车又驶过,袁仲杼上前细看后,说我已认识,现在姓郑的也在二马路看,这次看过好了,将来事体成功再来通知你。语毕,我遂回家。
逾二十余日后,我见报纸上登载荣德生被绑消息,后在黃河路一燕子窠內碰着袁仲杼,彼谓这件事非常困难,无从接洽,教我到乡下去避风头,当有消息通知我,下次在四马路小毛娘燕子窠內会面。我遂往无锡暂避。
约二星期后,在小毛娘燕子窠內与袁相遇,彼谓事体弄好,钱已放在张明远处,三日后再交。第四日在小毛娘家见面,袁当给我美金五千元,谓人数太多,你少用一点,上海现在已不能住,最好离开此地。我遂回寓,逾一星期后,遂返常州橫林乡下,收买兰子约百余斤,用去一百余万元。
又约一星期返沪,在大东茶室吃茶时,由友人孟阿二(名有章)之介绍,与邓铿轮买办沈伯民相识,沈谈及福州糖便宜,拟合资前往购买。当由孟、沈及我商妥各出资两百万元,共六百万元,托沈购买。我遂将十两重之金条一根交沈伯民,折算法币二百万元。我因上海风声太紧,遂籍买糖为由,乘邓铿轮同来福州,六月廿九抵达福州,开国际饭店六号房间,后移三号房间。至七月六日下午六时许,我外出乘凉时,被水警总队逮捕。
至于沈、孟二人对于绑架荣德生事,概无所知。到福州时,仅带法币九万五千元。抵福州后,一切零用开销,均由沈伯民借给我,计四十万元,请他在作价二百万元之余条內扣除。
又据市警局负责人对记者说,侦悉朱为荣案要犯之经过,十分曲折且亦凑巧。因有某警员与朱同住一弄,瞥见朱得赃后采购家具,服装华丽,今非昔比。于是引起注意,乃多方探査。
六月廿五日曾报上峰后,率警前往搜查其家,发觉朱本人已离沪,并悉其妻亦回橫林。因此益觉怀疑,乃搭车赶往橫林,捕获其妻,并抄出美金三千元,钻戒金镯各一,带沪侦讯,始和盘托出。
翌日上午又得一密报,谓是日上午有一裁缝者,伴送朱上邓铿轮去台湾。其时轮已驶出,经警务当局拍电至福州水上警察总队余总队长,请其协助;一面俟邓铿轮数日后进吴淞口时派警将买办沈伯民逮捕,供出朱在福州。该轮重行外航时,当派干员张发祥、陈先荣、任公琴等搭乘该轮前往。迨抵福州,朱犯业已由水警队就擒矣。
〔又讯〕荣案中足以证实全案之看票要犯罗渭泉(绰号落树生),经淞沪警备司令部稽査处陶处长督饬所属加紧侦缉,当由沪西稽査所郑所长秉承上峰指示,与该所王主任几经研讨侦査,始于本月十九日获悉罗悉浦东龙王庙,又运票沪字第七二四四号民船,已由浦东来沪,即派黃协心、周云江等,先至南市关桥第三号码头,将该船扣留,并拘获摇船夫潘金龙(据供未参加绑票),复赴浦东将罗捕获。据供系首犯骆文庆之徒,受命于公益里看票不讳。

新闸路613弄12号今貌
不可移动*物文**编号:310106925190000243 彭湃烈士在沪革命活动地点旧址 民国 石门二路街道
地址:新闸路613弄12号
保护级别:上海市*物文**保护单位

经远里弄口旧景
新闸路613 弄12号(原经远里1015 号),是一幢砖木结构坐北朝南旧式石库门里弄住宅。1928年至1929年间,这里是*共中**中央军委机关所在地,杨殷、彭湃、颜昌颐、邢士贞四烈士在这里被捕。
根据共产国际指示,1925年10月,*共中**中央决定,在“中央委员会之下必须设立军事运动委员会”。同月中旬,中央军事运动委员会(中央军事部)在上海成立。这是我们*党**中央最早的军委。

经远里中央军委机关旧址
1929年2月,中央军委秘书白鑫根据指示,以租客身份租下新闸路经远里1015号,作为中央军委、江苏省委军委的一个重要联络点。白鑫后来叛变投敌,他通过关系与国民*党**上海市*党**部情报处长范争波取得联系。两人密谋,意欲一举破坏中央军委机关。
1929年8月24日下午,中央军委、江苏省委军委在新闸路经远里1015号召开联席会议,与会者有中央政治局常委、中央军事部部长、中央军委主任杨殷,中央政治局委员、中央农委书记兼江苏省委军委书记彭湃,中央军委委员颜昌颐,江苏省委军委干部邢士贞和上海总工会纠察队副总指挥张际春。4时许,公共租界工部局巡捕房的数辆红皮铁甲车突然呼啸而至,大批荷枪实弹的武装巡捕、军警破门而入,大肆搜捕。因事发突然,后门和弄堂路口又有重兵把守,根本无法撤离,杨、彭、颜、邢、张等5人当场被捕。
周恩来立即主持召开紧急会议,同中央特科一起研究营救办法。当得到国民*党***动反**当局将于8月28日把彭湃等转解至龙华国民*党**淞沪警备司令部的情报后,决定于押解途中武装解救。但最终却因枪械出现问题错过时间以致营救失败。
8月30日,杨殷、彭湃、颜昌颐、邢士贞四同志英勇就义。一同被捕的张际春因系黄埔军校一期生,与蒋介石有着师生关系,蒋欲借此瓦解争取黄埔生中的*产党共**人,特将张际春区别处理,张也成为彭湃案中唯一的幸存者。然而,张际春采取不合作态度,直至1933年病逝于重庆。

晓钟剧团旧址原貌 (资料照片)
不可移动*物文**编号:310106945190000242 晓钟剧团旧址 民国 石门二路街道
地址:新闸路750弄6号
晓钟剧团成立于1942年,是由蒋文焕联络兄弟学校的教师和进步青年组建而成的专业性剧团。“晓钟”,暗指拂晓钟声之意,以文艺演出为*器武**,打击敌人,唤醒民众。剧团位于新闸路750弄6号,原来是石库门式住宅,这里曾经是私立维德小学的校舍。抗日战争时期,这个不起眼的学校内,曾经是一个*共中**地下*党**的秘密联络点。
晓钟剧团演出的第一个剧目《十字街头》,是在兰心大戏院上演的,由乔奇任导演,范正国负责音乐,演出效果极佳,盛况空前。在孤岛时期,剧团还演出了大量进步剧目,如《三人行》《九〇九少年队》《教师论沧柔》《上海屋檐下》等,使大家认识到*动反**统治的腐朽,激发了爱国热情。
抗战胜利后,由于国民*党***动反**当局打击逮捕*共中**地下*党**员和进步民主人士,剧团被迫于1946年停止活动。

中华新村(泰兴路445弄,新闸路1010号)
不可移动*物文**编号:310106945190000285 中华新村 民国 石门二路街道
地址:泰兴路445弄,新闸路1010号

中华新村(泰兴路445弄,新闸路1010号)
辛家花园(今中华新村)位于新闸路泰兴路口,原来在新闸路有一入口,门牌号为新闸路1010号,现在只有泰兴路445弄中华新村这个出入口了。

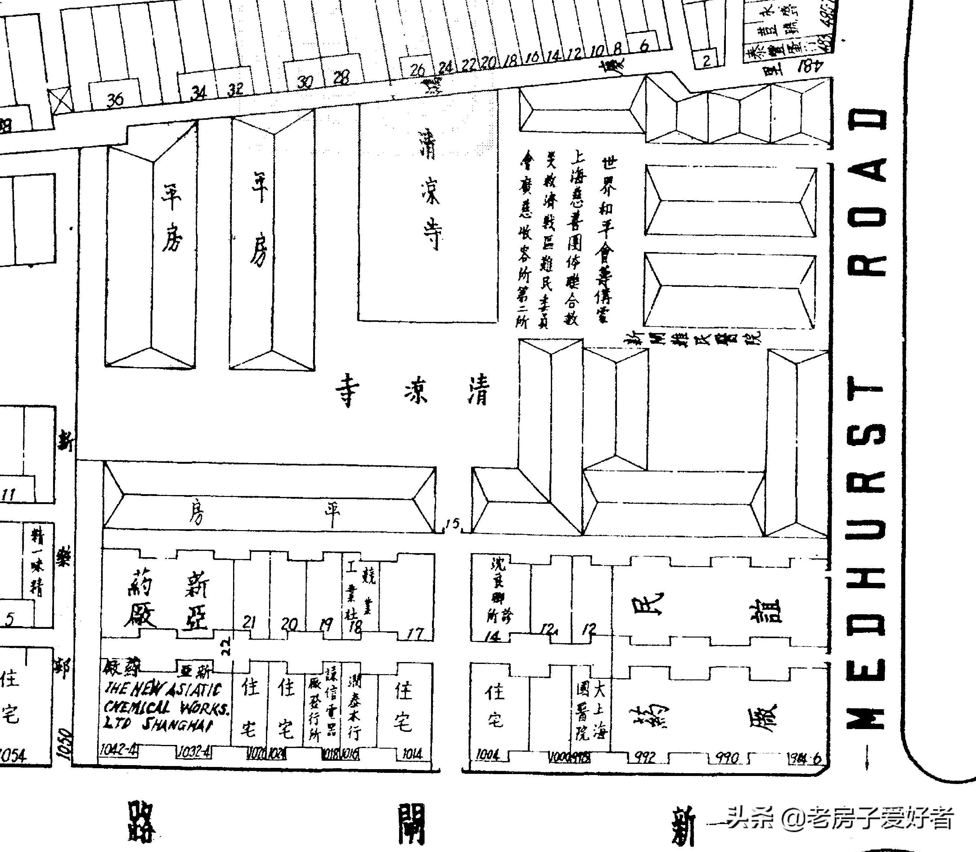
1938年版《上海市行号路图录》上辛家花园(清凉寺)位置图
在1907年的《申报》招租广告上写有:辛家花园坐落上海英界新闸路廿三号,计道契地二十三亩有零,又园外方单地七分零。园内楼台亭阁廿余处,围墻、走廊、池沿,并生财古玩一应俱全。如欲购者,请驾临通商银行与谢纶辉先生当面议价可也。

1948年版《上海市行号路图录》上辛家花园(清凉寺)位置图
1911年,盛宣怀购得新闸路泰兴路辛家花园,在园中建西式楼房,造水榭曲廊等。1914年,康有为寓居上海,以每月一百二十元的租金租赁花园南半部,并建“游存楼”、“补读楼”、“莲韬馆”、“闻思斋”等建筑,并以部分空地改为花圃、果圃,还饲养乌龟、袋鼠等上海罕见的动物。1921年康有为迁往愚园路自建的“游存庐”,地产仍归盛氏收还,不久盛氏家族将原辛家花园北部建为家寺,该寺后捐给佛家,改建为“清凉禅寺”。南部归房地产商,并建为中华新村。
1936年西安事变中,在清凉禅寺大殿举行祈祷大会,祈求蒋委员长安全回返,并求世界和平。追悼西安殉难之中央委员邵元冲、傅学文,及军委会秘书萧乃华,侍卫主任蒋孝先,及殉难官兵。参加祈祷者共达二千余人,祈祷大会举行了三天,不分昼夜。戈登路捕房派员维持秩序。字林等西报均派记者到场摄影。
1924年10月,神州影片公司租定新闸路辛家花园七九号洋房为办事处并将该处大草地作为摄影场。

新闸路1039弄星村
新闸路1039弄星村,建于1933年,旧式里弄住宅。著名沪剧表演艺术家杨飞飞、赵春芳曾在此居住。

杨飞飞
杨飞飞(1923-2012),浙江慈溪人,国家级非物质文化遗产项目“沪剧”代表性传承人。建国后先后主演了《家》、《雷雨》(饰四凤)、《为奴隶的母亲》(饰春宝娘)、《卖红菱》(饰范凤英)、《*女妓**泪》(饰金媛)、《张凤山卖布》(饰张妻)、《刘胡兰》(饰刘胡兰)、《第二次握手》(饰丁洁琼)等戏,以演出悲剧见长。“*革文**”后重建宝山沪剧团,先后担任团长、顾问。

新闸路1124弄沁园村
优秀历史建筑编号:JA-J-009-IV;不可移动*物文**编号:310106945190000284 沁园村 民国 石门二路街道
原名称/原(曾)使用单位:沁园村;现名称/现使用单位:沁园村
地址:新闸路1124弄
层数:3层;结构类型:砖木结构;建造年代:1932年;保护类别:三类

新闸路1124弄沁园村
据《申报》记载,李鸿章的长孙李国杰生前居住在新闸路沁园邨一零三零号。1939年2月21日,李国杰被*杀暗**在新闸路戈登路(今江宁路)口。

李国杰
李国杰(1881—1939),安徽合肥人,是李鸿章的长孙,李经述的长子。1924年李国杰当选了轮船招商局董事会会长,1932年又担任总经理,因负债累累,主持出卖招商局码头给美商中国营业公司,遭到起诉。1932年12月27日,上海地方法院判处李国杰徒刑三年,剥夺公权四年。李国杰不服判决,上诉至江苏高等法院,1933年6月5日,江苏高等法院改判徒刑三年六月,剥夺公权五年。李国杰不服判决,并向南京最高法院上诉,1936年6月最高法院终审判处有期徒刑八月,缓刑二年。出狱后,李国杰便从原来居住的霞飞路(今淮海中路)一零零五号搬到新闸路沁园邨居住。
在招商局担任董事长期间,李国杰还买凶*杀暗**了原招商局总办赵铁桥。
轮船招商局这个晚清遗留下来的庞大企业,因为油水太大,国民*党**人觊觎已久,但又不能公开抢夺,便打出“整顿”的旗号,在1927年国民*党**到上海后,逐步对晚清遗老的财产实行没收和监管政策。正是在这种背景下,赵铁桥被南京政府派到招商局担任总办。赵任总办之后,有政府作后台,大权独揽,李国杰不得不处处防范、退让,日久便生怨恨,摩擦不断。1927年年终,因贪污李国杰被告上法庭。李国杰被惹恼了,下决心报复,决定除掉赵铁桥。李国杰联系到了神秘杀手王亚樵,给了王亚樵一万大洋和一张赵铁桥的照片,于是1930年7月24日,赵铁桥在上海外滩福州路路口招商局遭到了致命*杀暗**。
多行不义必自毙,李国杰最终也没有落个好下场,1939年2月21日下午在与友人步行至新闸路戈登路口时,遭军统*杀暗**,被送往海格路红十字会医院后,不治身亡。

新闸路1124弄9号
不可移动*物文**编号:310106945190000320 阮玲玉旧居 民国 石门二路街道
地址:新闸路1124弄9号

阮玲玉
新闸路1124弄沁园村9号阮玲玉旧居,在村口左边的第二条弄堂内。据介绍,当年的茶叶商人、超级粉丝唐季珊弃别女演员张织云,用十根金条买下了这幢小洋房送给阮玲玉,一楼是阮玲玉接待朋友和客人的客厅,二楼则是她和唐季珊的卧室,三楼由她母亲和佣人居住。
从1933年搬进去后,阮玲玉一直居住在此直至饮恨自杀。1935年3月8日凌晨两点,阮玲玉在新闸路沁园村的住宅服*眠药安**自杀,男友发现后将她送往一间日本人的医院,因夜间没有急诊又送到一家朋友的私人医院,遭到拒绝。等到上午送达蒲石路(今长乐路)中西疗养院,抢救无效死亡。

原中西疗养院今貌
1935年3月10日的《申报》,以“遗书痛责张达民,阮玲玉含寃以死“为题对此进行了报道,下面是报道内容。

1935年3月10日《申报》
自电影明星阮玲玉自杀之噩耗刊诸报端后,不仅使阮之亲朋哀痛逾恒,即爱好阮之艺术者,亦无不同声叹息。兹将阮之自杀始末,探询汇志如下。
化为厉鬼
阮玲玉素富热情,自与张达民仳离与唐季珊正式同居后,对张仍未稍弃旧情,仍月致津贴百元,共达二年,计洋二千四百元。最近张审知阮深惧讼事,在电影界之地位,又不宜再提过去各事,为盛名之累乃以控诉方式为要挟,向阮需索万元。居间人往返谈商,阮已允付给四千元,张不允,又增至六千元,张仍不允。阮以张迫人过甚,乃愤然曰,彼指张达民诚欺人太甚,余今生虽不愿与彼对薄公庭,死后必化为厉鬼索命。但听者固未料其即萌短志也。
暗自服毒
七日晚十一时许,阮犹在联华制片厂中,与众友朋暢谈,并聚餐宵夜,至十二时许,始返新闸路沁园邨九号寓所二楼卧室中,时唐季珊已入梦,阮未惊动,惟与母则曾谈及讼事,谓九成九可胜诉,惟惧上公堂为众目所视,旋即托言腹中饥饿,命侍役为煮面一碗果腹,殊不知阮即以此面和 Barbitono Sodium *眠药安**片三瓶,共三十片服下,竟至不救也,服后并饮茶水,尽二壶。
赚得药片
阮身体素弱,近数月来,既卜昼卜夜,尽瘁艺事。而私人不如意事,缠累不休,致神经衰弱殊甚,每晚非服该项*眠药安**片,不能入睡。家中原有五瓶,惟阮母为免彼或于神智失常时发生意外,故迄由阮母保管。近数日中阮先后设计赚得乃母所存药片三瓶,竟以此致命。然亦可见阮之死志早决,向未为他人所知耳。
最后安慰
阮服毒后,并书就遗书二通,一致唐季珊,一致社会各界(或谓一系致张达民者,致唐书,唐未允发表,另一录后。)书就即藏诸抽屜中。乃推唐醒,询以是否真爱本人,唐答谓确系真爱,阮即谓请你给我些安慰(意即指接吻一次)因为这是最后一次了。唐见其语气神色均有异,亟起温存之。谓何遽作些言,岂已服毒?阮曾佯笑谓未曾。唐不信,乃唤居住三楼之阮母下楼,阮母入室,而阮已不能言语。至是始发觉桌上置有*眠药安**空瓶三枚,知已服毒,此前晨三时许事也。
无术回生
初,阮曾服毒一次,曾送往北四川路日本福民医院诊治得救,惟时在日间。此次为阮二次服毒,家人仍如法炮制,殊未知福民医院晚间无医生留院,且对国人不无歧视,而其时又在清晨四时许,欲在北区另觅一完善医院,竟不可得。最后乃送至一周姓德医处,并电召老靶子路陈达明、陈继尧二兄弟医师前往诊治,至则阮已昏睡榻上,脂粉犹新,纤指因涂蔻丹,殷红欲滴,了无痛苦状态。陈等即亟以最新急救方法,每十五分钟注射一次,并施以洗胃灌肠手术,昏而复苏者数次,然仍无生望,乃送蒲石路中西疗养院,假用该院病房,施行人工呼吸及输送氧气,并将阮裸体浸入热水浴盆中,但卒因施救过迟,回生术尽,至八日下午六时三十八分气绝。据某医生谓,若阮于到达福民医院时即以手术方法救治,当有生望,盖彼时毒性犹在肠胃之中,而未入神经各系也。
法院相验
前晚,戈登路捕房得阮自杀毕命报吿后,即饬派华副探长朱梦威等前往调查,即将阮遗体自胶州路万国殡仪馆升送斐伦路验尸所。昨晨十时许,第一特区地方法院检察处委派宋根山检察官,偕同魏、张二法医,书记官王祖翼,蒞所,验明尸体。首据西副捕头等稟明经过,又据唐季珊投称,年四十一岁,广东中山县人,业茶商,死者系我女人,曾正式结婚,近因张达民控我夫妇通奸侵占等等,此实冤枉。致彼受此不名誉之事,怨忿自尽。昨晨,余归家发觉,已无法挽救云云。又据阮何氏投称,年五十岁,死者系我女儿,当彼自尽时,我睡于楼上,故事前并不知情,现其尸由其夫唐季珊收敛等语。宋君得供,遂谕验得死者阮玲玉,女性,委系生前服*眠药安**片毒发身死,尸交其夫唐季珊具结领回棺殓。
明日大殓
旋于十一时许,遗体仍由验尸所运回万国殡仪馆,即由该馆至楼上手术室中,予以沐浴,并施以尸体美容术。至大殓时期,业已决定于明日下午五时。已由唐宅发出报丧条,分致唐、阮生前之友好。报丧条上称阮女士为唐季珊夫人,除简述其死由外,并谓定于十一日申刻大殓。至唐宅家人,昨均在殡仪馆中筹备阮之饰终典礼,其沁园村九号住宅,只有阮之养女小玉在內看守。
殡仪馆內
昨日下午三时许,中央社记者复往万国殡仪馆一觇阮之遗体,其时门前车辆甚多,且有多数青年男女,正与守门人交涉,欲入內一瞻遗体。闻陆续前往瞻视者,不下三百余人。遗容较前晚所见,尤见冷艳。尸体左近围置花篮十数只,相映之下,不禁与人面桃花之感。小玉丧服侍母侧,尚少戚容,固犹未知此提携数载之养母,即将成永诀矣。联华公司总经理罗明佑,明星林楚楚、王人美、金焰、徐来、徐琴芳、刘继群、余光,摄影师王绍芬,舞星梁赛珠、赛珊姐妹、燕飞等,均面现戚容。女星中更多以泪眼相看者。唐季珊衣黑色常礼服,神色沮丧,频以亲友所赠花篮送置阮遗体枕畔。阮母面色苍白,似终日以泪洗面者。众人正相劝慰。阮虽已天人永隔,然同情者固尚有人在也。

阮玲玉遗容
联华通电
全国各报馆、国內及南洋各戏院、暨联华影片阅者,诸君均鉴:本公司演员阮玲玉女士,忽于三月八日在沪逝世,敝公司同人,一致哀悼,务请尊处各戏院如开演阮女士作品时,万勿利用女士不幸事件,作为广告宣传,至失敝公司历来纯正营业,尊重商德之旨。敝公司下期联华画报发行阮玲玉纪念专号,如有颁赐文字,请于三月十七日以前惠下。其最后作品《国风》亦经于前一日完成。女士在敝公司服务之忠诚,实足矜式,诸维亮鉴。联华影业公司敬启。
联华铸像
联华公司同人,为纪念女士起见,已决定在女士出殡之日,全体前往恭送,并定期举行追悼会。此外该公司决定筹集款项,为女士铸一铜像,供于公司中,籍为永久纪念。并决定该公司同人,对于无谓之挽幛花圈,概不致送,省下之款,即为铸像之用。又该公司最近由女士主演之国风一片,本已摄竣,近拟将內中二幕筹备重摄,但已无及矣。至该公司筹备摄取之有声片春到人间,亦本由女士主演,正欲进行开摄,而女士遽作古人矣。
遗书两通
(一)我现在一死,人们一定以为我是畏罪。其实我何罪可畏,因为我对于张达民,没有一样有对他不住的地方。别的姑且不论,就拿我和他临脱离同居的时候,还每月给他一百元。这不是空口说的话,是有凭据和收条的。可是他恩将仇报,以冤来报德,更加以外界不明,还以为我对他不住。唉,那有什么法子想呢,想之又想,惟有一死了之罢。唉,我一死何足惜,不过还是怕人言可畏,人言可畏罢了。阮玲玉绝笔。二十四年三月七日晚午夜。(二)我不死,不能明我冤。我现在死了,总可以如他心愿。你虽不杀伯仁,伯仁由你而死。张达民,我看你怎样逃得过这个舆论,你现在总可以不能再诬害唐季珊,因为你已害死了我啊。
讼案开审
张达民控阮玲玉、唐季珊等,为伪造文书,侵占窃盗案,虽阮玲玉女士已服毒殒命,特二法院昨午后二时仍开庭审,理由系被吿不止阮一人,原吿既未撤回诉讼,当然继续进行。自诉人张达民,因隔晚得知阮之死耗,驰赴殡仪馆凭吊,因之感受刺激,感冒甚重,致临时不能到院候讯,由其代理律师代到。被吿唐季珊与阮母,偕所延辩护人江一平律师,于下午二时许到院报到,*坐静**于律师休息室中候审。唐年逾知命,面色苍老,上唇留有短髭,身穿西装革履,精神萎靡,因隔晚刺激过深所致。阮母年约五十左右,截发,穿玄色旗袍,夫足,着反口绒鞋,与唐默坐一旁,面露戚容。但阮虽已仰药自杀,而注意此案而到院旁听者,仍甚拥挤,并不减逊,尤以女性为多。第二法庭旁听席上,座无隙地,司法警员特派警丁数名,在庭维持,秩序井然。至钟鸣三下,由章推事偕书记官升座,审理此案。命庭丁呼传当事人及代理律师等到案。唐站立被吿栏,先由自诉人代理律师起称,自诉人张达民,因受感冒刺激过甚,今日不能到案,请求准予改期云云。讯之唐季珊供,年四十一岁,广东中山人。住爱文义路沁园村九号,业茶商,以前未受过刑事处分。官谓阮玲玉今日见报载已经服毒自杀身死了么。至此,由阮、唐所延辩护人江一平律师起立,对庭上声称,阮玲玉在生自此案发生后,报纸上刋登被控通奸,一身名誉,在社会上大受打击,心中抑郁,气愤而致服毒自杀。其实对于通奸一点,并不确实。今有对于本案之证据数种及遗书遗言,可以呈庭作证参考。而自诉人今日忽称病不到,并无证据提出,请求改期,殊出意外。自诉人律师称,阮玲玉之自杀,指谓因被控通奸而致自杀,未免捕风捉影。江律师又称,阮玲玉与张达民于民国二十二年四月间,委伍澄宇律师证明订立脱离同居关系契约,由张亲笔签字。订约以后,张每月向阮支付洋一百元,至此款支付终了后,忽发生此不幸案件,今有脱离关系笔据可证。江并手持此据向庭上请求传伍律师到案询问,伍律师现在沪上,住居北四川路那边云云。官乃对被吿唐季珊谓,今日自诉人未到,听候定期再传。并谕知被吿律师下次开庭,可将各种证据备副本交案。自诉人代理律师又称,阮虽死亡,但遗有财产,案关侵占,请求可否下一处分。又被告唐季珊时离沪往香港经商,行踪不定,庭上认为有交保必要,请令妥保云云。庭谕现在无用提出,俟下次审讯再核,即宣吿退庭。

新闸路1312号黄葆戉旧居
不可移动*物文**编号:310106805192010063 黄葆戉旧居 民国、中华人民共和国 江宁街道
地址:新闸路1312号

黄葆戉
黄葆戉(1880-1969),长乐县青山村人,中国现代书法家、篆刻家。
青年时期就读于全闽师范学堂,后入上海法政学堂。毕业后,醉心书法、碑帖、篆刻、绘画等艺术,云游名山大川。民国成立后,回到福州,历任福建省图书馆馆长、福建甲种商业学校教员、监学等职。1920年后,到上海定居,任上海商务印书馆编辑,负责审定、校对出版宋拓淳化阁帖、天籁阁旧存宋人画册等书。后任馆美术部主任达20多年;并参与“神州国光社”工作。黄葆戉精于鉴定,所出版的书画艺术价值甚高。还兼任《中华新报》副刊“文苑”主编、上海美术专科学校图画系主任及上海大学书画系教授等职。中华人民共和国成立后,受聘为上海文史馆首批馆员,曾任上海市文联第三届委员。
黄葆戉旧居现由其子女居住。

新闸路1321号小校经阁(八角楼)
优秀历史建筑编号:JA-J-010-IV;不可移动*物文**编号:310106935192010040 小校经阁旧址 民国、中华人民共和国 江宁街道
原名称/原(曾)使用单位:刘氏住宅,小校经阁(八角楼);现名称/现使用单位:住宅
地址:新闸路1321号
保护级别:区级*物文**保护单位
层数:花园住宅:4层;小校经阁:2层;结构类型:砖混结构;建造年代:住宅:1920年代;小校经阁:1912年;保护类别:三类

新闸路1321号院内的白玉兰
新闸路1321号,沿街是一幢西式钢筋水泥结构的住宅楼,它座落在一个中式花园里。花园由一道月洞门和花墙隔成内外院,外院里有4棵高大的广玉兰,遮蔽了院内一半的光影。

新闸路1321号刘氏住宅
据说这广玉兰是当年从李鸿章的儿子李经方的花园里移植过来的,那时李经方从北站附近的安庆路移居沪西,花园里的树木和假山都不要了,送给了这里的主人,几十年后,假山被搬到静安公园造景,剩下4棵广玉兰挺拔至今。由此可知,此花园的主人,是个以李鸿章家族为背景的、与之有着密切关系的富豪人家。

新闸路1321号刘氏住宅
穿过外院向西,可见一道镶嵌着漏窗的花墙,花墙中部,有一小巧的月洞门,门内又是一片花园,园内有两幢风格截然不同的建筑。
北侧那幢方方正正的是幢四层钢筋水泥的庞然大物,朝南的正门有立柱和雕花,南侧的一幢,却是标准中国风格的八角小楼。现在,虽然那八只角的屋顶上的小动物和琉璃瓦已不复存在,而绕楼四周的围栏和石级却依稀可辨。别看它现在被周围的高楼所挤压,内中已挤满了七十二家房客,然而这就是至今尚存的上海唯一一幢近代私家藏书楼旧址。

新闸路1321号小校经阁(八角楼)
20世纪50年代初,人们从中搬出了无数的宝贝:古籍线装书500箱、甲骨龟片2.8万件、各式古墨上万锭、古代兵器130件、唐朝乐器大小忽雷2具、三代彝器数百件,还有古代名人字画、瓷器、鼻烟壶等无数。

刘晦之收藏的甲骨龟片
原来这花园的主人叫刘晦之(1879-1962,名体智,号善斋老人。安徽庐江人。),是李鸿章的儿子李经方的内弟,他的父亲是清末四川总督刘秉璋,曾亲自指挥了中法之战中著名的镇海战役,是中国近代史上唯一的一次大胜仗。早年在*压镇**太平军和"剿捻”的时候,还是李鸿章和曾国藩手下的主将之一。作为总督之子的刘晦之,他排行老四,没打上仗,却抓住了经商和收藏的好机会,成为著名的银行家和收藏家。

新闸路1321号刘氏住宅
刘晦之的*物文**收藏堪称一流,早在1944年,刘晦之就向震旦大学捐赠巨书四部,均为研究中国文献及语言学之珍籍,包括《刘文庄公奏议》八卷及《静轩笔记》四卷,还有《善齐吉金录》二十八册及《小校经阁金石文字》十八册。
据*物文**部门统计,我国现存的龟甲骨片总共9万余片,而刘晦之的收藏差不多占了三分之一。1936年,刘晦之深知郭沫若博学多才,请人将龟甲骨片拓出文字,集为《书契丛编》,分装成20册,托中国书店的金祖同带到日本,供郭沫若研究、著书。郭沫若见后叹为观止,从中挑选了1595片,先期研读考释, 并据此著成了甲骨学上具有重要意义的巨著《殷契粹编》。
刘晦之逝于1962年,生前几乎将所有的藏品都捐献了出来,其精神在私家收藏史上将流芳百世。

新闸路1340弄21号花园住宅
优秀历史建筑编号:JA-J-008-V
现名称/现使用单位:花园住宅
地址:新闸路1340弄21号

新闸路1340弄21号花园住宅
新闸路1340弄三元坊,建于1912年,新式里弄住宅。其中21号是西班牙式花园住宅。

新闸路1340弄21号花园住宅
这是一栋1930年代建的独栋花园别墅,砖木结构。外墙灰白拉毛墙面,半圆形露台围以铁艺栏杆,下有钟乳状台座,立面有拱券窗和麻花柱等装饰,花园还遗留了原本的假山池塘。现为《经济日报》上海记者站使用。

新闸路1378弄17号
优秀历史建筑编号:JA-J-007-V
现名称/现使用单位:静安区教育学院培训中心
地址:新闸路1378弄17号

新闸路1378弄17号
这是一栋1939年设计建造的现代主义风格独立式花园住宅。现为静安区教育学院培训中心所用。

1938年版《上海市行号路图录》上新闸路1464号住宅
不可移动*物文**编号:310106945190000309 新闸路1464号住宅遗址 民国 江宁街道
地址:新闸路1464号
新闸路1464号,位于新闸路1519号基督教内地会旧址斜对面。原建筑已经拆除,不知道为什么把此住宅遗址列为不可移动*物文**。
倒是有一个名人的旧居引起笔者的兴趣,这位名人是中国近代史上著名政治人物岑西林(岺春煊,1861年—1933年)。

岺春煊
岺春煊,广西西林人。云贵总督岑毓英之子,1885年考取举人,以恩荫入仕。甲午中日战争时前赴战场,1898年因力主变法维新而得光绪帝青睐,提拔为广东布政使,1899年调甘肃布政使。1900年八国联军侵华战争爆发,岑春煊率军至北京“勤王”,并护送慈禧太后和光绪帝至西安,因功擢陕西巡抚,次年任山西巡抚,创办山西大学堂。后署理四川总督,旋署两广总督,1907年入京任邮传部尚书。中华民国成立后,岑春煊曾任袁世凯政府的粤汉川铁路督办,1913年,他支持孙中山发动二次革命,并被推为各省讨袁军大元帅。二次革命失败后,*亡流**南洋。1916年初,广西都督陆荣廷派员迎归上海。5月,被推举为护国军都司令,并与梁启超等在广东肇庆成立军务院,任副抚军长,代行抚军长职,投身护国运动。1918年排挤孙中山,任广东护法军政府主席总裁,主导南北议和。1920年粤桂战争后军政府解散,岑春煊通电辞职,隐居上海,1933年逝世。
岺春煊有一个外孙女大家比较熟悉叫于立群,她是郭沫若的夫人,岺春煊是于立群的外公。

1923-02-27《申报》上的迁居通知
根据《申报》记载,岺春煊隐居上海期间曾经寓居在静安寺路(今南京西路)哈同花园内,他与哈同的交情甚笃,1922年,岑春煊与哈同夫妇同游苏州,并买宅作久居计。
就在他寓居哈同花园时的1922年5月的一天,他的一位跟随了20年的佣人因为被辞退怀恨在心,蓄意报复,闯入岺宅,将岺春煊家属佣人共九人砍伤,后被判处死刑。
岺春煊后来寓居在爱文义路(今北京西路)一零一号,1923年又迁居至新闸路一百五十号南阳寄庐居住,为此还特意在《申报》上发布了迁居通知(见上图)。
1923年1月13日晚,岺春煊在此宴请孙中山,并邀莫荣新、马君武、汪精卫等作陪。
1933年4月27日,岺春煊在福煦路(今延安中路)四明邨一零四号寓邸去世。
岺春煊在新闸路一百五十号的旧居已不可寻,但是根据上世纪二十年代南园(即简照南先生住宅花园,今培明中学处)的门牌号——新闸路一百八十一号,是否可以推测,岺春煊的新闸路旧居可能就是后来的新闸路1464号,或其附近?

新闸路1519号基督教内地会旧址
优秀历史建筑编号:JA-J-044-V
原名称/原(曾)使用单位:基督教内地会;现名称/现使用单位:上海儿童医院
地址:新闸路1519号(北门)、北京西路1400弄24号

新闸路1519号基督教内地会旧址
“内地会”,又称“中华内地会”(China Inland Mission),是近代基督新教在中国的一个传教组织,由英国传教土戴德生(James Hudson Taylor,1832-1905)于1865年创立。1964年,更名为海外基督使团(the Overseas Missionary Fellowship 或 OMF International)。

1948年版《上海市行号路图录》上的“内地会”(隔壁是培明女子中学)

1948年航拍图上的“内地会”建筑(红色圈内)
1890年(光绪十六年),由一位慈善家捐款在吴淞路9号兴建内地会总部,可供300多位传教士办公和居住。
1931年(民国20年)5月,内地会总部由吴淞路迁至新闸路1531号。新总部设行政管理大楼、传教士公寓、职工宿舍、传教士礼拜堂、华人招待所。
1951年,外国传教士离开中国后,中国内地会停止活动。

北京西路1400弄24号上海市儿童医院现貌
20世纪50年代,上海市第六人民医院迁入此处。

北京西路1400弄24号上海市儿童医院现貌
20世纪90年代初,六院迁出后,上海市儿童医院又成为新主人。其前身为“上海难民儿童医院”,创建于1937年“八一三”淞沪抗战期间,为免费收治贫病难童而设立。

新闸路1607号培明中学
优秀历史建筑编号:JA-J-040-V;不可移动*物文**编号:310106945190000008 培明女中旧址 民国 江宁街道
现名称/现使用单位:培明中学
地址:新闸路1607号

新闸路1607号培明中学
1925年,由许君衡女士在麦根路(原恒丰路桥之东)创办私立女子学校,取名"培明",培明一词自《礼记·中庸》中的语句:"栽者培之,虽愚必明",即办学宗旨是为国家培养有用人才。
1929年起,学校曾多次搬迁,直至1936年,学校迁入新闸路1607号的南园。1936年8月,*乔木胡**、罗叔章同志先后来培明女中,以教师身份为掩护,在师生中进行抗日救国和共产主义启蒙教育,培养发展了第一批*党**员,建立了培明女中第一个地下*党**支部。从此,培明女中在地下*党**的领导下,学生运动风起云涌,涌现出林杰等革命烈士。

1938年版《上海市行号路图录》上此处已为兵营
1937年"八一三"战争爆发,七月日军强占"南园",培明女中暂迁南阳路上课,1945年抗战胜利后,经过校方多方面努力,培明女中又迁回"南园"。
1956年由私立学校改为公立培明女中,成为一所具有一定规模的完全中学。1969年8月开始男、女兼收,改为培明中学至1983年7月。
1985年8月-1991年7月,培明女中高中部改为培明师范,为静安区小幼教育输送人才。1991年再次男、女兼收,由培明女中改为培明中学。

新闸路1684号
不可移动*物文**编号:310106945190000058 新闸路1684号住宅 民国 江宁街道
地址:新闸路1684号

新闸路1684号
该建筑始建于1921年,欧式花园别墅。外形方正、布局紧凑。砖木结构假三层,屋顶为法国孟莎式风格,底层与二层南面设有外廊,西侧出入口处还有一个挑出的门廊。室内底层客厅分为左右对称的两个大开间,用隔门相通。房屋前后均有庭院,布置小花园。现为静安艺术中心。

新闸路1702-1708号
优秀历史建筑编号:JA-J-043-V;不可移动*物文**编号:310106945190000012 海关图书馆旧址 民国 江宁街道
现名称/现使用单位:静安区图书馆海关楼
地址:新闸路1708号

新闸路1708号
新闸路1708号静安区图书馆海关楼原为中华民国海关图书馆(Customs Reference Library Republic of China)。
它是从海关总税务司图书室改组而成的。因为总税务司鉴于图书室中收集的关于本国商业财政经济及农工业各种中外图书杂志报章日益增多,而外界人士的研究中国经济工商业者,每憾缺乏相当的参考资料,所以在一九三〇年(民国十九年)呈请关务署,拟将所存书籍迁移新屋,并骋负责人员管理,作为一个公开的参考图书馆,并保存海关一切档案中和历史有关或有保存价值的重要文件,期垂久远。这个建议得到关务署批准,经过筹备,到一九三一年(民国二十年)的国庆日宣告成立。
海关图书馆建筑由吴景祥设计,1935年建,1936年6月建成并对外开放。钢筋混凝土结构,四层,属英国古典风格。主体浑厚,敦实,内部装饰稳重,典雅,按西方图书馆专业要求设计。门厅两侧各有一小衣帽间,底楼为借阅处,二楼、三楼为贯穿式书库,内设小电梯与底层服务台相连。

1938年驻上海的美国海军陆战队员
新闸路上的旧址——美国兵营
一些老人和文章中经常会提到上世纪三、四十年代新闸路陕西北路口的美国兵营,其实,新闸路上及其周边曾经有好几处美国兵营。

新闸路1226号原美国兵营所在地今貌
自从1927年北伐军逼近上海之际,作为预防措施,原驻菲律宾的美国海军陆战队第4团奉命赶赴上海,“保护”那里的公共租界。
根据《上海市行号路图录》,在上世纪三、四十年代,在上海的公共租界内,美军的兵营有下列几处:
新闸路近陕西北路口美国兵营(原西摩路新闸路1216号)
下面是1938年版《上海市行号路图录》上美国兵营的标示。

1938年版《上海市行号路图录》美国兵营标示
1948年版《上海市行号路图录》上美国兵营门牌号变了,并且原来的操场处变为励志社上海第九招待所(见下图)。

1948年版《上海市行号路图录》美国兵营标示
江宁路近安远路口(原槟榔路戈登路906号)美国兵营
下面是1938年版《上海市行号路图录》上美国兵营的标示。

1938年版《上海市行号路图录》美国兵营标示
但是,到了1948年版《上海市行号路图录》,这里变成了资源委员会上海办事处宿舍(见下图)。

1948年版《上海市行号路图录》美国兵营处变为资源委员会上海办事处宿舍
海防路332-394号美军靶子场和美国兵营
下面是1938年版《上海市行号路图录》上美军靶子场和美国兵营的标示。美国驻沪海军陆战队总部曾经驻扎在此。

1938年版《上海市行号路图录》美军靶子场和美国兵营标示
但是,到了1948年版《上海市行号路图录》,这里的美军靶子场和美国兵营不复存在(见下图)。

1948年版《上海市行号路图录》这里变为空地

1948年版《上海市行号路图录》这里变为空地
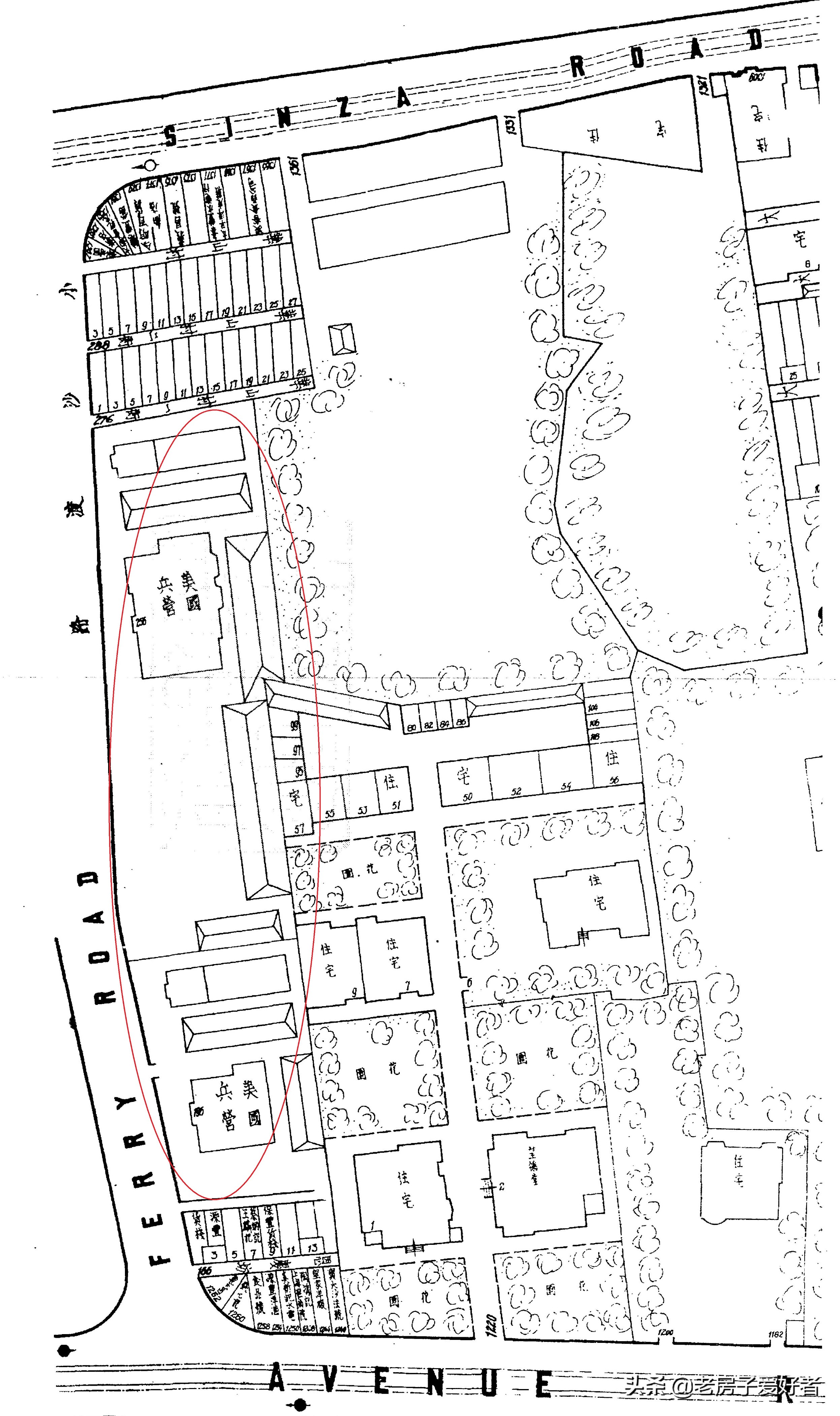
西康路美国兵营(原小沙渡路196-256号)
下面是1938年版《上海市行号路图录》上美国兵营的标示。根据1941年《申报》的报道,新闸路小沙渡路(今西康路)口是美军驻沪总部所在地。
1941年11月太平洋战争前夕,美国总统罗斯福下令驻在中国沪、津、平的美国海军陆战队第四联队撤退,调往菲律宾待命。后来撤往菲律宾的美国海军陆战队第四联队在太平洋战争中向日军投降。

1938年版《上海市行号路图录》美国兵营标示
另外,在西摩路(今陕西北路)470号太平花园后面曾设有美国兵营医院,见下面1938年版《上海市行号路图录》的标示。

1938年版《上海市行号路图录》美国兵营医院标示

公共租界内上述四处美国兵营和一处美国兵营医院分布图
1947年5月,美国海军陆战队全部撤离上海。
新闸路随着城市的旧改,大部分老房子已经拆除了,有些重要的旧址也无处可寻了,除了上面提到的岺春煊旧居以外,还有如俄罗斯领事署办事处旧址,在1933年9月搬到外滩黄浦路俄罗斯总领馆之前,俄罗斯领事署曾经在新闸路办公,但是旧址已不可寻。