
小蠹虫
主要种类:吉丁甲科(六星吉丁虫、柑橘爆皮虫、柑橘溜皮虫)、丽金龟科(斑喙丽金龟、琉璃弧丽金龟、中华弧丽金龟、红脚异丽金龟、铜绿丽金龟)、花金龟科(白星花金龟、小青花金龟、花潜金龟)、犀金龟科(橡胶犀金龟)、天牛科(星天牛、褐天牛、光盾绿天牛)、象甲科(小绿象甲、蓝绿象、柑橘灰象甲)、小蠹科(暗翅材小蠹、光滑材小蠹、茶材小蠹)
危害方式:成虫多取食柑橘叶片,部分幼虫可为害枝干、根系
发生时期:金龟子成虫多在6~7月出土,幼虫生活于地下;吉丁虫5月中上旬为第一次危害高峰,9月中下旬为第二次危害高峰;天牛主要危害期在4~6月;象甲高发期在4~6月及8~9月
防治药剂:高氯+毒死蜱,注意处理土壤
昆虫纲(双翅目)

柑橘小实蝇

柑橘大实蝇

花蕾蛆
主要种类:实蝇科(柑橘小实蝇、柑橘大实蝇、蜜桔大实蝇)、瘿蚊科(芽瘿蚊、花蕾蛆、柑橘雷瘿蚊)
危害方式:主要以幼虫驻食柑橘的花器、果实
发生时期:大实蝇5~7月;小实蝇6~9月;花蕾蛆在3月中下旬
防治药剂:花蕾蛆毒死蜱、菊酯类药剂,注意花蕾处理地面;大小实蝇可用全逮实蝇诱捕球诱杀
昆虫纲(缨翅目)

蓟马
主要种类:蓟马科(茶黄硬蓟马、花蓟马、褐三鬃蓟马、八节黄蓟马、棕榈蓟马、色蓟马、黄胸蓟马)、管蓟马科(边腹曲管蓟马、桔简管蓟马、华简管蓟马、狭翅简管蓟马)
危害方式:成虫与若虫以锉吸式口器,危害柑橘的叶、花、果
发生时期:柑橘花期出现第一个高峰期,谢花后幼果期出现第二个高峰期,第三个高峰期为9~10月秋梢抽发期
防治药剂:高氯+噻虫嗪
昆虫纲(鳞翅目)

柑橘凤蝶

玉带凤蝶

潜叶蛾

斜纹夜蛾

烟青虫

鸟嘴壶夜蛾

柑橘豹蠹蛾

桃蛀螟

小白纹毒蛾

油桐尺蠖

褐带长卷叶蛾

白囊蓑蛾
主要种类:豹蠹蛾科(柑橘豹蠹蛾)、凤蝶科(柑橘凤蝶、玉带凤蝶、达摩凤蝶)、毒蛾科(小白纹毒蛾、双线盗毒蛾、茶黄毒蛾)、刺蛾科(黄刺蛾、褐边绿刺蛾、褐刺蛾、扁刺蛾)、卷蛾科(褐带长卷叶蛾、拟后黄卷叶蛾、柑橘黄卷蛾、小黄卷叶蛾、拟小黄卷叶蛾)、蓑蛾科(白囊蓑蛾、蜡彩蓑蛾、茶蓑蛾、大蓑蛾、丝脉蓑蛾、黛蓑蛾)、尺蛾科(四星尺蠖蛾、大造桥虫、大钩翅尺蠖、油桐尺蠖)、夜蛾科(小地老虎、斜纹夜蛾、烟青虫、壶嘴夜蛾、鸟壶嘴夜蛾、壶夜蛾、枯叶夜蛾、小造桥虫、玫瑰巾夜蛾、旋目夜蛾)、螟蛾科(桃蛀螟)、潜蛾科(潜叶蛾)、细蛾科(柑橘潜皮细蛾)
危害方式:主要以幼虫取食叶片和果实,也有部分成虫刺吸果实
发生时期:5~7月为鳞翅目害虫的高发期,吸果夜蛾在8~11月
防治药剂:毒死蜱、甲氰菊酯、溴氰菊酯、甲维盐·茚虫威、毒死蜱·甲维盐、氯虫苯甲酰胺、蛾核型多角体病毒、除虫脲、虫螨腈等
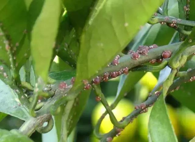
昆虫纲(同翅目)

黑蚱蝉

柑橘木虱

柑橘粉虱

黑刺粉虱

碧蛾蜡蝉

绣线菊蚜

红蜡蚧
主要种类:蝉科(蟪蛄、黑蚱蝉)、叶蝉科、沫蝉科(白带尖胸沫蝉)、蛾蜡蝉科(碧蛾蜡蝉、白鹅蜡蝉、褐缘蛾蜡蝉)、广翅蜡蝉科(八点广翅蜡蝉、柿广翅蜡蝉)、粉虱科(柑橘粉虱、黑刺粉虱)、蚜科(绣线菊蚜、棉蚜、橘蚜、橘二叉蚜)、介壳虫(粉蚧科、绵蚧科、蜡蚧科、盾蚧科)、木虱科(柑橘木虱)
危害方式:多以刺吸式口器刺吸汁液对柑橘造成危害,传菌传毒
发生时期:柑橘各梢期
防治药剂:粉虱可用高氯/甲氰菊酯+噻虫嗪/吡虫啉/呋虫胺;黑蚱蝉可用高氯+毒死蜱;木虱建议内吸*药性**剂+速效*药性**剂,菊酯类农药例如甲氰菊酯、高效氯氟氰菊酯和噻虫嗪、吡虫啉、呋虫胺等混用;介壳虫毒死蜱+噻嗪酮/螺虫乙酯;毒死蜱+矿物油
昆虫纲(直翅目)

蝗虫

螽斯
主要种类:蟋蟀科(大头蟋蟀)、螽斯科(螽斯)、蝗总科(棉蝗、短额负蝗、东亚飞蝗、罗浮山切翅蝗)
危害方式:以若虫、成虫啃食感觉叶片
发生时期:7~8月,一般很少发生
防治药剂:高效氯氰菊酯、阿维·*唑三**磷、杀蝗绿僵菌、苦参碱、印楝素
昆虫纲(等翅目)

黑翅土白蚁

家白蚁
主要种类:鼻白蚁科(家白蚁)、白蚁科(黑翅土白蚁)
危害方式:主要为害柑橘的根系及近地面的树干
防治药剂:噻虫啉,联苯菊酯,多杀菌素,溴氰菊酯,吡虫啉+毒死蜱等
本文来源《农业助手》,部分图片取自网络