光明顶一战以后,殷梨亭渐觉近4周腰背部出现持续性疼痛,双下肢乏力,而且近3周又觉得大便费力、排便困难。心下着急:我一个习武之人,出现这种情况还怎么使枪弄棒。赶忙向师父张三丰求救。
张三丰不仅功夫了得,对于医术也有一定研究。详细了解了徒弟的病情,心想我这徒弟一向身强体壮,除了20年前右肩切除的恶性黑色素瘤外,并没有其他病痛,难道这是与他人比试武功伤了脊髓?
随后张真人对殷梨亭做了体查:双侧下肢肌力4级,感觉和反射都是正常的。有尿潴留,膀胱可触及。无肛周感觉异常,直肠指检肛门张力良好。有运动感觉和内脏神经的受累,梨亭这个病更像是脊髓受到了损伤。
随后血常规、尿常规、肝肾功能电解质都显示出没什么问题。胸椎平片显示T6和T7椎体塌陷,伴有椎旁软组织病变。脊柱MRI显示T6椎体塌陷,原来的位置被肿块占据,并向后延伸至椎管内,压迫了鞘囊和脊髓的前部(图1)。另外L4椎体也有些许局限性受累。

图1 脊柱MR T2加权矢状面。T6塌陷。T6椎体被肿块所取代,向后延伸到椎管,压迫了鞘囊和脊髓的前部。可清楚地看到肿块病变延伸至脑脊液(正常脑脊液T2加权图像为白色),并压到了脊髓。
看过片子之后,张三丰觉得这似乎是转移瘤所致的椎体破坏并压迫到了脊髓。考虑到这一点,随后进行原发肿瘤的调查。前列腺特异性抗原、癌胚抗原、甲胎蛋白和骨髓瘤筛查均正常。胸部、腹部和骨盆的增强CT也没有原发性肿瘤的证据。
诊察至此,张三丰觉得这病似乎有些蹊跷:
- 椎体部位有肿块生长,明显不是椎间盘脱垂。
- 如果是一种未知原发癌症的骨转移,但苦于未找到原发肿瘤的证据。
- 如果是硬膜外脓肿破坏了椎体,梨亭一直没有感染中毒性症状,也没有外力损伤,脓肿从何而来。
- 如果是结核损伤,他也没有低热盗汗、咳嗽咳痰,身体也无日渐消瘦。
- 如果是淋巴瘤的话,查体和CT都没有淋巴结受累的证据。
张真人百思不得其解,对徒弟的病情没有十分的把握。但基础治疗却也没有耽误:插入导尿管导尿,药物和磷酸盐灌肠导泻,定期规律镇痛。
另外虽然病因不清楚,但脊髓受压明确存在,给予口服地塞米松减轻脊髓损伤。与此同时,连忙差人去蝴蝶谷请医仙胡青牛为其诊治。
张真人对医仙道:“我这徒弟似乎是骨转移导致的脊髓压迫,我想给他做局部放射治疗,但没有肿瘤的证据,有些举棋不定,还望医仙诊治。”
胡青牛回答道:“没有找到证据贸然给予放射治疗似乎不太合适,还是觉得需要组织学诊断来指导进一步的治疗,但由于其位置的原因,从这些病变获得活检组织在技术上是比较困难。”
殷梨亭在一旁听到胡青牛讲解自己的病情如此麻烦,神情一凛,爽声达道:“神医不必为难,在下习武之人,不能行动自如比死还要难受,就是拼着这条命也要让您给我诊治。”
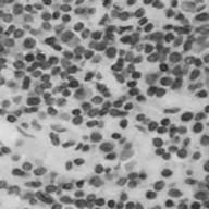
胡青牛心中不由得赞叹:果然是一条好汉。于是在CT的引导下进行了T6病变的活检。出乎意料的是,活检结果证实诊断为低度恶性非霍奇金淋巴瘤(NHL)。另外,免疫组织化学染色显示B细胞标记物CD20,CD45和CD79a呈阳性,支持低度淋巴瘤的诊断。

图2 取自T6病变的活检组织(HE染色,×20倍)。单一混合大小淋巴细胞群浸润,与非霍奇金淋巴瘤一致。
张三丰询问胡青牛:“这非霍奇金淋巴瘤引起的脊髓损伤相当少见吧?”
胡青牛答道:“诚如真人所言,非霍奇金淋巴瘤是一种罕见但有可能治愈的一种脊髓压迫的病因。最初出现在脊柱的情况很少见,大多数情况下是高度恶性的淋巴瘤。90%以上淋巴瘤相关脊髓压迫症初始多以疼痛起病,疼痛通常与受累脊髓的部位一致。
随着疾病继续发展,出现运动、感觉障碍及膀胱直肠功能障碍。治疗前神经功能状态尤其是行走能力与预后相关。延误诊断的情况较为普遍。因此,早期识别和诊断脊髓压迫症状起病的NHL非常重要。
当出现类似的症状时,应将MRI检查作为首选,其诊断肿瘤相关脊髓压迫症(SCC)准确性可达95%(敏感性93%,特异性97%)。以脊髓压迫起病的NHL患者中,单个脊柱受累最为常见,受累常见的部位为胸椎,其次为腰椎和颈椎。”
张真人随后问道:“那么该病有什么治疗方案呢?”
胡青牛答道:“该病目前尚无统一治疗标准。一旦确诊,应尽快根据患者情况选择化疗、放疗或者手术治疗。联合化疗仍然是主要治疗手段。手术可用于病理性标本采集,但是否用于缓解脊髓压迫尚有争议。”
殷梨亭听到有法可治,喜上眉梢,但转念一想又觉担忧,问道:“敢问神医,以后这病还会复发吗?”
胡青牛回答道:“目前有关复发的数据有限。一份已发表的病例报告显示,患者在接受化疗和放射治疗后14个月没有复发的证据。对15名接受放射治疗和全身化疗的非霍奇金淋巴瘤患者的研究表明,86%的患者在70个月时没有复发,在随访期内没有局部复发。”
殷梨亭这才稍稍宽心一些。
随后胡青牛给予了殷梨亭局部放射治疗,并联合鞘内注射甲氨蝶呤,以防止淋巴瘤扩散到中枢神经系统。经过一段时间的治疗和杨不悔的悉心照料,殷梨亭的症状逐渐改善。
参考文献:
[1] 病例改变自G M, D W, V S, et al. Spinal cord compression: to biopsy, or not to biopsy?[J]. BMJ case reports, 2009,2009.
[2] 田卫伟, 田磊, 赵伟, 等. 以脊髓压迫症为首发表现的非霍奇金淋巴瘤25例临床分析[J]. 中华血液学杂志, 2017,38(7): 639-641.