外冈镇将新建一条道路
来看看在你家附近吗↓
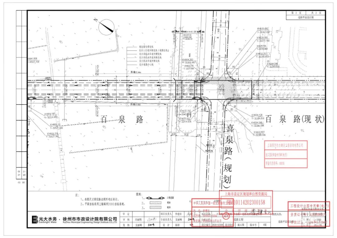
百泉路(汇旺路-喜泉路)
道路及桥梁新建工程

建设单位
上海市嘉定区外冈镇人民政府
建设位置
东至道路红线、南至喜泉路
西至道路红线、北至汇旺路
建设规模
道路长492米,宽24米
新建桥梁1座,跨径(8+16+8)米


(来源:嘉定区规划资源局、上海嘉定)
外冈镇将新建一条道路
来看看在你家附近吗↓
百泉路(汇旺路-喜泉路)
道路及桥梁新建工程

建设单位
上海市嘉定区外冈镇人民政府
建设位置
东至道路红线、南至喜泉路
西至道路红线、北至汇旺路
建设规模
道路长492米,宽24米
新建桥梁1座,跨径(8+16+8)米


(来源:嘉定区规划资源局、上海嘉定)