今日吉安市区城北优质地块成交了~
究竟是哪位幸运儿夺得该地块,
跟紧小编,咱们一起来看一下吧!
地块编号DDA2019030

△成交详情
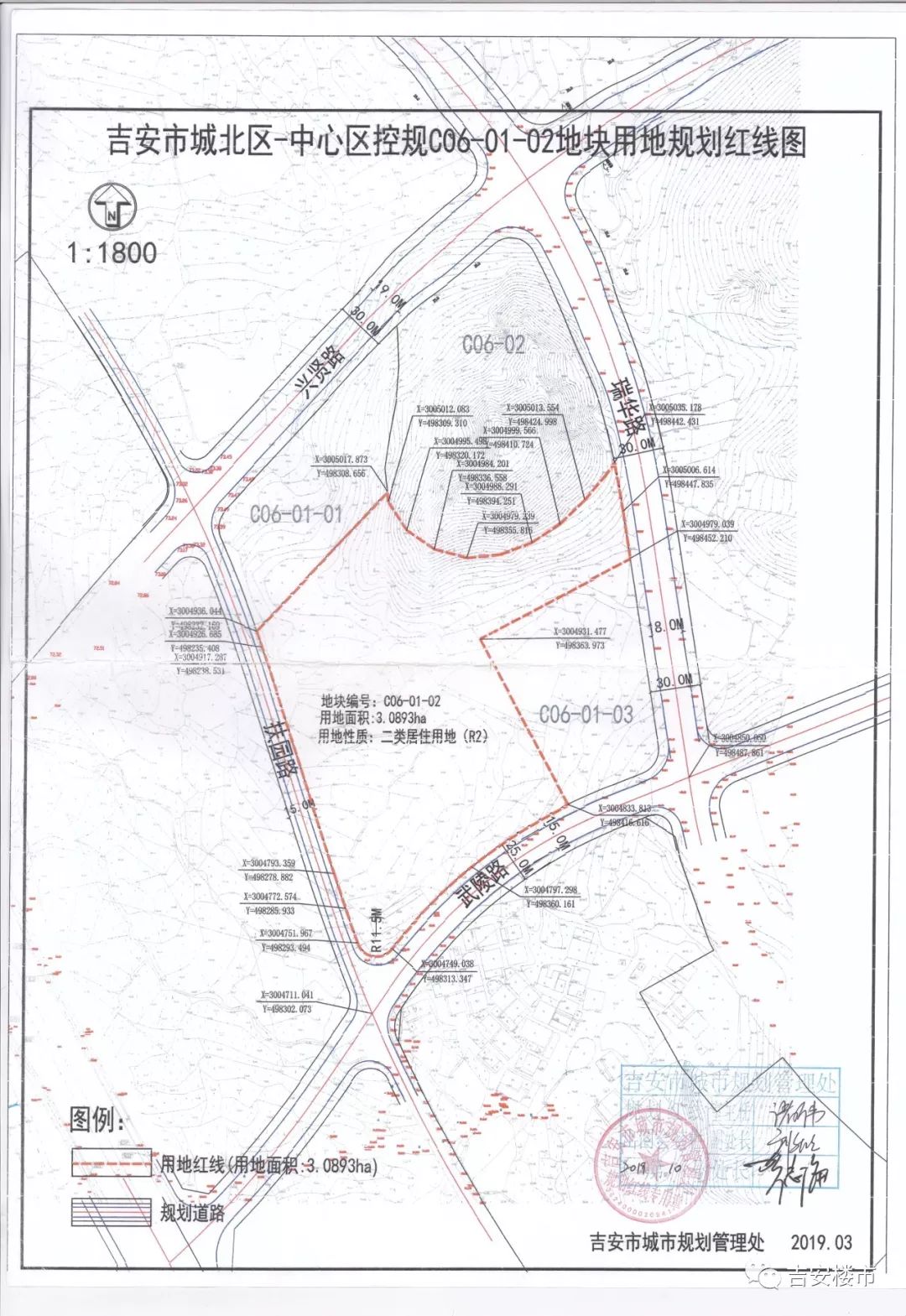
地块位置:吉安市城北区-中心区控规C06-01-02地块;扶园路以东、C06-01-01地块以南、瑞华路以西、武陵路以北
起始价:118万元/亩
起始楼面价:610.3元/㎡
成交总价:192万元/亩
楼面价:993元/㎡
溢价率:62.7%
竞得人:吉安浩城房地产开发有限公司

△地块详情
地块面积:46.3395亩
土地用途:二类居住用地
出让年限:居住用地70年(规划为小区配套的商业用地40年),自交付土地之日起算
容积率:1.0≤FAR≤2.9
建筑密度:D≤22%
绿地率:GAR≥30%

△地块位置

△红线图

△宗地图
依法依规需要说明宗地的其他情况:
1、该地块为商品房配建安置房用地,同意设置以下出让条件:
(1)竞得人须按照吉州区政府提供的该地块安置房布局和户型建设安置房239套,建筑总面积不少于29205㎡(其中建筑面积147㎡的44套、建筑面积133.7㎡的44套、建筑面积104.6㎡的44套、建筑面积91.6㎡的42套、建筑面积131.9㎡的22套、建筑面积130.8 ㎡的22套及建筑面积115.4 ㎡的21套,建筑面积以测绘结果为准),建成后无偿提供给吉州区政府。
(2)竞得人不得将安置房用地及其在建工程用于融资或抵押*款贷**。
(3)安置房交付使用标准必须接通水、电、燃气、防雷设施以及广电、电信、移动网络,安装入户防盗门,户门采用四防门(防火、防盗、隔声、保温);安装高端智能对讲设备;安装铝合金门窗,外窗使用的铝型材其厚度、强度和氧化膜符合国家标准,窗壁厚≥1. 4mm,氧化膜厚度应达到10微米等;安装电梯须经验收合格并取得房屋质量保证书后,方可交付使用。吉州区有权召集被安置对象及第三方机构成立安置房质量、进度监督小组,负责对安置房建设进行全程监督,竞得人须主动配合。
(4)自开工之日起18个月内完成全部安置房主体工程建设,30个月内完成安置房项目竣工验收并交付使用,逾期交付使用安置房按16元/㎡×未交付安置房面积×逾期月份,向吉州区政府交纳逾期过渡费(不足一个月,按一个月计算)。
(5)竞得人须无条件协助安置户办理不动产权证书,不动产登记证费由安置户支付。
(6)竞得人在与市自然资源局签订《国有建设用地使用权出让合同》前,须与吉州区政府签订《安置房建设和移交协议书》。
(7)该地块规划布局及安置房建筑方案设计费共计25万元整由竞得人承担,在土地成交之日起1个月内由竞得人缴入吉州区政府指定的财政帐户。
(8)配建安置房部分建设过程中的行政事业性收费和政府性基金全免,服务性收费减半收取;商品房部分按规定缴纳规费和经营性收费。
2、以人民币缴纳的竞买保证金转作土地出让合同定金,若竞买保证金高于成交价款的20%,合同定金按成交价款的20%确定;以外币缴纳的竞买保证金不转作土地出让合同定金,合同定金按成交价款的20%确定。本须知及成交确认书(格式文本)中与本条款不符的,以本条款约定为准。
3、境外投资者竞得土地使用权的,首期应付款自竞得土地之日起50天内交纳,余款自竞得土地之日起4个月内交纳。本须知中与本条款不符的,以本条款约定为准。




△现场图
资料显示,安置房户型单元一中有4个户型,分别是建面147㎡的A户型(四室两厅一厨两卫),共计44套;建面133.7㎡的B户型(三室两厅一厨两卫),共计44套;建面104.6㎡的C户型(三室两厅一厨一卫),共计44套;建面91.6㎡的D户型(两室两厅一厨一卫),共计42套;一单元总共174套。
安置房户型单元二中有3个户型,分别是建面131.9㎡的E户型(三室两厅一厨两卫),共计22套;建面130.8㎡的F户型(三室两厅一厨两卫),共计22套;建面115.4㎡的G户型(三室两厅一厨一卫),共计21套;二单元总共65套。


△安置房户型图
该项目总用地面积(㎡):30893㎡;建筑用地面积(㎡):30893㎡;建筑限高(m):安置房建筑限高68m,其他居住建筑限高56m。
其中,安置房套数不少于239套,总建筑面积不少于29205㎡。现代建筑风格,建筑外墙采用高档、优质材料饰面,并避免因材料脱落而产生的安全隐患。建筑(非坡屋顶风格)应采用斜屋面设计。




△规划图
该地块位于咱们的吉州区区政府周边,众所周知,该区域正在建设吉安八中城北分校,城北商业广场等,周边成熟小区、在建小区也不少。中梁、白鹭苑、庐陵一品等等均围绕左右。该地块位置还是可以的,再加上升值空间巨大,无外乎肥肉一块是也~该开发商眼光还是很毒辣的。
据悉,吉安浩城房地产开发有限公司在吉安市区有几个项目~青原区赣江旁的江上院就是该开发商的项目,还是前不久开盘的原五里地块,现名为文澜府·白鹭的新盘也有该开发商的身影哦~另外还有雍和府、明樾臺。
今日成交的地块,位于老城区吉州区区政府旁,发展空间都是巨大的。只不过痛点在于目前还处于发展阶段,配套设施都还不是很完善,不过话又说回来,高铁一通财运自通,再加上井冈山大桥的通车,无疑都是在为这块地增加升值空间。