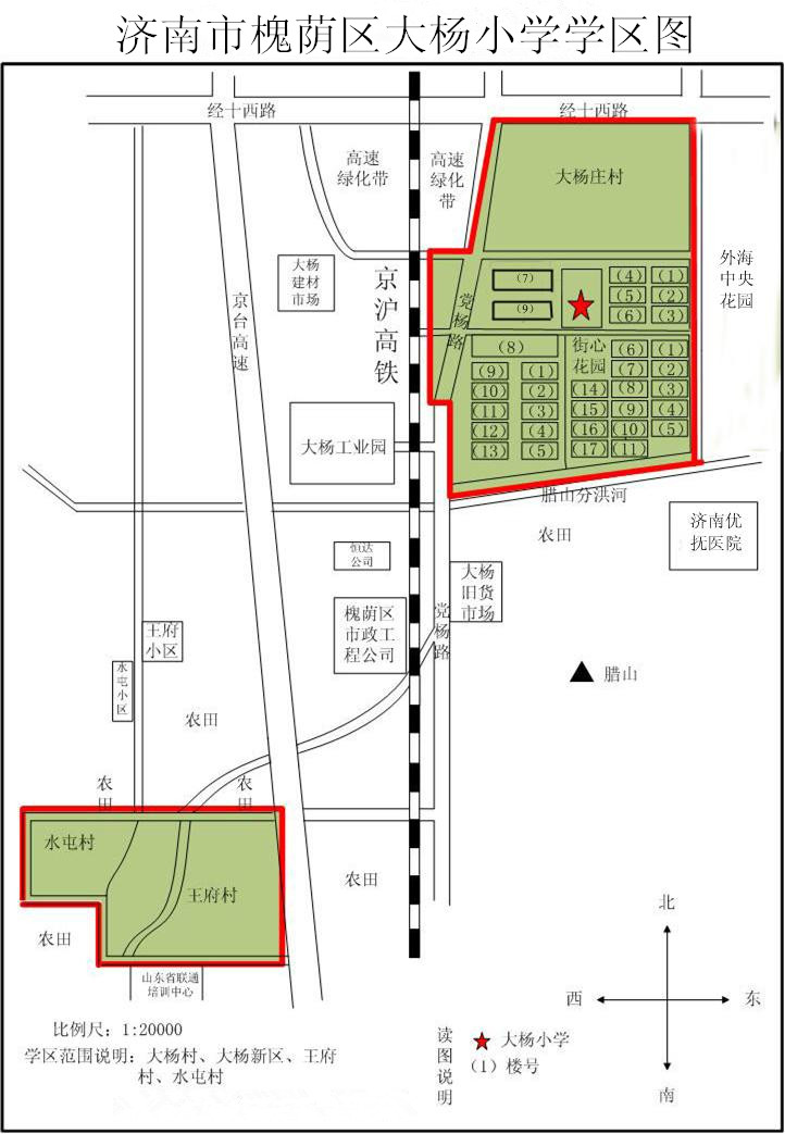
今天家长帮小编为大家盘点了2018年济南槐荫区小学学区范围以及对口初中一览表,各位有需要的家长,建议收藏本文!除此之外,如果大家有更多想了解的问题,请关注+下方留言,一起交流探讨幼升小!还有哪些学校没有提及的,也欢迎留言哦














































槐荫区小学对口初中一览表(供参考)

欢迎关注,会有更多升学干货内容
今天家长帮小编为大家盘点了2018年济南槐荫区小学学区范围以及对口初中一览表,各位有需要的家长,建议收藏本文!除此之外,如果大家有更多想了解的问题,请关注+下方留言,一起交流探讨幼升小!还有哪些学校没有提及的,也欢迎留言哦














































槐荫区小学对口初中一览表(供参考)

欢迎关注,会有更多升学干货内容