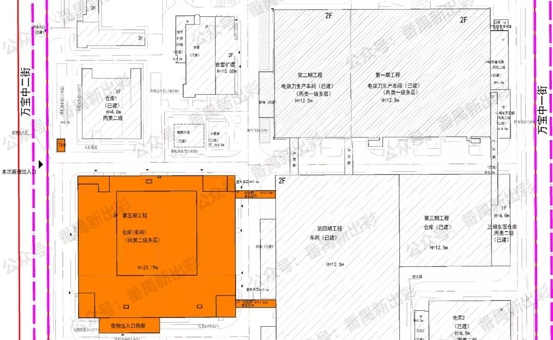
近日,松下万宝美健生活电器(广州)有限公司第五期工程仓库(车间)—仓库(车间)、门卫工程正在进行批后公示。
建设规模:
连廊工程(自编号4#连廊)1幢,地上2层:168平方米;
连廊工程(自编号5#连廊)1幢,地上2层:168平方米;
仓库、厂房工程(自编号仓库(车间))1幢,地上3层:20668.6平方米 ;
门卫工程(自编号门卫)1幢,地上1层:21.4平方米

项目设计方案图
项目位于广州市番禺区钟村街万宝基地万宝北街33号。

区位示意图

项目位置图
松下万宝美健生活电器(广州)有限公司〈英文简写PWAPBLGZ〉成立于1993年12月29日,由日本松下电器产业株式会社与中国广州万宝集团公司合资兴建,注册资金3450万美元,出资比率松下为80%,万宝为20%, 占地面积81000平方米,现有员工约2100人,年生产能力1300万台/年 。
公司是一个集“美容.健康.舒适.快乐”商品于一体的高科技制造企业。
公司的产品以优质、技术含量高而著称,产量、销量、知名度以及品牌价值等一直领先于世界同类产品,得到消费者的广泛认可。 公司更是松下集团在日本以外地区生产同类产品的NO.1企业 。



效果示意图