
茶叶原料等级不等于一切,消费市场应理性看待茶品“等级”,“小”不代表就“好”。
信阳毛尖由于采摘细嫩、具有较强的观赏性,加上市面上一些营销的误导,很多消费者会误认为信阳毛尖就是采摘的越早、芽头越小、品质就越好,随之出现了很多信阳毛尖鲜叶的采摘上,芽头没有最小只有更小的现象。

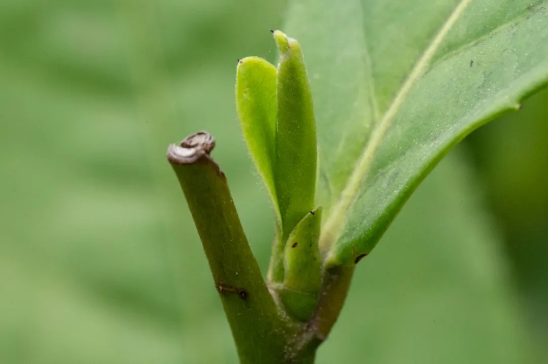
事实上如果采摘过早过小,茶叶的新芽这个时期还未完全展开,有效营养成分累积的不够,做出的茶不但香气偏青,茶味涩、淡,并且不耐泡。

等到清明节过后,天渐渐暖和起来,明前那些没有达到采摘标准的茶,这时候迅速生长成一芽二叶,或是一芽二叶初展的形态,这时采下来的茶就叫“雨前茶”。

尽管它们不如明前茶那般细嫩、娇贵,但由于生长周期较之明前茶更为漫长,所以根部的营养成分更加丰富,而且较之明前茶更为耐泡。因此,很多老茶客更愿选择雨前茶来喝。明代茶人许次纾就曾在《茶疏》一文中,对采茶的时节做过这样的评说:“清明太早,立夏太迟,谷雨前后,其时适中”。
所以信阳毛尖并不是越小就越好,不是越贵就越好,茶叶说到底还是要喝的,还是要“适口为真”。今天你喝茶了吗?
