撰文/校对:诸小葛

6月17日,禹州市又一次土拍落下帷幕,7宗土地全部成交,其中,5宗住宅用地全部溢价成交,(2022)023号地块更是经过24轮竞价后最终被禹州市禹翔房地产开发有限公司以30578万元(亩均价279.53万元)拿下,溢价率39.77%。综合此次禹州市土拍的情况来看,有以下几个特点:
一是地块全部成功出让,且有部分地块以较高溢价出让;
二是拿地企业基本均为本土房企,并没有外来房企拿地;
三是部分地块在土拍前已名花有主,土拍的悬念并不算太大;
四是五宗住宅用地均位于颍北新区;
五是此次出让地块中不乏多宗上次流拍地块。
(2022)023号地块


该地块位于禹州市颍北新区内,具体位于祥云大道南侧、锦华路东侧,此次出让土地面积72925㎡ (109.3875亩),1≤容积率<2.9,建筑密度<25%,35%≤绿地率,起始出让价21878万元,成交价30578万元,溢价率39.77%,亩均价279.53万元。


经过24轮竞价,该地块最终被禹州市禹翔房地产开发有限公司竞得,据悉该公司为禹州市投资总公司全资出资设立。
(2022)015号


该地块位于禹州市颍北新区内,具体位于祥云大道南侧、康城路东侧,此次出让土地面积51828㎡ (77.742亩),1≤容积率<2.9,建筑密度<25%,35%≤绿地率,起始出让价14243万元,成交价14443万元,溢价率1.4%,亩均价185.79万元。


经过1轮竞价,该地块最终被禹州市碧高房地产开发有限公司拿下,据有消息称,该地块内或为安置房项目。
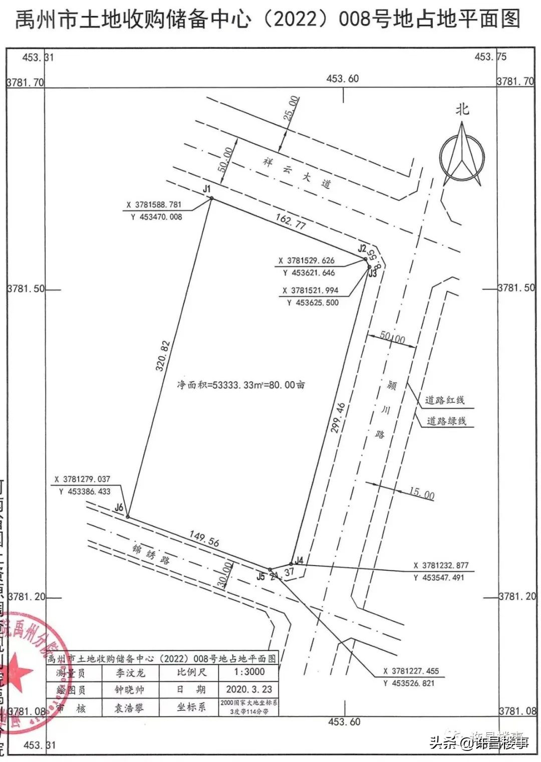
(2022)008号


该地块位于禹州市颍北新区内,具体位于祥云大道南侧、颍川路西侧,此次出让土地面积53333㎡ (79.9995亩),1≤容积率<2.9,建筑密度<25%,35%≤绿地率,起始出让价16000万元,成交价19200万元,溢价率20%,亩均价240万元。


经过4轮竞价,该地块最终被禹州万丰置业有限公司拿下,据前期公示情况来看,该地块应该就是前期公示的颍北新区04-03-06宗地内部地块,或为万丰安置项目地块。
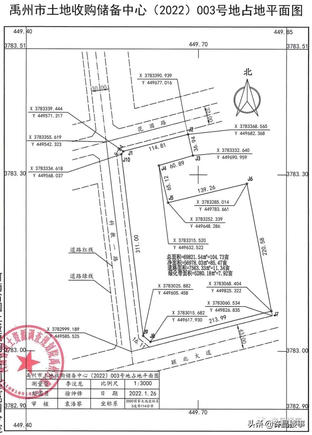
(2022)003号


该地块位于禹州市颍北新区内,具体位于花园路南侧、科教一路东侧,此次出让土地面积56978㎡(85.467亩),1≤容积率<2.9,建筑密度<25%,35%≤绿地率,起始出让价13191万元,成交价13691万元,溢价率3.79%,亩均价160.18万元。


经过1轮竞价,该地块最终被禹州市碧高房地产开发有限公司钧台分公司拿下,该公司为禹州市碧高房地产开发有限公司的子公司,据有消息称,该地块或为富丽湾项目建设用地。
(2021)128号


该地块位于禹州市颍北新区内,具体位于药城路东侧、大学路北侧,此次出让土地面积64974平方米 (97.461亩),1≤容积率<2.5,建筑密度<25% ,35%≤绿地率,起始出让价19492万元,成交价20492万元,溢价率5.13%,亩均价210.26万元。


经过2轮竞价,该地块最终被禹州市海盛置业有限公司拿下,海盛置业很多朋友应该都不陌生,开发有许昌和禹州的海盛湖滨豪庭项目。

其余两幅工业用地也都成功出让。
至于此次土拍是否会是禹州市房地产市场回暖的开始,这个不好说,也说不好,毕竟在此之前禹州市出台的“救市”政策确实够猛,尤其是房企20%拿地、土地出让金分期付款等政策确实也给了房企一些信心,但仅凭一、两次的土拍我们也确实不好下结论(禹州4.29土拍和此次土拍,禹州新政发布日期为4月中旬),禹州楼市“新政”效果究竟如何,想必时间会给我们最好的答案。
备注:仅供参考,一切信息请以官方公示为准,出文随机,暂不接受任何指定和委托,转载或引用请注明出处。