2020年槐荫区进一步完善了义务教育招生管理平台,同时结合疫情期间少聚集的要求,小学阶段入学申请登记采用以网上申报为主,通过共享大数据进行报名审核,力争让“数据多跑腿,家长少跑腿”,实现招生工作的精准服务。
招生平台网报分本区户籍子女、外来务工人员随迁子女和西客站片区及部分新建小区三类情况,家长可根据实际情况提出申请。
适龄儿童家长监护人可登陆济南市槐荫区政府网站(http://www.huaiyin.gov.cn/ 建议用火狐或谷歌浏览器 ),点击“槐荫区小学报名入口”浮窗图标,进入“槐荫区小学入学信息登记系统”,网上报名时须先注册账号,再进行申请登记。再次登录忘记密码的用户可在登录首页点击“忘记密码”,输入账号和注册账号时填写的邮箱进行找回。录取与登记时间早晚无关,请家长合理安排,如网络拥挤,可选择其他时间段登记。
一
入学申请登记流程
现场报名及确认人员范围:1、因特殊情况不能实现网上报名的;2、西客站片区购房外来人员;3、住房为小产权的;4、全区外来无自购房产人员。
备注:除以上4种类型外,其他人员网上申请登记并提交材料即可,无需到现场进行确认。现场确认实行网上预约,错时进行。
二
报名条件及所需资料
(一)本区户籍子女
基本条件
1.年满六周岁(2014年8月31日前出生);
2.槐荫区常住户口、监护人有房产并长期实际居住。
所需资料
1.户口簿;
2.房产证;
3.监护人身份证;
4.户口簿不能证明亲子关系的需提供适龄儿童的出
以上证件需清晰完整地拍摄照 片 上传报名平台相应位置。
位置。
学区查询方式
方式一:学校公示栏
方式二:电话咨询各学校
方式三:网上查询(建议用火狐浏览器、谷歌浏览器查看。网址:
http://www.huaiyin.gov.cn/art/2020/6/10/art_45709_4478480.html?xxgkhide=1)
填报说明
1.请结合家庭实际情况选择“槐荫户籍有房产入口”和“槐荫户籍无房产入口”进行登记;
2.如适龄儿童父母无房、祖孙三代同住的,需提供由房产大厦开具的无房证明,报名时选择“槐荫户籍有房产入口”进行登记,填报(外)祖父母房产对应学校,该校如有学位则予以录取,学位不足则由区教育和体育局协调至其他学校入学;
3.槐荫户籍无房产的适龄儿童需提供户口簿和无房证明;
4.在本区服役的符合随军条件的军人子女提供军官证、*队军**随军审批报告表、单位证明信和居住证明,参照本区户籍适龄儿童入学申请流程进行登记:有自购房产的进入“槐荫户籍有房产入口”进行登记,无自购房产的进入“槐荫户籍无房产入口”进行登记;
在本区服役的不符合随军条件的军人子女参照外来务工人员随迁子女提供所需资料并进行申请登记;
5.*迁拆**居民子女请持户口簿、*迁拆**证明、实际居住地证明到原片区学校报名,区教育和体育局将结合实际情况按有关规定进行安置;
6.外国及港澳台学生根据有关文件精神,需提供护照、通行证、实际居住地证明等相关材料,参照本区户籍适龄儿童入学流程进行申请登记;
7.非居住型公寓、商铺、写字间不在招生范围内;
8.为保障适龄儿童正常入学,请准确填报户籍及房产信息,选择学区内学校进行填报;
9.请认真阅读填报说明,信息提交后有2次修改的机会;
10.具体进程请及时关注槐荫区人民政府官网(http://www.huaiyin.gov.cn/)2020年槐荫区义务教育小学阶段入学申请登记平台和济南槐荫教育微信公众号(jnhyjywx)发布的相关通知;
11.对于因身体健康等原因延缓入学的,父母或其他法定监护人应通过报名平台的“延缓入学申请入口”向区教育和体育局及学校提出申请,经批准后方可缓学。
(二)外来务工人员随迁子女
招生原则
1.按照“市级指导,县(区)为主体,积分量化,公平公正”的原则,外来务工人员随迁子女的招生采用量化排序的办法进行,优先安排更加符合条件的随迁子女入学;
2.家长只能选择一所学校进行申请登记及现场确认。
基本条件
1.年满六周岁(2014年8月31日前出生);
2.在槐荫辖区实际居住的外来务工人员随迁子女;
3.截止2020年8月31日前,主申请人的以下资料需同时并连续满足一年以上方有资格进行入学申请登记。
(1)居住证:槐荫区公安机关出具的证件;
(2)居(租)住证明:购房者需提供房产证和全额购房发票(或者购房合同和缴费单据);租房者实际居住地址与居住证上的地址不一致的需提供房屋租赁合同;
(3)务工证明:在济务工人员需提供劳动合同和社保缴费单据;在济经商人员需提供营业执照和税务登记证;
其他所需资料:
(4)户籍证明:户口簿、父母身份证;
(5)户口簿不能证明亲子关系的需提供适龄儿童的出生证明。
(6)客运、货运运营人员需提供槐荫区居住证、从业资格证、经营许可证、道路运输证及单
以上证件需清晰完整地拍摄照片上传报名平台相应位置。
名平台相应位置。
温馨提示
1.所有材料需一次性提交,补办无效;
2.今年通过与相关部门共享数据的方式对材料进行比对核查,家长需提供真实可靠的证明材料,否则将取消录取资格;对于弄虚作假、伪造入学资料的,一经发现,严肃追究相应人员责任;
3.外来务工人员随迁子女入学材料只能由其父母或监护人提供。
赋分说明
1.主申请人的居住证、劳动合同(或营业执照)、社保(或税务登记证)满一年赋基础分,超过一年后按月累计加分,加分时长上限为6年;
2.在对主申请人赋分的基础上,辅申请人资料进行累计赋分;
3.购房的外来务工人员随迁子女需同时提供以上入学申请登记所需资料;
4.在槐荫辖区务工或经营的外来务工人员给予适当加分。
填报说明
1.请结合家庭实际情况选择“外来务工有房产入口”和“外来务工无房产入口”进行登记;
2.交房并已实际入住的外来务工人员随迁子女可填报房产对应学校,租房的外来务工人员随迁子女到意向学校现场确认,不可重复登记;
3.非居住型公寓、商铺、写字间业主子女不在招生范围内;
4.逾期(截止到7月7日下午17:00)未申请登记者,视为自动放弃入学机会;
5.无论通过网上登记平台方式还是通过现场申请登记方式都不代表最终能够在槐荫区接受义务教育;
6.请认真阅读填报说明,信息提交后有2次修改的机会;
7.需要现场确认的,学校将根据工作安排可能有所调整,具体时间以学校公布的为准;
8.具体进程请及时关注槐荫区人民政府官网(http://www.huaiyin.gov.cn/)2020年槐荫区义务教育小学阶段入学申请登记平台和济南槐荫教育微信公众号(jnhyjyw
的相关通知

(三)西客站片区及部分新建小区业主子女
基本条件
1.年满六周岁(2014年8月31日前出生);
2.交房并实际居住;
3.具有槐荫区户口或居住证。
所需资料
1.请按户籍实际情况,按照本区户籍子女类型或外来务工人员随迁子女类型准备资料;
2.西客站片区及部分新建小区业主子女入学需提供房产证(尚未办理房产证的提供购房合同和全款发票)、户口簿、交房及入住证明等有关资料进行入学申请登记;安置三区需提供《济南市西客站片区已入住楼房房屋安置补偿协议》和《西客站片区已入住楼房*迁拆**交房单》;
3.户口尚未迁移至房产处的业
以上证件需清晰完整地拍摄照片上传
需清晰完整地拍摄照片上传报名平台相应位置。
片上传报名平台相应位置。
填报说明
1.西客站片区及新建小区业主子女入学必须符合交房并实际入住条件后方有报名资格;
2.西客站片区及新建小区购房的外来务工人员现场确认说明:
西客站片区及新建小区购房的外来务工人员是指在西客站及新建小区购房、交房并实际入住,有槐荫区居住证等材料的人员。为方便家长,提高效率,西客站片区及新建小区外来务工业主请到指定学校进行现场确认。指定学校仅进行代为确认工作,不代表被该校录取。金科城、绿地中央广场、爱丽舍公馆外来务工人员的业主到大杨小学代为现场确认;绿地香榭丽外来务工人员的业主到张庄小学代为现场确认;恒大雅苑和济水上苑外来务工人员的业主到担山小学代为现场确认;锦绣兰庭、梦世界、海亮艺术华府外来务工人员的业主到机场小学代为现场确认;荣宝御园、大尧风华盛景外来务工人员的业主到小金小学代为现场确认;剑桥府邸外来务工人员的业主到段店小学代为现场确认;万科公园里、龙腾国际花园外来务工人员的业主到刘堂小学代为现场确认,其他小区外来务工人员的业主可到汇英小学代为现场确认。
具有本区户籍的业主如网上报名有困难需要到现场进行报名的,请到本小区相应的指定学校进行现场报名即可。
3.非居住型公寓、商铺、写字间业主子女不在招生范围内;
4.请认真阅读填报说明,信息提交后有2次修改机会;
5.具体进程请及时关注槐荫区人民政府官网(http://www.huaiyin.gov.cn/)2020年槐荫区义务教育小学阶段入学申请登记平台和济南槐荫教育微信公众号(jnhyj
招生过程如有问题,请拨打下列电话咨询。
电话
招
生过程如有问题,请拨打下列电话咨询。
过程如有问题,请
拨打下列电话咨询。
列电话咨询。




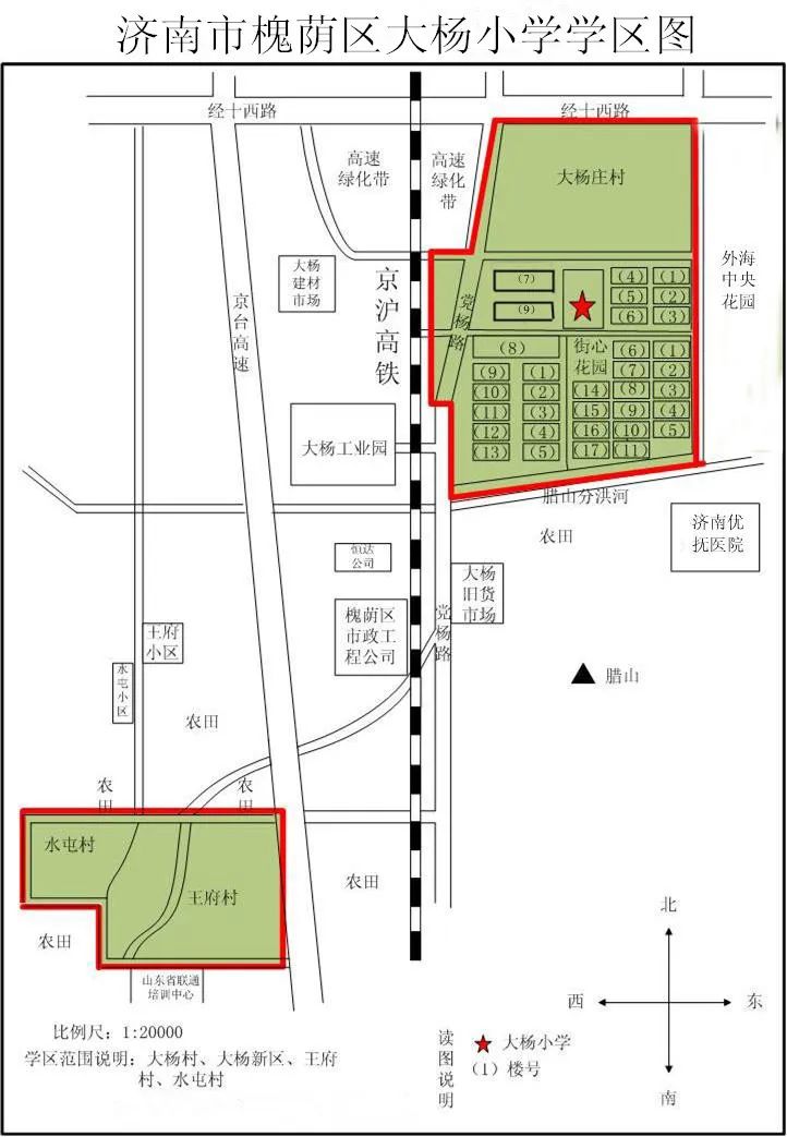
2020年槐荫区
小
学学区图















济南市
匡山
小学学区
图









济南市槐
荫区
锦绣城小
学学
区示意图






济南市老
屯小学学
区示
意图




济南
市大金小
学学
区示意图













西沙王庄规划小学学区图

2020年槐荫区中小学转学申请须知
相关政策
《山东省普通中小学学籍管理规定》第三章
所需材料
请分别按照“本区户籍子女”、“外来务工人员随迁子女”、“西客站片区业主子女”入学材料进行准备。
(具体请参照《槐荫区小学阶段入学申请登记须知》)
办理流程
学校现场初审确认申请资料——复审资料——上报——区教体局审批——由录取学校电话通知 ——9月中上旬完成学籍异动
递交材料地点
到片区或就近学校进行登记并对材料进行初步审验
说明
1.现场初审确认时间定于7月13日至7月30日进行,请家长填写《槐荫区转学申请表》,携带相关转学材料进行登记。具体时间学校可根据工作安排进行适当调整并及时公布;
2.新建学校无对应年级的,由教育部门根据周边学校的学位情况统筹协调安排入学;
3.由于学位有限,外来务工人员随迁子女无法转入的请继续回原籍接受义务教育。
附件:槐荫区转学申请表

注:请将入学材料复印件附在此表之后装订,一并上交提交申请学校。
转学申请只能提交至一所学校,对于一人提交多校者,区教体局有权取消其转学入学资格。
槐荫区教育和体育局
槐荫区教育和体育局
2020年6月10日
具体可登陆登陆槐荫区人民政府网站查询。