1、济南最贵楼盘在老城!
12月1日,被称为济南价格“最贵”的楼盘开盘了!
它是中建国熙台。本次开盘的24层产品,价格3.15万元/平方米左右,11层产品,价格3.4万元/平方米左右。这个价格,是济南在售普通住宅中最贵,远超CBD、奥体等片区楼盘的价格。
中建国熙台位于老城内,具体位置是解放路以北、山大路以西,本次开盘的14、16号楼,面积段在90-180㎡之间,精装修。

根据了解,本次开盘去化情况不错。它首产品量较大,有约230套产品,去化率达到50%以上,销售金额在4亿元以上,这在的当前整体萎靡的市场行情下很不错了。
单价达到3.15万元至3.4万元,卖得还不错,说明什么?
老城的购买力,还是很强大的!
其实,很多居住在济南老城的人,住着老破小的房子,有着很强烈的置换需求。但是,他们的置换又不能太远了——孩子在周边上学,老人在周边生活,出了二环,生活会变得很不方便,最好能在二环内置换。
所以说,国熙台的房价超过CBD、奥体等片区楼盘,成为济南“最贵”楼盘,而且卖得还不错,自有它的市场逻辑。
那么,除了国熙台,济南老城内还有那些项目可以期待?
2、金地接手北湖项目,产品值得期待
我们之前聊过,在大明湖以北1.5公里左右的北湖片区,金地商置已经接手了海尔的两个住宅地块。
那么,这两个地块的产品怎么样的呢?金地北湖项目包括两个住宅地块,其中B7地块是这样的:

从产品外观看,高级灰的外立面还是挺漂亮的。
不过,它的地块容积率比较高,地上达到了3.9,所以居住密度会较高。它与8栋住宅,全部为31-34层的大高层。多栋楼有日照不足的居住公寓,以6、7、8号楼的情况比较严重,其中7号楼东单元1-18层均有日照不足的居住公寓,显示其采光情况很一般。

另一个是B9地块,在B7地块南侧:
它的地上容积率稍低,但也同样达到了3.84,规划了7栋29-33层的大高层。其中,1、7号楼居住公寓比较多,7号楼东单元公寓达到了1-20层。
6号楼南侧是幼儿园,采光情况不错。

金地进入济南市场,是从与中骏、万科、龙湖合作开发的玖唐府开始的。
目前,它在济南已经有多个地块,势头比较猛。希望它能给济南人拿出一些品质楼盘。
3、泺口迎来新楼盘,绿地新里璞园
坐标济南北部,泺口附近将增加一个新楼盘,名字为绿地新里璞园,预计明年上半年开盘。
它位于济南动物园东北1公里左右,具体位置是济泺路以东、马家庄南路以北,包括两个地块,共有12栋高层。
其中,B2地块有6栋高层:

B3地块也有6栋高层:

该项目的土地成交于今年5月份,由绿地拿地。
其中,B3地块地上总建面17.5万平方米,为29至33层的大高层,10万平方米为安置房。另外,B3地块还要建一个规模较大的地上停车场,有999个车位。

B2地块地上总建面8.3万平方米,规划了18-26层的产品,没有安置房,品质会更高一些。

项目敏感点是距离铁路比较近。
这个项目的位置总体还是不错的,周围人口密度比较大,比较适合周围地缘性客户入手。
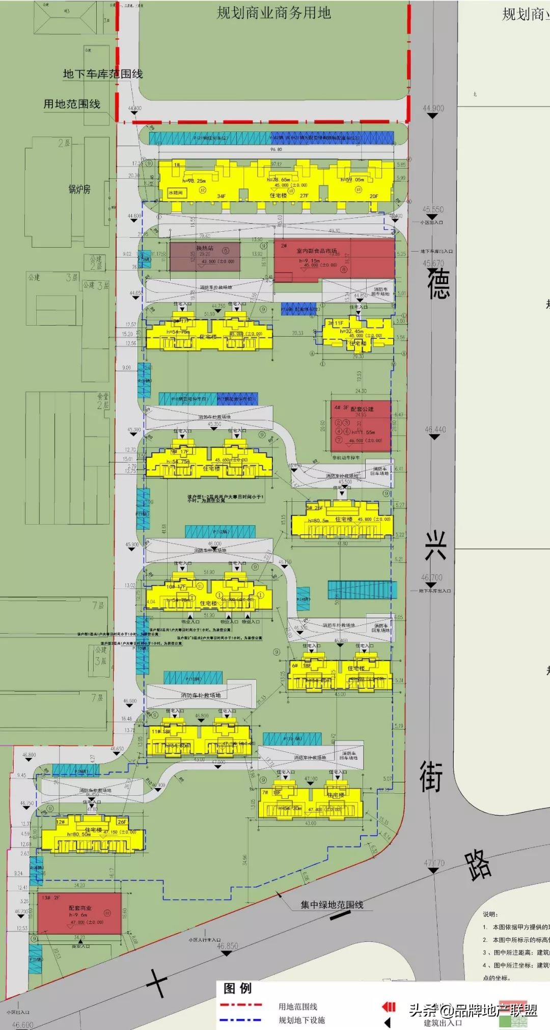
4、和谐广场斜对面,万和府将入市
这是济南西部的一个楼盘,位于经十一路北侧、德兴街西侧,和谐广场斜对面。

地块区位图
今年3月份,该地块成交,祥泰底价拿地,当时成交的两个地块分别为住宅与商业地块,楼面地价分比为3710元/平、7023元/平,同时还需要配建住宅安置房36542.35平方米、非住宅安置房1131平方米。
这个价格并不算低。后来祥泰选择了与远洋合作开发该地块。
根据规划,该项目将将建设10栋17-34层住宅楼,(商品房最高26层,34层楼为回迁楼)。项目容积率3.0,面积段在110-175平米之间,毛坯交付。

项目北侧楼为安置房,3号楼北面有一个副食品市场,8号楼北面有一个换热站,10号楼和11号楼之间有一个500㎡的室外健身广场,另外也有一些地上停车位。

受制于容积率和安置房,产品并不能说很高大上。
项目区位很好,距离和谐广场仅有三四百米,距离西侧齐鲁儿童医院、市立五院约一公里,基础配套十分完善。
再加上周围竞品少,只要定价合适,不愁卖。
5、聊城民生首进济南,济南西北新楼盘
今年8月8日,天桥区堤口南路89号A-4地块历6轮竞价以12911万元的价格成交,住宅楼面价约8917元/㎡,聊城民生置业借此首入济南。
好多小伙伴可能不太熟悉这里,我们给大家在上图用黄线标注了项目地块位置:大概位于胶济铁路以北,纬十二路以东的区域。周边有一些次新盘,如保利华府、路劲御景城等。

项目区位图
项目为聊城民生置业首进济南项目。在现如今土地市场几乎被全国地产巨头垄断的情况下,中小开发商拿地基本都很小,这个地块也不例外。
该地块仅有约12亩土地,容积率1.8,规划两栋住宅楼,南侧一栋11层高,北侧13层,住宅停车位共91个,其中地上9个停车位。

项目效果图
项目南侧万盛大沟(暗沟)以南为规划公园绿地,项目北侧为配套公建,如换热站、综合服务设施、副食品市场等。东侧的2层公建用房为社区警务室、便利店、垃圾收集站、公厕等。

项目工程规划图
周围老房子较多,适合周围地缘性客户。
6、历下区还有俩新盘,每个只有两栋楼
老城历下喜爱去,还有两个较小的新楼盘即将开售。
历山路以东解放路以北,历山永祥里将售,只有2栋住宅,开发商为本土企业山东瑞林置业:

历下区北部,山大路以西、花洪路以北,绿地泉开发的山大静园即将销售,也只有2栋楼:

除了以上楼盘,今年济南老城内还成交有较多土地:
历山路以西、东关大街以南,齐鲁置业关联企业所拿土地;北园高架以北、历山北路以东700米处,绿城所拿土地。
目前,这两个楼盘尚未产品信息。待未来产品公示时,我们会给大家进行详细解读。(佰壹工作室 济南楼市观察)