三大全球唯一奇观:海中长沙滩,天然牛奶湖,百年干贝城;五大海底世界奇观:无毒水母湖,海底大断层,珊瑚伊甸园,水中钟乳石洞,蓝洞蓝角。
这是一个非常原生态的国度,她的海水是炫丽七彩多层次的。基础设施还很落后,正因为落后才保持了她的原生态。她被CNN评选为2010年度海岛类型旅游国度第一名;她被联合国教科文组织授予自然与文化双遗产地;她被世界知名的海洋学者等,共同推选为世界7大水底奇观之首;她就是帕劳,一个位于南太平洋的美丽群岛,一片七彩的水底世界。

来帕劳那天傍晚强台风即将来临关岛,从下午起一直担心美联航是否会取消航班,但总算还好,最终还是准时到达了科罗尔。出机场我与好友“小黑”,已经是最后两人出机场了。由于小伙子没经验,出发时没打印好回程机票,被帕劳海关折腾了一会时间,还好他们与美联航确认了他确实有回程机票后,才放行。帕劳对中国公民实行免签证,只要持有回程机票和酒店预订单即可放行,中国海关白板护照也顺利能出关。
出机场后约定的酒店接机的人没有在等待,或许他以为我们不会来了此时机场已经没有什么乘客。拿起手机与酒店联系,才发现手机在帕劳没有任何信号,如果要在帕劳手机通话必须去商店买他们的电话卡。于是请机场柜台的工作人员联系酒店,五分钟后酒店车就来了。

由于这次行程仓促,帕劳的酒店大多数早就预订一空,我们只预定到了一家由台湾人开的Airai Water Paradise Hotel & Spa艾拉水上乐园酒店。这是一家很普通的、最多称为三星级水平的酒店,设施比较陈旧,但三晚合计美元也要390元。酒店在大岛上(Babeldaob),离机场很近,但距离Koror科罗尔镇中心至少有15分钟车程。对于上网,到达第一晚就很无奈。帕劳通讯业极落后,所以在帕劳使用WiFi速度极慢。几乎大多数酒店客房是没法上网的,只能到酒店大堂上网,但速度使人无法忍受,所以只能与家人勉强报个平安,无法再多沟通。


科罗尔Koror是帕劳共和国前首都,也是其最大城市,其实是非常小的一个小镇,甚至比中国普通的小镇规模还小。商业极少,只有几家超市和饭店,可想而知,这个国家人口才两万,首都当然也就巴掌那么点大。帕劳以前归属于美国,1994年独立。她位于西太平洋,关岛以南700英里处,属加罗林群岛(Caroline Islands),其国土面积458平方公里,水域面积62.9万平方公里。帕劳属热带气候,年均温度27℃,虽然是热带,但气候很凉爽。这是一个极为美丽的岛国,纯朴自然风景如画,人民热情好客,当地人讲英语,鱼类等海洋资源十分丰富,更是潜水者的乐园。


第二天早上七点让酒店车子送我们到科罗尔市中心WCTC超市,潜水店说好七点半来WCTC超市门口接我们。其实潜水店距离所谓市中心很近,潜店车子接上我们转一个弯就到了。按照惯例到了潜店签订免责协议,然后等潜水员到齐后就上船出发。这天船上上共有十多位潜水员,很巧合遇到了老乡,来自上海的三对年轻夫妇,他们2010年来过帕劳,这次重归故里,再来潜水。其中一对他们已经有八年的潜水经历,估计是度蜜月时候不小心爱上了潜水,于是每年出来度假,潜水是他们必修功课。经常在潜水途中遇到不少西方六十多岁的老夫妻,他们从年轻时就开始潜水,从潜水爱上了对方,一直相伴到老。




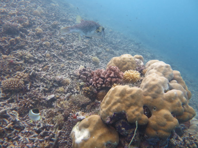
帕劳一大景观是红树林,在船驶向潜水点海面上,能观赏到很多这种名为红树林的植物把每个小岛所围绕,它能防浪护岸,又是鱼虾繁衍栖息的理想场所,所以在帕劳小岛上沙滩很少看见,倒是这一片片的红树林组成了一种独特的景观。
帕劳的海水有具有一种梦幻般的的蓝绿色,而且多姿多彩。在帕劳,你会重新学到什么是海,什么是地,什么是光,什么是热。在这里再烦恼的事暂且放一下,充分享受大自然赐予的美景。所以都说帕老回来不看海。


来帕劳第三天我们安排了水母湖以及海上浮潜,很遗憾由于第四天凌晨2:30飞机要回关岛转机,按照PADI潜水规则,潜水后18小时内不能坐飞机,所以只能选择浮潜,留点遗憾以后再来帕劳。
水母湖是帕劳最具个性的景点,也是世界上独一无二的无毒水母,所谓水母就是我们吃的海蜇头。水母湖距离科罗尔开船约30分钟的时间,在一个岛上的内湖。水母湖曾是海的一部分,由于地壳运动,周围的海床升高,逐渐将它与外海隔绝。这是一项比较简单水上活动,浮潜就能看到这一奇观。这里的水母多得无以计数,带着面罩与吸气管,不会潜水的人照样玩转。











对女性游客不妨去牛奶湖玩玩,由于帕劳的海水透明度极高,湖底沉淀的火山泥使海水蓝绿色中带点乳白色,加上湖底绵白的火山泥很像牛奶,所以才被称为牛奶湖。在牛奶湖泡泡对皮肤非常有好处。

来帕劳旅游主要是参加水上活动,如果你不喜欢水上运动,而且对住宿有一定要求的话,按照目前的基础设施,住上两晚就会发疯。当然来帕劳就是享受大自然赐予的纯朴美,如果将来帕劳过度开发,那种原生态的宁静与风貌就会被破坏。