
在上篇中发文的南山区南部南头、南山、招商、蛇口街道的城市更新项目,那么北部的西丽、桃源、粤海、沙河街道又都有什么项目呢,接着一起往下看吧。
西丽
▼重点更新单元
西丽中心区

全市首批探索政府主导模式的重点更新单元之一。在与国企的战略合作中, 坚持政府主导、企业统筹,打造南山北部综合服务中心、全国领先的城市更新统筹示范区。占地面积约1平方公里,拟规划建筑总量280万平方米。以居住、商业、公共配套为主,公共配套包括城市文化设施和城市体育设施。

项目信息:项目位于西丽片区东南部,北临文光路,南临茶光路,东临沙河西路,西临文华路(规划)
项目规模:拆除用地范围总面积共8.89万平方米,开发建设用地面积6.37万平方米,公共服务设施用地面积4553.2平方米,计容积率建筑面积46.44万平方米,其中:产业研发用房35.35万平方米(含创新型产业用房7.84万平方米),产业配套用房10.36万平方米(含配套单身宿舍7.59万平方米,配套商业2.77万平方米),公共配套设施7300平方米。
实施主体:深圳市大沙河创新产业园建设开发有限公司
更新方向:工业
项目进度:项目动工
水源三村

位于南山北部的水源三村,包括大磡、麻磡、白芒(含牛成)三个社区,共约20万居民在此生活,历史村界面积24.26平方公里,目前实际占用19.47平方公里。水源三村环西丽水库,北依羊台山,全部位于一二级水源保护区,是深圳市生态安全格局的重要组成部分,超过90%的土地位于基本生态控制线内。水源三村由于地处基本生态控制线范围内和水源保护区,片区发展无规划,基础设施不完善,存在发展无序的混乱局面。
南山区政府与华侨城合作推动水源三村项目,既解决了南山区北部的发展落后、水源保护等问题,同时,水源三村也给华侨城未来的发展提供了重要的支点。项目将建设成为国际级的大学城综合配套服务基地 , 以麻勘村为核心启动区。占地面积39.8公顷,以整村统筹模式进行改造,塑造山水城大格局,引领生态教育、创客产业孵化,丰富休闲、 旅游、民宿、文化体验。
高新区北区

北起广深高速公路,南到滨海大道,西临麒麟路、南油大道,东至沙河西路,全市十六个重点片区之一,是代表我市落实国家战略和打造国际科技、产业创新中心核心区的代表性项目。
总占地面积2.58平方公里,规划建筑总量660万平方米,总体容积率1.25,已建成产业空间310万平方米,60%以上厂房的建筑年限超过15年,用地权属较为分散,包含产业用地、居住用地、配套用地总计 114 宗地,其中超过一半为产业用地。
项目总投资超过500亿元,目标定位为实现产业升级、空间倍增和产城融合发展,从单一的产业基地向产业、总部、研发、设计、创意、孵化等综合性基地转变,拥有地上地下立体交通,高楼庭院绿廊连接,生活环境优美宜人,成为国际一流的高科技园区。目前已开始建设酷派信息港、源政大楼等项目,已启动莱宝真空、神州通、豪威科技、万讯、*讯博**等项目。


项目信息:项目位于高新技术园区北区,处于科苑北路、高新北一道、科技北三路、宝深路范围之内
项目规模:开发建设用地计容积率建筑面积为20.17万平方米,容积率7.20。产业研发用房建筑面积17.50万平方米(含创新型产业用房8750平方米);产业配套用房建筑面积2.23万平方米;配套设施4500平方米(含社区健康服务中心400平方米、社区警务室50平方米、邮政所150平方米、公共厕所100平方米、物业管理用房100平方米、一处公共场站3000平方米、一处电动车公共充电站700平方米)。项目分为三期进行,其中,一期建设用地1.26万平方米,将建设三栋20层的办公楼,总建筑面积12万平方米,预计可容纳上万员工。
实施主体:宇龙计算机通信科技(深圳)有限公司
更新方向:工业
项目进度:项目一期工程已建设至地上十层,处于停工状态;二期为城市更新项目,尚未拆除;而三期为空地。

项目信息:项目位于西丽街道,高新北四道与科技北三道交汇处
项目规模:拟拆除重建用地面积1.37万平方米,拟拆除重建用地范围内应落实不少于3000平方米用地用于建设城市基础设施、公共服务设施或者城市公共利益项目。
更新方向:新型产业用地
项目进度:2017年11月6日列入《2017年深圳市南山区城市更新单元计划第三批计划》(草案)

项目信息:项目位于西丽街道,科技北三路与高新北五道交汇处
项目规模:拟拆除重建用地面积4340平方米,小地块城市更新单元内可供无偿移交给政府的独立用地应当不小于拆除范围用地面积的30%。
更新方向:新型产业用地
项目进度:2017年11月6日列入《2017年深圳市南山区城市更新单元计划第三批计划》(草案)

项目信息:项目位于西丽街道,科技北二路与高新北一道交汇处
项目规模:拟拆除重建用地面积1.14万平方米,拟拆除重建用地范围内应落实不少于3000平方米用地用于建设城市基础设施、公共服务设施或者城市公共利益项目。
更新方向:新型产业用地
项目进度:2017年11月8日列入《2017年深圳市南山区城市更新单元计划第二批计划》

项目信息:项目位于西丽街道,科技北三路与高新北三道交汇处
项目规模:拟拆除重建用地面积1.21万平方米,拟拆除重建用地范围内应落实不少于3000平方米用地用于建设城市基础设施、公共服务设施或者城市公共利益项目。
更新方向:新型产业用地
项目进度:2017年11月8日列入《2017年深圳市南山区城市更新单元计划第二批计划》
沙河
▼重点更新单元
沙河五村



目前深圳计容面积最大的城中村改造项目,位于深圳市南山区白石洲沙河街道,深南大道以北,沙河东路以东,与名商高尔夫球场隔路相望,用地东侧为沙河街,北侧为新塘街,南侧为新中路及明珠路。
单元用地面积48万平方米,拆除用地面积45.9万平方米,开发建设用地面积30.3万平方米,计容积率建面约为347.9万平方米,容积率达11.5。住宅约125万平方米(含保障性住房5万平方米),商业、办公及旅馆业建筑104.5万平方米,商务公寓112万平方米,社区体育活动场地用地1.8万平方米。公共配套设施6.46万平方米(幼儿园共57班,建筑面积1.52万平方米、占地共1.71万平方米,社区健康服务中心1万平方米、含返还沙河社康服务中心5600平方米,文化活动中心8000平方米,文化活动室6000平方米,社区管理用房900平方米,派出所3000平方米,社区警务室150平方米,便民服务站1200平方米,养老院9000平方米,老年人日间照料中心2250平方米,社区菜市场4500平方米,变电站3500平方米,邮政所450平方米,公共厕所400平方米)。另外,地下商业建筑面积1万平方米。地下市政交通设施2.5万平方米,其中:公交首末站1.05万平方米,综合车站1.4万平方米,垃圾转运站(含再生资源回收站)960平方米,环卫工人作息房40平方米。
临近城市特色功能中心,将建设成为以高新区、后海中心、超级总部基地、华侨城为依托,以“创业居住、创投商务、创意商业、创新文化”为特征的宜居宜业、居住配套与商业并重的城市综合体。
项目于2017年8月14日规划草案公示结束。
白石洲村

位于深南大道南,紧邻世界之窗,通过综合整治,将建成“安全、整洁、舒适、宜居”的都市小镇,展现“现代、活力、多元、兼容”的文化特征。占地面积13.78公顷,村内共有房屋608栋,居民约14400户。交通便利、设施齐全,是许多来深打拼的外来租客的落脚点。规划建成含有高层住宅、写字楼、商业的综合体项目,目前尚未开始*迁拆**。


项目信息:项目位于深圳市南山区白石洲沙河街道,深南大道以北,沙河东路以东,与名商高尔夫球场隔路相望,用地东侧为沙河街,北侧为新塘街,南侧为新中路及明珠路
项目规模:项目用地面积为10.66万平方米,拆除用地范围面积为9.94万平方米,开发建设用地面积6.68万平方米,计容积率总建筑面积33.74万平方米,其中住宅18.66万平方米(含保障性住房1.47万平方米),商业、办公及酒店合计7.1万平方米,商务公寓6.9万平方米,公共配套设施1.08万平方米,另地下商业建筑面积2.4万平方米。通过改造,将完善片区城市道路系统,提高公共配套和商业服务水平,将片区建设成为集住宅、商业、高端养老公寓等功能为一体的综合体。
实施主体:深业沙河世纪山谷投资有限公司
项目进度:项目已完成*迁拆**,尚未动工


项目信息:项目位于沙河街道华侨城片区,南临深南大道,东临恩平街,西邻汕头街
项目规模:更新单元占地3.73万平方米,计容建筑面积26万平方米,其中产业研发用房9.9万平方米(含创新型产业用房4.2万平方米),商业性办公6万平方米,商务公寓6.6万平方米,公共配套包括地下电动车公共充电站等1.5万平方米。总投资约50.3亿元。
该项目规划定位为集研发、办公、商业等多元功能为一体的城市综合体。改造后的康佳集团总部厂区将融社会参与和交流、休闲娱乐于一体,打造华侨城的“城市客厅”。
实施主体:深圳市康侨佳城置业投资有限公司
项目进度:原建筑已拆除,11月14日龙光地产竞得康侨佳城70%股权。


项目信息:项目位于沙河街道华侨城地区核心地段,深南大道北侧。鹤塘街与鹤月西街交汇处
项目规模:*迁拆**用地范围面积1.81万平方米,开发建设用地范围面积1.33万平方米。计入容积率总建筑面积为10.89万平方米。其中,住宅总建筑面积为6.4万平方米(含保障性住房总建筑面积5112平方米,物业管理用房建筑面积220平方米),商业建筑面积1.20万平方米,办公建筑面积为1.55万平方米,商务公寓建筑面积1.56万平方米,公共配套设施包括居住小区级文化室、社区健康服务中心等总建筑面积1900平方米。预计总投资——14.3亿元。是我市首个全面完成搬迁签约的旧住宅区改造项目。其目标是优化城市功能、完善城市环境与景观,打造以居住功能为主,集商业、办公和商务公寓等于一体的城市综合体。项目是自2010年政府立项的八个住宅小区中首个实现签约面积、签约人数达到100%的旧改项目。
实施主体:深业沙河(集团)有限公司
项目进度:项目动工

项目信息:项目位于侨香路北侧,广深高速与北环大道交界处以南的区域
项目规模:项目拆除面积5万平方米,建设用地面积4.88万平方米,总建筑面积为30.35万平方米,计容积率建筑面积为22.45万平方米,平均容积率为4.6,绿化率35%,停车位1800个(地上50个,地下1750个)。其中产业用房约16.83万平方米(包含帮政府代建的产业用房1万平方米),产业配套用房约5.62万平方米(含配套宿舍用房4.49万平方米、其他配套设施用房9300平方米、公共服务设施用房2000平方米),公共服务设施包括:配套居住小区级文化室1500平方米、社区服务站300平方米、公厕100平方米、垃圾收集站100平方米,并增加若干市政设施。
实施主体:运泰建业置业有限公司
更新方向:新型产业用地
楼盘名称:侨城坊
项目进度:已竣工


项目信息:项目位于沙河街道侨城北片区,侨香路与深云路交叉口的东北角
项目规模:项目拆除用地面积约1.5万平方米,开发建设用地面积约1.3万平方米,计容建筑面积约8.7万平方米,其中产业研发用房约6.1万平方米(含创新型产业用房8710平方米),配套宿舍2.6万平方米,公共配套设施80平方米,另外地下商业建筑面积5000平方米。预计总投资约6亿元。
实施主体:运泰燕翰实业有限公司
楼盘名称:侨城一号
项目进度:项目封顶

项目信息:项目位于沙河街道,沙河街与深南大道围合区域
项目规模:项目拟拆除重建用地面积为1.21万平方米;拟更新方向为商业等功能,公共利益项目等用地不小于3000平方米。
实施主体:深业沙河(集团)有限公司
更新方向:商业
项目进度:2014年5月5日列入《2014年深圳市城市更新单元计划第一批计划》
粤海


项目信息:项目位于粤海街道铜鼓路以东、沙河西路以西、大冲一道以南、玉泉路以北
项目规模:项目占地面积达68.5万平方米,总建筑面积280万平方米,业态包括商业、写字楼、酒店、公寓、住宅等,其中商业方面建有24万平方米的万象天地,定位为创新升级版万象城。总投资135亿元。
该项目分三期实施,按主要功能划分为复合商业区、还迁出租区及住宅区,其中住宅区包括还迁自住区与商品房区。 一期为回迁物业和公共配套建设,主要集中在深南大道北侧路旁,具体方位是从大沙河立交桥到铜鼓路,面积约15万平方米,计划在该地段建设一些为高新技术人才提供服务的酒楼、写字楼、公寓等。 容积率1.78,停车位5258个 总建面10.93万平方米。二期改造主要集中在原村民房不太集中、厂房多的地带,为华润自有物业中的住宅(华润城润府(一期))。三期则是对“握手楼”进行改造,三期占地9.4万平方米,为华润自有物业-住宅和商业配套等。
大冲村旧改项目是目前广东省最大的城中村改造项目,在市、区政府大力支持下,建设还迁工作得以顺利推进。该项目规划定位为与未来城市形象相适应的集新型现代化高端商业、商务中心及居住社区、文化休闲等多元城市综合体。其建成后将为周边提供大量服务配套,大冲村居民将彻底告别“城中村”时代,引来全新的美好生活。
更新方向:商住
楼盘名称:华润城
实施主体:华润置地(深圳)有限公司
项目进度:在建 (2014年10月,华润城一期开盘;2016年9月,华润城二期开盘;2017年9月,深圳华润万象天地开业)

项目信息:项目位于南山区粤海街道沙河西路旁,华润城一期南侧
项目规模:项目占地1.1万平方米,总建面约2.4万平方米,现状有6栋住宅楼,共计269套房屋,2017年7月28日进行公示。此次更新意愿征集完成预示下一步将可纳入2017年深圳市城市更新单元计划中,这是继2016年罗湖莲塘街道翠苑花园城市更新项目后,又一小地块改造项目。
项目进度:改造意愿达成,计划开展前期工作。

项目信息:项目位于粤海街道,科智东路以东,科技大道以西,科发路以北,科慧路东南侧
项目规模:更新单元拆除用地面积2.16万平方米,开发建设用地面积1.73万平方米,计容积率建筑面积为8.9万平方米。其中:产业研发用房6.23万平方米(含创新性产业用房3120平方米),产业配套用房2.32万平方米(含配套商业4450平方米、配套宿舍18790平方米),公共配套设施3460平方米[公交首末站1200平方米、社区健康服务中心1000平方米、文化活动室1200(含*党**群服务中心200平方米)、公共厕所60平方米]。外规划地下公共充电站700平方米。
更新方向:商住
楼盘名称:前海丹华园
实施主体:深圳鑫泰康生物科技有限公司
项目进度:2017年10月20日确认实施主体


项目信息:项目位于南山区粤海街道,东临科技大道,西侧及南侧为康泰生物制品有限公司,北侧为未开发用地
项目规模:更新单元拆除用地面积4253.4平方米,开发建设用地面积3163.4平方米,计容积率建筑面积为1.64万平方米,其中产业研发用房1.63万平方米(含创新型产业用房810平方米),配建700平方米地下公共充电站。项目由深圳科兴生物工程有限公司自行拆除重建。
更新方向:新型产业
实施主体:深圳科兴生物工程有限公司
项目进度:2016年5月27日规划草案公示


项目信息:项目位于粤海街道白石路与科技南一路交汇处
项目规模:项目拆除用地面积3.2万平方米,建设用地面积3万平方米,计容总建筑面积19.6万平方米,其中住宅9.76万平方米、酒店2.5万平方米、办公2万平方米、商务公寓4万平方米、商业9500平方米及公共配套设施3600平方米(包括6班幼儿园、社区健康服务中心、居住小区级文化室、社区肉菜市场、社区警务室等)。预计总投资12亿元。该项目将建设成为配套齐全、环境优美的现代化商住混合区,改善片区居住环境,为深圳大学和高新园提供综合配套服务。
更新方向:商住
楼盘名称:阳光粤海花园
实施主体:深圳市阳光华艺房地产有限公司、深圳市南岗实业股份有限公司
项目进度:在建


项目信息:项目位于高新技术园区中区,北邻汇智路、南邻高新中三道、西邻翠溪路、东邻城市公共绿地
项目规模:项目拆除用地面积为5108.7平方米,开发建设用地范围面积5151.9平方米,计容积率建筑面积为5.15万平方米,容积率10.0。产业研发用房建筑面积5.14万平方米(含贡献创新产业用房2576平方米),物业服务用房110平方米。现状建筑面积5538平方米,拟更新方向为研发等功能,同时应按有关要求向政府提供创新型产业用房。
实施主体:普联技术有限公司
项目进度:2016年7月9日项目变更规划设计条件


项目信息:项目位于粤海街道登良路南侧、南油北街西侧
项目规模:项目拆除用地面积约14万平方米,其中开发建设用地面积约1万平方米,容积率为11.2,计容建筑面积11.7万平方米,其中办公10.2万平方米,商业1.5万平方米。建筑限高为250米。总投资约13亿元。
南油大厦作为南山区重要的城市节点,记载了当年改革开放的历史。更新后的南油大厦定位为大型建筑综合体,集商业、办公于一体,将建设成超甲级写字楼,主要满足片区对商业、办公环境的需求,提高土地利用率,并结合周边城市绿地,为市民提供全新的城市公共休闲空间。
更新方向:商业、办公
楼盘名称:恒大天璟大厦
实施主体:前海君临实业发展(深圳)有限公司
项目进度:在建


项目信息:项目位于高新技术园区中区,北面邻城市干线性主干道北环大道,西面邻城市主干道科苑大道,南面邻城市支路琼宇路
项目规模:项目拆除用地面积为2.07万平方米,开发建设用地范围面积1.76万平方米,开发建设用地计容积率建筑面积为9.78万平方米,容积率5.56。主要建设产业研究用房、产业配套用房及公共配套服务设施等。其中,产业研发用房建筑面积7.62万平方米(含创新型产业用房3810平方米);产业配套用房建筑面积2.07万平方米(含配套宿舍1.47万平方米、小型商业服务6000平方米);配套设施1000平方米(含文化活动室500平方米、社区管理用房300平方米、社区警务室50平方米、邮政所150平方米)。
本项目建筑主要为深圳澳科电缆有限公司自用房,通过拆除重建的方式,将原深圳澳科电缆有限公司升级改造为集总部办公、特种光纤、光器件、光通信设备产品技术研发、应用服务解决方案设计与实施等光通信 产业为一体的FTTx 产业聚集基地,实现产业升级与区域经济发展双盈的目标。项目投资约6.3亿元。
实施主体:深圳澳科电缆有限公司
项目进度:项目动工

项目信息:项目位于粤海街道登良路与后海路交汇处东南侧
项目规模:后海村拟拆除用地面积7.06万平方米,规划人口总量0.8万人。改造模式是整体拆除重建。拆除重建区包括后海村内改造地块和南油学校扩建地块。
改造过程分为三期:一期拆除南油A、B区的6栋居住建筑,在其北侧地块建设安置用房,将南油小学由目前的24个班扩建到30个班。拆除后海村登良路北侧地块,打通登良路,建设商业、商业性办公、居住用房和幼儿园;二期拆除登良路与华明路之间的后海旧村,建设居住及商业用房;三期拆除后海统建楼建设商务公寓。该项规划还建议打通登良路地下空间,使南北地下停车场完全贯通,实现办公商业地块与居住地块地下停车错时停放,提高地下停车设施的利用率。
改造后的后海村将变身为一个具有多元文化、配套完善、节能减排的绿色生态社区,为南山商业文化中心区和后海金融商务区提供配套服务。
更新方向:商业、居住
项目进度:2016年10月12日纳入《2016年深圳市城市更新单元计划第五批计划》
桃源

项目信息:项目位于北环大道与高发科技园一路交汇处东北侧
项目规模:项目拆除用地面积3.48万平方米 ,以综合整治和拆除重建相结合的方式实施城市更新。其中,拟综合整治面积约为1.06万平方米,拟拆除范围3.48万平方米。
更新方向:新型产业
项目进度:2016年10月12日纳入《2016年深圳市城市更新单元计划第五批计划》


项目信息:项目位于桃源街道辖区珠光路北、塘朗山南麓
项目规模:拟拆除重建用地面积达到了13.55万平方米,将建成项目规划超高层住宅、商务公寓、商务办公及商业功能于一体的综合性物业。
更新方向:商业、办公
楼盘名称:恒大天璟大厦
实施主体:京基地产
项目进度:项目动工


项目信息:项目位于桃源街道长源村,环中线长岭陂站东侧、塘朗山西侧
项目规模:项目开发建设用地面积6.41万平方米,计容积率总建筑面积49.58万平方米,包括住宅23.5万平方米,办公13.9万平方米,公寓7.5万平方米,商业3.8万平方米,公共配套设施9500平方米(含9班幼儿园2400平方米,占地2700平方米,以及公交场站、社康中心、垃圾转运站),另地下附设公共充电站1100平方米。清退开发建设用地面积3.25万平方米,计容总建筑面积18.06万平方米,包括住宅17.1万平方米,商业、办公及酒店合计4650平方米,公共配套设施4950平方米(含9班幼儿园2400平方米,占地2700平方米)。
更新方向:住宅、商业
楼盘名称:京基御景峯
实施主体:京基地产
项目进度:在建


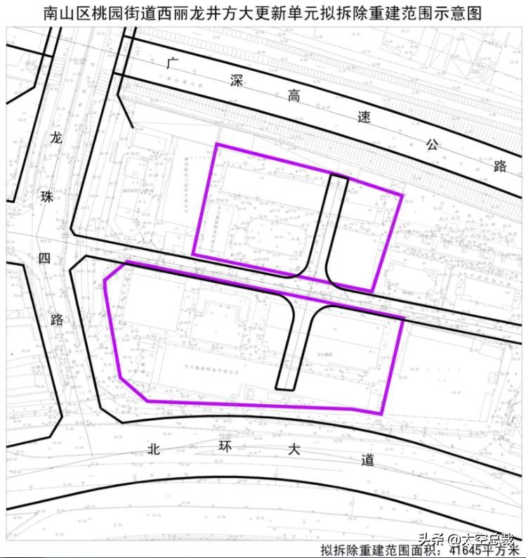
项目信息:项目位于桃源街道华侨城片区北侧,南抵北环大道,北至广深高速,西起龙珠四路,东与高发科技园相邻
项目规模:项目建设用地面积3.54万平方米,项目容积率为6,绿地覆盖率35%,计容建筑面积21.24万平方米(不含地下停车场),其中产业研发用房18.77万平方米,公共配套设施4720平方米,商业配套2万平方米;并在地下配建2000个停车位 (不计容积率面积)。项目更新完成后,将建成以高新技术产业、高端新兴产业研发型总部聚集区为核心功能,集研发用房、配套商服设施等功能于一体的产业社区及深圳市华侨城片区集生态办公、特色商业、休闲娱乐为一体的地标性综合体。方大城市更新单元项目总投资约为25亿元。
楼盘名称:方大城
实施主体:深圳市方大置业发展有限公司
项目进度:已竣工
新的目标已经确定,新的蓝图已经绘就,未来的南山区将建设成为宜居宜业的国际化创新型滨海中心城区,争当“四个中心”,即经济中心、科技中心、文化中心和国际交往中心,同时致力于将南山打造成为深圳的“双中心”之一。
发展策略
未来南山区的发展策略将集中在优化城市空间布局、践行绿色低碳更新、推动产业转型升级、提升民生幸福水平四个方面:
1. 优化城市空间布局
以打造深圳“双中心”、迈进世界级创新型滨海中心城区为目标,强化“两轴六片”空间发展格局。
2. 践行绿色低碳更新
以加快创建国家级生态文明示范区为目标,在城市更新中践行绿色、循环、低冲击等低碳更新理念与技术。
3. 推动产业转型升级
以实现产业空间集约高效、打造国际科技产业创新中心为目标,坚持质量引领,集聚创新能量,盘活存量产业空间。
4. 提升民生幸福水平
以促进城市公共设施服务能力为目标,提高城市更新中公共配套和基础设施的配建标准。