从小在农村长大,我在18岁之前从未吃过葡萄,因为对于收入困难的我们,葡萄真的是天价,只有村里的首富才吃得起。

虽然对葡萄充满了好奇感,但并不是很渴望,因为农村本身就有很多好吃的野果子,不用花钱,就能吃个够。

之前有说过,我们曾用红刺果来代替葡萄,但其实,农村真的有一种长得特别像葡萄的野果子。
今天就来和大家说说这种野果子——山葡萄/婴奥的故事!

咽喉和婴奥
我老家贵州,那里的人叫这种山葡萄叫“咽喉”,我不知道是哪两个字?只知道他们这样叫。
后来知道,它有很多名字,大家比较熟悉的是“婴奥”,有的地方也叫野葡萄和山葡萄。
其实我不知道我老家为何会叫它“咽喉”,它的外形并不太像,不过可能是和它的味道有点联系吧。

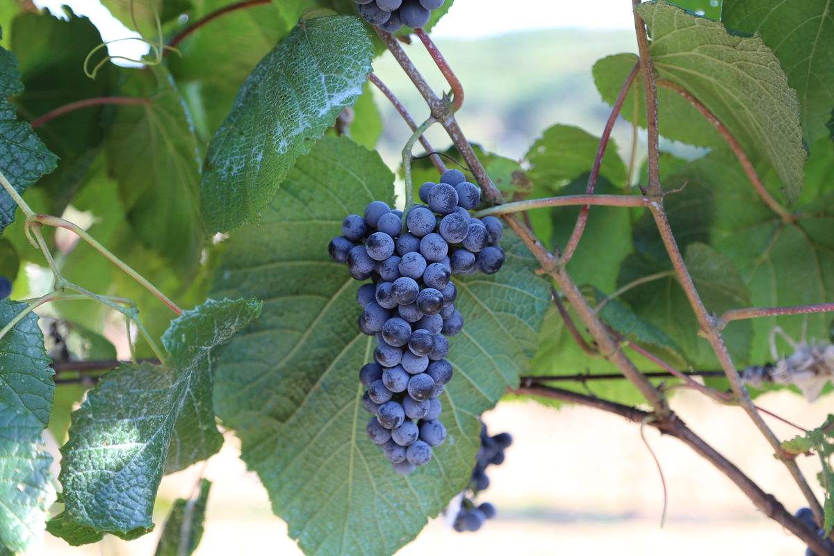
婴奥也是藤蔓植物,长的叶子和藤蔓都与葡萄很像,包括果实。
不过野生婴奥的果实并不像葡萄那么饱满,果肉也并不那么香甜。
婴奥一般在6/7月份开花,果实要在9/10月才能成熟。
而且很奇特的是,它的果实在没有成熟前是绿色的,成熟后则变成蓝黑色,有点像蓝莓的感觉。

说说它的味道吧,有点涩涩的酸味,又有点微甜,吃进去有一股奇怪的感受,很难形容,就是感觉有股特殊的气流往咽喉里钻,我形容不出来是吃任何一种果子会有的体验。
正因这个气流,让我第一次吃它,就很印象深刻。

所以我在想,老家的名字,也许是“烟喉”,就是那股气流很想第一次吸烟呛到的感觉,虽然我至今也没学会抽烟,哈哈~~

农村山间的一大特色
以前我最喜欢做的事情就是去放牛,比起在家煮饭或者去地里做农活,放牛对于我来说更自由。
虽然常常要一个人赶着三四个牛儿出去,但我觉得,可以自己选择要去的地方,陪它们看看风景,经历日晒雨淋。
当然,还有就是嘴馋,想去山上找野果子吃。

而婴奥就是其中之一,记忆中在我们那边并不常见,只有三个地方有。
它们似乎很会挑地方,长在村里挺高的山坡顶上,要吃到它,还是得费点劲儿的。
每次它一成熟,牛儿就喜欢去吃它的叶子,我就在一旁抢着找婴奥的果子,害怕被牛儿们抢先尝了去。

所以它们的存在,填补了农村人对于葡萄的想象,也是山间的一大特色。
而最初的婴奥则是生长在保加利亚,后来又从日本引进了不同种类的一起,但中途也因为缺乏栽培技术,致使婴奥没能很好的发展。
70年,北京也引进了一些品种来钟,在国内得到小范围发展。

后来技术越来越先进,品种也一点点优化,范围就越来越广泛了。
婴奥的品种比较多,国内有“红富士”、“先锋”、“青香蕉”、“国宝”等。
说真的,我其实并不是很熟悉这些品种,我老家有的,可能是最普通的一种吧。

农村人的野果子,城市人的葡萄酒
婴奥在我们那边除了用来生吃,当做一种水果,其他很少有人把它用来做其他的,所以它们大多时候,只是正常的生长。
婴奥最先被发现是在农村山间,后来人们觉得还不错,就将它进行人工繁殖,渐渐的多了起来。

这种野葡萄被一些厂商拿去酿酒,大家熟悉的张裕葡萄酒,正是用这种野葡萄酿制而成的。
虽然婴奥吃起来没有葡萄提子那么可口,肉美多汁,但它却有很多比葡萄高的营养价值和药用价值。
一些地方将它采收后,放在阳光下晒干,就能入药。

婴奥可提取20%能抑制大肠杆菌的溶液,还有2%的溶液可以抑制金黄色葡萄球菌的生长。
除了这些,它还有20%的提取液有利尿作用,对了,还能止血。
所以一些地方几乎是整株,连藤带跟一起保存着,因为都能入药。

具体作用及用法如下:

这样看,婴奥还真的是用处颇多呢。
尤其是在农村,有时候11月份还能在山坡上找到没有坏掉的,那时候吃到一颗,才是真正的珍贵,而且完全成熟,味道绝佳!
婴奥干和婴奥酿的酒我倒没吃过,不过想想应该很不错吧。

再过两个月,农村的婴奥就要开花准备结果了,等到它们成熟,又是快要过年的日子。
这样想想,成年人的日子过得可真快,快得让我有点害怕。

不知道你们老家有没有这种野果子的存在呢?你们觉得味道怎样呢?
个人是很印象深刻的呢,它不是那种一入口就觉得好吃的东西,却是那种很耐人寻味的果子。
就像有的人,你一眼看去不够好看,却很耐看,不容易腻!
好了,今天就说到这,欢迎你们来和我说说你们老家的婴奥哟~~
