在诸葛亮躬耕地之争中,通过几百年的争论,理论五花八门,千奇百怪,号曰的、推理、造假的、玩文字游戏搅混水的、浑水摸鱼儿的、在大众平台上做P图的林林总总,令人眼花缭乱,搞的是真假难辨,乌烟瘴气,其实这个事情随着襄樊地区时的考古,已经百分之百证明了“古隆中”是杜撰出来的,今天我们就在一起讨论一下由襄樊地区自己考古的事说明如下:
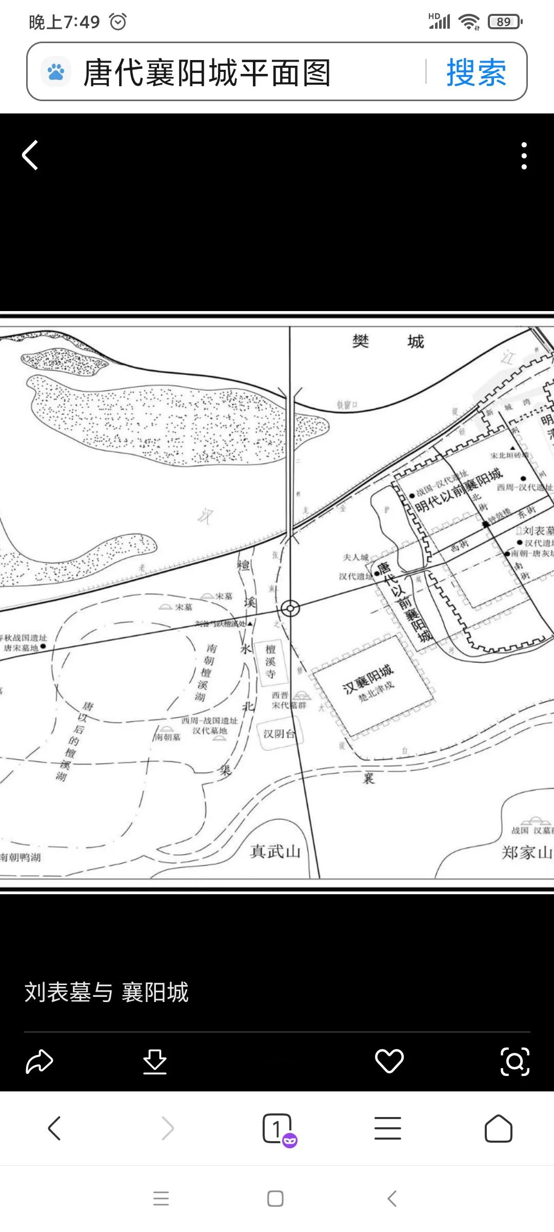
1:刘表墓地与襄阳城的位置关系,根据历史记载,刘表墓地在古襄阳城外两百步。襄樊地区考古发现刘表墓地并绘制的地图:

根据这个位置关系图,彻底*翻推**了号曰隆中,在此时的襄阳城西二十里,根本找不到号曰的隆中。
2:襄樊地区考古队,对襄简王墓地发掘证实,襄王的墓室正上方是“古隆中”是三顾茅庐处。
3:“古隆中”地历史记录回顾,在唐贞观年间此地是云居寺的所在地。在建云居寺时没任何记录与诸葛亮故居纪念地为邻居的任何历史记载,到明朝襄简王墓地选建在这里。近千年的时段里,也没有任何历史记录诸葛亮故居跟云居寺为邻的历史记载。
4:历史事件回顾,由于襄简王墓地选建在云居寺的墻外面,迫使云居寺搬迁更名为广德寺,有搬迁的广德寺碑文可证,襄简王墓地的墓室正对三顾茅庐处!而没得到*迁拆**补偿?!一个家喻户晓、人人皆知的,封建社会十分重视的人物诸葛亮故居纪念地!怎么会被忽视了??!!岂不是天大的笑话吗???同时说明明末以前的襄阳说,纯属无稽之谈!诸葛亮怎么在“古隆中”如何如何!全部都是碰瓷诸葛亮躬耕南阳的!!经不起推敲的!!!
通过上述考古资料和历史事实的回顾,充分证明“古隆中”纯属号曰杜撰出来的造假产物。
下面是其他考古文献证实襄阳“古隆中”是造假的论述,引用如下:

在考古界,都知道襄阳“古隆中”是利用襄简王墓地造假碰瓷躬耕地的。襄樊人自己大都不去所谓的“古隆中”拿襄简王墓地神道碑打磨改草庐碑、泥嘴镇改卧龙镇、去年又把植物园改卧龙岗、把号曰隆中改古隆中。去“古隆中”不知是拜诸葛亮还去祭襄简王!让人笑死人了,造假圣地“古隆中”不服不中!
南阳卧龙岗武侯祠是货真价实的诸葛亮躬耕地,刘备三顾茅庐处。




考古可以揭穿造假者的谎言,使历史真像得以还原。在此说明:任何以号曰隆中为基础的诸葛亮躬耕的理论,都是不靠谱的!是经不起推敲的!是绝对不可信的!