早晨翻翻报纸,乐居君赫然发现,广州第三轮土拍的挂地名单出炉了!
由规划局官网可见,广州第三轮土拍将售20宗地,比上轮多了6宗,计容建筑面积总计389万㎡,起拍总价亦从253亿元提升至538亿元,出让金足足翻了两倍有多。

宅地稀缺的越秀区今年依旧缺席,即将出让的地块各自分布在广州10区,中心城区纷纷拿出好货,海珠区3宗地块摆上货架,天河区和荔湾区也有2宗挂牌出让。
此外,南沙区、花都区各3宗,番禺区、白云区各2宗、黄埔区、增城区、从化区各1宗。
广州第三轮土拍大战都有哪些亮点?追地小分队为你一一解说!
01亮点一:分化严重。
一边地价水平*退倒**回数年前,另一边成交即刷新广州楼面价top10。
向来挂地即出让的天河区,这次回炉的育新街地块急降4亿元,起拍幅度从二轮供地的4.2-4.4万元/㎡降至3.2-3.8万元/㎡。
又譬如番禺客运站和谢村的2宗地块,堪堪卖到1.7万元/㎡,更不用说南沙区,增城区,从化区,花都区这4区的地,地价都不超过9000元/㎡,明显是打算“清仓大甩卖”了。
海珠区则大不相同,这次贡献的广州大道南788号一期地块起始楼面价为43401元/㎡,足以挤进现在广州的TOP10楼面价榜单。还有全场最贵的荔湾区芳村大道南以东地块,起拍总价高达187亿元,仅次于2009年出让的亚运城地块。
02亮点二:中心区地块双双回炉。
在二轮供地中遗憾流拍的天河区育新街南侧,降价4亿元场;从华夏幸福“剥离”的新隆沙地块,名字缩减为珠江隧道口以西、珠江以南地块,由68.4亿元降至为38.5亿元重新面市。
还有白云区小坪村地块,起拍价下调3亿元,楼面价由“2”变“1”。
03亮点三:江景地频出。
一向惜售的江景地,这次实现了“井喷”,荔湾献出了2宗,海珠拿出了1宗。
前段时间恒大退地的足球场地块居然也在公示名单内,确实是意料之外。
值得一提的是,这次土拍基本上取消了“竞自持”的土拍规则,到达封顶价之后将直接送去摇号现场。
还有什么新料到?接着往下看吧!
01天河:回炉地块急降4亿,执信旁靓地售32亿
中心区向来是开发商眼中的“香饽饽”,更不要说广州的金融中心天河了。
在第三次供地中,天河共拿出了2宗地,分别位于天河智谷板块和天河智慧城板块。
天河区广园快速以北、珠吉路以东地块
用地性质:二类居住用地
宗地面积:41363.84㎡
挂牌起始价:321118万元
起拍楼面价:38992元/㎡
出让日期:10月10日9时起
首秀的天河广园快速以北地块,最高限制地价为369285万元。按照公告要求,地块须配建幼儿园以及市政道路用地。此外,该地块原为沥青厂,因此需进行土壤污染修复,方可进行开发建设。
地块位于珠吉路以东,吉岐路以北,属于天河智谷板块。

地块与执信中学(天河校区)仅一路之隔,相信教育将会成为未来项目的主要卖点之一。
除了教育以外,地块周边的其他配套较为一般。从航拍图可以看到,地块三面被小山坡所环绕。

附近几乎一间店铺都没有。若是找大型商场的话,现阶段只能前往西边的奥体优托邦,商业配套较为欠缺。
周边的医疗资源同样贫瘠,地图显示,地块3公里范围内尚未有任何一家三甲医院。另外,附近的城市面貌也比较一般,不过公园倒是不少,如天河儿童公园、岐山公园等。
地块东南不远处的珠江花城项目于2018年入市,首开4.5万元/㎡,自入市之后热度一直位于天河区前列。目前在售户型建面约77-140㎡,价格约58000元/㎡。
地块西北角的牛奶厂板块目前在售新盘有合景臻颐府,主推建面约200-250㎡的大平层,价格约9.5-12万元/㎡;合生缦云也是从很久前就传来将入市的消息,此前吹风价一度超过10万元/㎡。
至于二手房方面,地块周边的二手房源也集中在牛奶厂板块,如金地天河公馆、招商雍华府、华润天合、龙湖首开天宸原著等,均价在8.3-12万元/㎡不等。
天河区育新街南侧AT0304011-1地块
用地性质:二类居住用地
宗地面积:32902.51㎡
挂牌起始价:206658万元
起拍楼面价:32373元/㎡
出让日期:10月10日10时起
公告显示,地块最高限制地价为237656万元,有两个或两个以上竞买人报出最高限制地价后,直接送去摇号。
地块位于智慧城核心区中部,华观路以北,附近有地铁21号线天河智慧城站,地图显示距离大概2.5公里。另外,周边还有规划中的华观路地铁站。

不仅如此,地块还靠近华南快速、沈海高速出入口,30分钟左右车程可达珠江新城、 金融城、天河智谷、五山校区等,通勤出行便利。
事实上,该地块于今年广州二轮集中供地中爆冷流拍。业内人士透露,当时准备参与的开发商高达10余个,流拍原因暂时不明。
如今地块“回炉翻炒”,最新起拍总价从244171万元降至206658万元,每平方米下跌10127元。
乐居君此前实踩发现,火炉山脚下这宗宅地不愧是“豪宅预备军”,确实依山傍水,风景不错。地块看上去更像是游乐场的小型迷宫,树林环绕山坡一圈又一圈地生长,可预见的土方成本较高。
地块坐拥优质自然环境和景观条件,北部有新塘水库,靠近火炉山方向是高尔夫训练基地。
值得一提的是,地块周边有华观广场、时代E-PARK、御银科技园以及万科广场等商业配套。

教育配套方面,附近有天河区凌塘小学、新塘小学;项目2公里内有华南师范大学附属外国语学校、广东岭南现代高级技工学校南校区。
唯一美中不足的是,地块的隔壁就是24小时全封闭管理的岑村戒毒所,该所前身是广州市东升石矿厂。
楼市方面,附近楼盘较少。新盘直接吞零,二手盘则有东晋丽苑、华南御景园、珠江嘉苑等,均价在4.1-5.2万元/㎡之间;热门商业产品主要为万科云和万科云城米酷,均价在2.2-2.9万元/㎡之间。
02荔湾:昔日江景靓地难啃,广船“地王”现身
荔湾本次贡献了2宗地块,其中不乏江景地。从华夏幸福“脱身”的新隆沙地块,名字缩减为荔湾区珠江隧道口以西、珠江以南地块,总价拦腰砍半后重新面市。
另外,全场总价最高且限制条件最多的荔湾区芳村大道南以东地块(又称广船二、三期)集体出让。
要知道,广船一期项目广州·滨江上都均价去到9万元-11万元/㎡,同地段的广船二三期难免引起争抢。
荔湾区珠江隧道口以西、珠江以南地块
用地性质:AF020112地块:商住混合用地、AF020119地块:二类居住用地、AF020108地块(配建安置房地块):商住综合用地
宗地面积:133057.9082㎡
挂牌起始价:385828万元
起拍楼面价:32680元/㎡
出让日期:10月10日9时起
地块处于白鹅潭板块,靠近地铁1号线、11号线(在建中)交汇的芳村地铁站,交通相当便利。
事实上,2020年6月,华夏幸福曾以68.39亿元的价格夺得这宗地,当时名为荔湾新隆沙地块。后因无法按时缴纳第二期土地出让金遭遇退地,兜兜转转又回到了土地公开市场进行拍卖。

|图示:2020年地块航拍图
公告显示,地块最高限制地价为443702万元,竞得人须按规划和《广州市保障性住房及人才公寓建筑设计指引》要求配建AF020108地块,届时政府按1500元/㎡标准回购。
竞得人须按规划配建体育与公交场站混合用地、中小学用地及核心区范围内的市政道路和公共绿地,同时落实地块范围内4处*物文**的迁移迁建和修缮,地下空间的建设运营以及其它市政基础设施的建设工作。
地块所处的白鹅潭核心区主要以产业为主,住宅项目十分稀缺。唯一新盘广州幸福湾售价约9万元/㎡;附近二手盘有万科海上传奇(均价约3.6万元/㎡)、恒荔湾畔(均价约5万元/㎡)、明心路(均价约3万元/㎡)等等。
荔湾区芳村大道南以东地块
用地性质:二类居住用地兼容商业用地,商务兼容商业兼容其他交通设施用地,商务(商业)用地
宗地面积:400249.47㎡
挂牌起始价:1876041万元
起拍楼面价:20179元/㎡
出让日期:10月10日9时起
全场总价最高的这块地,十分考验开发商的拿地实力。
地块坐落于芳村大道南,附近有地铁11号线鹤洞东站在建,属于广船板块。

公告显示,地块最高限制地价为2157447万元,其出让限制条件众多。竞得人须配建计容建面50000㎡的办公物业,政府按2500元/㎡的价格回购。
另外,须按规划条件负责建设市政道路用地、绿地用地,配建服务设施用地,同时与广州地铁集团对接落实轨道交通十一号线鹤洞东站IV号出入口与AF040344地块项目合建事项。

此外,竞得人须在商务(商业)地块自持商业商务物业不得低于计算容积率建筑面积180000㎡,自持物业的自持年限自首次登记之日起不少于10年。
项目地块范围内用地范围内涉及4处荔湾区第二批推荐传统风貌建筑,还有市级*物文**车歪炮台,需办理下一步规划审批手续前取得*物文**主管部门意见。
值得一提的是,广船一期项目广州滨江上都·璇湾价格去到8万元/㎡,同地段的广船二三期难免会引起争抢。
地块周边二手盘包括珠江金茂府(均价约5.3万元/㎡)、广和苑(均价约3.3万元/㎡)、福盛花苑(均价约2.6万元/㎡)、金宇花园(均价约2.4万元/㎡)等等。
03海珠区:又有地块将上榜广州TOP10楼面价
近两年,海珠区一直是中心城区的主要“供货商”,并有多宗地块挤进广州TOP10楼面价榜单。在本轮集中供地中,海珠又有3宗地块供应,依旧是中心区中最多的。地块位置集中于海珠的西南区域,连缺货已久的客村板块也终于迎来新货补充。
海珠区广州大道南788号一期AH031525地块
土地用途:二类居住用地
宗地面积:13134㎡(其中可建设用地面积10245㎡)
计算容积率建筑面积:≤30735㎡
容积率:3
挂牌起始价:121656万元
起始楼面价:43401元/㎡
出让日期:2022年10月10日10时
地块是本次出让地块中起始楼面价最高的,扣住配建政府性统筹用房面积后,地块的起始楼面价为43401元/㎡,足以挤进现在广州的TOP10楼面价,若是按封顶价成交的话,地块楼面价达到49910元/㎡,可以排到广州楼面价TOP10的第七位。
地块属于客村板块,是原广一电商园所在地,具体位于广州大道南西侧,敦和路以南,叠景路以北。

地块最近的地铁站为8号线的鹭江站和客村站,其中客村站可换乘3号线,地图显示地块到这两个站的步行距离均为1.2公里左右。地块的西侧还有在建的10号线,南侧则是在建的11号线外环,地块正好被4条地铁线方方正正地围在中间。
由于地处客村这个成熟的居住区,地块周边的各方面配套也比较完善。
尤其是商业方面,地块北边的敦和路两侧坐落着大大小小各种商店和餐饮店,生活气息浓郁,往南走则是合生广场和万达广场,客村地铁站出来还有丽影广场,足以满足日常生活的各种消费需求。
教育资源也较为优质,地块往北便是省一级的客村小学,周边还有康乐小学、龙海小学、广州市第六中学、海珠区六中珠江中学等。
至于医疗方面,地块3公里范围内拥有广东省第二人民医院(琶洲院区)、陆军第七十四集团军医院、南方医科大学中西医结合医院等6所三甲医院,堪称“豪华阵容”。

地块现状
如果要说不足的话,也有。地块临近城中村和纺织城,城市界面较为一般,而且,敦和路仅为双车道,广州大道南的车流量也不少,在高峰期自驾出行的话容易遇到拥堵问题。
不过,地块西边就是备受关注的康乐、鹭江村旧改,目前已初步确定合生创展为合作企业,按照初步设想,康乐村、鹭江村将成为海珠区宜居宜商最具发展潜力的区域,引入高新产业,打造高端集聚区。若能顺利推进,地块周边的各方面配套也将再上一层楼。
目前客村仅有一个新盘在售,那便是位于地块北部约1公里的紫星华府项目,该项目是公寓式设计的单体楼,户型有些“随意”,还存在产权缩水的问题,因此去化并不理想,目前在售建面43-104㎡一至三房户型,带装修均价约7万元/㎡。
二手房方面,与地块相邻的和平花园是个楼龄接近20年的老小区,贝壳上显示均价约5.45万元/㎡;周边还有逸景翠园、叠彩园、敦和花园等,均价在4-5.6万元/㎡不等。
海珠区金辉路39号AH100129地块
土地用途:二类居住用地
宗地面积:10215㎡(其中可建设用地面积7477㎡)
计算容积率建筑面积:≤35662㎡
容积率:4.8
挂牌起始价:105808万元
起始楼面价:32335元/㎡
出让日期:2022年10月10日10时
金辉路39号地块位于海珠区西南部,西临工业大道,北临新滘西路,东接江南大道,属于东晓南板块。

东晓南板块是海珠发展较早的居住区,板块内坐落有金碧花园一二三期、晓港湾、英豪花园、侨诚花园等多个大中型社区,得益于此,地块周边的各方面配套也已相当成熟。
交通方面,地块到广佛线的石溪站的步行时间在5分钟以内,距离地铁2号线东晓南站的步行距离也不到1千米,而东晓南站、石溪站均是在建的10号线站点之一,开通后可直达广钢新城、广州大道、天河北等区域。三线交汇的先天利好,注定了交通将成为地块的主要卖点之一。
商业配套上,东晓南板块是广州颇具名气的美食聚集地,既有海珠新都荟、东晓胜汇里美食城、瑞宝美食城等人气商圈,也有各种接地气的老·字号餐馆、街边大排档。
地块周边也不乏医疗资源,拥有三甲医院中山大学孙逸仙纪念医院(南院区)和二甲医院海珠区石溪中医院等。

地块现状
不过,地块周边教育资源较匮乏,仅有金碧第一小学(东校区)、广州市第五中学(金碧校区)等学校,在海珠里较为平庸。
另外,地块周边的主要道路是工业大道、东晓南路、江南大道等,由于附近小区众多,道路上车流量不少,在上下班高峰期容易遇到拥堵问题。
地块周边的新盘供应是中海的天下,如中海观雲府项目,主推建面约86-164㎡三至四房户型,均价约7万元/㎡;中海观澔府,在售建面88-124㎡三至四房户型,均价约7.8万元/㎡;还有蚝壳洲地块转化而来的中海映澜台项目,据悉将主推179-246㎡四至五房的江景大平层,吹风价10-13万元/㎡。
二手房方面,紧邻地块的第一金碧花园均价约4.2万元/㎡,第二金碧花园均价约4.3万元/㎡,整个东晓南板块的均价约4万元/㎡。
海珠区洛溪桥西侧AH101728地块
土地用途:二类居住用地
宗地面积:17543㎡(可建设用地面积13993㎡)计算容积率建筑面积:≤41981㎡
容积率:3
挂牌起始价:154170万元
起始楼面价:40805元/㎡
出让日期:2022年10月10日10时
地块位于南天大道以南,东临洛溪大桥,南边便是珠江,享有南向江景。

地块最近的地铁站为2号线和广佛线的换乘站南洲站,地图显示步行距离接近2公里,日常通勤的话需要依赖公交换乘或代步工具。
从位置来看,地块除了南临珠江以外,东边还有一座海珠儿童公园,可以说,生态景观是地块的加分项之一。
不过,目前地块周边由于还是以园区和工厂为主,所以生活配套有待完善。周边仅有广州市第九十七中学(高中部)等院校,中山大学孙逸仙纪念医院、广州鸿业皮肤病专科医院等医疗卫生设施。
楼市方面,地块周边在售新盘仅有北边的中海观雲府项目,主推建面约86-164㎡三至四房户型,均价约7万元/㎡;另外越秀天荟江湾也有部分商业类单位在售,价格约2.7万元/㎡。
04白云区:回炉地打7.8折出让
白云区本次也有关注度较高的地块出让,那便是嘉禾望岗东北侧地块,嘉禾望岗板块“久违”迎来新货补充;另一宗地块则是在上一轮集中供地中流拍的回炉地——小坪村地块,本次打了个7.8折出让。
白云区嘉禾望岗东北侧AB2108014地块
土地用途:二类居住用地
宗地面积:66385㎡(可建设用地面积33566㎡)计算容积率建筑面积:≤100698㎡
容积率:3
挂牌起始价:215844万元
起始楼面价:21435元/㎡
出让日期:2022年10月10日9时
地块位于松园路以南,嘉禾村道以北,靠近地铁2号线、3号线北延段、14号线三线交汇的嘉禾望岗站。

地块周边有南海实验高中、华师附中实验小学等院校,广州市第八人民医院等医疗卫生设施,另有润林(嘉禾)商业中心、高桥商业街等商场,生活配套较完善。
楼市方面,地块周边在售新盘有新世界云耀,目前加推建面约100-170㎡三至四房单位,均价约65000元/㎡。
白云区小坪村AB2711014地块
土地用途:二类居住用地
宗地面积:11855㎡
计算容积率建筑面积:≤59276㎡
容积率:5
挂牌起始价:106685万元
起始楼面价:17998元/㎡
出让日期:2022年10月10日9时
本宗地块也是回炉地块。在广州今年第二次集中中,地块就曾挂牌出让,但最终流拍,当时地块的起始楼面价为23020元/㎡;到了本次土拍,地块总价降低了接近3亿元,起拍楼面价降低了5000元/㎡,让利房企的诚意十足。
地块位于白云区南部,邻近白云山风景区。地块靠近地铁8号线小坪站,邻近华南快速、环城高速,驾车30分钟左右可达白云新城、广州白云国际机场等地。

周边有巧苗幼儿园等院校,肥仔专业牙科等医疗卫生设施,附近有惠嘉商场、华丰特惠商场、志远购物商场等商场,生活较便利。
楼市方面,地块周边在售新盘有星悦轩,资料显示目前在售建面74-110㎡单位,价格约4.1万元/㎡;另有广州佳兆业白云城市广场待售,价格待定。
05黄埔:仅有一个参赛代表 长岭居背负了所有
黄埔今年十分惜售,每一轮土拍都只派一个代表“参战”。
而长岭居板块成了常驻选手之一,分别在第二轮和第三轮各上架了一宗地块。
黄埔区CPPQ-A 4-4地块
用地性质:二类居住用地、服务设施用地
挂牌起始价:4223665万元
起拍楼面价:18744元/㎡
出让日期:2022年10月10日9时起
地块位于长岭居板块,临近广州绕城高速、广汕公路、永顺大道等主干道。
长岭居板块一直都主打宜居,森林覆盖率超60%。因此,该宗宅地的规划,也是冲着低密改善型楼盘去的。
其中,AG0119060地块容积率为3,AG0119065地块容积率为2。并要求不低于总计容建筑面积的 30%设置大户型(户型面积不小于150㎡/户),层高不得低于3.1米。

在配建方面,该宗地块需建设12班幼儿园。而板块内的教育资源也较为丰富,有北师大广州实验学校、广铁一中铁英中小学等。
今年首轮集中供地,就位于该宗地块隔壁的CPPQ-A4-5地块被知识城(广州)产业投资集团以25.86亿元竞得,楼面价为1.79万元/㎡。
这一次会否再被知识城集团收入囊中?我们拭目以待。
06番禺:超40.5亿挂牌两宗地,恒大足球场地块上线
今年第三次集中供地中,番禺共贡献出两宗地,分别位于泛番禺广场板块以及番禺南站板块。
其中最让人期待的,莫过于位于番禺南站的谢村居住及商业商务地块,单看名字大家可能还有点陌生,实际上它就是之前恒大退还的足球场地块!
地块本轮重新上架出让,不难看出,它还是承载了政府不少希望的。
番禺区谢村居住及商业商务地块
用地性质:商业用地兼容商务用地,二类居住用地,商务用地兼容商业用地
宗地面积:577731㎡
挂牌起始价:965535万元(包含65亿元投资成本)
起拍楼面价:14689元/㎡
出让日期:2022年10月10日10时起
地块原主人恒大,早在今年8月3日发布公告,称退还地块的土地使用权,退地价格为55.2亿元,预计在这一项目上亏损12.55亿元(此前拿地金额为68.13亿元)。
根据原先规划,地块是要打造一个超级体育文化综合体,除了建一个座位超10万个的足球场外,还规划了儿童世界、国际美食、文化娱乐、公寓恒大冠珺之光等业态。
随着恒大退地,规划也成了历史。
据乐居财经8月份的报道,地块现场已搭建起主体框架,有些建筑的竹架还没有拆除,裸露着钢筋,部分钢材随意摆放在地上,现场仅有一个保安在值守,他透露出项目已停工一年多了。

目前地块所处的南站板块,共有3个新盘,分别是越秀星寰、广州城投·领南府以及品秀星瀚TOD,广州城投·领南府价格还没出,另外越秀地产两个盘均价在3.7-4.2万元/㎡之间。

|越秀星寰TOD
番禺区大龙街番禺客运站北侧地块
地块性质:二类居住用地、服务设施用地
宗地面积:23467.14㎡
挂牌起始价:90263万元
楼面价:17625元/㎡
出让日期:2022年10月10日10时起
地块位于番禺客运站北侧,属于泛番禺广场板块。

根据公告,地块需配建一个9班的幼儿园。
目前,距离地块最近的新盘是龙湖金地天峯,在售户型建面约90-129㎡,价格约4.35万元/㎡。07
南沙:三宗地超56.5亿元,东涌终于有地卖
南沙本次共贡献3宗地块,起拍价超56.5亿元。
3宗地有2宗位于万顷沙板块,另一宗位于久未有新房入市的东涌板块。
南沙2022NJY-7地块
地块性质:商住混合用地、防护绿地
宗地面积:36574㎡
挂牌起始价:62170万元
楼面价:6930元/㎡
出让日期:2022年10月10日10时起
地块位于南沙区东涌镇冠胜路,靠近番禺位置。

根据要求,地块挂牌出让价格设定最高限制地价为71495万元(溢价率15%),竞得人还需配建一所12班的幼儿园。

需要指出的是,自2018年起,地块所在的东涌板块仅公开出让了一宗2017NJY-11东涌镇东涌村居住用地,彼时成交楼板价16549元/㎡,目前已建成中海熙园项目,主推建面约131㎡户型,价格约590万元/套起。
由于多年土市贫瘠,东涌板块目前新房库存货量,排名南沙区倒数第一。
南沙2022NJY-8地块
地块性质:商业服务业设施用地、商住混合用地、中小学用地、城市道路用地
宗地面积:183084㎡
挂牌起始价:296430万元
楼面价:7983元/㎡
出让日期:2022年10月10日10时起
地块位于广州市南沙区珠江街万新大道西南侧、四涌东南侧。

根据要求,竞得人须在用地范围内配建不少于33200㎡政府性房源,由南沙开发区管委会指定单位按3500元/㎡的价格回购,此外还需配建一所36班的完全中学、48班的小学和15班的幼儿园。

地块所处的万顷沙板块,在今年首次集中供地中,成功出让过一宗地块,被广州南投以7670元/㎡的楼面价拿下。楼市方面,万顷沙板块目前新盘有中建弘阳德信·湾璟壹号现有80-119㎡户型在售,均价约为2.55万元/㎡。
南沙2022NJY-9地块
地块性质:商住混合用地、中小学用地、城市道路用地
宗地面积:148889㎡
挂牌起始价:207250万元
楼面价:8086元/㎡
出让日期:2022年10月10日10时起
地块位于南沙区珠江街万泰大道南北侧、规划一横路西北侧,同样属于万顷沙板块。

根据规划,竞得人须在用地范围内配建不少于23000平方米政府性房源,由南沙开发区管委会指定单位按3500元/㎡的价格回购。同时须配建一所36班完全中学以及12班幼儿园。

08从化:“小透明”终出一地,总价4867万元起
缺席多轮土拍,从化“小透明”终于上新了!虽然地块仅1宗,但怎么说也是区域内的核心地段。
从化区街口街府前路与城南路交汇处东北侧下围地块
用地性质:二类居住用地/商业用地
宗地面积:4888.08㎡(全部为可建设用地面积)
挂牌起始价:4867万元
起拍楼面价:6878元/㎡
出让日期:10月10日9时起
地块位于从化区街口街府前路与城南路交汇处东北侧,东临流溪河,南邻文化公园、东富广场。一河之隔,直线距离约1公里处有14号线从化客运站。
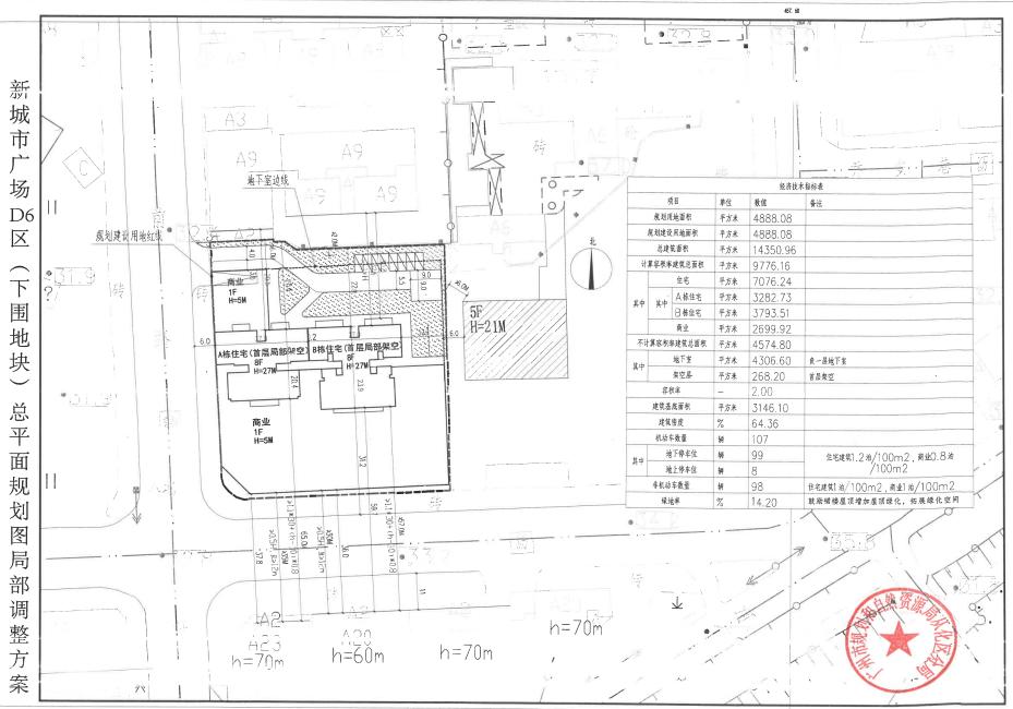
据公告,地块计容建面≤9776.16㎡,其中住宅≤7076.24㎡、商业2699.92㎡,容积率≤2,建筑限高27米,绿地率≥14.2%。
竞得人须按照新城市广场D6区(下围地块)控规实施本地块的建设。

| 新城市广场D6区(下围地块)总平面规划图局部调整方案
停车配套上,商业部分需设置机动车位22个、非机动车位27个,该部分停车位为商业建筑配套设施,须由竞得人组织经营管理,不得销售。
值得注意的是,本次出让设定最高限制地价为5597万元,增加幅度500万元,当有两个或两个以上竞买人报出最高限制地价后,停止网上竞价,改为摇号确定竞得人,摇号时间为限时竞价后3个工作日内。
目前,地块周边配套成熟,生活氛围浓厚,商业上有新城广场商业圈,教育上有新城小学、河滨小学、从化街口街团星小学,医疗上有从化城南医院等。周边新盘有嘉骏幸福里(尾货)均价约1.5万元/㎡,招商金茂保利和府均价约1.75万元/㎡。
09增城:18亿元起!中新镇新地露面
本次土拍,增城的供地情况和从化较为相似,都选择区域内较为核心的地段出让。作为粤港澳大湾区最大的国际班列集结中心,中新镇的战略地位已不再局限于增城区,而是直指“国际”级别。
增城区中新镇新福大道东侧18103206A21165号地块
用地性质:二类居住用地(可兼容商业)
宗地面积:86252.91㎡(规划建设用地面积86188.6㎡)
挂牌起始价:183150万元
起拍楼面价:8500元/㎡
出让日期:10月10日10时起
地块位于广州市增城区中新镇新福大道东侧,中新森林公园以南,广河高速和广汕公路之间,所在的中新团结片区正处中新镇主城区核心规划区域,也是地铁21号线的辐射范围。

|地处中新团结片区
据公告,地块计容建面≤215472㎡(其中商业建面7110㎡),容积率≤2.5,建筑限高120米,绿地率≥30%。
竞买人须提交商业金融机构的资信证明,地块拍得后将分两期付清地块价款。
本次挂牌成交价包括90000㎡地下车库及设备用房的土地出让金4410万元,若地下车库及设备用房的实测面积超过90000㎡,超出部分则由竞得人按相关规定补缴出让金。
值得注意的是,本次出让设定最高限制地价为210622万元,增加幅度1000万元,当有两个或两个以上竞买人报出最高限制地价后,停止网上竞价,改为摇号确定竞得人,摇号时间为限时竞价后3个工作日内。
目前,地块周边面貌尚需旧改的努力推进,学校有广州理工实验学校,而新盘则多分布在21号线两侧。其中,御溪世家在售均价约2.2万元/㎡,侨建御溪谷约1100万元/套。
010花都:输出大户,3宅地供应
花都本轮算是土地输出大户,共3宗宅地出让,分别位于新旧两区和镜湖大道板块。
花都区商业大道北(二期)地块
用地性质:二类居住用地兼容商业商务用地、服务设施用地
宗地面积:37853.34㎡(可建设用地面积16981.34㎡)
挂牌起始价:41107万元
起拍楼面价:9000元/㎡
出让日期:10月10日9时起
地块位于花都区商业大道以北,凤凰南路以西,邻近地铁9号线莲塘站。
据公告显示,地块计容建面≤92720㎡,分地块1、2、3的容积率分别为3、3.4和0.8,建筑限高均为80米,宅地绿地率≤35%。
本次出让设定最高限制地价为47273万元,增加幅度500万元。
周边新盘有保利明玥晨光在售均价约3万元/㎡、越秀滨湖悦府在售均价约2.6万元/㎡、南驰都湖国际在售均价约3.5万元/㎡。
花都区广花公路以东、雅瑶中路以南CA1207003、CA1207015、CA1207020地块
用地性质:二类居住用地
宗地面积:91613.07㎡(可建设用地面积73156.67㎡)
挂牌起始价:170015万元
起拍楼面价:8300元/㎡
出让日期:10月10日9时起
地块位于花都区广花公路以东、雅瑶中路以南,北侧邻近花都湖,西侧一路之隔是广东省技师学校。地块计容建面204837㎡,容积率≤2.8,建筑限高80米,绿地率≥35%。
本次出让设定最高限制地价为195517万元,增加幅度1000万元。
地块周边教育资源不错,有广雅中学(花都校区)、雅瑶中学、新雅街雅瑶初级中学、阳光学校、广州市花都区崇文学校等;医疗上有中山大学仁济医院等。
目前,地块周边没有新盘,较远处有祈福万景峰(尾货)在售均价约1.8万元/㎡,天马丽苑在售均价约2-2.3万元/㎡。
花都区花都大道以北、莲山路以东花都中轴线八地块一
用地性质:二类居住用地(R2)、中小学用地(A33)
宗地面积:66382.11㎡(可建设用地面积36455.66㎡)
挂牌起始价:98430
地块位于花都区花都大道以北、莲山路以东,地块计容建面109366㎡,宅地容积率≤3,绿地率≥35%。
竞得人须按规划配建绿地、河涌以及分地块2的中小学用地,出让设定最高限制地价为113194万元,增加幅度3000万元。
周边新盘有颐安俪都府在售均价约2.25万元/㎡、保利上宸在售均价约2.1-2.3万元/㎡、广晟中铁建花语天城在售均价约2.1万元/㎡。