小编下面从16个方面全方位剖析此楼盘(包括产品本身规划、区位、配套、日照、产品细节、户型、周边房价、竞品分析、效果输出研判、交付产品力、总结等),分析观点维持 客观,中立,第三方 。
1、缘起






1、[2022]长沙市073号地块,宗地出让面积76846.72平方米,成交总价103820万元,成交楼面价4503元/平,从楼面价来说,这块地的性价比还是可以的,尤其是在周边配套,其他开发商已经搞得比较完善的情况下。
2、万科集团联合长沙轨道集团开发,这也不是第一次与轨道合作,拿地的位置一般都是不错的(除了长沙县的天空之境)。
大概就是政府修地铁需要大量资金,然后拿地给轨道抵押,轨道人家毕竟是修地铁的,于是拉着万科一起开发,万科在全国各地都有这种合作模式,算是各取所需吧。
小结:长沙万科“巨无霸”目前财务状况应该还可以,尤其有森林公园这个下金蛋的楼盘,交付靠谱指数--3.5颗星。
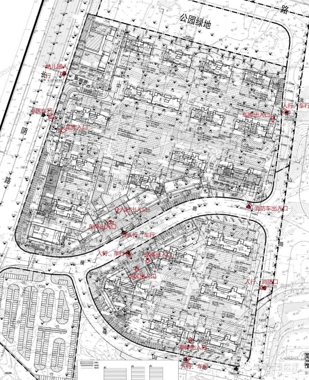
2、总图规划

规划总图

图中楼栋间距标注均取整
总图排布特点分析:
1、总体分为两个住宅地块,北地块大,南地块小,虽然两地块都比较异形,所以在楼栋摆布,小区营造方面都有些限制,但很明显南侧的小地块更加不利。
太小的地块,消防扑救面占一块,布置点主题占一块,实际留给绿化的空间就会有点拮据了,有时候真不是开发商的营造技巧问题,而是一开始就要看下硬件;
2、楼栋朝向上主要为偏西南;
3、楼栋间距主要为40米左右,对于小区大量都是27层的楼栋来说,这间距算中规中矩。
从总图也可以看出,北侧地块有小块公园绿地,往北是捞刀河,再往北基本是一马平川,所以前排楼栋的视野上会好点,但这里还得提句,是北向而非南向。
两地块的西南角布置地上停车位,这种其实尾气是其次,主要关注下是否布置新能源充电区,充电噪音也不小,但这里可以通过规划解决问题,尽量把充电区域设置停车坪西南角。
小结:总图排布--3.5颗星。
3、指标分析



北地块小区分布11栋高层,2栋小高层,综合经济技术指标可得出:
1、地块容积率为2.87,绿地率41.98%,建筑密度21.53%;
2、商住比为1.9%;
3、指标中未见人防地下室,可确认下是否有,人防地下室部分楼栋的入户大堂可能会存在门槛;
4、住宅地库车位配比为1:1.09;
5、户型面积大于150㎡的占比为40%,主要瞄准刚改人群。
小区容积率一般,但绿地率指标可观,商业配比不多,车位配比方面较为充裕。
南地块小区分布6栋高层,综合经济技术指标可得出:
1、地块容积率为3.27,绿地率40.23%,建筑密度23.84%;
2、商住比为2.8%;
3、指标中未见人防地下室,可确认下是否有,人防地下室部分楼栋的入户大堂可能会存在门槛;
4、住宅地库车位配比为1:0.8;
5、户型面积大于150㎡的占比为4.4%,主要瞄准刚需人群。
南地块与本地块最大的区别在于两点,其一车位配比紧缺,其二从户型匹配来说也偏刚需,所以也印证了前文提到的地块素质问题。
小结:小区硬性指标--3颗星,北地块指标素质优于南地块。
4、区位分析

示意图
片区及地块本身素质:此地块位于开福区城北片区,目前周边基本开发完毕,该有的也跃然纸上。

地块周边主要节点直线距离示意
综上 :地块周边生活配套还是比较完善,商场比较近,其次往南去四方坪及北辰三角洲都方便,出行上地铁还是有点距离,不是很方便。
东侧有个需要关注的垃圾中转处理场,离得也不是特别远,道听途说都不可信,找个时间去亲身体验走访下是最好。
小结:区位及周边配套--3.5颗星。
5、交通分析

高速路网 :离高速有点距离,往东有个京港澳和杭长高速的转盘;
城市路网 :周边主干道较多,东西南北都比较通畅,去河西经福元路大桥也很方便。
小结:周边交通便利性--3.5颗星。
6、小区流线

人行、车行出入口: 各开口详见上图示意。

上图分析一个主入口,提供思路,大家可以每个都看下。
两地块的入园人行与地上车行or地下车行之间,均存在不同程度的交叉。
小结:小区入口流线规划--3颗星。
7、日照





首先要声明的是,这份日照分析肯定是不精确的,只能作为参考,详细以开发商提供的数据为准,主要不精确的原因有:
1、不是采用精确图纸与常规国家认可的日照软件算出来的;
2、没有考虑周边楼盘对本楼盘的日照影响。
一般来说开发商不满足日照的楼层都会公示出来,如上图列出了每栋的日照满足情况,可询问具体楼层及户号。
下面就是怎么参考着看整个小区大致的日照情况,上图越黄,对应的楼层越高,大寒日的日照时间越长。
小结:初步分析小区的日照情况还行,尤基本都在红黄段,主要关注下不满足日照的户号及部分中间楼栋低楼层日照。
8、教育配套
学校配套方面:教育配套划分情况目前未知,具体以楼盘公示为准。
9、地块细节分析

(示意图)
地埋式垃圾站:位于2#北侧。

(示意图)
公厕:位于4#东侧。

(示意图)
非机动车停车区:位于19#南侧。

(示意图)
架空层(设置相关主题,实用性较高):4~13#、14#、19#设置架空层,具体设置情况可现场咨询核实,主要关注下各栋的大小及区位,主题设置等。


消防扑救场地(需采用硬质铺装):部分楼栋两栋之间的扑救场地位于同一侧,容易形成较大的硬化面,景观营造会有一定局限性。
10、小区典型户型分析

118户型亮点:

1、设备平台处做了两根小立管,包起来这点对室内空间比较友好,但检修稍微麻烦点;

2、入户有单独的出入厨房流线,这点也是个创新,确实在流线上更加合理,如果对厨房实用性更加看重,也可以多做橱柜,保持传统流线;
3、南侧阳台连设备平台,联体设置很规整,只是还可以了解下户型是否配备分体空调机位,否则此处要放置中央空调,在这么好的南向放置,就有些不划算了。
户型遗憾:
1、主卧虽然分设了衣帽间,但是相对于这个面积尺度,里面预留的交通空间较多,实用率相应降低。

(框选为去墙后、空间连通示意)
户型可改造性: 客厅、空中花园与南侧阳台之间可推出,扩大室内空间(上图红圈处的黑色填充为剪力墙垛)。

143户型亮点:
1、入户的客餐厅做成连体方厅,简单实用;
2、南向阳台跨越两开间且无任何拐角,完整方正。
户型遗憾:
1、厨房开窗面积不大,不利于南北通风;
2、空中花园外侧设置中央空调机位,可能会有点挡窗。

(框选为去墙后、空间连通示意)
户型可改造性:
客厅、卧室与南侧阳台之间可推出,扩大室内空间(上图红圈处的黑色填充为剪力墙垛);
主卧与东侧卧室之间可连通,打造主卧套间。

170户型亮点:
1、这个户型整体架构做的不错,采用客餐厅,厨房挂角布局,整个一线凸显起居舒适度;
2、空中花园可满足家庭晾晒,南向阳台的功能更加灵活;
3、主卧空间较大,三功能分离,居住体验感较好;
4、入户处设置独立玄关加储物间,对于家庭收纳比较友好。
户型遗憾:
1、南向卧室房门之间距离较近,互相之间可能有点干扰;
2、北向卧室要经盥洗间,功能上有点交叉,也可能会有点噪音干扰。

(框选为去墙后、空间连通示意)
户型可改造性:
客厅、卧室与南侧阳台之间可推出。

190户型亮点:
1、入户处设置较为舒适的老人房,不仅有卫生间还有书房,对于长辈起居非常友好;
2、中置方厅布局,优点是空间感较好,缺点是要承担过多的交通流线,独立性打些折扣;
3、餐厅尺度够大,可以加条形边岛台等,丰富餐厅功能。
户型遗憾:
1、从框架上来说,户型进深较长;
2、厨房外的阳台与设备平台不太好用,如果做收纳,有点大材小用,做晾晒,在厨房外又不太合适。

(框选为去墙后、空间连通示意)
户型可改造性:
客厅与南侧阳台之间可推出。
小结:户型产品力3.5颗星。
11、周边在售竞品情况
由于雍景湾和龙湖春江天玺均已售完,实际附近并无直接竞品。
12、周边二手房参考

有湘江世纪城巨无霸在,况且本区位也不是长沙重点打造的点,周边二手房上去难度较大,建议自住为主。
小结:投资属性3颗星。
13、周边城市界面



北侧苏托垸暂未开发,周边形象基本已完备,总体以商品房为主,没有太多公建立面去点缀其中。
小结:周边城市界面3.5颗星。
14、效果输出研判
首先要说明的是,效果图是网上收集,材质方面如无公示支持,只是个人推测,不确保有实际指导意义,具体的建议咨询开发商。


立面总体比较精简,其一。通过立面涂料(可了解下具体材质)的颜色变化,形成明暗对比;其二。在山墙大面,通过分隔线将涂料切块,让山墙看起来不至于太呆板,符合现在一般刚需房的做法。
由于户型南向采用较大的通长阳台(从效果图看是玻璃栏板)和玻璃开窗面,所以南向主立面形象还是可以的。
小结:效果图呈现--3.0颗星。
15、已有项目交付产品力
首先要说明的是,下面的实拍图是网上收集,小编的点评只是抛砖引玉,大家可以去实地查看,了解其产品力。

从大门来说,仪式感还是差点,最打眼的就是点铝板帽子,感觉那么的朴实无华,原因在于,设计花的心思不够。

在住宅的次要立面前坪,苗木量还是有点欠缺,整体显得有些硬气。

园路两侧采用的成品排水沟,功能上没啥问题,美观上差点意思。

大面草坪点缀几颗稀稀拉拉的樱花树,说实话有点过分了,此处毫无美感,要么就加大种植量做樱花林,要么就换个形式,做点组团好得多,现在这种状态,大部分时间看到的,只能是草坪上有点光杆杆。


组团塑造也不够饱满,绿化上显得很克制,凸出一个视野开阔性,但地形隆起的感觉还是出来了。
小结:这个项目并不是万科的标杆项目,做的一般,我们能窥见的是,万科可以成为尖子生,也能成为非常普通的学生,所以唯房企论是不可取的,不同项目只有实体交付才知道自己小区到底是什么段位,当然有个直观的判断就是楼盘的售价,如果卖得贵还做得差,那就是不可原谅。
16、总结
地块综合 :此地块位于开福城北片区,地块本身比较普通,并不是啥高净值地块,但是性价比还是在的,周边生活配套资源还算不错,交通也比较方便。
适合人群 :购房主观上喜欢北城,追求性价比,又对区位有点要求的周边上班族。
如何选房 :优先肯定选择北地块,地块内部及周边都有较好的景观资源条件。

上图是优先选择的楼栋,圈一半表示其中一个单元。

最核心的就是这三栋,首先位于小区中央位置,静谧性较好,其次9#南侧是园区的核心景观区,11#,12#北侧有个线性的小公园,其北侧的视野也不错,但要是在南侧则更佳。
南地块的话,14#稍微好点。
文章不做任何引导性购买建议,纯粹从客户角度分析项目。
文中户型改造部分均为示意,如需采纳,应找具有资质的装修单位做详细施工方案。
纯干货软文编写不易,欢迎点赞、关注、转发; 但严禁直接搬运或作为直播讲解、视频素材等。