今天跟大家分享一下槐荫区2021年的小学招生政策, 2022年最新政策还未公布,但是每年一般变化不大,可以参考2021年的准备。
2021年槐荫区小学阶段招生继续通过义务教育招生管理平台,以网上申报为主,通过共享大数据进行材料审核。
招生平台网报分 本区户籍子女 、 外来务工人员随迁子女 和 西客站片区及部分新建小区 三类情况,家长可根据实际情况提出申请。
一、入学信息确认流程
信息采集填报(6月15日9:00至7月7日17:00)—— 学校通过大数据初审报名信息——现场报名及确认(7月8日至7月9日)——学校复审——终审、公布录取结果(7月31日前后)
现场报名及确认人员范围:
1、因特殊情况不能实现网上报名的;
2、西客站片区购房外来务工人员;
3、住房为小产权的;
4、全区外来务工无自购房产人员。
备注:除以上4种类型外,其他人员网上申请登记并提交材料即可,无需到现场进行确认。现场确认实行网上预约,错时进行。请家长及时查看报名平台反馈的信息。
二、报名条件及所需资料
(一)本区户籍子女
*基本条件
1.年满六周岁(2015年8月31日前出生);
2.槐荫区常住户口、监护人有房产并长期实际居住。
需核实以下资料
1.户口簿;2.房产证;3.监护人身份证;4.户口簿不能证明亲子关系的需提供适龄儿童的出生证明。
*填报说明
1.请结合家庭实际情况选择“槐荫户籍有房产入口”和“槐荫户籍无房产入口”进行登记;
2.如槐荫户籍适龄儿童父母无房、祖孙三代同住的,需提供由房产大厦开具的无房证明,报名时选择“槐荫户籍有房产入口”进行登记,填报(外)祖父母房产对应学校,该校如有学位则予以录取,学位不足则由区教育和体育局协调至其他学校入学;
3.槐荫户籍无房产的适龄儿童需提供户口簿和无房证明;
4.在本区服役的符合随军条件的军人子女提供军官证、*队军**随军审批报告表、单位证明信和居住证明,参照本区户籍适龄儿童入学申请流程进行登记:有自购房产的进入“槐荫户籍有房产入口”进行登记,无自购房产的进入“槐荫户籍无房产入口”进行登记;
在本区服役的不符合随军条件的军人子女参照外来务工人员随迁子女提供所需资料并进行申请登记;
5.*迁拆**居民子女请持户口簿、*迁拆**证明、实际居住地证明到原片区学校报名,区教育和体育局将结合实际情况按有关规定进行安置;
6.外国及港澳台学生根据有关文件精神,需提供护照、通行证、实际居住地证明等相关材料,参照本区户籍适龄儿童入学流程进行申请登记;
7.非居住型公寓、商铺、写字间不在招生范围内;
8.为保障适龄儿童正常入学,请准确填报户籍及房产信息,选择学区内学校进行填报;
9.请认真阅读填报说明,信息提交后有2次修改的机会;
10.具体进程请及时关注义务教育入学服务平台(http://124.128.226.251:8081/jnbm)和济南槐荫教育微信公众号(jnhyjywx)发布的相关通知;
11.对于因身体健康等原因延缓入学的,父母或其他法定监护人应通过报名平台的“延缓入学申请入口”向区教育和体育局及学校提出申请,经批准后方可缓学。
12. 适龄残疾儿童入学优先采用普通学校随班就读的方式,轻度适龄残疾儿童少年可就近在房产所在学区接受义务教育;中度、重度残疾儿童少年可直接报名就读特殊教育学校;需要专人护理、不能到学校就读的可实施送教上门服务。对于入学安置有争议的残疾儿童,区教体局组织槐荫区残疾儿童入学鉴定和咨询委员会对其接受义务教育的能力进行评估认定,提出入学安置意见。
(二)外来务工人员随迁子女
*招生原则
1.按照“市级指导,县(区)为主体,积分量化,公平公正”的原则,外来务工人员随迁子女的招生采用量化排序的办法进行,优先安排更加符合条件的随迁子女入学;
2.家长只能选择一所学校进行申请登记及现场确认。
*基本条件
1.年满六周岁(2015年8月31日前出生);
2.在槐荫辖区实际居住的外来务工人员随迁子女;
3.截止2021年8月31日前,主申请人的以下资料需同时并连续满足一年以上方有资格进行入学申请登记。
(1)居住证:槐荫区公安机关出具的证件;
(2)居(租)住证明:购房者需提供房产证(未办理房产证需提供购房合同和全额购房发票或者相关缴费单据);租房者实际居住地址与居住证上的地址不一致的需提供房屋租赁合同;
(3)务工证明:在济务工人员需提供劳动合同和社保缴费单据;在济经商人员需提供营业执照和税务登记证(三证合一的只提供营业执照即可);
其他所需资料:
1.户籍证明:户口簿、父母身份证;
2.户口簿不能证明亲子关系的需提供适龄儿童的出生证明。
3.客运、货运运营人员需提供槐荫区居住证、从业资格证、经营许可证、道路运输证及单位驾驶证明或协议。
*温馨提示
1.所有材料需一次性提交,学校复审结束后补办无效;
2.今年通过与相关部门共享数据的方式对材料进行比对核查,家长需提供真实有效的证明材料,否则将取消录取资格;对于弄虚作假、伪造入学资料的,一经发现,严肃追究相应人员责任;
3.外来务工人员随迁子女入学材料只能由其父母或监护人提供。
*赋分说明
1.主申请人的居住证、劳动合同(或营业执照)、社保(或税务登记证)满一年赋基础分,超过一年后按月累计加分,加分时长上限为6年。在槐荫辖区务工或经营的外来务工人员给予适当加分;
2.在对主申请人赋分的基础上,辅申请人资料进行累计赋分;
3.购房的外来务工人员随迁子女需同时提供以上入学申请登记所需资料;
*填报说明
1.请结合家庭实际情况选择“外来务工有房产入口”和“外来务工无房产入口”进行登记;
2.交房并已实际入住的外来务工人员随迁子女可填报房产对应学校,租房的外来务工人员随迁子女到意向学校现场确认,不可重复登记;
3.非居住型公寓、商铺、写字间业主子女不在招生范围内;
4.逾期(截止到7月9日下午17:00)未提交信息及现场确认者,视为自动放弃入学机会;
5.无论通过网上登记平台方式还是通过现场申请登记方式都不代表最终能够在槐荫区接受义务教育;
6.请认真阅读填报说明,信息提交后有2次修改的机会;
7.需要现场确认的,学校将根据工作安排可能有所调整,具体时间以学校公布的为准;
8.具体进程请及时关注 义务教育入学服务平台 和 济南槐荫教育微信公众号 发布的相关通知。
意向学校及现场确认地点

(三)西客站片区及部分新建小区业主子女
*基本条件
1.年满六周岁(2015年8月31日前出生);
2.交房并实际居住;
3.具有槐荫区户籍或槐荫区居住证
*所需资料
1.请按户籍实际情况,按照本区户籍子女类型或外来务工人员随迁子女类型准备资料;
2.西客站片区及部分新建小区业主子女入学需提供房产证(尚未办理房产证的提供购房合同和全款发票)、户口簿、交房及入住证明等有关资料进行入学申请登记;安置三区需提供《济南市西客站片区已入住楼房房屋安置补偿协议》和《西客站片区已入住楼房*迁拆**交房单》;
3.户口尚未迁移至房产处的业主需尽可能提供外来务工人员子女入学所需资料,教体局视周边学校学位情况协调安置。
*填报说明
1.西客站片区及新建小区业主子女入学必须符合交房并实际入住条件后方有报名资格;
2.西客站片区及新建小区购房的外来务工人员现场确认说明:
西客站片区及新建小区购房的外来务工人员是指在西客站及新建小区购房、交房并实际入住,有槐荫区居住证等材料的人员(具有槐荫户籍的不用进行现场确认)。为方便家长,提高效率,西客站片区及新建小区外来务工业主请到指定学校进行现场确认。指定学校仅进行代为确认工作,不代表被该校录取。金科城、绿地中央广场、爱丽舍公馆外来务工人员的业主到大杨小学代为现场确认;绿地香榭丽外来务工人员的业主到张庄小学代为现场确认;恒大雅苑和济水上苑外来务工人员的业主到担山小学代为现场确认;锦绣兰庭、梦世界、海亮艺术华府外来务工人员的业主到机场小学代为现场确认;荣宝御园、大尧风华盛景外来务工人员的业主到小金小学代为现场确认;剑桥府邸及财富融悦外来务工人员的业主到段店小学代为现场确认;万科公园里、龙腾国际花园外来务工人员的业主到刘堂小学代为现场确认,其他小区外来务工人员的业主可到汇英小学代为现场确认。
如网上报名有困难需要到现场进行报名的,请到上述小区相应的指定学校进行现场报名即可。
3.非居住型公寓、商铺、写字间业主子女不在招生范围内;
4.请认真阅读填报说明,信息提交后有2次修改机会;
5.具体进程请及时关注义务教育入学服务平台和济南槐荫教育微信公众号发布的相关通知。
三、2021年槐荫区小学名单

四、2021年槐荫区部分小学学区范围
1、济微中学小学部

2、阳光100小学

3、槐荫区实验小学

4、经七路第一小学

5、纬十路小学

6、小辛庄小学

7、槐荫区南辛学校

8、光明街小学

9、德兴街小学

10、新世界小学

11、营市东街小学

12、机场小学

13、明星小学

14、匡山小学
济南市匡山小学学区图

15、泉城花园小学

16、济南市昆仑小学

17、济南兴济小学

18、济南市汇英小学

19、济南市饮马小学

20、槐荫区御景城小学

21、槐荫区泉新学校

22、槐荫区粼湖居小学

25、槐荫区锦绣城小学
济南市槐荫区锦绣城小学学区示意图

26、槐荫区张庄小学

27、槐荫区刘庄小学

28、济南市段店小学

29、济南市刘堂小学

30、济南市闫千户小学

31、 济南市老屯小学

32、济南市美里湖第一小学

33、济南市美里湖第二小学

34、济南市美里湖第三小学

35、济南市大金小学

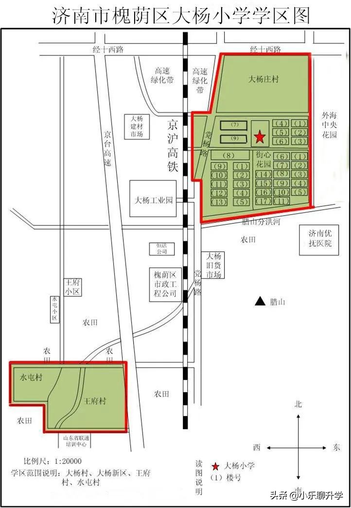
36、槐荫区大杨小学

37、槐荫区担山屯小学

38、槐荫区腊山小学

39、槐荫区小金小学

40、槐荫区田庄小学

42、槐荫区周王小学

43、古城实验学校

44、槐荫区西堡小学

45、槐荫区楚庄小学

46、槐荫区周官屯小学

47、槐荫区三教堂小学

48、槐荫区西张小学

以上就是槐荫区小学招生政策及学区范围啦,如果有没汇总到的学校,可以评论区留言哈!