和闺蜜一起去海洋馆 (和闺蜜一起来游珠江边)

帕劳注意事项

签证:帕劳是落地签,在飞机上填好入境单即可,相当于免签

航班:帕劳和中国大陆无建交,需转机去帕劳。可以从香港、澳门、首尔、转机

时差:帕劳比国内快一个小时

货币:美金

语言:英语、导游是中国人可以说汉语

气候:热带雨林气候,全年气温在30度左右

行程:我们报的是全包行程,但没有报3天出海,考虑到想体验一下潜水,所以只报了两天的出海行程+一天体验潜水,好友说帕劳虽是个玩水的国家,陆地上的风景也不容错过,只有这样才不枉此行,于是我们又报了一天自由行。

出海 体验潜水

海洋的旋律当然是帕劳之旅中无法告别的喜悦。我们都在寻找、挑战、惊喜、热爱、流连。我是个胆小的人,友人的日常精细于账目,更是谨慎,我们爱这一汪海洋,却怕陷得深沉,并不敢高攀。好在同船的小伙伴表率了帅气的潜水姿势,表达了对碧波下的痴迷。

海水的吸引力太大,就像沾满润肤水的海绵触及肌肤的幸福感,我们与海水的接吻也是自然而然的本能了。蔚蓝色下的一切,多姿的珊瑚、万千的鱼儿、萌翻的海龟,还有不知哪个有情人留下的漂流瓶,让我的血液都表达成五颜六色,也许在这时间的杰作下,我们心生敬畏,而这一望无际的一切回报以豁达。我很安心,没有了聒噪,没有了紧张,在海里,谁又能看见你的泪水,你无须盛装,无需伪装,卸下捍卫自己的强硬,就是自己,尽情咬着呼吸嘴开心、吐露心声。

闺蜜一起游东湖公园,跟闺蜜一起去观光大海

巨蚌城,这里的巨蚌已有上百年的历史,好似一个个慈祥的老人。是帕劳的国家级景点。

闺蜜一起游东湖公园,跟闺蜜一起去观光大海

玳瑁小海龟

闺蜜一起游东湖公园,跟闺蜜一起去观光大海

牛奶湖本身不是一座湖,由于地理环境独特,所以称之为牛奶湖。牛奶湖三面环山,有一个小小的入口。海底蕴藏着大量的白色火山泥,水色亮白如雪的天然泄湖。

闺蜜一起游东湖公园,跟闺蜜一起去观光大海

闺蜜一起游东湖公园,跟闺蜜一起去观光大海

无人岛拍照,今天的午餐是海鲜火锅。

闺蜜一起游东湖公园,跟闺蜜一起去观光大海

蓝色珊瑚礁,是一座美丽的珊瑚花园,特殊的是可以看到一种稀有少见的蓝色鹿角珊瑚,美丽又壮观。当我跃入水中,各种不同的小鱼儿在我身边游来游去,此时此刻仿佛自己已经化身为一条小鱼,与这大海融为一体。帕劳真的是无时无刻不带给我惊喜。

闺蜜一起游东湖公园,跟闺蜜一起去观光大海

鲨鱼城,一个让人肾上腺素飙升的地方。这个让人不敢触碰的生灵,其实并没有那么可怕。这种鲨鱼是体型较小的黑鳍鲨,性格温顺,不会主动攻击人类。真的是没想到,有生之年我能与鲨鱼共游。

闺蜜一起游东湖公园,跟闺蜜一起去观光大海

提示:受厄尔尼诺气候的影响,水母湖目前是看不到这来自外太空的可爱小生灵。起初我很是失望,得知导游带我们去另外一个地方去看水母的时候,难以掩住内心的那份喜悦。

闺蜜一起游东湖公园,跟闺蜜一起去观光大海

闺蜜一起游东湖公园,跟闺蜜一起去观光大海

闺蜜一起游东湖公园,跟闺蜜一起去观光大海

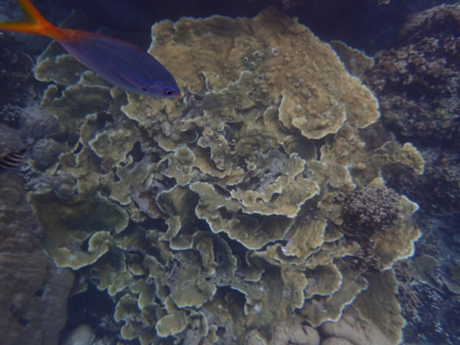
硬珊瑚区,导游发给我们每人一个小面包球,将小面包球握在手中,一点点将面包球搓成细小的面包屑,小鱼就会围绕着你。

闺蜜一起游东湖公园,跟闺蜜一起去观光大海

闺蜜一起游东湖公园,跟闺蜜一起去观光大海

七彩珊瑚花园,仿佛来到了花仙子的世界。色彩斑斓,随着碧波来回荡漾。

闺蜜一起游东湖公园,跟闺蜜一起去观光大海

情人桥在帕劳的明信片上出境率极高。这是洛克群岛上自然形成的拱桥。

闺蜜一起游东湖公园,跟闺蜜一起去观光大海

德国水道,二战时期德国人为了运输磷矿用*药炸**炸出来的一条水道,也是通往大断层的必经之路。在德国水道你可以看到七种不同颜色海水,这就是帕劳著名的七色海。

闺蜜一起游东湖公园,跟闺蜜一起去观光大海

大断层,也是我此次行程中最激动的一站。落差数百米的水下断崖,无比的壮观震撼。大断层也是浮潜行程中最壮观的地方,也是唯一处在环礁保护外的浮潜点。大断层也被潜水人士誉为世界七大潜水之首,没有之一只有之首。

闺蜜一起游东湖公园,跟闺蜜一起去观光大海

闺蜜一起游东湖公园,跟闺蜜一起去观光大海

闺蜜一起游东湖公园,跟闺蜜一起去观光大海

闺蜜一起游东湖公园,跟闺蜜一起去观光大海

闺蜜一起游东湖公园,跟闺蜜一起去观光大海

闺蜜一起游东湖公园,跟闺蜜一起去观光大海

最后一站是将大海一分为二的长沙滩。退潮时,雪白的细沙露出海面,仿佛延绵到天边。在长沙滩,地接社为我们准备了免费的婚纱秀和美人鱼尾,给我们这些小伙伴拍照。长沙滩真的是拍摄写真的最佳场景,随手一拍都是无敌美景。

闺蜜一起游东湖公园,跟闺蜜一起去观光大海

闺蜜一起游东湖公园,跟闺蜜一起去观光大海

闺蜜一起游东湖公园,跟闺蜜一起去观光大海

闺蜜一起游东湖公园,跟闺蜜一起去观光大海

我们租的是慢慢浪刚刚上新的道奇挑战者,租车会有些注意事项,详情你可以咨询客服。

闺蜜一起游东湖公园,跟闺蜜一起去观光大海

帕劳的最后一夜,当然需要品尝一下帕劳的海鲜。地接社会为三天出海的客人准备免费的海鲜大餐(出海的 第一天晚上)由于我们报的是一天体验潜水+两天出海所以我们没能吃上,不过帕劳的海鲜大餐也不贵大概在35美金。

闺蜜一起游东湖公园,跟闺蜜一起去观光大海

闺蜜一起游东湖公园,跟闺蜜一起去观光大海

闺蜜一起游东湖公园,跟闺蜜一起去观光大海

这个蝙蝠是帕劳当地的特色,帕劳人觉得由于这阵蝙蝠吸取了水果的汁液,所以吃了它对人体有很大的营养价值。

闺蜜一起游东湖公园,跟闺蜜一起去观光大海

以上文章选自漫漫浪帕劳旅游客人游记,有关帕劳行程方面的问题可留言或者咨询漫漫浪帕劳旅游地接!