今年楼市大火,各个区域凭借这股东风成功突围。合肥每个月都在提高土地供应数量,但是唯独经开区例外,经开区最近的居住地块成交记录还停留在去年华邦集团以910万元/亩摘得。
不得不说,经开区在九区之中像是一股清流,真真“沉得住气”。
今年至今,经开区未推出1宗居住用地。不仅如此,在现前公布的合肥优质地块名单中,经开区也无地块上榜,目前为止,经开区出让土地的可能性不大。意味着2017年经开区居住地“干旱”局面或将延续。
前日,经开区7宗土地规划批前公示,仍没有住宅用地,多为科研教育用地。
1 合经开081街坊控制性规划批前公示



地块区位:081街坊位于合经区中部,清潭路与紫蓬路交口西北。
地块规划:位于合肥市经开区,东至:清源路;南至:紫蓬路;西至:始信路;北至:锦绣大道。总面积:82.65公顷(约1240亩)。为科研教育用地。
2 合经开096街坊控制性规划批前公示




地块区位:096街坊位于合经区西北部,繁华大道与九龙路交口西南。
地块规划范围:096街坊东起九龙路,南邻九龙园小区,西接合九铁路,北至繁华大道,总用地面积13.70公顷(205.50亩)。
096街坊现状:为东湖高科科研基地,其中.96-1与.96-2地块为现状已建成东湖高科科研基地,.96-3地块现状为废弃九龙园垃圾站和农贸市场,项目周边为168学校、九龙园小区、安大罄苑等项目。
3 合经开099街坊控制性规划批前公示




地块区位:099地块位于合经区北部,地处芙蓉路与佛掌路交口东南角。
规划范围:099地块所在街坊东至天都路、南至北海路、西至佛掌路、北至芙蓉路,总用地10.75公顷(161.25亩)。
现在该区域范围内有芙蓉路上现状商业街,华润置地小区、公交换乘中心、海恒创业研发中心、安徽毅昌科技有限公司、汇林园居住区等。
轨道交通:远景规划有轨电车线
4 合经开104街坊控制性规划批前公示




地块区位:104街坊位于合经区北部,天都路与芙蓉路交口东北。
地块规划范围:104街坊东北起青翠路,南临芙蓉路,西接天都路,总用地面积约14.99公顷(约224.87亩)。
104街坊现状为康拜和鹏远住工工业用地。本次规划104-1地块现状为空地。街坊东侧为芙蓉标准厂房,西侧为汇林园小区,南侧为海毅注塑和海景包装,东北侧为合肥市五水厂,北侧为康拜堆场。
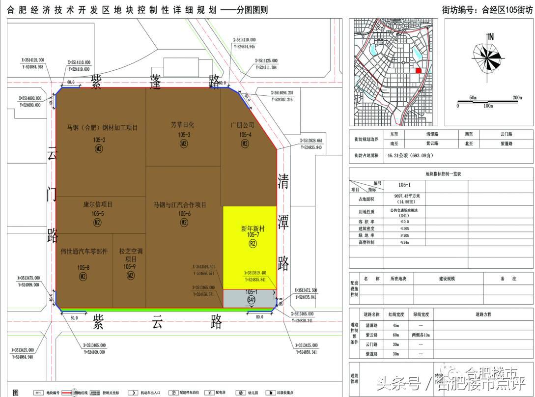
5 合经开105街坊控制性规划批前公示




地块区位:105街坊位于合经区西侧,紫云路与清潭路交口西北。
规划范围:105街坊东起清潭路,南临紫云路,西接云门路,北至紫蓬路,总用地面积约46.21公顷(693.08亩)。
105街坊现状有多家企业的厂房以及新年新村小区,本次规划105-1地块现状为通用驾校训练场地。街坊东侧为观澜华庭小区,南侧为江淮集团,西侧为铜冠铜材,北侧为合肥学院。
6 合经开109街坊控制性规划批前公示




地块区位:109街坊位于合经区东北部,繁华大道与宿松路交口西北。
地块规划范围:109街坊东起宿松路,南临繁华大道,西接芙蓉路,北靠坝下路,总用地面积28.93公顷(434亩)。
地块现状:109街坊东侧(109-1、109-2、109-3)现状为空地,街坊西侧为建业时光原著、紫金山庄居住项目、利星行汽车服务项目。
7 合经开110街坊控制性规划批前公示




地块区位:110街坊地块位于合经区中东部,紫云路与宿松路交口西北角。
规划范围:110街坊东起宿松路,南临紫云路,西接清潭路,北至紫蓬路,总用地面积约47.22公顷(708亩)。
地块现状:110街坊内110-1、110-2地块现状为空地,街坊内现状为新年农贸市场、新年小学、烟墩建安、致远公司、绿岭公司、新年新村、江汽住宅、观澜华庭、天兴公司等。地块东侧为宿松路,南侧为江淮汽车,西侧为广朋公司,北侧为滨湖前程居住小区。
经开区或推行“退二进三”土地政策
作为全国首批"国家新型工业化示范基地(家电)"、全国首个政府引导型"国家住宅产业化基地"、并获准建设"国家生态工业示范园区"的经开区,中部多为工业区,住宅规划集中翡翠湖与南艳湖。
从2016年土拍来看,经开区2016年居住用地供应,土地尤为稀缺。合肥近3年成功出让的土地量(除纯商业以外)

据有关消息,2017年经开区暂无优质地块供应计划。新盘断供,仅靠大体量老盘,供应远远不够。
目前,经开区实施“退二进三”的政策改革,(减少优化第二产业,发展第三产业),南艳湖板块等大批工业地性质的变化,或将为经开区后期提供大量土地储备资源。
经开区热门楼盘推荐铜冠花园

占地面积:100000平方米
建筑面积:460000平方米
停车位:共2166个停车位,车位比约1:1。
总户数:1996户
楼栋总数:19栋
物业公司:长城物业
周边学校:北京市朝阳区金色摇篮潜能开发婴幼园、168中学*瑰园玫**学校、朝霞小学、68中
周边医院:安医二附院、合肥市口腔医院、省立医院南区
综合商场:大润发、沃尔玛、乐天玛特、易初莲花、合家福、铜冠广场
交通:地铁3号线 乘坐226路公交到翡翠路口下车,步行至铜冠花园 乘坐150路公交到翡翠路口下车,步行至铜冠花园 乘坐126路、20路 32路、80路, , 149路, 602路, 604路, 605路公交到繁翡路口下车,步行至铜冠花园
最新备案:经开区铜冠花园备案15#楼,毛坯高层,120套,均价14070.53元/㎡。其中包含12套定向销售房源,均价8000—8060元/㎡。
融科城

占地面积:200万方,自建30万方商业,60亩公园
项目规划:目前已开发三期,一期16栋,二期17栋,三期15栋
绿地率:40%
容积率:2.5
学区:签约学区,合肥市六安路小学翠微分校,四十五中芙蓉路校区
住宅层高:2.9米
机动车位配比率:85%
物业公司:第一太平融科物业管理(北京)有限公司
交付时间:三期预计2019年年底交房
商圈配套:自带20万方商业、港澳广场、中环城
公交:文锦新城(605路支线),报业园(605路支线),省医科大新区(20路,128路,128路空调),石金路口(605路支线),安医大二附院(市口腔医院)(149路,226路,128路,149路空调,128路空调)
华邦观筑里

占地面积:项目占地85亩,规划总建筑面积24万方
项目规划:总规划8栋住宅,1栋公寓,10栋商业裙楼。住宅目前还剩4栋没开
绿地率:40%
学区:合肥市六安路小学翠微分校,中学暂时未定
面积段:88㎡、99㎡、106㎡
车位:1271个,车位配比:1:0.8
物业费:1.44元/月/平米
公摊:高层公摊23%,70年住宅性质公寓公摊20%
交付时间:最早2017年12月
商圈配套:自带商业、港澳广场、中环城
世茂翡翠首府

占地面积:占地面积约18万方,总建筑面积约 55万方
项目业态:规划高层23栋、洋房8栋、联排别墅25栋,建成之后可容纳约2万人居住。
剩余体量:洋房开了3栋,别墅开了7栋,高层还剩5栋。高层大概还剩1000套左右。明年年中一期交付。
商业配套:1万方自带商业,预计明年年中推出
绿地率:40%
楼间距:40-50米
景观风格:新亚洲园林风格
学区:自建9班幼儿园、24班建平小学、59中
面积段:在售101㎡、102㎡、131㎡
备案价:13988万/㎡
周边配套:地铁三号线
加侨悦湖公馆

占地面积:38513平方米
建筑面积:117888平方米
容积率:2.80
绿化率:40%
停车位:882个,配比1:0.99。
总户数:1500户
楼盘地址:芙蓉路以西、繁华大道以南
公交:可乘坐31路、52路、57路等公交车到达项目。
学校:合肥168中学、46中海恒分校、习友路小学
动态:加侨悦湖公馆目前在售高层G5#楼,主力户型建筑面积96、116、128平米,销售均价15500元/平米,预计2019年12月31日交付;另有B座商办空间在售,建筑面积约39-42平米,均价10000元/平米,欢迎咨询。
关于经开区,目前新盘几乎没有,只有几个老盘撑起半边天,不断推新。但是经开区一旦有新房源推出,仍然是热门抢手。
细细分析,原因不外乎3点:
1、限购虽然影响一部分客户,但是经开区配套完善,距离政务区较近,个别价格比较亲民的楼盘还是大热。比如世茂翡翠首府。且产品自身的品质和性价比逐渐成为成交的主要因素。目前经开区的配套愈加完善,地铁、学区、商业以及规划,优势比较明显。
2、一年多未推新地,楼盘可选择少。也成为利好规划,带动房价升值。物以稀为贵,经开区享受的资源较丰富,且依着翡翠湖,环境十分好,地铁三号线也为楼盘升值提供了良好的出行配套。
3、好盘不给涨价,划算!受“6个月内不得上调备案价”的影响,世茂翡翠首府多次开盘未涨价,地王华邦观筑里价格涨不起来迟迟未备案却也成为开发商一大难题。在购房者眼里,经开区这些楼盘一旦开盘,还是值得一买的……
如果您觉得文章不错,就来关注微信平台吧:打开微信,点击右上角的”放大镜“按钮,搜索公众号,输入 “loushi_hf” 或 “合肥楼市" (记住选加V认证的哦),点击关注,更多精彩内容等着你。