点击名片轻松关注
—————— 橙子城市更新 ——————
5月11日,深圳市光明区城市更新和土地整备局发布关于光明区凤凰街道塘家第一工业区城市更新单元规划(草案)的公示。
5月10日,深圳市南山区城市更新和土地整备局发布关于南山区招商街道兴华工业大厦七八栋等城市更新单元计划有效期调整的补充公告。
深圳市龙华区城市更新和土地整备局发布关于龙华区龙华街道清湖老村城市更新单元规划修改的公示。
5月10日,多家媒体披露,深圳地铁、万科正与融创洽谈收购深圳冰雪城项目51%股权,目前收购事项仍在推进中,尚未签署协议。
01
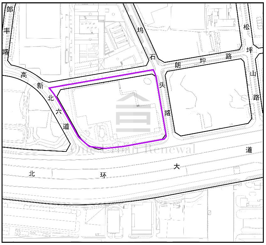
塘家第一工业区城市更新单元规划(草案)公示
光明区凤凰街道塘家第一工业区城市更新单元已列入 《2019年深圳市光明区城市更新单元计划第一批计划》 ,2021年完成更新单元计划调整,更新方向调整为居住(采取城市更新方式建设公共住房)。现该更新单元规划(草案)已经过光明区城市更新工作领导小组2022年第2次工作会议审议并原则通过。
项目概况:
项目位于光明区凤凰街道,东临龙大高速、南临光侨路、西临塘家南路、北临塘家环村路。

更新单元用地面积 93786.2㎡ ,拆除用地面积 91062.9㎡ ,开发建设用地面积 52702.1㎡ (含划入零星用地2571.4㎡),规划容积 313910㎡ ,规划容积率 5.9 。

其中住宅279860㎡(含安居型商品房218030㎡),商业、办公及旅馆业建筑10000㎡,公共配套设施(含地下)24050㎡[含2所12班幼儿园(每所建筑面积4910㎡、独立占地3600㎡)、托育中心500㎡、社区管理用房300㎡,社区警务室50㎡、社区服务中心600㎡、文化活动室1000㎡(含2片室内羽毛球场360㎡)、社区健康服务中心2000㎡、社区老年人日间照料中心1500㎡、社区级公共配套用房2730㎡(其中社区*党**群服务中心1230㎡、文化活动室1000㎡、人才活动室500㎡)、公交首末站4300㎡、公共充电站700㎡、小型垃圾转运站350㎡、再生资源回收站90㎡、公共厕所90㎡、环卫工人作息房20㎡、社区体育活动场地两处(共占地4500㎡,可设置于裙房屋面)、社区儿童游戏场地两处(共占地1200㎡,可设置于裙房屋面]。

申报主体为 深圳市京联房地产开发有限公司 。查询工商信息显示,该公司由为芜湖长商投资中心(有限合伙)和深圳市心海腾鑫投资有限公司,分别控股99%、1%。
芜湖长商投资中心(有限合伙)由中国长城资产管理股份有限公司深圳市分公司、深圳招商房地产有限公司、深圳市心海腾鑫投资有限公司和长城(天津)股权投资基金管理有限责任公司,分别持股54.76%、24.77%、20.45%和0.0003%。
深圳招商房地产有限公司由 招商局蛇口工业区控股股份有限公司 全资控股(简称“招商蛇口”)。该公司是招商局集团旗下城市综合开发运营板块的旗舰企业。招商蛇口创立于1979年,41年前建设开发运营的深圳蛇口片区是中国改革开放的发源地,为中国经济发展做出了重要的历史贡献,孵化并培育了以招商银行、平安保险、中集集团、招商港口等为代表的一批知名企业。2015年12月30日,招商蛇口吸收合并招商地产实现无先例重组上市,打造了国企改革的典范和中国资本市场创新标杆。
目前,招商蛇口城市更新已重点布局深圳、广州、佛山、东莞等城市,在深圳区域范围内已有包括招商中环、招商臻府、招商半山臻境、沿山路一期、沿山路二期、兴华大厦等等城市更新项目。
深圳市心海腾鑫投资有限公司实际控股人为深圳市心海控股有限公司(以下简称“心海控股”)。 心海控股 在深圳拥有众多项目,如:心海天誉、宝安前进一路沃尔玛购物广场片区城市更新单元、宝安观澜街道蚌岭片区城市更新单元等项目。
02
兴华工业大厦七八栋城市更新单元计划有效期调整补充公告
兴华工业大厦七八栋城市更新单元位于南山区招商街道,项目拟拆除重建用地面积 23432㎡ 。
该项目拟更新方向为 新型产业功能 ,拟拆除重建用地范围内应落实不少于 3600㎡ 用于建设地铁、大南山隧道等公共利益项目,拟贡献率不少于 15.4% 。
更新单元计划有效期2年3个月,自2019年12月26日起至2022年3月25日止。延期1年,更新单元计划有效期至2023年3月25日止。

申报主体为 蛇口兴华实业股份有限公司 ,查询工商信息显示,该公司大股东为深圳招商房地产有限公司。
03
高发科技园旧厂房区城市更新单元计划有效期调整补充公告
高发科技园旧厂房区城市更新单元位于南山区桃源街道,项目拆除范围用地面积 45440㎡ 。
该项目拟更新方向为 新型产业功能 ,拆除重建用地范围内应落实不少于 18176㎡ 用地用于建设城市基础设施、公共服务设施、产业项目或城市公共利益项目,拟贡献率不少于 40% 。
更新单元计划有效期2年3个月,自2019年12月26日起至2022年3月25日止。延期1年,更新单元计划有效期至2023年3月25日止。

申报主体为 深圳市高发投资控股有限公司 。
项目概况:
高发科技园旧厂房区城市更新单元于2019年12月列入 《2019年深圳市南山区城市更新单元计划第三批计划》 ,于2021年12月19日发布规划(草案)公示。
项目位于深圳市南山区桃源街道南临北环大道,北临广深高速,西临龙珠五路。

该更新单元用地面积为 46654.3㎡ 。拆除用地面积为 45440.1㎡ ,开发建设用地面积 27914.4㎡ ,规划容积 243352㎡ ,规划容积率 8.7 。

其中,产业研发用房 170346㎡ (含创新型产业用房20442㎡),产业配套用房 68066㎡ (含宿舍53506㎡、商业服务设施14560㎡),公共配套 4940㎡ 。公共配套设施配建内容:公交首站2200㎡、小型垃圾转运站200㎡(地下)、再生资源回收站60㎡、公共厕所60㎡、环卫工人作息房20㎡、社区健康服务中心1400㎡、社区级公共配套用房1000㎡(优先落实托育机构)。

申报主体为 深圳市高发投资控股有限公司 (简称高发投资控股)。高发投资控股前身为成立于1988年6月的深圳市高速公路建设指挥部和深圳市高发实业有限公司。现由深圳市滨基实业(集团)有限公司、深圳市粤泰豪文化产业投资有限公司、深圳市世纪富通投资有限公司共同投资成立,注册资本3.09亿元。公司以深圳为中心,优先开拓珠三角市场,依托海口、大连、黑河、秦皇岛等项目所在地城市,积极布局全国化发展格局,主营业务涉及地产开发、城市更新、商业运营、物业服务等多元领域,产品覆盖高档住宅、精品公寓、花园别墅、综合商业、工业园区等。
过去三十多年里,高发投资控股圆满完成了广深高速公路(深圳)段*地征**、*迁拆**及沿线土地开发任务,成功开发建设了高发科技工业园、高发东方科技园、高发佳苑、高发单身公寓楼、高发第五大道、高发城驰苑、高发曦城、高发上东1号、高发悦驰苑等项目。
04
绿云厂房城市更新单元计划有效期调整补充公告
绿云厂房城市更新单元位于南山区南山街道荔景路与东滨路交汇处,拟拆除重建用地面积 18131㎡ 。
该项目拟更新方向为 新型产业 、 商业功能 ,拆除重建用地范围内应落实不少于 3100㎡ 用地用于建设城市基础设施、公共服务设施、产业项目或城市公共利益项目,拟贡献率 17.1% 。
更新单元计划有效期2年3个月,自2019年12月26日起至2022年3月25日止。延期1年,更新单元计划有效期至2023年3月25日止。

申报主体为 深圳广投投资开发有限公司 ,查询工商信息显示,该公司实际控制人为深圳市荣翼科技有限公司。
深圳市荣翼科技有限公司 业务范围有安防产品、电子产品、通信产品、数码产品、网络产品、计算机及周边产品的技术开发、批发、零售;以上相关产品的上门安装、上门维修及技术维护、技术咨询,国内贸易,经营进出口业务(以上法律、行政法规、国务院决定禁止的项目除外,限制的项目须取得许可后方可经营)。
05
环旭电子园城市更新单元计划有效期调整补充公告
环旭电子园城市更新单元位于南山区西丽街道,拟拆除范围面积 30182m² 。
该项目拟更新方向为 新型产业 功能;拆除重建用地范围内应落实不少于 10581㎡ 用地用于建设城市基础设施、公共服务设施、产业项目或城市公共利益项目,拟贡献率不少于 35.1% 。
更新单元计划有效期2年3个月,自2019年12月31日起至2022年3月30日止。延期1年,更新单元计划有效期至2023年3月30日止。

申报主体为 环胜电子(深圳)有限公司 ,经查询工商信息显示,该公司由环旭电子股份有限公司和环鸿电子股份有限公司,各自持股50%。
环旭电子股份有限公司 (SSE: 601231) 为全球电子设计制造领导厂商,专为国内外品牌电子产品或模块提供产品设计、微小化、物料采购、生产制造、物流与维修服务。环旭电子为日月光投控(TWSE: 3711, NYSE: ASX)成员之一,承袭环隆电气于电子制造服务行业多年经验,并整合日月光集团之封装测试领先技术,在全球为客户提供通讯类、计算机及存储类、消费电子类、工业类及车用电子为主等电子产品。公司销售服务据点遍布美洲、欧洲、亚洲,并在中国大陆、台湾、墨西哥和波兰设置生产据点。
06
赛霸科技城市更新单元计划有效期调整补充公告
赛霸科技城市更新单元位于南山区西丽街道科技北二路和高新北三道交汇处,项目拆除范围用地面积 14634㎡ 。
该项目拟更新方向为 新型产业功能 ,拆除重建用地范围内应落实不少于 3000㎡ 用地用于建设城市基础设施、公共服务设施、产业项目或城市公共利益项目,拟贡献率不少于 20.5% 。
更新单元计划有效期2年3个月,自2019年12月31日起至2022年3月30日止。延期1年,更新单元计划有效期至2023年3月30日止。

申报主体为 赛霸电子(深圳)有限公司 ,查询工商信息显示,该公司为大族控股集团有限公司关联企业。
大族控股集团有限公司 成立于1996年,是上市公司大族激光的控股母公司。主营业务涉及高新装备制造、新能源产业、健康医疗、房地产开发、城市更新、酒店运营、物业管理等诸多领域,是多元化综合性商业集团。
大族控股集团自2008年起正式向地产开发行业进军,以前瞻性的目光将布局聚焦于一线城市,并在取得成功开发经验之后向海外进行拓展,如今大族集团的地产业务已遍布美国、瑞士、澳洲、北京、上海、深圳、太原、厦门等国家和地区,房地产开发总面积超过500万㎡。目前在深项目有大族云峰、大族河山、南山村旧改、北头村旧改和大族东方项目等。
07
翰宇生物医药园城市更新单元计划有效期调整补充公告
翰宇生物医药园城市更新单元位于南山区粤海街道,项目拟拆除重建用地面积 11999㎡ 。
该项目拟更新方向为 新型产业功能 ,拆除重建用地范围内应落实不少于 3000㎡ 用地用于建设城市基础设施、公共服务设施或城市公共利益项目,拟贡献率不少于 25% 。
更新单元计划有效期2年,自2020年5月15日起至2022年5月14日止。延期1年,更新单元计划有效期至2023年5月14日止。

申报主体为 深圳市翰宇生物工程有限公司 。
深圳市翰宇生物工程有限公司 是目前国内规模最大的专业研发、生产和销售多肽类药物的高新技术企业,首期投资人民币1.6亿,下设深圳市多肽合成技术工程研究开发中心及深圳市翰宇药业有限公司等科研、生产机构。被列为国家高技术产业化示范工程、广东省“十五”科技重大专项项目企业、深圳市年重大建设项目及深圳市高技术产业化示范工程项目。总部设在深圳市高新中区翰宇生物医药园,占地12000㎡,设有GMP厂房、实验楼、科研综合楼等,基地建设被列为深圳市重大建设项目。
08
十九开发单元越海地块城市更新单元计划有效期调整补充公告
十九开发单元越海地块城市更新单元位于前海合作区,拟拆除重建用地面积 8982㎡ ,属于“小地块”项目,据了解,该更新单元是在取消小地块政策出台前申报计划。
该项目拟更新方向为 综合发展用地1(以商业用途为主) 等功能,拆除重建用地范围内应落实不少于 2695㎡ 用地用于建设城市基础设施、公共服务设施或城市公共利益项目,拟贡献率不少于 30% 。
上述用地除落实规划要求外,其余部分可协议出让给项目实施主体按照规划进行建设。
更新单元计划有效期2年,自2020年6月12日起至2022年6月11日止。延期1年,更新单元计划有效期至2023年6月11日止。

申报主体为 深圳市越海全球物流有限公司 。
深圳市越海全球物流有限公司 ,是一家国际物流企业,在境内外设有16个分子公司,38个办事处,于1997年9月在香港注册成立越海国际船务有限公司,并在深圳设立代表处。
09
义学街城市更新单元计划有效期调整补充公告
义学街城市更新单元位于南山区南头街道,项目拟拆除重建用地面积 42569㎡ 。
该项目拟更新方向为 二类居住 、 商业 等功能,拆除重建用地范围内应落实不少于 15513㎡ 用地用于建设城市基础设施、公共服务设施或城市公共利益项目,拟贡献率不少于 36.4% 。
更新单元计划有效期2年,自2020年6月24日起至2022年6月23日止。延期1年,更新单元计划有效期至2023年6月23日止。
单元规划阶段按规定落实深圳市城市总体规划等相关法定规划的管控要求。

申报主体为 深圳市金海港实业有限公司 。
金海港集团 是一家以房地产开发为主业,横跨餐饮酒店、产业投资等多个行业的综合性产业集团,于1995年设立,总部设在深圳。集团以房地产开发为主业,同时也投资其它产业。集团业务主要分在房地产开发、餐饮酒店、产业投资等行业,旗下企业有:深圳市金海港实业有限公司、深圳市鑫地置业有限公司、深圳市鑫地投资有限公司、深圳市兰赫美特酒店等众多机构。集团现已开发的主要地产项目有缤纷假日、缤纷时代、缤纷年华、缤纷世纪公寓、珑御府等,项目多地处区块核心地段,为标杆建筑,现已带动起周边经济环境发展。
10
清湖老村城市更新单元规划修改公示
龙华区龙华街道清湖老村城市更新单元项目已列入 《2019年深圳市龙华区城市更新单元计划第一批计划》, 于2020年12月取得《深圳市龙华区人民政府关于<龙华区龙华街道清湖老村城市更新单元规划>审批情况的通知(深龙华府函〔2020〕178号)》。现龙华区龙华街道清湖老村城市更新单元规划修改已经深圳市龙华区城市更新和土地整备局2022年第10次局长办公会议审议通过。
项目概况及规划修改事项:
规划区位于龙华区石清大道与大和路交叉口西南侧,现由申报主体深圳市佰亨置业有限公司申请规划修改。

具体修改事项如下:
01-01、01-02和01-03地块整体开挖(含幼儿园、规划一路与规划二路地下空间),地下控制线与配置停车位数量相应调整;项目合计配置停车位数量不少于2830个(包含120个公共停车位,其中38个须保证幼儿园工作人员的停车需求)。


以下指标数据来源于2021年1月21日发布规划公告,更新单元用地面积 98057.2㎡ ,拆除范围用地面积 84977.6㎡ ,其中开发建设用地面积 44436.8㎡ 。规划容积为 303570㎡ ,规划容积率 6.83 。

其中住宅 239500㎡ (含公共租赁住房27130㎡)商业、办公及旅馆业建筑 46780㎡ ,公共配套设施(含地下) 17290㎡ (含18班幼儿园5800㎡、占地5400㎡,公交首末站3900㎡,社区健康服务中心1050㎡,老年人日间照料中心750㎡,文化活动室1050㎡,社区管理用房300㎡,社区警务室100㎡,便民服务站(含*党**群服务中心)700㎡,社区菜市场500㎡,小型垃圾转运站300㎡,再生资源回收站60㎡,公共厕所80㎡,环卫工人作息房20㎡,地下公共充电站700㎡,社区级公共配套用房1980㎡)。另配建社区体育活动场地占地面积2500㎡,物业服务用房按照《深圳经济特区物业管理条例》予以核定。

申报主体为 深圳市佰亨置业有限公司 。查询工商信息显示,该公司由深圳市润鸿置业有限公司、深圳市鸿荣源企业发展(集团)有限公司和深圳市嘉宁物业管理有限公司,分别占股42%、40%、18%。
鸿荣源集团 创立于1991年,历经近30年稳健发展,现已发展成为以地产全产业链综合开发、商业运营、产业发展、金融科技四大板块为核心,多元化经营的大型综合性企业集团。在地产开发和城市更新领域,鸿荣源多年来深耕深莞区域,累计综合开发建筑面积逾千万㎡,打造了前海鸿荣源中心、壹方中心、壹成中心、香蜜湖熙园、公园大地等多个极具市场影响力的标杆项目。以大城运营、产城融合的战略,布局多个中心项目,在大型连片改造、产业升级改造及TOD综合体开发等方面,具备丰富的经验。
11
融创拟出售深圳冰雪城项目51%股权,深圳地铁、万科洽谈中
5月10日,多家媒体披露,深圳地铁、万科正与融创洽谈收购深圳冰雪城项目51%股权,目前收购事项仍在推进中,尚未签署协议。
据了解,2020年11月23日,融创携手华发股份用双方共同出资设立的合资公司深圳融华置地投资有限公司,以底价 127.1亿 拿下深圳市宝安区A301-0575地块(冰雪城项目)。
该项目位于深圳市宝安区沙井街道,位于国际会展中心旁,土地面积 43.69万㎡ ,建筑面积 131.07万㎡ ,包括办公74.25万㎡,住宅(可售型人才房)30万㎡,游乐设施10万㎡,商业9.97万㎡,配套酒店4.9万㎡,公共配套设施1.94万㎡。
其中,可售型人才住房允许分割销售,30%需满足监管协议要求方可销售。人才住房售价按销售时同地段市场商品住房售价的60%确定,最高销售价格不得高于40000元/㎡。
根据融创和华发股份的约定,双方共同出资设立合资公司深圳融华置地投资有限公司,以深圳融华名义参与竞买位于深圳市宝安区沙井街道地块,深圳融华注册资本金70亿元,其中华发房产认缴出资34.3亿元,持有项目公司49%股权;融创文旅认缴出资35.7亿元,持有项目公司51%的股权。
根据出让条件,该宗地项目建成后,游乐设施100000㎡限整体转让,配套酒店49000㎡限整体转让,全部商业共计99733㎡(含中央绿轴地下商业7291㎡)、办公742500㎡,可分割销售;出让宗地中商业服务业用地部分须自《出让合同》签订之日2.5年内开工、6年内竣工,居住用地部分须自《出让合同》签订之日1年内开工,4年内竣工。
该项目就是融创要建造的一个包含世界最大室内雪世界在内的冰雪文旅综合体,这也是融创文旅首次进入深圳。
事实上,2019年12月18日在2019深圳全球招商大会上,深圳宝安区就和融创中国签订了总投资达367亿元的合作协议。根据协议,宝安与融创中国将建立战略合作伙伴关系,由融创中国投资,在宝安建设融创中国大湾区总部及冰雪文旅综合体项目(暂定名)。其中,冰雪文旅综合体项目拟投资约338.3亿元,将建设成集世界最大室内雪世界、冰雪主题酒店、冰雪主题商街等设施于一体的世界级文旅项目。

到了2021年3月22日,深圳沙井A301-0575地块命名为融创华发·深圳冰雪文旅城且开始动工。另外,该项目也列入了2021年宝安的重大项目计划,总投资182.9亿元,2021年建设人才房、公共配套用房、商业、办公(一期),计划到2026年12月完工。

(效果图)
—————— 橙子城市更新 ——————
关注微信公众号:橙子城市更新