硬核知识大全 (荒野求生里的美食)

丛林求生食物

蛇类是属于隐秘性高的爬虫类,生性胆怯,主要栖息在阴暗潮湿植被密布的

环境中,对人类是不会主动攻击的,所以在森林或旷野中漫步是很少看见蛇的踪迹。野外采集植物标本也很少碰见蛇,所以被蛇咬的机会是少之又少,但在战场上,因为快跑冲锋或匍匐前进时踩到或压到蛇的机会就多容易被蛇攻击,危险性就相当高了。

在野外求生“食谱里”,蛇肉是一项很不错的肉品来源,但为数不是很充裕,毕竟蛇隐藏很高很不容易被发现。

缅甸远征军在野人山行进中会碰上的毒蛇计有:泰国圆斑蝰、原矛头蝮(龟壳花)、缅北原矛头蝮、泰国眼镜蛇(中南半岛射毒眼镜蛇)、眼睛王蛇、银环蛇、红尾青竹绿等剧毒的毒蛇。远征军士兵一旦被毒蛇咬了,在荒野医药缺乏的情况下,存活的机会十分渺茫。

  1. 泰国圆斑蝰

丛林探险美食大全,真正的丛林美食有哪些

丛林探险美食大全,真正的丛林美食有哪些

泰国圆斑蝰 被咬后皮肤会产生出血性水泡

学名(Daboia russelii siamensis)

是中南半岛最毒的蛇,体型粗短,被蝰蛇咬伤的患者,皮肤会出现出血性水泡,非常疼痛,几分钟后人会陷入昏迷状态,十分危险,在亚洲被毒蛇咬死者以蝰蛇排行居位第一名。

分布:中国福建、广东、广西、云南、台湾、巴基斯坦、印度、斯里兰卡、孟加拉、中南半岛及东南亚。

所以在战场上被蝰蛇咬伤者在八小时之内没打血清存活机会很小。

  1. 原矛头蝮

丛林探险美食大全,真正的丛林美食有哪些

丛林探险美食大全,真正的丛林美食有哪些

原矛头蝮

学名(Protobothrops mucrosquamatus)台湾俗称龟壳花,中国俗名:烙铁头.

毒素里有极强的抗凝血功能致使皮肤肌肉溃烂,被咬后危险性相当高,为凝血性毒素。

分布:台湾、中国、西南西北等省份,印度、孟加拉、中南半岛。

(三)缅北原矛头蝮

学名(Protobothrops kaulbacki)

外形特征:头部倒卵椭圆形略长,吻缘窄,全身暗黄绿色,有不规则略似三角形深色斑块,斑块内被有长条形黄色鳞片,体两侧有较小型类似体背面斑块的图案,是一种含有剧毒的蛇,危险性十分高。

分布:缅甸北部、中国*藏西**

丛林探险美食大全,真正的丛林美食有哪些

(四)泰国眼镜蛇(中南半岛射毒眼镜蛇)

丛林探险美食大全,真正的丛林美食有哪些

学名(Naja siamensis)

全世界有186种眼镜蛇,就只有11种具有射毒能力,一般能射毒的眼镜蛇体长可达2米以上,当眼镜蛇要发起攻击时,会收缩毒囊附近的肌肉将毒液挤入,毒牙的中空小孔对入侵者脸部发起射毒的致命性攻击。

属神经毒素,被咬者会产生疼痛,肿胀。溃烂。被其毒液射中眼睛会灼热痛苦数日甚或有眼瞎的危险,这种眼镜蛇较常见,宜加小心,在越南常被用来浸泡中药材作为补品。

分布:在中南半岛及东南亚

(五)眼镜王蛇

丛林探险美食大全,真正的丛林美食有哪些

丛林探险美食大全,真正的丛林美食有哪些

眼镜王蛇 被眼镜王蛇咬后,没有及时处理会产生局部性溃烂

学名(Ophiophagus hannah),体型大可达6米长,排毒量大每次可达400mg,为剧毒蛇类。中国俗名:过山峰。

毒性为混合性毒,*害迫**呼吸神经系统及造成肌肉麻痹等症状。

分布:中国云南、贵州、浙江、江西、福建、广东、广西、湖南、海南、*藏西**等地。中南半岛、印度及东南亚均有分布。

(六)银环蛇

丛林探险美食大全,真正的丛林美食有哪些

学名(Bungarus multicimctus),台湾俗名:雨伞节

属神经毒素,引起呼吸麻痹,为陆地剧毒蛇种之一,危险性相当高。

分布:台湾、福建、广东、广西、海南、贵州、云南、浙江、江苏、安徽、江西、湖南、湖北等省份。广泛分布中南半岛。

丛林探险美食大全,真正的丛林美食有哪些

印度环蛇(Bungarus caeruleus)又名“普通环蛇”

雨伞节是台湾毒性最强的蛇,但很少死于雨伞节的攻击,原因是雨伞节的毒性虽然很强但雨伞节每次排毒量很少,毒液含水量在50%-75%之间,一次排出的毒量约为9.20毫克(mg),干毒量只有4.6毫克(mg),所以死于雨伞节神经毒素的人不多,世界上的环蛇属(Bungarus)的蛇毒性一般较强,例如印度环蛇的毒性在印度也位居第一名,比眼镜蛇毒性强多了。

(七)金环蛇

丛林探险美食大全,真正的丛林美食有哪些

学名(Bungarus fasoiatus)

蛇体黑色,具有明显黄色宽带,黑、黄色相间,宽度差不多,背脊凸起,横断面呈“v”字型,体长120-180厘米,动作缓慢不具强烈攻击性。毒性为神经毒,毒性不及银环蛇强烈,但仍属剧毒蛇。

分布:中国广西、广东、福建、海南、江西、湖北、云南等省。

国外分布:中南半岛、印度、印度尼西亚、马来西亚等国。

(八)红尾青竹绿

丛林探险美食大全,真正的丛林美食有哪些

丛林探险美食大全,真正的丛林美食有哪些

竹叶青蛇 被竹叶青蛇咬到的伤口图片

学名(Trimeresurus stejnegeri),又名竹叶青蛇。

一般栖息在灌林丛,因排毒量少,所以被咬伤者较不会死亡,其毒性为血循环性、出血性毒素。被咬者会产生恶心晕眩、呕吐、腹胀痛等症状,竹叶青蛇数量多很常见,是毒蛇咬人事件最多的蛇种。

分布:广泛分布中国各地,中南半岛、印度等地。

(九)王锦蛇

学名(Xenochorophis piscator),又称黄带水蛇、菜花蛇、王锦蛇、大王蛇。

王锦蛇是种攻击性强,体型较大的凶悍蛇种,体重可达40公斤,但是无毒性,它会吞食眼镜蛇或五步蛇(百步蛇)、银环蛇,因为它本身的免疫能力可以中和具有神经毒素的蛇毒毒液,所以王锦蛇能肆无忌惮的吞食其它蛇类。

王锦蛇肌肉结实生长快速,是我国三大肉蛇养殖场的优选蛇种。

是游蛇科的无毒蛇,背部浅灰褐色,背部两侧有纵向浅色条纹,纵纹和横纹交叉处呈现灰白色斑点。

分布:台湾、福建、广东、广西、湖南、江西、浙江、陕西、云南、贵州等地。

国外分布:中南半岛、泰国、缅甸、印度、巴基斯坦、孟加拉等南亚及东南亚各国。是主要食用蛇之一。

丛林探险美食大全,真正的丛林美食有哪些

(十)铅色水蛇

学名(Enhydris plumbea)

属游蛇科水蛇属,蛇体背面为灰橄榄绿色,背鳞外侧1至2行鳞片略黄色,体长达350-450厘米。在中南半岛是常见食用蛇之一。

分布:台湾、福建、广东、广西、海南、浙江、江西、云南

国外分布:中南半岛、马来西亚、印度尼西亚等地。在中南半岛是常见食用蛇之一。

丛林探险美食大全,真正的丛林美食有哪些

丛林探险美食大全,真正的丛林美食有哪些

铅色水蛇 中南半岛野生市集上贩售的铅色水蛇

(十一)腹斑水蛇

学名(Enhydris bocourti)

体长可达120公分,体形粗大如成人手腕,体色深有淡黄色横条纹,体侧有明显的略呈三角锯齿形连接斑块。

分布:中国、中南半岛、马来西亚等地。

丛林探险美食大全,真正的丛林美食有哪些

(十二)缅甸蟒

学名(Python bivittatus),又名缅甸岩蟒。

是世界上六大巨型蛇类之一,体长可达8.2米,重达183公斤,体背黄褐色,有大型略不规则斑块深色纹。

分布:缅甸、印度北部、东南亚、马来半岛。

丛林探险美食大全,真正的丛林美食有哪些

(十三)

二、蜥蜴

(一)大型蜥蜴:计有孟加拉巨蜥、亚洲大水蜥。

(1)孟加拉巨蜥

学名(Physignathus cocincinus)

背鳞呈片状有圆形、长椭圆形或微小颗粒状,灰色或深绿色交杂,无特殊花纹。体长90多厘米,重达10公斤,是中南半岛乡村市集上常见的肉食品,味道鲜美,很受当地居民青睐。

行动机灵,不易捕捉,宜设陷阱捕捉。

分布:中国西南部、中南半岛、南亚及东南亚二十多个国家。

丛林探险美食大全,真正的丛林美食有哪些

丛林探险美食大全,真正的丛林美食有哪些

孟加拉巨蜥 中南半岛乡村市集贩售的孟加拉巨蜥

丛林探险美食大全,真正的丛林美食有哪些

野外求生食物-烤孟加拉巨蜥

(2)亚洲大水蜥

学名(Varanus salvator lauren T1.1768),越南名:KY DA NUOC

分布:中国西南部、中南半岛、东南亚各国

背部神色杂有略带规则的黄色斑纹,体长可达2.5米,重达25公斤。

在中南半岛乡村市集上可看到出售水蜥肉的摊贩,水蜥肉味道鲜美。

丛林探险美食大全,真正的丛林美食有哪些

丛林探险美食大全,真正的丛林美食有哪些

亚洲大水蜥 中南半岛乡村市集贩售的亚洲大水蜥

(二)小型蜥蜴:计有龙蜥、石龙子。

(1)龙蜥

龙蜥种类繁多,体型小,体背小鳞片状,长约20厘米。容易捕捉,是野外求生的好食材,但肉少。

丛林探险美食大全,真正的丛林美食有哪些

丛林探险美食大全,真正的丛林美食有哪些

龙蜥 野外求生食物-烤龙蜥

(2)石龙子

石龙子俗称四脚蛇,为小型蜥蜴,一般身体有五条浅色纵纹,体侧纵纹由小鳞片状斑纹连接而成,小型鳞片光滑类似蛇型,故俗称四脚蛇,体长约20-30厘米,数量多容易捕获,是野外求生重要食材。

丛林探险美食大全,真正的丛林美食有哪些

丛林探险美食大全,真正的丛林美食有哪些

中华石龙子

广东人将中华石龙子剁成碎肉馅做成包子吃,福建将其煮汤或炒菜吃,中华石龙子看起来挺肥美的。

  1. 蛤蚧和山壁虎

蛤蚧台湾俗称大守宫,蛤蚧是壁虎的一种,但体型一般比壁虎大很多,蛤蚧

体长可达60厘米,全身被细鳞片,体背有暗灰色、灰蓝色、浅黄褐色等,全身

密被 红色、橘黄色、紫灰色斑点,外观很亮丽。

在中南半岛乡下民宅常可发现,尤其在郊区或森林树干上遍布着它的踪迹,雨天时常可听到蛤蚧发出gu-ge,gu-ge,e˜e˜的宏亮叫声。

蛤蚧和山壁虎都是野外求生还算容易取得的肉食品,但是蛤蚧野外的数量不算多,山壁虎种类较多,数量也较多,越南人有吃食蛤蚧和山壁虎的习性。

在中南半岛的野集没看到有贩售,可见蛤蚧不常被当地人用为食材,但是中国人情有独钟。中国人和越南人将蛤蚧放入中药材浸泡的酒中作为补肾壮阳的圣品。

丛林探险美食大全,真正的丛林美食有哪些

丛林探险美食大全,真正的丛林美食有哪些

中南半岛蛤蚧 浸泡在酒中的蛤蚧和中药材可供补腎强精之用

丛林探险美食大全,真正的丛林美食有哪些

丛林探险美食大全,真正的丛林美食有哪些

野外求生食物-烤蛤蚧 中南半岛山壁虎

  1. 蟾蜍和青蛙

蟾蜍(俗称癞蛤蟆)体表密被疙瘩,内有毒腺,毒腺可提取蟾酥以及蟾衣是

种药材。蟾酥是早期先民用作麻醉剂,可混合酒做肿胀止痛*醉药麻**,有的男人将蟾酥涂抹在男人性器的前端,可达持久不泄的良好效果,因为蟾酥可麻痹末梢神经,使性器官不至于过度兴奋而*泄早**,是一种十分天然的*药媚**,这也是掠食者不吃蛤蟆的原因所在,吃了会引起神经麻痹,肢体乏力等等不适的症状。

取食蟾蜍肉时,先将头部去掉再剥了全身皮,清除内脏,即可去除毒腺体,味道和青蛙一样鲜美。

蟾蜍青蛙种类繁多,数量庞大又容易捕获,是热带雨林中的重要食物来源,在中南半岛野集上是不可缺少的肉食品。

丛林探险美食大全,真正的丛林美食有哪些

丛林探险美食大全,真正的丛林美食有哪些

台湾盘古蟾蜍 中南半岛野生市集上贩售的蟾蜍

丛林探险美食大全,真正的丛林美食有哪些

丛林探险美食大全,真正的丛林美食有哪些

野外求生最简便食材-烤青蛙、蟾蜍

舔食蟾蜍毒素:当你迷失在荒山野外饥寒交迫、度日如年、情绪低落、逐渐失去求生毅志力时?不妨看到蟾蜍时,将蟾蜍的耳后腺体挤出来舔食,这种毒液会刺激大脑产生迷幻错觉,给人带来快感,但少许毒液不会致人于死地。早期北美印第安人有舔食科罗拉多蟾蜍毒液的习惯,用以产生幻觉减轻疼痛忧虑等效果。当狗舔食蟾蜍毒液后对所产生的幻觉那种特殊舒适感也会令狗儿上瘾,欲罢不能。吸吮蟾蜍毒液类似吸食迷幻药,所以在墨西哥及美国有少部分*品毒**瘾君子会吸吮科罗拉多蟾蜍的毒液来过过毒瘾。

  1. 昆虫类
  2. 较常见的可食用陆生昆虫

较常见的可食用陆生昆虫有:蝗虫、蟋蟀、天牛、金龟子、蜣螂(俗称屎壳郎),蝉、蛾类的蛹、蚂蚁蛋、竹象及竹虫、白蛾蜡蝉的若虫、长翅型繁殖蚁等等。

  1. 蝗虫(俗称蚱蜢、蚂蚱、草蜢)

中国有1000多种,分布极广,热带国家及亚热带国家都有取食蝗虫的习惯,油炸蝗虫是一道美食,生吃有一股腥味。在中国餐厅的油炸蝗虫都是人工养殖的。在中南半岛乡村市集常可见贩售蝗虫。

丛林探险美食大全,真正的丛林美食有哪些

丛林探险美食大全,真正的丛林美食有哪些

蚱蜢 油炸蚱蜢

  1. 蟋蟀(俗名蛐蛐、促织)

蟋蟀身体是褐色或黑褐色,蟋蟀公虫生性好斗,中国早在唐代就有斗蟋蟀的记载,到了南宋时期已相当普遍,从王亲贵胄到平民百姓都乐此不疲,促织瞿瞿叫,宣德皇帝要,就是指有名的“蛐蛐皇帝”明宣宗朱瞻基,聊斋有篇文章名:“促织”,写当时明朝封建社会底层以提供好斗的促织来讨好上级的一篇带有讽刺意味的短文。蟋蟀在中南半岛较常见于饭桌上。

丛林探险美食大全,真正的丛林美食有哪些

丛林探险美食大全,真正的丛林美食有哪些

油葫芦(蟋蟀的一种) 油炸蟋蟀

大蟋蟀属于直翅目蟋蟀科(学名Brchytrupes portentosus Lichtenstein)/

身体特征:体为浅褐色,胸及前翅较深色,体长3.5-4.5厘米。

分布:台湾、广东、广西、福建、云南、江西南部等地。

中南半岛乡下居民较常吃大蟋蟀,尤其雨期来到时,连下几天豪雨,便可看到小孩拿着捕网、手电筒成群结队去郊外捕捉大蟋蟀,捉回来油炸或烤着吃味道不错,在台湾日本殖民时期也常吃大蟋蟀,上世纪90年代台湾餐厅还可看到大蟋蟀腹部插了一块番薯条油炸这道菜。

丛林探险美食大全,真正的丛林美食有哪些

台湾大蟋蟀

  1. 天牛

天牛最大特点是有一对比体长长了2-3倍的触须,飞行时会发出咕!咕!声,所以称之为天牛,在北方称之为水牛,台湾俗称牛角崴。天牛以树木为寄主居多,少数啃食草本植物茎叶或吸食花蜜,为木材首要害虫。

在中国北方有油炸大牙土天牛的吃法,但不是很好吃,稍微硬了点,在中南半岛居民是取食大型天牛,将头及背壳剥除烤着吃或炸着吃。在雨期来临时,会有大群天牛汇聚在草地上便于捕食。

丛林探险美食大全,真正的丛林美食有哪些

丛林探险美食大全,真正的丛林美食有哪些

大牙土天牛 煎饼卷天牛

山东省临沂市有道菜名叫:煎饼卷天牛,将天牛成虫剁碎,再以蒜和红辣椒一起在油锅里爆香然后用煎饼卷着吃。

  1. 金龟子

金龟子是鞘翅目金龟甲科(Scarabaeoidea)的通称,中国有1800种之多,幼虫叫做蛴螬,生长在地下对植物的幼苗危害性很大,蛴螬长的雪白,头部赤褐色,古《诗经·卫风·硕人》有述及赞美美女的词句,手如柔荑,肤如凝脂,颈如蝤蛴,齿如瓠犀,螓首蛾眉,巧笑倩兮,美目盼兮。其中蝤蛴就是指金龟子或天牛的若虫,用以比喻妇女光滑柔腻的颈项。

中南半岛及东南亚有取食的习俗。台湾早期日据时代,穷困农村的小孩在农闲时会捕捉金龟子烤食,去头,折掉硬翅膀,但味道不佳,有一股浓烈腥味,在中南半岛居民有油炸金龟子的吃法。

丛林探险美食大全,真正的丛林美食有哪些

丛林探险美食大全,真正的丛林美食有哪些

绿金龟子成虫 金龟子幼虫

  1. 蜣螂(屎壳郎)

蜣螂,俗称屎壳郎,属于鞘翅目金龟甲科(Scarabeidae)昆虫,学名:Catharsius molossus L.,体色黑褐色或亮黑色,大中型昆虫。

屎壳郎当它发现草原上的大便时,它会用脚将屎便制成一个圆球 ,将其滚开藏匿,然后再吃掉,当繁殖期到来,母屎壳郎会用泥土将粪球制成梨形,然后将卵产在梨状球的颈部,等到幼虫孵化后,就以这颗圆形粪球当食物,直到它长大成虫为止。

数年前在寮国某寺院摘植物标本,看到两个小男孩蹲在地上扒拉牛粪,找什么东西?挨近了看,他们捉了一玻璃瓶的小屎壳郎,长约1.5厘米,色黑,示意我带回去烤了吃或油炸了吃,是一种美味食品,但不是每种屎壳郎都好吃,大型屎壳郎可真臭,不适合吃。

丛林探险美食大全,真正的丛林美食有哪些

丛林探险美食大全,真正的丛林美食有哪些

屎壳郎 油炸屎壳郎

  1. 蝉(俗称知了)

蝉,俗称知了,成虫以树汁液维生,所以知了数量多时会造成大量树木死亡,一般知了猴在六月底夏初时分会从地里面爬出来,直到9月份就消失。

知了猴是末龄幼虫,当它钻出地面会爬上附近杂草或树干上,然后蜕皮羽化为成虫,成虫二十天后开始交配产卵。

我们一般吃的油炸知了猴是末龄幼虫,香酥可口,是一道美食,成虫油炸后也有人吃,但硬梆梆的口感差,世界上知了有2000余种,每个国家吃知了种类也不尽相同。

丛林探险美食大全,真正的丛林美食有哪些

丛林探险美食大全,真正的丛林美食有哪些

蝉成虫 蝉末龄幼虫(知了猴)

  1. 白蛾蜡蝉的若虫

白蛾蜡蝉(学名:Lawana imitate Melichar),属于同翅目,蛾蜡蝉科。

分布:中国南方省份,北至湖北省武汉。

若虫的体形像一只白色小孔雀,在寮国(老挝)某次在郊外远远看到一颗小灌木。枝干上“长满”了小白花,认为可能是开了白花的茜草科小型灌木,但这个“花”也太奇特了,长满长长白毛,用手碰触还四处蹦跳,好像开锅的爆米花,着实吓了一大跳,“花会蹦跳”,原来是昆虫,比对后才知道是白蛾蜡蝉的若虫,老挝人收集了白蛾蜡蝉的若虫炒鸡蛋请我吃,味道一般,一盘菜要用上百只若虫。

丛林探险美食大全,真正的丛林美食有哪些

丛林探险美食大全,真正的丛林美食有哪些

白蛾蜡蝉的成虫 白蛾蜡蝉的若虫

  1. 蚂蚁蛋

编织蚁(又名黄猄蚁、红树蚁)

拉丁学名:Oecophylla smaragdina

英文名字为:Weaver ant

编织蚁为热带,亚热带雨林中常见的蚂蚁,分布中国南方、中南半岛、东南亚、缅甸、泰国、印度、太平洋群岛、澳大利亚等广泛地区,生性凶猛的杂食性蚂蚁,它们也会畜养蚜虫,因毒性不大,人被咬后不感觉很疼痛,但个体长达1.0—1.5厘米,生活在木本及草本植物上,以叶子筑巢,巢径可达70厘米。

它们具备超强咬合力,可经过分工叠罗汉方式将多片树叶拉拢密合,再以幼虫吐出的分泌物将叶缝粘合,外观看似一棵大粽子形的树叶巢穴,类似一个空心包合体,一个家族的编织蚁有数个大小不同的巢穴。它们一般都采取鞣革质的大型树叶做为筑巢材料,诸如,茜草科、苏木科、使君子科等的大型柔质叶。至于龙脑香科羯布罗香属之类的大型硬革质树叶是不受待见的。

丛林探险美食大全,真正的丛林美食有哪些

丛林探险美食大全,真正的丛林美食有哪些

编织蚁个体图 编织蚁拥有高效率分工合作能力

若是族群成员数量少时,它们会选择长披针形的叶来做巢或草本植物叶大型者,像包粽子的式样做巢,这种蚂蚁巢内的蚂蚁蛋较干净。

丛林探险美食大全,真正的丛林美食有哪些

丛林探险美食大全,真正的丛林美食有哪些

用捕虫袋抠树上蚂蚁窝 筑在乔木叶上的红蚂蚁窝

丛林探险美食大全,真正的丛林美食有哪些

丛林探险美食大全,真正的丛林美食有哪些

编织蚁的蚂蚁蛋 凉拌生蚂蚁蛋

蚂蚁蛋是在雨期间才能采集得到且较容易采集的食品,具有丰富蛋白质且十分美味,在乡村市集上常可见贩售。中南半岛的山里居民以生蚂蚁蛋凉拌辣椒或蚂蚁蛋加上鸡蛋清蒸,是道美味佳肴。

另一种小型的黑色蚂蚁,体长约0.2-0.3厘米,它们是以干草或朽木碎屑在地面草丛中或腐植层上筑巢,所以取得的蚁巢内的蚂蚁蛋杂质较多,必须筛选过。

泰国乡村的居民会采用竹竿插上整只生鸡肉然后捅入编织蚁巢内,继而取出爬满编织蚁的生鸡肉放在碳火上烤,编织蚁身上旳酸香味是一种天然酸味添加剂,尤其是筑在果树上巢穴的编织蚁还略带清淡果香味。

丛林探险美食大全,真正的丛林美食有哪些

爬满编织蚁的生鸡肉块

  1. 大型带翅的白蚂蚁

大型带翅的白蚂蚁是属于一种长翅型繁殖蚁,当蚁巢族群成员达到一个数量时,天气炎热大雨过后,长翅型繁殖蚁就会远离巢穴到另一个适合环境去繁殖另组族群。

在大雨过后,为数不少可大量捕捉,此时的长翅型繁殖蚁体内积存大量脂肪蛋白质,去除翅膀后放在石板上用火烤,味道很香纯甜美,是野外求生能找得到的食物。

吃带翅白蚂蚁的情形很普遍,一般在较贫穷地方才有此习惯,居民会采用各种方法捕食,例如在印度乡间居民会在蚁冢上搭个圆锥形架子,四周包覆编织袋,在包覆包里吊一盏灯,灯下放一大口朝上的金属锅埋入蚁穴土层里,如此放一宿,隔天早晨即可收获大把大把的带翅白蚂蚁。

丛林探险美食大全,真正的丛林美食有哪些

丛林探险美食大全,真正的丛林美食有哪些

长翅型繁殖蚁(白蚁) 野外火烤长翅型繁殖蚁

丛林探险美食大全,真正的丛林美食有哪些

  1. 竹象和竹虫

竹象是鞘翅目象甲科的一种昆虫,是竹类主要害虫之一,成虫体赤褐色,鼻管黑色细长可自由转动,体长达3.5厘米,中国南方有油炸竹象和竹虫的吃法,味道不错。

竹虫是竹象的幼虫,是一种高蛋白质的食物,竹虫长在竹林中竹子较大型者,例如毛竹、孟宗竹之类,一般竹象是在笋尖咬洞排卵,幼虫开始啃食竹瓤,吃完一节再啃穿横隔层吃下一竹节,依此前行,所以捉竹虫的人会从上,一节一节往下劈开,看聚集在哪一竹节。

在热带雨林中,竹子种类及数量不少可找竹虫充饥,是一个不错的选项。

丛林探险美食大全,真正的丛林美食有哪些

丛林探险美食大全,真正的丛林美食有哪些

竹象 油炸竹象

丛林探险美食大全,真正的丛林美食有哪些

丛林探险美食大全,真正的丛林美食有哪些

竹虫 一道油炸竹象与竹虫的菜肴

  1. 松毛虫及松毛虫的虫蛹

松毛虫属鳞翅目(Lepidoptera),枯叶蛾科(Lsaiooampidea)松毛虫属的统称。主要为害松科,幼虫啃食松树针叶,因族群庞大,*害迫**性也大,常造成整片松木林

光秃死亡,是森林最严重的虫害。为减轻虫害一般在松树林中采用阔叶树作为混交林,常见的有壳斗科、豆科植物等。

松毛虫的虫蛹油炸熟后比蚕蛹还美味,在热带雨林中也常见成片松木林,所以在野外求生时,若碰上松木林可收集松毛虫的茧,取出蛹火烤是一项美食。

丛林探险美食大全,真正的丛林美食有哪些

丛林探险美食大全,真正的丛林美食有哪些

松毛虫的茧及蛹 油炸松毛虫蛹

  1. 较常见的可食用水生昆虫

较常见的可食用水生昆虫有:大田鳖、龙虱、东方巨齿蛉幼虫(爬沙虫)、水虿(蜻蜓幼虫)等等。

  1. 大田鳖

大田鳖(学名Kirkaldyia deyrollei),半翅目隐角亚目负子蝽科,中国俗称桂花蝉,大田鳖生性凶猛,以青蛙、蝌蚪、小鱼为食,他口器里的消化唾液含有毒素可溶解猎物的肌肉组织使成体液,便于吸食。

大田鳖捣碎作为蘸酱生吃有股浓烈香味,油炸也很爽口,是中国南方及中南半岛很普遍的食品,是水生昆虫中的极品,但数量不多。现柬埔寨有大肆人工繁殖,出口欧洲国家。

丛林探险美食大全,真正的丛林美食有哪些

丛林探险美食大全,真正的丛林美食有哪些

大田鳖 在中南半岛乡村市集贩售的大田鳖

  1. 龙虱

龙虱俗名水蟑螂,种类有黄边大龙虱、三斑龙虱、锦龙虱、黑龙虱等,黑龙虱体型较为椭圆,形长2.0-2.5厘米,体黑色有深绿光泽,油炸龙虱在中国南方及中南半岛是常见的佳肴。

丛林探险美食大全,真正的丛林美食有哪些

丛林探险美食大全,真正的丛林美食有哪些

黄边大龙虱 炒龙虱

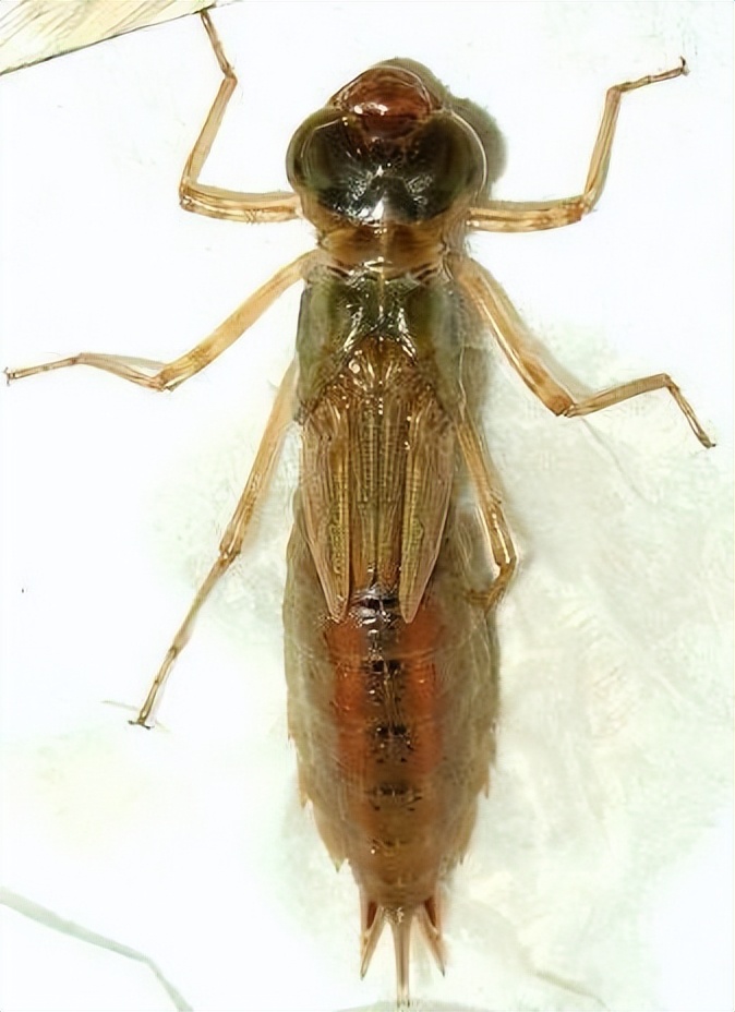
  1. 东方巨齿蛉幼虫(俗称爬沙虫)

东方巨齿蛉(学名:Acanthacorydalis orientalis),是齿蛉科巨齿蛉属昆虫,广泛分布中国华南、华中和西南省份,中南半岛亦有分布。

东方巨齿蛉幼虫俗称爬沙虫,生活在水中以水生小昆虫、小蝌蚪、小鱼为食。爬沙虫对水质量要求很高,因污染情形日益严重,造成数量大肆退减。它的营养价值极高,蛋白质含量高达75.5%,脂肪为13.5%及多种重要氨基酸,油炸后味道极佳,但外形长相丑陋,有“水蜈蚣”之称。

丛林探险美食大全,真正的丛林美食有哪些

丛林探险美食大全,真正的丛林美食有哪些

东方巨齿蛉成虫 美味可口的东方巨齿蛉幼虫(爬沙虫)

  1. 水虿(蜻蜓幼虫)

水虿是蜻蜓目稚虫的统称,体色一般为绿褐色,潜藏在溪流或池塘中,以小型水生昆虫及它们的幼虫为食,大型水虿会以小鱼和蝌蚪为食,性凶猛,属肉食性昆虫,中国北方南方及中南半岛居民有油炸水虿的吃法。

丛林探险美食大全,真正的丛林美食有哪些

丛林探险美食大全,真正的丛林美食有哪些

水虿 炒水虿

一般在河流或池塘中活动的昆虫及幼体都可食用,只是不常吃,可能会引起恶心呕吐,但在特殊情况下不得不勉为其难吃一些,在野外求生中就只能火烤甚至生食,一般昆虫都有腥味,令人难以下咽甚至作呕。除非是当地原住民或是深山里较未开化的部落,他们一般是火烤或水煮,这是他们的常规饮食方式。

某次在泰缅边界,甲良族村落里,正好碰上一名少女在准备餐食,锅里是水煮小鱼、小虾、蝌蚪、爬沙虫、大田鳖、水虿等食材,没什么佐料,一股腥味扑鼻而来,令人作呕。她仅报以腼腆的浅笑,似乎有点尴尬困窘,因为贫穷的关系,她们无法过于奢求油炸食品。

回忆起早年,母亲吃水煮盐渍小鱼小虾的情形,她是甘之如饴,我是一口都吃不下,毕竟这是她在乡下时天天吃的“菜肴”。上世纪60年代和母亲回口湖乡正值暑假期间,当准备回高雄时,小表弟拉着母亲的裙摆吵吵嚷嚷着要跟我们回高雄吃大米饭,仅仅为了吃大米饭他宁可暂时抛开父母,远离故乡,到姑姑家吃两个月的大米饭再回家。当时口湖乡土地贫瘠生活困苦,餐餐主食是白色干地瓜 加点大米,佐菜是盐渍小青蛙小鱼小虾,难得看到猪鸡鸭等肉食品,十分寒酸困厄。

小表弟长大后当了医生,吃得肥肥嫩嫩的,想当年和日本阿信一样为了吃白米饭,四、五岁便离乡背井去帮佣的处境相似,不知他是否还记得那段“刻骨铭心”的岁月。

日本阿信小时候的主食是白萝卜,宁可忍着万般委屈去帮佣,只是为了能吃上一口白米饭。

某次,听两位越南姑娘在聊越南上世纪70年代越战结束后困苦的生活情形,其中一位诉说餐餐吃木薯吃哭了,另一位家住江边的姑娘说我餐餐吃小虾也吃哭啦!那位吃木薯的姑娘诘问说有小虾吃那不好,吃小虾的姑娘回答你餐餐只吃水煮小虾看你哭不哭,她听了莞尔微笑频频点头。

所以人生有“三皛饭”可吃就应感到知足了,一碗白米饭,一碗白萝卜,一碟白盐,乐哉!

《论语·雍也篇》子曰:“贤哉回也!一箪食,一瓢饮,在陋巷,人不堪其忧,回也不改其乐,贤哉回也”。体现颜回的高贵品质!

丛林探险美食大全,真正的丛林美食有哪些

甲壳类昆虫的幼虫

一般甲壳类昆虫的幼虫都较能入口,例如:天牛、金龟子、独角仙、等等,在野外可用火烤方式取食。