今天,小编给大家带来一个病例分享,病例中的狗狗是一只1岁5个月的雌性巨型贵宾,体重17kg。

就诊前夜突然频繁呕吐腹泻,精神不好,不吃东西只喝水,拉稀且带血,主人回忆两天前吃了大量椰子鸡汤煮的菜。


体温(T):38.5
脉搏(P):120
呼吸数(R):32
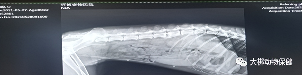
医生进行一般性检查发现: 触诊腹部紧张有疼痛感,结膜炎颜色正常、口腔颜色偏白,肌肉状态良好,对食物无兴趣,喜卧不动。血常规无异常,犬C反应蛋白轻度升高,犬胰腺炎指标升高,DR影像显示胃肠气体,无高密度异物。



医生采取的临床治疗方案为:
第一天:
复方氯化钠+VC+vb6+ATP+肌苷 iv
0.9%氯化钠+头孢噻呋钠 iv
5%葡萄糖+奥美拉唑 iv
0.9%氯化钠+碳酸氢钠iv
乳酸钠林格+氯化钾 iv
乌司他丁静脉推注
止吐宁 sc
止血敏sc
贝安可注射液sc
治疗后呕吐2次,腹泻3次,禁饮禁食,体温正常。

第二天:
复方氯化钠+VC+vb6+ATP+肌苷 iv
0.9%氯化钠+头孢噻呋钠 iv
5%葡萄糖+奥美拉唑 iv
0.9%氯化钠+碳酸氢钠iv
乳酸钠林格+氯化钾 iv
乌司他丁静脉推注
止吐宁 sc
止血敏sc
贝安可注射液SC
胰可欣po
第二天治疗后:有食欲,少量多次给予低脂处方罐头,白天未呕吐,晚上腹泻一次,带有少量鲜血,颜色深黄偏红,晚上呕吐一次白色泡沫,一整天精神尚可,喜卧不喜动,触诊腹部紧张。

第三天:
复方氯化钠+VC+vb6+ATP+肌苷 iv
0.9%氯化钠+头孢噻呋钠 iv
5%葡萄糖+奥美拉唑 iv
0.9%氯化钠+碳酸氢钠iv
乳酸钠林格+氯化钾 iv
乌司他丁静脉推注
止吐宁 sc
止血敏sc
贝安可注射液SC
胰可欣po
第三天未呕吐未拉稀,精神恢复,食欲恢复。
第四天:
复方氯化钠+VC+vb6+ATP+肌苷 iv
0.9%氯化钠+头孢噻呋钠 iv
5%葡萄糖+奥美拉唑 iv
0.9%氯化钠+碳酸氢钠iv
乳酸钠林格+氯化钾 iv
贝安可注射液SC
胰可欣po
乌司他丁静脉推注
第四天:临床症状基本恢复正常。低脂处方粮,低脂处方罐头,胰可欣口服一周。
这里建议,因为宠物急性胰腺炎发病急剧、死亡率高。如果一旦食欲不振,呕吐,腹泻,表现为昏睡,呕吐,剧烈腹泻乃至血性腹泻,腹部有压痛、腹壁紧张,饮水后立即呕吐。严重时血压下降,粘膜干燥,体重降低,意识逐渐丧失和痉挛而陷入休克状态的症状,一定要尽快送往医院,在兽医的确诊下有效进行用药。