
街、路、巷是地名的重要组成部分,也是体现城市文明、提升城市品位的一张名片。8月12日,西咸新区沣东新城发布区内38条市政道路命名方案,为这些道路正式换发“身份证”。
本次道路命名方案是根据中省市关于地名命名等相关文件规定,在组织专家研究讨论,充分征求社会各界意见的基础上,最终经西咸新区地名委和沣东新城审议通过,并发布的。

与道路命名方案公示征求意见时相比,这38条道路命名方案出现了一定程度调整。原方案中的沣滨大道、沣兴大道调整为 沣河大道、西周大道 ,“泰”字序列道路等也进行了调整。
一批市政道路正式命名的背后,是西咸新区交通路网的不断完善。进一步规范新区新城市政道路名称,方便居民生产生活,改善群众出行条件,从而更好的服务区域社会经济建设。

(点击查看大图)
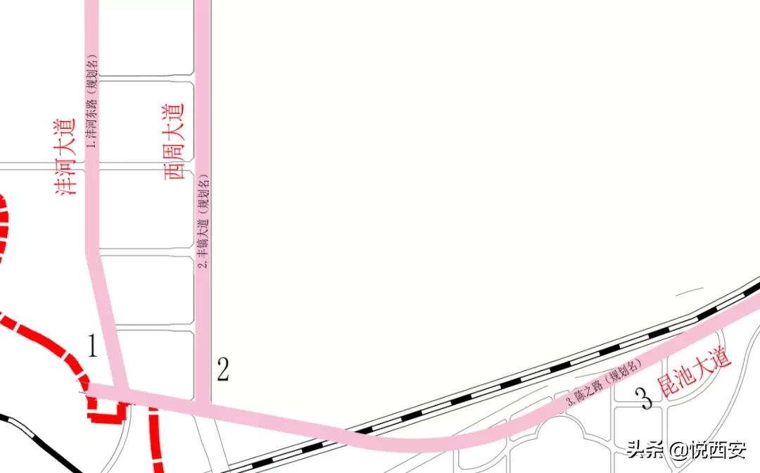
1. 沣河大道:
南北走向,南起陈之路 (规划名),北止镐京大道(东段),规划长10公里,宽80米,部分建成通车,命名为沣河大道。

沣河 图 / 悦西安
2. 西周大道:
南北走向,南起沣东新城南边界,北止复兴大道,长10公里,宽80米,部分建成通车,命名为西周大道。

昆明池 图 / 悦西安
3. 昆池大道:
东西走向,东起沣东新城东边界,西止沣河,长8公里,宽80米,部分建成通车,命名为昆池大道。

4. 复兴三路:
南北走向,南起镐京大道(东段),北止昆明一路 (规划名),长0.9公里,宽40米,在建道路,命名为复兴三路。
5. 复兴一路:
南北走向,南起镐京大道 (东段),北止昆明一路(规划名),长0.9公里,宽40米,在建道路,命名为复兴一路。
6. 复兴东路:
南北走向,南起镐京大道 (东段),北止昆明一路(规划名),长0.9公里,宽40米,在建道路,命名为复兴东路。
7. 豫章路:
南北走向,南起陈之路 (规划名),北止昆明一路(规划名),长2.8公里,宽50米,部分建成通车,命名为豫章路。

8. 镐京一路:
东西走向,东起车辆段东路 (规划名),西止沣河东路(规划名),长6.6公里,宽50米,在建道路,命名为镐京一路。
9. 镐京二路:
东西走向,东起豫章大道 (规划名),西止沣河东路(规划名),长4.9公里,宽40米,在建道路,命名为镐京二路。

镐京大道 图 / 悦西安
10. 沣兴路:
南北走向,南起站前南路 (规划名),北止沣东三路,长1.5公里,宽40米,建成通车,命名为沣兴路。
11. 成宣路 :
南北走向,南起站前一路 (规划名),北止沣东三路,长1.2公里,宽20米,部分建成通车,命名为成宣路。
12. 文宣路:
东西走向,东起丰镐大道 (规划名),西止沣河东路(规划名),长0.6公里,宽40米,部分建成通车,命名为文宣路。

13. 文宣一路:
东西走向,东起科源三路 (规划名),西止站东一路(规划名),长0.68公里,宽20米,建成通车,命名为文宣一路。
14. 文宣二路:
东西走向,东起科源二路 (工程名)东侧规划路,西止站东一路(规划名),长1.3公里,宽30米,建成通车,命名为文宣二路。
15. 文宣三路:
东西走向,东起科源三路 (规划名),西止站东一路(规划名),长0.65公里,宽20米,部分建成通车,命名为文宣三路。

诗经里 图 / 悦西安
16. 文宣四路:
东西走向,东起科源三路 (规划名),西止站东一路(规划名),长0.65公里,宽20米,建成通车,命名为文宣四路。
17. 福泰路:
南北走向,南起沣东大道,北止征和七路,长4.1公里,宽40米,在建道路,命名为福泰路。
18. 康泰路:
南北走向,南起征和三路,北止西兴高速,长2.9公里,宽40米,在建道路,命名为康泰路。

19. 宁泰路:
南北走向,南起昆明路西延线 (规划名),北止三桥新街,长5.9公里,宽40米,部分建成通车,命名为宁泰路。
20. 安泰路:
南北走向,南起昆明路西延线 (规划名),北止沣润东路,长4.1公里,宽30米,在建道路,命名为安泰路。

西安宜家家居
21. 宜家路:
南北走向,南起阿房一路北侧规划路,北至三桥立交,长1.5公里,宽30米,部分建成通车,命名为宜家路。

22. 文萃二路:
南北走向,南起昆明二路 (规划名),北止昆明路西延线(规划名),长0.8公里,宽30米,在建道路,命名为文萃二路。
23. 文萃一路:
南北走向,南起昆明二路 (规划名),北止昆明路西延线(规划名),长0.8公里,宽30米,在建道路,命名为文萃一路。
24. 文萃路:
南北走向,南起大寨路,北止昆明路西延线 (规划名),长0.8公里,宽30米,在建道路,命名为文萃路。

25. 文创二路:
南北走向,南起昆明路西延线 (规划名),北止沣东大道,长0.8公里,宽30米,在建道路,命名为文创二路。
26. 文创一路:
南北走向,南起昆明路西延线 (规划名),北止沣东大道,长0.8公里,宽30米,在建道路,命名为文创一路。
27. 文创路:
南北走向,南起昆明路西延线 (规划名),北止沣东大道,长0.8公里,宽30米,建成通车,命名为文创路。

沣河与西成高铁 图 / 悦西安
28. 和春路:
南北走向,南起昆明路西延线 (规划名),北止沣东大道,长0.8公里,宽20米,建成通车,命名为和春路。
29. 沣东南路:
东西走向,东起西三环,西止沣河东路 (规划名),长8.5公里,宽30米,建成通车,命名为沣东南路。

沣河与西安地铁5号线 图 / 悦西安
30. 文创南路:
东西走向,东起天台路,西止和平路 (规划名),长0.38公里,宽20米,建成通车,命名为文创南路。
31. 文创北路:
东西走向,东起和平路 (规划名),西止车城西路(规划名),长1.8公里,宽30米,在建道路,命名为文创北路。
32. 金源二路:
南北走向,南起世纪大道,北止陇海铁路南侧路 (规划名),长0.42公里,宽30米,在建道路,命名为金源二路。

33. 科贸一路:
南北走向,南起陇海线北侧路 (规划名),北止西宝高铁,长2.9公里,宽40米,部分建成通车,命名为科贸一路。
34. 科贸路:
南北走向,南起陇海线北侧路 (规划名),北止能源四路,长2.9公里,宽30米,部分建成通车,命名为科贸路。
35. 雁书路:
南北走向,南起创新四路 (规划名),北止丰裕路(规划名),长5.9公里,宽30米,部分建成通车,命名为雁书路。

沣渭金湾 图 / 悦西安
36. 科源三路:
南北走向,南起王寺西街,北止沣东二路,长1.0公里,宽50米,建成通车,命名为科源三路。
37. 科源四路:
南北走向,南起昆明路西延线 (规划名),北止沣东三路,长2.1公里,宽50米,部分建成通车,命名为科源四路。

38. 复兴二路:
南北走向,南起镐京大道 (东段),北止西宝高速,长1.2公里,宽50米,在建道路,命名为复兴二路。
法律顾问 / 宋亚锋 赵文娟
陕西大秦律师事务所